
Council MEETING
Wednesday, 2 March 2016
His Worship The Mayor and Councillors
I have by direction to inform you that a Council Meeting will be held at Council Chambers, Civic Centre, Hurstville, on Wednesday, 2 March 2016 for consideration of the business available on Council's website at http://www.hurstville.nsw.gov.au/Agendas-and-Minutes.
Mr L O’Connor
Acting General Manager
BUSINESS
1. The National Anthem
2. Opening Prayer
3. Acknowledgement of Traditional Custodians
4. Apologies
5. Mayoral Minute
6. Matters of Privilege
- Condolences
- Other
7. Disclosures of Interest
8. Minutes of previous meetings
9 Council Reports
10 Questions with Notice
11. Committee of the Whole (Closed Council Meeting)
12. Open Council
13. Consideration of Committee of the Whole Recommendations
The Quorum for the meeting is 6
Council Meeting
Wednesday, 2 March 2016
Previous Minutes
MINUTES: Council Meeting - 17 Feb 2016
MINUTES: COMMUNITY SAFETY COMMITTEE MEETING – 16 FEB 2016
Council Reports
CCL054-16 Planning Proposal for 80 Park Road and 83 The Avenue Hurstville - Danebank (PP2015/0003)
(Report by Independent Assessment, Consultant Planner)........................................ 2
CCL055-16 25 St Georges Rd Penshurst - Construction of a Community Centre - 3 Bridges Community Organisation (DA2015/0085)
(Report by Independent Assessment, Consultant Planner)...................................... 57
CCL056-16 119 Boundary Rd Peakhurst - Demolition of Existing and Construction of 3 Storey Warehouse and Showroom (DA2014/1061)
(Report by Senior Development Assessment Officer, Ms T Gizzi).......................... 94
CCL057-16 53 Elwin St Peakhurst - Torrens Title Subdivision - Two Allotments (DA2015/0328)
(Report by Development Assessment Officer, Mr M Raymundo).......................... 139
CCL058-16 45 Baker St Oatley - Alterations and Additions to Dwelling including New Garage to Front of Dwelling and Alterations to Roof and Internal (DA2015/0335)
(Report by Development Assessment Officer, Mr A Zhou).................................... 162
CCL059-16 20 McLeod St Hurstville - Demolition of Existing and Construction of Two Storey Attached Dual Occupancy (DA2015/0174)
(Report by Senior Development Assessment Officer, Ms T Gizzi)....................... 186
CCL060-16 19 Sunlea Ave Mortdale - Demolition of Existing and Contruction of Two Storey Attached Dual Occupancy (DA2015/0326)
(Report by Development Assessment Officer, Mr M Raymundo).......................... 218
CCL061-16 54 Boundary Rd Mortdale - Demolition of Existing and Construction of Attached Dual Occupancy (DA2015/0362)
(Report by Development Assessment Officer, Mr P Nelson)................................. 253
CCL062-16 97 Morts Rd Mortdale - Demolition of Existing and Construction of 2 Two-Storey Semi-detached Dwellings - Small Lot Housing (DA2015/0171)
(Report by Senior Development Assessment Officer, Ms T Gizzi)....................... 283
CCL063-16 64 Lansdowne Pde Oatley - Demolition of Existing and Construction of Multi-level Single Dwelling (DA2015/0307)
(Report by Senior Development Assessment Officer, Ms T Gizzi)....................... 315
CCL064-16 11 11A and 13 Apsley St Penshurst - Demolition of Existing and Construction of Three Storey Residential Flat Building (DA2015/0122)
(Report by Senior Development Assessment Officer, Ms T Gizzi)....................... 360
CCL065-16 Options Paper - Review of B3 Commercial Core Zone in Hurstville Local Environmental Plan 2012 (15/252)
(Report by Senior Strategic Planner, Ms H Singh)................................................. 417
CCL066-16 December Quarterly Review - Delivery Program 2015-2019 and Operational Plan 2015-16 (14/901)
(Report by Manager Corporate Planning, Mr E Mishra)........................................ 490
CCL067-16 Quarterly Financial Review - December 2015 (15/878)
(Report by Manager Finance, Mrs C Long)............................................................. 534
CCL068-16 Concessional Rental Policy - Mortdale Community Centre (16/348)
(Report by Manager Library Museum and Entertainment, Ms R Schulz).............. 548
CCL069-16 Donation Request - Charity Event at Grandviews Bowling Club (16/97)
(Report by Governance Officer, Ms S Camilleri)..................................................... 561
CCL070-16 Patronage of BEC Southern Sydney - 2015 - 2016 (16/97)
(Report by Governance Officer, Ms S Camilleri)..................................................... 563
CCL071-16 Request to install a commemorative plaque in Oatley Park (11/324)
(Report by Sport and Recreation Officer, Ms C Irwin)............................................ 569
CCL072-16 Heritage Signage Scheme Policy (15/508)
(Report by Manager Library Museum and Entertainment, Ms R Schulz).............. 570
CCL073-16 Tech Savvy Seniors Program Grant Funding (15/1378)
(Report by Manager Library Museum and Entertainment, Ms R Schulz).............. 586
CCL074-16 Request to place Jumping Castle in Jubilee Park for the Opening of Mortdale Community Centre (16/348)
(Report by Manager Library Museum and Entertainment, Ms R Schulz).............. 588
CCL075-16 Request to place Amusement Ride at 243a Forest Rd Hurstville for Council Youth Week Event (15/1261)
(Report by Sport and Recreation Officer, Ms C Irwin)............................................ 589
CCL076-16 Review - Public Access to Information Policy (15/915)
(Report by Manager Corporate Governance, Mrs K Garske)................................ 590
CCL077-16 Review - Privacy Management Plan (16/325)
(Report by Manager Corporate Governance, Mrs K Garske)................................ 613
CCL078-16 Section 430 Investigation (16/508)
(Report by Corporate Lawyer, Ms J Ware).............................................................. 669
Questions with Notice
QN003-16 Costs of Investigations into Council (16/508)
(Report by Councillor, J Mining)................................................................................ 767
Committee of the Whole (Closed Council Meeting)
COW009-16 Compliance with Section 430 Final Report (16/508)
(Report by Councillor, J Mining)
COW010-16 Tender - Gannons Park Pedestrian and Cycle Path (15/526)
(Report by Manager Contracts, Mrs S Geadah)
COW011-16 Delivery of Central Plaza (15/965)
(Report by Manager Property, Ms C Stuckey)
Hurstville City Council – Council Meeting Wednesday, 2 March 2016
AGENDA
3. Acknowledgement of Traditional Custodians
Council acknowledges the traditional custodians of the land on which this meeting is being held as the Bidjigal people of the Eora Nation.
- Condolences
- Other
8. Minutes of previous meetings
Hurstville City Council – Council Meeting Wednesday, 2 March 2016
CCL054-16 Planning Proposal for 80 Park Road and 83 The Avenue Hurstville - Danebank
|
Report Author/s |
Independent Assessment, Consultant Planner |
||
|
File |
PP2015/0003 |
||
|
Previous Reports Referenced |
No |
||
|
Community Strategic Plan Pillar |
Economic Prosperity |
||
|
Existing Policy? |
Yes |
New Policy Required? |
Yes |
|
Financial Implications |
Within Budget |
||
|
Reason for Report |
For Approval |
||
|
Interested Parties |
Sydney Anglican Schools Corporation; Danebank Anglican School for Girls |
||
|
Company Extract included |
Yes |
||
EXECUTIVE SUMMARY
Sydney Anglican Schools Corporation has submitted a request that Council prepare a planning proposal to change the zoning of two (2) lots within the Danebank School campus from R2 Low Density Residential to SP2 Infrastructure (Educational Establishment) consistent with the majority of the Danebank School campus.
The Planning Proposal (PP2015/0003) requests the following amendments to the Hurstville Local Environmental Plan 2012 (“LEP 2012”) in relation to the Subject Site:
· Amend the Land Zoning Map to rezone the Subject Site from R2 Low Density Residential to SP2 Infrastructure (Educational Establishments);
· Amend the Minimum Lot Size Map to remove the minimum lot size of 450m2 and identify no minimum lot size for the Subject Site, consistent with the SP2 Infrastructure zoned land;
· Amend the Height of Buildings Map to remove the maximum building height of 9m and identify no maximum building height for the Subject Site, consistent with the SP2 Infrastructure zoned land; and
· Amend the Floor Space Ratio Map to remove the maximum floor space ratio of 0.6:1 and identify no maximum floor space ratio for the Subject Site, consistent with the SP2 Infrastructure zoned land.
A development application (DA2015/0198) for the installation of demountable buildings (containing 6 classrooms) on 83 The Avenue was recently approved (06/11/2015) and will facilitate the establishment of demountable school classrooms in the south-east corner of the Danebank School whilst another part of the school campus is redeveloped and upgraded. No other development applications are currently being considered on the Subject Site.
|
THAT Council support the forwarding of the Planning Proposal (PP2015/0003) to the Department of Planning and Environment to request a Gateway Approval to rezone land within the Danebank School Campus (80 Park Road and 83 The Avenue, Hurstville) to SP2 Infrastructure (Educational Establishments) and remove the minimum lot size, maximum building height and maximum floor space ratio controls consistent with SP2 Infrastructure zoned land. |
REPORT DETAIL
BACKGROUND
The request to prepare a Planning Proposal (PP2015/0003) for two (2) lots within the Danebank School was submitted by the Sydney Anglican Schools Corporation on 2 October 2015.
The majority of land within the Danebank School campus is zoned SP2 Infrastructure (Educational Establishments); the remaining lots are zoned R2 Low Density Residential (consistent with the surrounding residential area).
The zoning of the Danebank School site in the Hurstville LEP 2012 (SP2 Infrastructure (Educational Establishments)) was a direct transfer from the previous Hurstville LEP 1994 zoning (Zone 5(a) (General Special Uses (School)). Those sites within the Danebank School campus zoned 2 (Residential Zone) under the Hurstville LEP 1994 were transferred to the equivalent R2 Low Density Residential Zone. It is noted that the State Environmental Planning Policy (Infrastructure) 2007 allows for development for the purposes of “educational establishments” with consent in “prescribed zones”. The R2 Low Density Residential is a “prescribed zone” under Part 3 Division 3 Educational Establishments of the SEPP (Infrastructure) 2007.
Sydney Anglican Schools Corporation has requested that two (2) lots currently zoned R2 Low Density Residential be rezoned to SP2 Infrastructure.
An independent planning consultant has been contracted to review the Planning Proposal and commence the assessment, including the preparation of this report.
Planning Proposal Documentation
The Planning Proposal request submitted by Sydney Anglican Schools Corporation on 2 October 2015 was supported by the following documents:
· Planning Proposal, Regularisation of Zoning of School-owned land to SP2 Infrastructure (Educational Establishment), September 2015 (refer Appendix 1);
· Staging Plan, Danebank School, Hurstville, Butler & Co Architects, May 2015 (refer Appendix 1);
· Planning Proposal, Completed Form and Checklist, 2 October 2015; and
· Letter of Owners Consent, Sydney Anglican Schools Corporation, 2 October 2015.
The preliminary assessment of the documentation provided by the Applicant concluded that sufficient information was provided to progress the Planning Proposal to Gateway Determination.
SITE DESCRIPTION
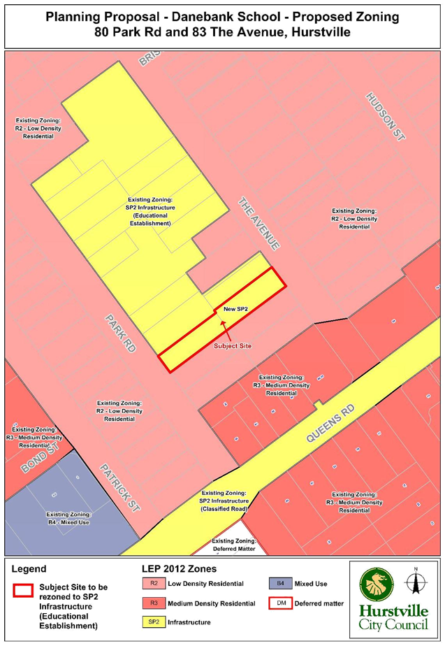
The Subject Site
The Subject Site includes two (2) lots with a combined area of approximately 1,335m2 which are known as 80 Park Road and 83 The Avenue, Hurstville and comprise:
· Lot 2 in DP 319591 (No. 80 Park Road) is a rectangular shaped lot which measures approximately 620m2 and has a frontage of approximately 13m to Park Road and a depth of 47m; and
· Lot 99 in DP 1595 (No. 83 The Avenue) is a rectangular shaped lot which measures approximately 715m2 and has a frontage of approximately 15m to The Avenue and a depth of 47m.
The Subject Site is shown in Figure 1 below.

Figure 1: Site (bounded in red) and Surrounding Land (Source: SixMaps, NSW Government)
The existing buildings on the Subject Site are described below:
· 80 Park Road includes part of the Danebank Senior School building; a two storey school building known as “Wingara” and attached to an adjoining two storey school building also fronting Park Road; and
· 83 The Avenue includes an area at the front used for open space and waste storage. The rear of the site is currently used for school bus parking and for a school playground and open space. As considered above, DA2015/0198 for the installation of demountable buildings (containing 6 classrooms) was recently approved and will facilitate the establishment of demountable school classrooms on the site whilst another part of the school campus is redeveloped and upgraded.
Site History
The Planning Proposal request provides a brief history of the Danebank School site, noting that the “Danebank School was established in 1933 and has accommodated further growth through progressive, staged expansion of the school campus since that time”. Details of recent development consents (since 1993) have been listed and include construction of school library, staff rooms, class rooms, swimming pool complex and gymnasium, school hall and increase in staff and student numbers. The master plan for the staged redevelopment of the Danebank School was also provided and shows the Danebank School’s proposed staging plan.
The zoning of the Danebank School site in the Hurstville LEP 2012 (SP2 Infrastructure (Educational Establishments)) was a direct transfer from the previous Hurstville LEP 1994 zoning (Zone 5(a) General Special Uses (School)). Those sites within the Danebank School campus zoned 2 (Residential) under the Hurstville LEP 1994 were transferred to the equivalent R2 Low Density Residential Zone. It is noted that the State Environmental Planning Policy (Infrastructure) 2007 allows for development for the purposes of educational establishments with consent in “prescribed zones”. The R2 Low Density Residential is a “prescribed zone” under Part 3 Division 3 Educational Establishments of the SEPP (Infrastructure) 2007.
Surrounding Land
The Subject Site is on the southern boundary of the Danebank School campus as shown in Figure 1 above. The school contains both two (2) and three (3) storey buildings, with an internal open space area within the central spine of the school campus. As noted in the Planning Proposal request “the Junior and Senior School buildings are the dominant land use within the Park Road and The Avenue streetscape with 2-3 storey administration and classroom buildings extending along Park Road, with a Design and Technology building called “The Terraces”, a Drama and Performing Arts Centre and Gymnasium, ancillary school buildings and school bus parking area fronting The Avenue. The Danebank College Aquatic Centre, comprising an indoor swimming pool, multi-purpose sports court and carpark under also fronts The Avenue, a short distance away, to the north”.
A summary of the surrounding land is provided below:
· North of the site is the Danebank School campus, with the staff cottage located directly to the north of 83 The Avenue. The Resources Centre is located on both 80 Park Road and the lot directly to the north.
· South of the site is residential land use with 81 The Avenue and 78 Park Road including single and two (2) storey dwellings. Further south are single detached dwellings, with a number of multi storey residential flat buildings further south towards Queens Road;
· West of the site (across Park Road) are the rear boundaries of the dwelling houses fronting Patrick Street.
· East of the site (across The Avenue) are predominantly single detached dwellings of one (1) and two (2) storeys.
Existing Planning Controls
The Hurstville LEP 2012 applies to the Subject Site and the following provisions are relevant to the Planning Proposal:
Land Zoning: the Subject Site is zoned R2 Low Density Residential
|
|
|
Minimum Lot Size: the Subject Site has a minimum subdivision lot size of 450m2. There is no minimum lot size specified for the Danebank School campus land zoned SP2 Infrastructure (Educational Establishment).
|
|
|
Height of Buildings: the Subject Site has a maximum building height of 9m. There is no maximum building height specified for the Danebank School campus land zoned SP2 Infrastructure (Educational Establishment).
|
|
|
Floor Space Ratio: the Subject Site has a maximum floor space ratio of 0.6:1. There is no maximum floor space ratio specified for the Danebank School campus land zoned SP2 Infrastructure (Educational Establishment).
|
|
|
Heritage: the Subject Site is not identified as a heritage item or located within a heritage conservation area. A number of heritage items are located in close proximity as shown in the Heritage Map extract below.
|
|
|
THE PLANNING PROPOSAL
The Planning Proposal has been assessed under the relevant sections of the Environmental Planning and Assessment Act 1979 and Regulation 2000 and the following advisory documents prepared by the Department of Planning and Environment:
· “A guide to preparing planning proposals” (October 2012); and
· “A guide to preparing local environmental plans” (April 2013).
The assessment includes a review of the strategic planning framework and a site-specific assessment as listed below:
· Hurstville Local Environmental Plan 2012 (“HLEP 2012”);
· State Environmental Planning Policies;
· Ministerial Section 117 Directions;
· Environmental, Social and Economic Impacts; and
· Services and Infrastructure.
Section 55 of the Environmental Planning & Assessment Act, 1979 outlines that a planning proposal must explain the intended effect and the justification for making the proposed instrument and must include the following components:
· A statement of the objectives and intended outcomes of the proposed instrument (Part 1);
· An explanation of the provisions that are to be included in the proposed instrument (Part 2);
· The justification for those objectives, outcomes and the process for their implementation (including whether the proposed instrument will comply with relevant directions under section 117) (Part 3);
· Maps, where relevant, to identify the intent of the planning proposal and the area to which it applies (Part 4); and
· Details of community consultation that is to be undertaken before consideration is given to the making of the proposed instrument (Part 5).
Parts 1 – 5 below address the information requirements for Planning Proposals.
Part 1 – Objectives and Intended Outcomes
The objective of the Planning Proposal is to rezone two (2) lots within the Danebank School campus from R2 Low Density Residential to SP2 Infrastructure (Educational Establishment) and remove the principal development standards (minimum lot size, maximum building height and maximum floor space ratio), consistent with the zoning and planning controls for the majority of the Danebank School campus and which reflect the use of the land as an “educational establishment”.
The intended outcomes of the Planning Proposal are to:
· Provide a uniform SP2 Infrastructure (Educational Establishment) zoning and development standards for the majority of the Danebank School campus;
· Ensure that the land use zone reflects the existing use of the land as an “educational establishment”;
· Create certainty in relation to the retention of community (educational) assets that will support the social, community and educational needs of the community; and
· Ensure that sufficient zoned land for educational establishments is provided within the Hurstville LGA and is available for existing and future residents.
Part 2 – Explanation of Provisions
The proposed intended outcome (refer Part 1) will be achieved by amending the Hurstville LEP 2012 as follows:
· Amending the Land Zoning Map (Sheet LNZ_008) on the Subject Site in accordance with the proposed zoning map shown in Appendix 2 to change the zoning of the site from R2 Low Density Residential Zone to SP2 Educational Establishments; and
· Amending the Lot Size Map (Sheet LSZ_008)) to remove the minimum lot size applicable to the Subject Site in accordance with the proposed Lot Size Map shown in Appendix 2;
· Amending the Height of Buildings Map (Sheet HOB_008) to remove the maximum building height applicable to the Subject Site in accordance with the proposed Height of Buildings Map shown in Appendix 2; and
· Amending the Floor Space Ratio Map (Sheet FSR_008) to remove the maximum floor space ratio applicable to the Subject Site in accordance with the proposed Floor Space Ratio Map shown in Appendix 2.
It is noted that under the current SP2 Infrastructure zoning for the Danebank School campus no maximum floor space ratio, maximum building height or minimum lot size restrictions apply; generally consistent with SP2 Infrastructure zoned land in the Hurstville LGA.
Part 3 – Justification
Section A – Need for the planning proposal
Is the planning proposal a result of any strategic study or report?
No. There are no specific strategic studies or reports relating to the Planning Proposal. The Planning Proposal applies a land use zone consistent with the majority of the land within the Danebank School campus which is zoned SP2 Infrastructure (Educational Establishment).
The Planning Proposal request is the result of a decision by the Sydney Anglican Schools Corporation and Danebank School.
Is the planning proposal the best means of achieving the objectives or intended outcomes, or is there a better way?
State Environmental Planning Policy (Infrastructure) 2007 allows for development for the purposes of educational establishments with consent in “prescribed zones”. The R2 Low Density Residential (which the Subject site is currently zoned) is a “prescribed zone” under Part 3 Division 3 Educational Establishments of the SEPP (Infrastructure) 2007.
The Planning Proposal is however the best means of achieving the objectives and intended outcomes by introducing a land use zoning on the Subject Site consistent with the majority of the land within the Danebank School campus, and through the SP2 zoning clearly identifying the land for Infrastructure (Educational Establishment).
Section B – Relationship to strategic planning framework
Is the planning proposal consistent with the objectives and actions of the applicable regional or sub-regional strategy (including A Plan for Growing Sydney and exhibited draft South Subregional Strategy)?
The Planning Proposal is not inconsistent with relevant strategies including A Plan for Growing Sydney which sets the strategic direction for Sydney towards 2031 and the draft South Subregional Strategy. The proposed changes to the two (2) lots within the Danebank School campus will have no impact on the objectives and actions of the Plan and draft Strategy and will assist in providing a better educational infrastructure for the locality by facilitating consolidation of zoning controls applicable to an existing educational establishment.
Is the planning proposal consistent with a council’s local strategy or other local strategic plan?
The Hurstville LEP 2012 reflects Council’s strategic direction for the Hurstville LGA; the Planning Proposal satisfies the following LEP objectives:
· to encourage and co-ordinate the orderly and economic use and development of land that is compatible with local amenity,
· to ensure development is carried out in such a way as to promote the efficient and equitable provision of public services, infrastructure and community facilities,
· to concentrate intensive land uses and trip-generating activities in locations most accessible to transport and centres,
The Planning Proposal will provide for a consistent SP2 Infrastructure (Educational Establishments) zoning of the Danebank School campus.
As detailed in the Planning Proposal request, the zoning change is consistent with the Hurstville Community Strategic Plan 2025 Social and Cultural Development and Economic Prosperity Pillars, in that it will:
· Provide economic prosperity to the LGA and providing quality school facilities for the well-being and benefit of current and future residents; and
· Ensure sufficient educational establishments are provided for the existing and future residents.
Is the planning proposal consistent with applicable State Environmental Planning Policies?
State Environmental Planning Policies (SEPPs)
The full assessment of the Planning Proposal against all the State Environmental Planning Policies (“SEPPs”) is provided in Appendix 3 and within the Applicant’s submission (Appendix 1).
The Planning Proposal is not inconsistent with the SEPP (Infrastructure) 2007 provisions. The SEPP will apply to all future development on the SP2 Infrastructure zoned land for the purpose of “educational establishment”.
Is the planning proposal consistent with applicable Ministerial Directions (s.117 Directions)?
Ministerial Direction (Section 117 Directions)
A checklist of the Planning Proposal’s consistency with the full set of Section 117 Ministerial Directions is included in Appendix 3. The Directions that are relevant to the Planning Proposal are considered in the Table below.
|
Section 117 Directions |
Comment |
|
3.1 Residential Zones |
The Planning Proposal will result in a very minor reduction in R2 Low Density Residential zoned land. The current and future use of the Subject Site is for an educational establishment. |
|
3.4 Integrating Land Use and Transport |
Consistent. The Subject Site is strategically positioned in term of proximity to the Hurstville City Centre and the Hurstville Railway Station and Bus Interchange. The Planning Proposal does not hinder the application of this Direction. |
|
6.1 Approval and Referral Requirements |
The Planning Proposal does not include provisions that require concurrence, consultation or referral of development applications to the Minister or public authority or identify development as designated development. |
|
6.2 Reserving Land for Public Purposes |
Consistent. The Planning Proposal does not hinder the application of this Direction. No lands are proposed to be reserved for Public Purposes through the Planning Proposal. |
|
7.1 Implementation of A Plan for Growing Sydney |
The Planning Proposal is not inconsistent with the NSW Government’s A Plan for Growing Sydney (December 2014). |
Section C – Environmental, social and economic impact
Is there any likelihood that critical habitat or threatened species, populations or ecological communities, or their habitats, will be adversely affected as a result of the proposal?
No. There is no likelihood that critical habitat or threatened species, population or ecological communities, or their habitat will be adversely affected. The site is within the existing Danebank School campus and, as noted above, contains existing school buildings and areas of open space (landscaping and open lawn areas).
Are there any other likely environmental effects as a result of the planning proposal and how are they proposed to be managed?
It is not envisaged that there will be any adverse environmental effects resulting from the proposed change in zoning of the Subject Site. No physical works are proposed and, as noted above, “educational establishments” are currently permitted (with consent) through the provisions of the SEPP (Infrastructure) 2007. The use of the land as an educational establishment will remain. The Planning Proposal request notes that “over time, the land will be upgraded and redeveloped in response to the changing needs of the School’s students and modern teaching practice”.
Has the planning proposal adequately addressed any social and economic effects?
Yes, the social and economic effects have been adequately addressed. There will be no adverse social and economic effects as a consequence of the Planning Proposal. Any future school facilities would be to the benefit of both the Hurstville and wider community and provide services for the growing Hurstville student population. In addition, the Danebank School provides employment opportunities and economic benefits for the local and wider community. The removal of the R2 Low Density Residential zoning on the two (2) lots will not have an impact on housing supply in the Hurstville LGA.
Section D – State and Commonwealth interests
Is there adequate public infrastructure for the planning proposal?
The Planning Proposal zoning change to SP2 Infrastructure (Educational Establishments) will not impact on the current use of the land as a school and will not increase demand on essential public infrastructure. The Subject Site is within the established Danebank School campus which is well serviced by public infrastructure, including:
· Road access, being within close proximity to Queens Road, a major road on the boundary of the Hurstville City Centre; and
· The location of the Danebank School, within walking distance to the Hurstville Train Station and Bus Interchange.
What are the views of State and Commonwealth public authorities consulted in accordance with the Gateway determination?
State and Commonwealth public authorities will be consulted following the outcomes, and in line with any recommendations, of the Gateway Determination.
Part 4 – Mapping
The following maps have been prepared, consistent with the “Standard Technical Requirements for LEP Maps” and identify the Subject Site and the proposed land use zone and development standards:
· Land subject to the Planning Proposal (refer Appendix 2)
· Proposed land use zone (refer Appendix 2)
· Proposed minimum lot size
· Proposed maximum building height
· Proposed maximum floor space ratio
The full set of maps showing the proposed changes is included in Appendix 2.
The current land use zone and principal development standards (minimum lot size, maximum building height and maximum floor space ratio) maps are provided above in an earlier section of the report.
Part 5 – Community Consultation
It is anticipated that the Planning Proposal will be exhibited for a period of twenty eight (28) days in accordance with the provisions of the Environmental Planning and Assessment Act, 1979 and Regulation, 2000 and any requirements of the Gateway Determination.
Exhibition material, including explanatory information, land to which the Planning Proposal applies, description of the objectives and intended outcomes, copy of the Planning Proposal and relevant maps will be available for viewing during the exhibition period on Council’s website and hard copies available at Council offices and libraries.
Notification of the public exhibition will be through:
· Newspaper advertisement in The St George and Sutherland Shire Leader;
· Exhibition notice on Council’s website;
· Notices in Council offices and libraries;
· Letters to State and Commonwealth Government agencies identified in the Gateway Determination; and
· Letters to adjoining landowners (in accordance with Council’s Notification Procedures).
Part 6 – Project Timeline
The anticipated project timeline for completion of the Planning Proposal is shown below:
|
Task |
Anticipated Timeframe |
|
Lodgement of Planning Proposal request by Sydney Anglican Schools Corporation. |
2 October 2015 |
|
Reporting to Council on Planning Proposal |
2 March 2016 (this Report) |
|
Anticipated commencement date (date of Gateway determination) |
Mid-April 2016 |
|
Anticipated timeframe for the completion of required technical information |
Mid-April 2016 |
|
Timeframe for government agency consultation (pre and post exhibition as required by Gateway determination) |
Late April 2016 |
|
Commencement and completion dates for public exhibition period (twenty eight (28) days) |
Late April – Late May 2016 |
|
Dates for public hearing (if required) |
N/A |
|
Timeframe for consideration of submissions |
June 2016 |
|
Timeframe for the consideration by Council of a proposal post exhibition |
Early July 2016 |
|
Date of submission to the Department to finalise the LEP |
Mid-July 2016 |
It is noted that the project timeline will be assessed by the Department of Planning and Environment and may be amended by the Gateway Determination.
CONCLUSION
In summary, the Planning Proposal to rezone two (2) lots within the Danebank School campus from R2 Low Density Residential to SP2 Infrastructure (Educational Establishments), consistent with the zoning of the majority of the campus, and the removal of the principal development standards; minimum lot size, maximum building height and maximum floor space ratio (also consistent with the SP2 Infrastructure zoned land) is supported. The key reasons for support include that the:
· Proposed SP2 Infrastructure (Educational Establishment) zoning and changes to the principal development standards will provide consistent zoning and planning controls across the majority of land within the Danebank School campus and reflects the existing school use of the site;
· Proposed zoning change, and the consequent reduction in R2 Low Density Residential zoned land, will not impact on the supply of residential accommodation in the LGA. The Subject Site has been owned and used by Danebank School for school-related purposes for more than 10 years; and
· Rezoning will provide for long-term certainty for the existing Danebank School, as well as provide for the current and likely future needs of educational facilities in the Hurstville LGA.
NEXT STEPS
Support Planning Proposal
If Council resolves to support the Planning Proposal and send the Planning Proposal to the Department of Planning and Environment for consideration.
Once the Planning Proposal is submitted to the Department the proposal will be assessed and a recommendation to the Minister (or delegate) as to whether there is merit in the proposal proceeding and if so, whether any conditions should be attached to the Proposal to ensure it progresses. If it is determined that a Proposal should proceed, the Minister (or delegate) will issue a Gateway Determination and the matter will be returned to Council to finalise in accordance with any conditions imposed by the Gateway Determination.
Pre-Gateway Review
If Council resolves not to adopt the recommendation in this report to support the Planning Proposal, the Applicant has the opportunity to request a pre-Gateway Review by the Department of Planning and Environment. An applicant has forty (40) days from the date of notification of Council’s decision to request a review.
The Department will notify Council of an applicant’s request for review if it is confirmed to be eligible and complete. The Council will have twenty one (21) days to provide a response in relation to why the original request to Council was not supported. The Department will review the Proposal and the Secretary will make the final decision whether the Planning Proposal proceeds to Gateway.
For video relating to 80 Park Road Hurstville click here
For video relating to 83 The Avenue Hurstville click here
|
Appendix View1 |
Planning Proposal - 80 Park Rd and 83 The Avenue Hurstville |
|
Appendix View2 |
Proposed Map Amendments - 80 Park Road and 83 The Avenue Hurstville |
|
Appendix View3 |
SEPP and S117 Direction Consideration |
|
Appendix View4 |
Company Extract - Applicant - 80 Park Rd and 83 The Avenue Hurstville (Confidential) |
Hurstville City Council – Council Meeting Wednesday, 2 March 2016
CCL054-16 Planning Proposal for 80 Park Road and 83 The Avenue Hurstville - Danebank
[Appendix 1] Planning Proposal - 80 Park Rd and 83 The Avenue Hurstville



























Hurstville City Council – Council Meeting Wednesday, 2 March 2016
CCL054-16 Planning Proposal for 80 Park Road and 83 The Avenue Hurstville - Danebank
[Appendix 1] Planning Proposal - 80 Park Rd and 83 The Avenue Hurstville
Hurstville City Council – Council Meeting Wednesday, 2 March 2016
CCL054-16 Planning Proposal for 80 Park Road and 83 The Avenue Hurstville - Danebank
[Appendix 2] Proposed Map Amendments - 80 Park Road and 83 The Avenue Hurstville




CCL054-16 Planning Proposal for 80 Park Road and 83 The Avenue Hurstville - Danebank
[Appendix 3] SEPP and S117 Direction Consideration
State Environmental Planning Policies
The following is a list of State Environmental Planning Policies (SEPPs) that apply to the Subject Site and consideration of the Planning Proposal’s consistency with the objectives and provisions of the SEPPs.
|
State Environmental Planning Policy |
Applicable |
Consideration |
|
SEPP No.1 – Development Standards |
Not applicable to Hurstville. |
Repealed by clause 1.9 of Hurstville LEP 2012. |
|
SEPP No.14 – Coastal Wetlands |
Not applicable to Hurstville. |
-- |
|
SEPP No.15 – Rural Landsharing Communities |
Not applicable to Hurstville. |
-- |
|
SEPP No.19 – Bushland in Urban Areas |
Not applicable to the Planning Proposal. |
The Subject Site is located within the established urban area of Hurstville in the existing Danebank School campus. |
|
SEPP No.21 – Caravan Parks |
Not applicable to the Planning Proposal. |
The proposed rezoning to SP2 Infrastructure (Educational Establishment) will prohibit caravan parks. |
|
SEPP No.26 – Littoral Rainforests |
Not applicable to Hurstville. |
-- |
|
SEPP No.29 – Western Sydney Recreation Area |
Not applicable to Hurstville. |
-- |
|
SEPP No.30 – Intensive Agriculture |
Not applicable to Hurstville |
-- |
|
SEPP No.32 – Urban Consolidation (Redevelopment of Urban Land) |
Not applicable to Planning Proposal. |
The proposed rezoning to SP2 Infrastructure (Educational Establishment) will reflect the current use of the land for school purposes. Residential accommodation will be prohibited under the SP2 zone. The Planning Proposal does not hinder the application of this SEPP. |
|
SEPP No.33 – Hazardous and Offensive Development |
Not applicable to the Planning Proposal. |
The proposed rezoning to SP2 Infrastructure (Education Establishment) will prohibit hazardous and offensive industries on the Subject Site. The existing R2 Low Density Residential zoning also prohibits these land uses. |
|
SEPP No.36 – Manufactured Home Estates |
Not applicable to Hurstville. |
-- |
|
SEPP No.39 – Spit Island Bird Habitat |
Not applicable to Hurstville. |
-- |
|
SEPP No.44 – Koala Habitat Protection |
Not applicable to Hurstville. |
-- |
|
SEPP No.47 – Moore Park Showground |
Not applicable to Hurstville. |
-- |
|
SEPP No.50 – Canal Estate Development |
Not applicable to the Planning Proposal. |
The Planning Proposal does not propose canal estate development. |
|
SEPP No.52 – Farm Dams and Other Works in Land and Water Management Plan Areas |
Not applicable to Hurstville. |
-- |
|
SEPP No.55 – Remediation of Land |
Not applicable to the Planning Proposal. |
Consistent. The Planning Proposal will not hinder the application of this SEPP. |
|
SEPP No.59 – Central Western Sydney Regional Open Space and Residential |
Not applicable to Hurstville. |
-- |
|
SEPP No.62 – Sustainable Aquaculture |
Not applicable to the Planning Proposal. |
Consistent. The Planning Proposal will not hinder the application of this SEPP. |
|
SEPP No.64 – Advertising and Signage |
Not applicable to the Planning Proposal. |
Consistent. The Planning Proposal will not hinder the application of this SEPP. |
|
SEPP No.65 – Design Quality of Residential Apartment Development |
Not applicable to the Planning Proposal. |
The proposed rezoning to SP2 Infrastructure (Educational Establishment) will reflect the current use of the land for school purposes. Residential flat buildings will be prohibited under the SP2 zone. |
|
SEPP No.70 – Affordable Housing (Revised Schemes) |
Not applicable to Hurstville. |
--- |
|
SEPP No.71 – Coastal Protection |
Not applicable to Hurstville. |
-- |
|
SEPP (Affordable Rental Housing) 2009 |
Not applicable to the Planning Proposal. |
The proposed rezoning to SP2 Infrastructure (Educational Establishment) will reflect the current use of the land for school purposes. Residential accommodation will be prohibited under the SP2 zone. |
|
SEPP (Building Sustainability Index: BASIX) 2004 |
Not applicable to the Planning Proposal. |
Any future school development will not be required to comply with the BASIX requirements for residential accommodation. |
|
SEPP (Exempt and Complying Development Codes) 2008 |
Not applicable to the Planning Proposal. |
Not inconsistent. The Planning Proposal does not hinder the application of this SEPP. |
|
SEPP (Housing for Seniors or People with a Disability) 2004 |
Not applicable to the Planning Proposal. |
The proposed rezoning to SP2 Infrastructure (Educational Establishment) will reflect the current use of the land for school purposes. Residential accommodation will be prohibited under the SP2 zone. |
|
SEPP (Infrastructure) 2007 |
Applicable to the Planning Proposal. |
Consistent. The SEPP will apply to all future development on the SP2 Infrastructure zoned land. |
|
SEPP (Kosciuszko National Park – Alpine Resorts) 2007 |
Not applicable to Hurstville. |
-- |
|
SEPP (Kurnell Peninsula) 1989 |
Not applicable to Hurstville. |
-- |
|
SEPP (Major Development) 2005 |
Not applicable to the Planning Proposal. |
Not inconsistent. The Planning Proposal does not hinder the application of this SEPP. |
|
SEPP (Mining, Petroleum Production and Extractive Industries) 2007 |
Not applicable to the Planning Proposal. |
Not inconsistent. The Planning Proposal does not hinder the application of this SEPP. |
|
SEPP (Miscellaneous Consent Provisions) 2007 |
Not applicable to the Planning Proposal. |
Not inconsistent. The Planning Proposal does not hinder the application of this SEPP. |
|
SEPP (Penrith Lakes Scheme) 1989 |
Not applicable to Hurstville. |
-- |
|
SEPP (Rural Lands) 2008 |
Not applicable to Hurstville. |
-- |
|
SEPP (SEPP 53 Transitional Provisions) 2011 |
Not applicable to Hurstville. |
-- |
|
SEPP (State and Regional Development) 2011 |
Not applicable to the Planning Proposal. |
Not inconsistent. The Planning Proposal does not hinder the application of this SEPP. |
|
SEPP (Sydney Drinking Water Catchment) 2011 |
Not applicable to Hurstville. |
-- |
|
SEPP (Sydney Region Growth Centres) 2006 |
Not applicable to Hurstville. |
-- |
|
SEPP (Three Ports) 2013 |
Not applicable to Hurstville. |
-- |
|
SEPP (Urban Renewal) 2010 |
Not applicable to the Planning Proposal. |
Not inconsistent. The Planning Proposal does not hinder the application of this SEPP. |
|
SEPP (Western Sydney Employment Area) 2009 |
Not applicable to Hurstville. |
-- |
|
SEPP (Western Sydney Parklands) 2009 |
Not applicable to Hurstville |
-- |
|
Greater Metropolitan Regional Environmental Plan No.2 – Georges River Catchment (deemed SEPP) |
Not applicable to the Planning Proposal. |
Not inconsistent. The Planning Proposal does not hinder the application of this deemed SEPP. |
Section 117 Ministerial Directions
The following is a list of Directions issues by the Minister for Planning to relevant planning authorities under section 117(2) of the Environmental Planning and Assessment Act, 1979. These directions apply to planning proposals lodged with the Department of Planning and Environment.
|
Direction |
Applicable |
Comment |
|
1. Employment and Resources |
||
|
1.1 Business and Industrial Zones Objectives: (a) Encourage employment growth in suitable locations (b) Protect employment land in business and industrial zones, (c) Support the viability of identified strategic centres. |
Not applicable to the Planning Proposal. |
The Subject Site is not located within a business or industrial zone. |
|
1.2 Rural Zones
|
Not applicable to Hurstville. |
-- |
|
1.3 Mining, Petroleum Production and Extractive Industries Objective: To ensure that the future extraction of State or regionally significant reserves of coal, other minerals, petroleum and extractive materials are not compromised by inappropriate development. |
Not applicable to Planning Proposal. |
The Planning Proposal does not have any effect on mining, petroleum production and extractive industries. |
|
1.4 Oyster Aquaculture Objectives: (a) To ensure that Priority Oyster Aquaculture Areas and oyster aquaculture outside such an area are adequately considered when preparing a planning proposal. (b) To protect Priority Oyster Aquaculture Areas and oyster aquaculture outside such an area from land uses that may result in adverse impacts on water quality and consequently, on the health of oyster and oyster consumers. |
Not applicable to the Planning Proposal. |
The Planning Proposal does not propose a change in land use which could result in adverse impacts on a Priority Oyster Aquaculture Area or an incompatible use of land. |
|
1.5 Rural Lands |
Not applicable to Hurstville. |
-- |
|
2. Environment and Heritage |
||
|
2.1 Environment Protection Zones Objective: To protect and conserve environmentally sensitive areas. |
Not applicable to the Planning Proposal. |
The Subject Site is not located within an environmental protection zone and the Proposal does not impact on environmentally sensitive areas. |
|
2.2 Coastal Protection |
Not applicable to Hurstville. |
-- |
|
2.3 Heritage Conservation Objective: To conserve items, areas, objects and places of environmental heritage significance and indigenous heritage significance. |
Not applicable to the Planning Proposal. |
The Hurstville LEP 2012 contains Standard Instrument LEP provisions to facilitate the heritage conservation. No change to these provisions is proposed. The Subject Site is not a heritage item or located within a heritage conservation area. |
|
2.4 Recreation Vehicle Areas Objective: To protect sensitive land or land with significant conservation values from adverse impacts from recreation vehicles. |
Not applicable to the Planning Proposal. |
The Planning Proposal is not within an environmental protection zone or coastal areas identified in the Direction. |
|
3. Housing, Infrastructure and Urban Development |
||
|
3.1 Residential Zones Objectives: (a) To encourage a variety and choice of housing types to provide for existing and future housing needs (b) To make efficient use of existing infrastructure and services and ensure that new housing has appropriate access to infrastructure and services (c) To minimise the impact of residential development on environment and resource lands. |
Applicable to Planning Proposal. |
The Planning Proposal will result in a very minor reduction in R2 Low Density Residential zoned land. The current and future use of the Subject Site is for an educational establishment. |
|
3.2 Caravan Parks and Manufactured Home Estates Objectives: (a) To provide for a variety of housing types (b) To provide opportunities for caravan parks and manufactured home estates. |
Not applicable to the Planning Proposal. |
The proposed rezoning to SP2 Infrastructure (Educational Establishment) will reflect the current use of the land for school purposes. Caravan parks and manufactured home estates are prohibited under the SP2 zone. |
|
3.3 Home Occupations Objective: To encourage the carrying out of low-impact small businesses in dwelling houses. |
Not applicable to the Planning Proposal. |
The proposed rezoning to SP2 Infrastructure (Educational Establishment) will reflect the current use of the land for school purposes. Dwelling houses (and home occupations) are prohibited under the SP2 zone. |
|
3.4 Integrating Land Use and Transport Objective: To ensure that urban structures, building forms, land use locations, development designs, subdivision and street layouts achieve the following planning objectives: (a) Improving access to housing, jobs and services by walking, cycling and public transport (b) Increasing the choice of available transport and reducing dependence on cars (c) Reducing travel demand including the number of trips generated by development and the distances travelled, especially by car (d) Supporting the efficient and viable operation of public transport services (e) Providing for the efficient movement of freight. |
Not applicable to the Planning Proposal. |
Consistent. The Subject Site is strategically positioned in term of proximity to the Hurstville City Centre and the Hurstville Railway Station and Bus Interchange. The Planning Proposal does not hinder the application of this Direction. |
|
3.5 Development Near Licensed Aerodromes |
Not applicable to Hurstville. |
-- |
|
3.6 Shooting Ranges |
Not applicable to Hurstville. |
-- |
|
4. Hazard and Risk |
||
|
4.1 Acid Sulfate Soils Objective: To avoid significant adverse environmental impacts from the use of land that has a probability of containing acid sulfate soils. |
Not applicable to Planning Proposal. |
The Subject Site is not within an area identified as land having a probability of containing acid sulfate soils. |
|
4.2 Mine Subsidence and Unstable Land
|
Not applicable to Hurstville. |
-- |
|
4.3 Flood Prone Land |
Not applicable to Planning Proposal. |
The Subject Site is not within an area identified as Flood Prone Land. |
|
4.4 Planning for Bushfire Protection |
Not applicable to Planning Proposal. |
The Subject Site is not within a Bushfire Prone Area. |
|
5. Regional Planning |
||
|
5.1 Implementation of Regional Strategies |
Not applicable to Hurstville. |
-- |
|
5.2 Sydney Drinking Water Catchments |
Not applicable to Hurstville. |
-- |
|
5.3 Farmland of State and Regional Significance on the NSW Far North Coast |
Not applicable to Hurstville. |
-- |
|
5.4 Commercial and Retail Development along the Pacific Highway, North Coast |
Not applicable to Hurstville. |
-- |
|
5.5 Revoked |
-- |
-- |
|
5.6 Revoked |
-- |
-- |
|
5.7 Revoked |
-- |
-- |
|
5.8 Second Sydney Airport: Badgerys Creek |
Not applicable to Hurstville. |
-- |
|
5.9 North West Rail Link Corridor Strategy |
Not applicable to Hurstville. |
-- |
|
6. Local Plan Making |
||
|
6.1 Approval and Referral Requirements Objective: To ensure that LEP provisions encourage the efficient and appropriate assessment of development. |
Yes |
The Planning Proposal does not include provisions that require concurrence, consultation or referral of development applications to the Minister or public authority or identify development as designated development. |
|
6.2 Reserving Land for Public Purposes Objective: (a) To facilitate the provision of public services and facilities by reserving land for public purposes, and (b) To facilitate the removal of reservations of land for public purposes where the land is no longer required for acquisition. |
Yes |
Consistent. The Planning Proposal does not hinder the application of this Direction. No lands are proposed to be reserved for Public Purposes through the Planning Proposal. |
|
6.3 Site Specific Provisions Objective: To discourage unnecessary restrictive site specific planning controls. |
Not applicable to Planning Proposal. |
No site specific provisions are proposed. |
|
7. Metropolitan Planning |
||
|
7.1 Implementation of A Plan for Growing Sydney Objective: To give legal effect to the planning principles, directions and priorities for subregions, strategic centres and transport gateways contained in A Plan for Growing Sydney. |
Yes |
The Planning Proposal is not inconsistent with the NSW Government’s A Plan for Growing Sydney (December 2014). |
|
7.2 Implementation of Greater Macarthur Land Release Investigation |
Not applicable to Hurstville. |
-- |
CCL055-16 25 St Georges Rd Penshurst - Construction of a Community Centre - 3 Bridges Community Organisation
|
Applicant |
Robert Lee Architects Pty Ltd |
|
Proposal |
Construction of a new community centre as part of the 3 Bridges Community Organisation |
|
Owners |
Hurstville City Council |
|
Report Author/s |
Independent Assessment, Consultant Planner |
|
File |
DA2015/0085 |
|
Previous Reports Referenced |
No |
|
Disclosure of Political Donations or Gifts |
No |
|
Zoning |
Zone RE1 - Public Recreation |
|
Existing Development |
Brick shed and children’s park/garden area with artificial turf |
|
Cost of Development |
$600,000.00 |
|
Reason for Referral to Council |
Council is the land owner |
|
Planning Instruments Applicable |
Hurstville Local Environmental Plan 2012, Greater Metropolitan Regional Environmental Plan No 2 - Georges River Catchment, State Environmental Planning Policy No 55 - Remediation of Land, Development Control Plan No 1 - LGA Wide |
|
Hurstville Local Environment Plan Interpretation of Use |
Community Facility |
EXECUTIVE SUMMARY
1. The proposal seeks to construct a community centre building to be used in conjunction with the existing community centre currently operated by 3 Bridges Community Organisation (formerly Pole Depot Community Centre).
2. The site is currently occupied by a brick shed and a small children’s park and garden area with artificial turf including a number of trees. The park is not used due to the recent construction of a play area in the park fronting Forest Road.
3. Amended plans were received following some concerns relating to the proposal and the drainage in the area, which have since been resolved or can be resolved using conditions of development consent.
4. The proposal generally complies with Hurstville Local Environmental Plan 2012 and Hurstville Development Control Plan No 1 subject to conditions of consent.
5. One (1) submission was received which was for an incorrect proposal and is therefore not addressed in the report.
6. As the Council is the owner of the site, the application was assessed by independent consultant - Lisa Wrightson of Barker Ryan Stewart.
|
THAT the application be approved in accordance with the conditions included in the report. |
REPORT DETAIL
DESCRIPTION OF THE PROPOSAL
The application seeks approval for the removal of the existing playground and construction of a new community centre as part of the 3 Bridges Community Organisation.
The development would include a community area that could be divided into two (2) spaces, office, storage, kitchen, and associated amenities. The building is mainly single storey with a small second storey section on the south eastern side of the building for an attic storage area.
The building is proposed to be constructed from brick with corrugated iron roofing.
It is not intended to increase the use of the community centre buildings, but to use this space to provide increased space and more facilities to make better use of the centre. The application will not change the hours or numbers of community groups using the centre.
The playground has been replaced recently by a larger more modern play area in the reserve fronting Forest Road.
HISTORY
The existing community centre was previously used as St George County Council Pole Depot and was converted to a community centre over thirty (30) years ago, when the building became surplus to the County Council needs. The site of the proposed community centre was originally a single dwelling which was demolished and replaced by a park and play equipment, most likely during a similar time.
The original Development Application proposed the same building, however this was proposed to be built over a drainage easement, which was not supported by Council’s drainage and stormwater section. Subsequently an amended application was submitted which proposed to move the building closer to St Georges Road, which is the subject of this report.
DESCRIPTION OF THE SITE AND LOCALITY
The site is a rectangular shaped site with a frontage of approximately 11.6m to St Georges Road and an area of 465.7sqm. The site is located on the western side of the street. Existing on the site is a children’s playground, garden area and a small brick shed.
Adjoining the site to the north is a mosque, to the west is the existing community centre building, to the north west the new playground and park area fronting Forest Road, to the south a Council car park, park and residential flat building, and to the east across St Georges Road, residential development of various densities. The area is generally residential in character.
COMPLIANCE AND ASSESSMENT
The development has been inspected and assessed under the relevant Section 79C(1) "Matters for Consideration" of the Environmental Planning and Assessment Act 1979.
1. Environmental Planning Instruments
HURSTVILLE LOCAL ENVIRONMENTAL PLAN 2012
The Hurstville Local Environmental Plan 2012 applies to the site.
The land is zoned RE1 - Public Recreation zone and community facilities are a permissible use with development consent in the zone. The proposal meets the zone objectives by providing additional space for public use which is compatible with the other nearby and adjoining public and community uses.
Clause 4.3 Height of Buildings
The Hurstville Local Environmental Plan does not detail the maximum building height within the subject site.
Regardless, the proposal is mainly single storey with a small area of second storey which is lower and generally consistent with nearby two (2) - three (3) storey development.
Clause 4.4 Floor Space Ratio
The Hurstville Local Environmental Plan does not apply a maximum floor space ratio (FSR) to the subject site.
The increase in floor space for the site creates an FSR of approximately 0.49:1, which is less than that of the surrounding development of 1.0:1.
Clause 5.9 Preservation of Trees or Vegetation
The development proposes to remove a number of trees on the site. Council’s Tree Management Officer has not objected to the removal and has imposed appropriate conditions of development consent.
Clause 5.10 Heritage Conservation
The site is not identified as having any items of heritage significance, is not located in a heritage conservation zone and is not adjacent to any items of heritage significance.
Clause 6.1 Acid Sulfate Soils
The site is not identified as having acid sulfate soils. Therefore this clause is not applicable.
Clause 6.7 Essential Services
All the essential services are currently available to the adjoining site so there should be not issues with providing them to this site.
GREATER METROPOLITAN REGIONAL ENVIRONMENTAL PLAN NO 2 – GEORGES RIVER CATCHMENT
The site is within the area affected by the Greater Metropolitan Regional Environmental Plan No 2 – Georges River Catchment. The proposal, including the disposal of stormwater, is consistent with Council’s requirements for the disposal of stormwater in the catchment. There is an existing stormwater easement through the site.
Appropriate conditions of development consent have been applied to ensure stormwater will be managed appropriately.
STATE ENVIRONMENTAL PLANNING POLICY NO 55 – REMEDIATION OF LAND
The subject site is zoned RE1 Public recreation and, given the types of uses of the site, being residential dwelling and children, playground, it is considered unlikely that the land is contaminated.
2. Draft Environmental Planning Instruments
There are no draft environmental planning instruments applicable for this application.
Any other matters prescribed by the Regulations
The Regulations prescribe the following matters for consideration for development in the Hurstville Council area:
Demolition
Safety standards for demolition and compliance with AS 2601 - 2001 apply to the demolition of any buildings affected by the proposal.
3. Development Control Plans
DEVELOPMENT CONTROL PLAN NO 1 - LGA WIDE
The Hurstville Development Control Plan 1 - LGA Wide applies to the site. The relevant sections of the Development Control Plan are considered below.
|
DCP Control |
Comment |
Complies |
|
3.1 Car Parking |
The existing community centre uses a mix of an informal parking and a Council formal car park accessed off St Georges Road. The proposed centre will not increase numbers for the centre but has provided an additional three (3) formal spaces to assist with parking provision. There are no specific parking provisions for community centres and Council’s Traffic section has raised no objection to the proposal and the allocated spaces, so long as they are designed to meet Australian Standards. A condition of development consent has been included in this regard. |
Yes |
|
3.3 Access and Mobility |
As the building is part of a community centre, access must be provided for all persons, including those with a disability. Appropriate ramps, facilities and parking have generally been provided in accordance with the DCP controls. Where any potential for non-compliance, a condition of consent has been included to ensure appropriate access and facilities are provided in accordance with relevant legislation and Australian Standards. |
Yes |
|
3.4 Crime Prevention through Environmental Design |
The proposal is an additional building to be used in conjunction with an existing community centre. The use of the facility provides activation to the area and an opportunity for additional natural surveillance of the nearby parks and other public areas. The development is generally in accordance with the DCP controls. Appropriate lighting will be conditioned to be provided for the centre and car parking areas to ensure they are well lit. |
Yes |
|
3.5 Energy Efficiency |
All works should comply with Part J of the Building Code of Australia. Energy efficient appliances and fittings are recommended for use. |
Yes |
|
3.7 Drainage and On-Site Detention Requirements |
The original proposal was amended to provide a better outcome for the site and surrounding properties in relation to drainage and stormwater. Further additional conditions of consent have been included based on advice from Council’s Development Engineer. |
Yes (subject to conditions) |
|
3.9 Waste Management |
The proposal included details for waste management in accordance with the DCP. It is not anticipated that the actual waste output will significantly increase during the operation as the number of people using the facility is not changing. Therefore appropriate conditions of consent have been applied to ensure waste is managed appropriately during demolition, construction and operation. |
Yes |
|
3.11 Preservation of Trees and Vegetation |
Some trees are proposed to be removed, however no objection was raised by Councils Tree Management Officer. Appropriate conditions have been applied in this regard. |
Yes |
|
3.12 Building Heights and Indicative Storeys |
No height controls are included in the DCP for the RE1 zone. The proposal is generally in accordance with existing development in the area. |
Yes |
4. Impacts
Natural Environment
The proposal involves the removal of a number of trees from the site; no objection has been raised by the Council’s Tree Management Officer. The removal of the trees will not have a significant impact on biodiversity or natural environment in the area.
Flooding and drainage has been considered on the site and the building has been designed appropriately. Further conditions of consent will be applied to ensure the final development will not have an adverse impact on downstream properties.
Built Environment
The proposed development will provide an additional element in the streetscape of St Georges Road. The building will form part of a community precinct that includes a child care centre, park, playground, existing community centre and car park. The building will have a positive impact on the streetscape as it will activate an area which has not been used for some time.
The proposed building will not overshadow or affect the privacy of any adjoining residential development. There is sufficient separation so as to not have any adverse noise or visual impacts.
Social Impact
The proposal will provide additional space for the community centre which is a much needed part of the area. It will allow the existing users of the facility more and permanent space to undertake their activities.
The proposed community centre will have a positive impact for the community.
Economic Impact
The facility is being provided as part of a grant and will provide important community space as part of an existing centre.
Some employment will be generated during the construction process.
Suitability of the Site
The site is generally flat and is suitable for the proposed development.
As mentioned above the site is flood affected due to its location within a drainage area. Appropriate design and conditions of development consent will ensure that there is no significant downstream impact from the proposed development.
5. REFERRALS, SUBMISSIONS AND THE PUBLIC INTEREST
Resident
Approximately two hundred and thirty four (234) adjoining residents were notified by letter and given fourteen (14) days in which to view the plans and submit any comments on the proposal. One (1) submission was received, however it related to a different development proposal on a different allotment of land.
Council Referrals
Referrals were received from the following sections of Council.
Tree Management Officer
The development was reviewed by Council’s Tree Management Officer. No objections were raised. A number of conditions were provided for the development.
Senior Environmental Health Officer
The development was reviewed by Council’s Senior Environmental Health Officer food, health and environmental concerns. No objections were raised. A number of conditions were provided for the development to ensure compliance with health and environmental policies.
Manager Environmental Services
The development was reviewed by Council’s Manager Environmental Services in relation to waste generation and disposal. No objections were raised. A number of conditions were provided for the development.
Senior Traffic Engineer
The development was reviewed by Council’s Senior Traffic Engineer in relation to car parking and traffic generation. No objections were raised. A number of conditions were provided for the development.
Development Engineer
The development was reviewed by Council’s Development Engineer in relation to stormwater and drainage. Following additional information provided by the applicant no objections were raised to the development. However, a number of conditions have been provided for the development to ensure there are no adverse impacts on downstream properties from the development.
Senior Environmental Health and Building Surveyor
The development was reviewed by Council’s Senior Environmental Health and Building Surveyor in relation to access, fire and general building compliance. No objections were raised. However, a number of conditions were provided for the development.
External Referrals
No external referrals were required.
6. CONCLUSION
The proposed additional building for the community centre is considered appropriate under the Hurstville Local Environmental Plan 2012 and Development Control Plan No 1 and has been recommended for approval subject to appropriate conditions of development consent.
DETERMINATION
THAT pursuant to Section 80(1)(a) of the Environmental Planning and Assessment Act, 1979, as amended, the Council, grants development consent to Development Application DA2015/0085 for the construction of a new building for the community centre on Lot 4 DP 14475 and known as 25 St Georges Road, Penshurst, subject to the attached conditions:
Schedule A – Site Specific Conditions
GENERAL CONDITIONS
These conditions have been imposed to ensure that the development is carried out in accordance with the approved plans and to ensure that the appropriate fees and bonds are paid in relation to the development.
1. GEN1001 - Approved Plans - The development must be implemented in accordance with the approved plans and supporting documentation listed below which have been endorsed by Council’s approved stamp, except where marked up on the plans and/or amended by conditions of this consent:
|
Reference No. |
Date |
Description |
Revision |
Prepared by |
|
DA-1B |
December 2015 |
Proposed Site Plan |
B |
Robert Lee Architects Pty Ltd |
|
DA-2B |
December 2015 |
Proposed Site Plan and Proposed Ground Floor Plan |
B |
Robert Lee Architects Pty Ltd |
|
DA-3B |
December 2015 |
Proposed Attic Floor Plan and Roof Plan |
B |
Robert Lee Architects Pty Ltd |
|
DA-4B |
December 2015 |
Proposed A-A, B-B Section and North West Elevation |
B |
Robert Lee Architects Pty Ltd |
|
DA-5B |
December 2015 |
Proposed South East, North East and South West Elevations |
B |
Robert Lee Architects Pty Ltd |
2. GEN1002 - Fees to be paid - The fees listed in the table below must be paid in accordance with the conditions of this consent and Council’s adopted Fees and Charges applicable at the time of payment.
Payments must be made prior to the issue of the Construction Certificate or prior to the commencement of work (if there is no associated Construction Certificate).
Form of payment for transactions $500,000 or over - Council will only accept Bank Cheque or Electronic Funds Transfer (EFT) for transaction values of $500,000 or over. Council must be contacted prior to payment to determine correct total amount to be paid and bank account details (if applicable)
(a) Fees to be paid:
Fee types, bonds and contributions
|
Fee Type |
|
Long Service Levy (to Long Service Corporation) |
|
Builders Damage Deposit |
|
Inspection Fee for Refund of Damage Deposit |
The following fees apply where you appoint Council as your Principal Certifying Authority (PCA). (If you appoint a private PCA, separate fees will apply)
|
PCA Services Fee |
$1,680.00 |
|
Construction Certificate Application Fee |
$1,680.00 |
|
Construction Certificate Imaging Fee |
$138.00 |
Fees and charges above are subject to change and are as set out in the version of Council's Schedule of Fees and Charges or as required by other Government Authorities, applicable at the time of payment.
3. GEN1014 - Long service Levy - Submit evidence of payment of the Building and Construction Industry Long Service Leave Levy to the Principal Certifying Authority. Note this amount is based on the cost quoted in the Development Application, and same may increase with any variation to estimated cost which arises with the Construction Certificate application. To find out the amount payable go to www.lspc.nsw.gov.au or call 131441. Evidence of the payment of this levy must be submitted with the Construction Certificate application.
4. GEN1015 - Damage Deposit – Minor Works - In order to insure against damage to Council property the following is required:
(a) Payment to Council of a damage deposit for the cost of making good any damage caused to any Council property as a result of the development: $1,500.00.
(b) Payment to Council of a non-refundable inspection fee to enable assessment of any damage and repairs where required: $180.00.
(c) At the completion of work Council will inspect the public works, and the damage deposit will be refunded in full upon completion of work where no damage occurs. Otherwise the amount will be either forfeited or partly refunded according to the amount of damage.
(d) Prior to the commencement of work a photographic record of the condition of the Council nature strip, footpath and driveway crossing, or any area likely to be affected by the proposal, shall be submitted to Council
(e) Payments pursuant to this condition are required to be made to Council before the issue of the Construction Certificate.
SEPARATE APPROVALS UNDER OTHER LEGISLATION
These conditions have been imposed to ensure that the applicant is aware of any separate approvals required under other legislation, for example: approvals required under the Local Government Act 1993 or the Roads Act 1993.
5. APR6001 - Engineering - Section 138 Roads Act and Section 68 Local Government Act 1993
Unless otherwise specified by a condition of this consent, this Development Consent does not give any approval to undertake works on public infrastructure.
A separate approval is required to be lodged and approved under Section 138 of the Roads Act 1993 and/or Section 68 of the Local Government Act 1993 for any of the following activities carried out in, on or over a public road (including the footpath):
(a) Placing or storing materials or equipment;
(b) Placing or storing waste containers or skip bins;
(c) Erecting a structure or carrying out work
(d) Swinging or hoisting goods over any part of a public road by means of a lift, crane or the like;
(e) Pumping concrete from a public road;
(f) Pumping water from the site into the public road;
(g) Constructing a vehicular crossing or footpath;
(h) Establishing a “works zone”;
(i) Digging up or disturbing the surface of a public road (e.g. Opening the road for the purpose of connections to utility providers);
(j) Stormwater & ancillary works in the road reserve; and
(k) Stormwater & ancillary to public infrastructure on private land
(l) If any excavation is to be supported by the use of below ground (cable) anchors that are constructed under Council’s roadways/footways.
These separate activity approvals must be obtained and evidence of the approval provided to the Certifying Authority prior to the issue of the Construction Certificate.
The relevant Application Forms for these activities can be downloaded from Hurstville City Council’s website www.hurstville.nsw.gov.au/Forms. For further information, please contact Council’s Customer Service Centre on (02)9330 6222.
6. APR6002 - Engineering - Vehicular Crossing - Minor Development - Constructing a vehicular crossing and/or footpath requires a separate approval under Section 138 of the Roads Act 1993 prior to the issue of the Construction Certificate.
To apply for approval, complete the Driveway Crossing on Council Road Reserve Application Form which can be downloaded from Hurstville Council’s Website at www.hurstville.nsw.gov.au/Forms. Lodge the application form, together with the associated fees at Council’s Customer Service Centre, during business hours. Refer to Section P1 and P2, in Council’s adopted Fees and Charges for the administrative and inspection charges associated with Vehicular Crossing applications.
Please note, that an approval for a new or modified vehicular crossing will contain the approved access and/or alignment levels which will be required to construct the crossing and/or footpath. Once approved, all work shall be carried out by a private contractor in accordance with Council’s Specification for Vehicular Crossings and Associated Works prior to the issue of the Occupation Certificate.
7. APR6005 - Engineering - These conditions have been imposed to ensure that the applicant is aware that separate approvals are required under other legislation.
The organisation with the benefit of the consent must:
Either,
(i) Submit to Council a Drainage Application under Section 68 of the Local Government Act 1993,and Section 138 of the Roads Act 1993 for approval by Council, and construction by the recipient of the consent (at full cost to the beneficiary of the determination), for the upgrade of the trunk drainage system between the upstream side of the existing community building and an appropriate location downstream of that building for installation at full cost to that organisation;
Or,
(ii) Improve the Overland Flow path to a suitable width between the existing, and proposed community buildings by the removal of buildings;
Or,
(iii) A combination of (i) and (ii),
to achieve a flood hazard level of 0.4m2/s (max.) on the south eastern side of the existing and proposed community buildings, with confirmation provided in the form of an amended Flood Assessment Report.
REQUIREMENTS OF OTHER GOVERNMENT AGENCIES
These conditions have been imposed by other NSW Government agencies either through their role as referral bodies, concurrence authorities or by issuing General Terms of Approval under the Integrated provisions of the Environmental Planning and Assessment Act 1979.
8. GOV1006 - Sydney Water – Trade Waste Agreements - A Trade Waste Agreement with Sydney Water may be required. Details of any work required to comply with the agreement must be detailed on the plans lodged with the Construction Certificate. If no trade waste agreement or grease trap is required, a letter from Sydney Water to this effect must be submitted with the application for the Construction Certificate.
PRIOR TO THE ISSUE OF THE CONSTRUCTION CERTIFICATE
These conditions either require modification to the development proposal or further investigation/information prior to the issue of the Construction Certificate to ensure that there is no adverse impact.
9. CC2001 - Development Assessment - Erosion & Sedimentation Control - Erosion and sediment controls must be provided to ensure:
(a) Compliance with the approved Erosion & Sediment Control Plan
(b) Removal or disturbance of vegetation and top soil is confined to within 3m of the approved building area (no trees to be removed without approval)
(c) all clan water run-off is diverted around cleared or exposed areas
(d) silt fences, stabilised entry/exit points or other devices are installed to prevent sediment from entering drainage systems or waterways
(e) all erosion and sediment controls are fully maintained for the duration of demolition, excavation and/or development works
(f) controls are put into place to prevent tracking of sediment by vehicles onto adjoining roadway
(g) all disturbed areas are rendered erosion-resistant by turfing, mulching, paving or similar
(h) Compliance with Managing Urban Stormwater – Soils and Construction (Blue Book) produced by Landcom 2004.
These measures are to be implemented before the commencement of work (including demolition and excavation) and must remain until the issue of the occupation certificate.
10. CC2002 - Development Assessment - Site Management Plan – Minor Development - A Site Management Plan detailing all weather access control points, sedimentation controls, fencing, builder’s site sheds office, amenities, materials storage and unloading arrangements must be submitted with the application for the Construction Certificate.
11. CC2004 - Development Assessment - Design Changes - The following design changes are required and are to be incorporated into the plans to be lodged with the Construction Certificate application.
(a) The submitted Architectural Plans shall be amended to incorporate steps with open risers, a suspended floor and deck, and continuous open wall design below the underside of floor sub-structure for the full length of the north western, south eastern and south western elevations to permit unimpeded overland flow from a 1:100yr ARI storm event.
These design changes are to be incorporated into the Detailed Hydraulic Plans submitted for approval with the Construction Certificate Application.
12. CC2008 - Development Assessment – Landscape Plan - A detailed landscape plan, drawn to scale, by a qualified landscape architect or landscape designer, must be submitted prior to the issue of the Construction Certificate. The plan must include:
(i) Location of existing and proposed structures on the site including existing trees (if applicable);
(ii) Details of earthworks including mounding and retaining walls and planter boxes (if applicable);
(iii) Location, numbers and type of plant species;
(iv) Details of planting procedure and maintenance;
(v) Details of drainage and watering systems.
13. CC2024 - Development Assessment – Design – Encroachment of structures - No part of any structure (including gutters and eaves) may encroach or overhang any property boundary.
14. CC3001 - Development Engineering - Stormwater System -
|
Reference No. |
Date |
Description |
Revision |
Prepared by |
|
DA-8B |
February 2016 |
Concept Stormwater Plan |
B |
Robert Lee Architects Pty Ltd |
The above submitted stormwater plan has been assessed as a concept plan only and no detailed assessment of the design has been undertaken.
All stormwater shall drain by gravity to the upper level of Council’s surface inlet pit, located in an easement to drain water on the subject development site in accordance with the Australian/New Zealand Standard AS/NZS 3500.3: 2003 (as amended).
15. CC3004 - Development Engineering - Stormwater Drainage Plans (By Engineer Referral Only) - The submitted stormwater plan has been assessed as a concept plan only and no detailed assessment of the design has been undertaken.
Stormwater drainage plans including pipe sizes, type, grade, length, invert levels, dimensions and types of drainage pits prepared by a qualified practising hydraulics engineer (with details of qualifications being provided) in accordance with the Australian Institute of Engineers Australian Rainfall and Runoff (1987) and Council's Stormwater Drainage Guidelines, shall accompany the application for the Construction Certificate.
16. CC3005 - Development Engineering - On Site Detention - The submitted stormwater plan has been assessed as a concept plan only and no detailed assessment of the design has been undertaken.
An on-site detention (OSD) facility designed by a professional hydrological/hydraulic engineer, shall be installed. The design must include the computations of the inlet and outlet hydrographs and stage/storage relationships of the proposed OSD using the following design parameters:
(a) Peak flow rates from the site are to be restricted to a permissible site discharge (PSD) equivalent to the discharge when assuming the site contained a single dwelling, garage, lawn and garden, at Annual Recurrence Intervals of 2 years and 100 years.
Refer to Flow Controls in Council's Draft/Adopted Stormwater Drainage Policy.
(b) The OSD facility shall be designed to meet all legislated safety requirements and childproof safety fencing around the facility must be provided where the OSD facility is open or above ground when the design peak storage depth is greater than 300mm. A durable metal plate or similar sign is to be placed at the OSD facility and must bear the words:
This is an on-site detention basin/tank and is subject to possible surface overflow during heavy storms."
Full details shall accompany the application for the Construction Certificate.
17. CC3008 - Development Engineering – Stormwater Overland Flow -
(i) A design which provides for a depression over the full width and length of the drainage easement/overland flow path to provide a stormwater escape route shall be submitted. The escape route shall be designed to have the capacity to carry the difference between a 1 in 100 year recurrence interval flow and half the flow in the design pipeline within the easement. This design is to include any openings in existing or proposed fencing on the site to accommodate the overland flow.
(ii) The flood hazard level is to be reduced to 0.4m2/s (max.) immediately upstream of the Existing and Proposed Community Buildings.
Evidence from an appropriately qualified person that design requirement (i) has been met, and an amended Flood Assessment Report provided to confirm (ii) has been achieved as well as certification given that overland flow meets the guidelines of the "Floodplain Development Manual the management of flood liable land, 2005”, shall accompany the application for the Construction Certificate.
18. CC3009 - Development Engineering – Submitted Flood Study - The development shall be designed to conform to the recommendations and conclusions of the submitted flood study prepared by WMA Water dated 21 December 2016.
This shall include, but not be limited to, any recommendations for the following:
(a) Either,
(i) A minimum floor level of RL51.2m AHD – based on a 1:100yr ARI storm event, and subject to the development not being used as a child care centre,
Or,
(ii) A minimum floor level of RL52.4mAHD for use as a child care centre – based on a Probable Maximum Flood storm event, in which case an Evacuation Plan is to be provided by the Author of the Flood Study.
(b) Fencing
(c) Site regrading
(d) Overland flow path construction
(e) A Registered Structural Engineer providing Certification that the building can withstand forces applied by flood waters, including that from debris and buoyancy.
The Proposed Community Building is to incorporate continuous open building walls below the floor sub-structure and perimeter Deck/footpath to facilitate the free flow of overland flow under the building for the design storm event.
Evidence from an appropriately qualified person that all design requirements have been adhered to shall be submitted with the Construction Certificate application.
19. CC3010 - Development Engineering – Support for Easement Pipes
(a) All footings within 2.0 metres of the drainage easement shall be designed in such a manner that they are supported by foundations set at a minimum of 300mm below pipe invert levels or founded on sound rock.
(b) Alternatively the footings of the building or any structure shall be designed not to affect the zone of influence taken from the invert of any pipe.
(c) The walls of any dwelling, pool or structure adjoining the easement shall be designed to withstand all forces should the easement be excavated to existing pipe invert levels.
(d) No building or other structure must be placed over the drainage easement or stormwater system or within the zone of influence taken from the invert of any pipe.
Evidence from an appropriately qualified person that this design requirement has been met shall accompany the application for the Construction Certificate.
20. CC4003 - Health - Regulated Systems – Details & Fit out - Details of the regulated system must be submitted to the Principal Certifying Authority. Such details must demonstrate compliance with the following:
· Public Health Act 2010 (as amended)
· Public Health Regulation 2012 (as amended)
· AS/NZS 3666.1:2002Air-handling and water systems of buildings-Microbial control-Design, installation and commissioning (as amended)
21. CC4007 - Health - Acoustic Certification – Rooftop Mechanical Equipment - The Construction Certificate plans must be accompanied by a certificate from a professional acoustic engineer certifying that noise from the operation of mechanical plant and equipment will not give rise to offensive noise as defined under the provision of the Protection of the Environment Operations Act 1997 (as amended) and will comply with the noise intrusion criteria as defined under the NSW Industrial Noise Policy published by the Environment Protection Authority. If sound attenuation is required, this must be detailed on the plans lodged with the Construction Certificate.
22. CC4019 - Health - Food Premises – Plans & Specifications - Details of the construction and fit out of food premises must be submitted to Council’s Environmental Health Officer. The plans and specifications must demonstrate compliance with the:
· Food Act 2003 (as amended),
· Food Regulation 2010 (as amended);
· Food Standards Code as published by Food Standards Australia;
· New Zealand and Australian Standard AS4674:2004 Design, Construction and fit out of food premises (as amended);
· Sydney Water – Trade Waste Section
Council’s Environmental Health Officers must advise in writing that the plans and specification are considered satisfactory prior to the issue of any Construction Certificate.
23. CC4022 - Health - Food Premises – Waste Facility - Details of the construction and fit out of the waste facility of the food premises must be submitted to Council’s Environmental Health Officers for approval. Such details must demonstrate compliance with the Food Act 2003 (as amended), Food Regulation 2010 (as amended); the Food Standards Code as published by Food Standards Australia and New Zealand and Australian Standard AS 4674:2004 Design, construction and fit out of food premises (as amended.) and must be:
(a) provided with a hose tap connected to the water supply;
(b) paved with impervious floor materials;
(c) coved at the intersection of the floor and the walls;
(d) graded and drained to a waste disposal system in accordance with the requirements of the relevant regulatory authority (Sydney Water);
(e) adequately ventilated (mechanically or naturally) so that odour emissions do not cause offensive odour as defined by the Protection of the Environment Operations Act 1997;
(f) fitted with appropriate interventions to meet fire safety standards in accordance with the Building Code of Australia.
Council’s Environmental Health Officers must advise in writing that the plans and specification are considered satisfactory prior to the issue of any Construction Certificate.
24. CC4023 - Health - Food Premises – Above Ground Grease Trap - Bunding - The above ground grease trap must be located in a bunded area. The ‘size of the area’ is to be bunded and shall be calculated as follows as a minimum:
· 110% of the volume of the above ground grease trap tank.
The bund is to be constructed of a material, which is impervious to the liquid being stored. All pipework from the enclosed tanks and/or pumps shall be directed over the bund wall and not through it. Hose couplings for the tanks enclosed within the bund shall be placed in such a position that leaks or spillages are contained within the bund. The bunded area shall be roofed.
After completion, the bund shall be maintained in such a condition, that all spillages or leaks will be retained within the bund, until disposed of by means that do not pollute waters. Details of the above ground grease trap and bunding details must be included with the application for the Construction Certificate.
25. CC5003 - Trees - Tree Removal and Replacement - Private Land - Permission is granted for the removal of the following trees:
(a) One (1) Grevillea robusta (Silky oak)
(b) Six (6) Melaleuca bracteata cv (Black tea tree)
(c) Two (2) Sapium sebiferum (Chinese Tallow)
(d) One (1) Lophostemon confertus (Brush box)
(e) Two (2) Callistemon viminalis (Bottle bush)
as shown on Drawing Number S-22527-1 prepared by Kevin Brown and Associates Pty Ltd dated 20-11-1012.
Twelve (12) plants selected from the list of suitable species in the Hurstville City Council’s Tree Removal and Pruning Guidelines must be replanted within the insert front/rear yard of the subject site. Trees are to be replanted a minimum of 3m away from any driveway, building or structure.
The selected trees shall have a minimum pot size of 15 litres. A copy of Hurstville Council’s Tree Removal and Pruning Guidelines, can be downloaded from Council’s website www.hurstville.nsw/Residents/Tree-Management.
26. CC5004 - Trees - Tree Removal & Replacement - Public Land - Permission is granted for the removal of the following trees located on Councils public footpath:
(a) One (1) Lophostemon confertus (Brush box) located in the footpath located front of the site on St Georges Road Penshurst
This is work is to be undertaken at the applicant's expense. Please refer to Section O1 in Council's adopted Schedule of Fees and Charges for the administration and replacement tree fees which apply to this work.
|
Fee Type |
Fee Type |
Amount |
|
Administration Fee for Tree Removal |
RC83 |
$150.00 |
|
Replacement Tree Fee (per Tree) |
RC83 |
$125.00 |
Fees and charges above are subject to change and are as set out in the version of Council's Schedule of Fees and Charges or as required by other Government Authorities, applicable at the time of payment.
The fees must be paid to Council prior to the issue of the Construction Certificate and evidence of payment must be provided to the Principal Certifying Authority.
All private contractors must have a minimum of $10 million dollars public liability insurance. Prior to the commencement of any work, the form entitled Application for the Removal of a tree by private contractor on public footpath accompanied by evidence of the Public Liability Insurance must be lodged with Hurstville City Council Tree Services Division.
27. CC5002 - Trees - Tree Protection and Retention - The following trees shall be retained and protected:
All tree not specifically identified on the approved plans for removal are to be retained.
All trees to be retained shall be protected and maintained during demolition, excavation and construction of the site. The tree protection measures must be in undertaken in accordance AS4970-2009 Protection of trees on development sites. Details of the tree protection measures to be implemented must be provided with the application for a Construction Certificate by a suitably qualified Arborist (AQF Level 4 or above in Arboriculture) and must be retained thorough all stages of construction.
28. CC6004 - Engineering – Traffic Management – Compliance with AS2890 - All driveways, access ramps, vehicular crossings and car parking spaces shall be designed and constructed in accordance with the current version of Australian Standards, AS 2890.1 (for car parking facilities) and AS 2890.2 (for commercial vehicle facilities). Details of design shall be submitted with the Construction Certificate application.
29. CC7002 - Building – Fire Safety Measures - Prior to the issue of a construction certificate a list of the essential fire safety measures that are to be provided in relation to the land and any building on the land as a consequence of the building work must accompany an application for a construction certificate, which is required to be submitted to either Council or a Certifying Authority. Such list must also specify the minimum standard of performance for each essential fire safety measure included in the list. The Council or Certifying Authority will then issue a Fire Safety Schedule for the building.
30. CC7004 - Building – Structural details - Structural plans and specifications prepared and endorsed by a suitably qualified practising structural engineer who holds the applicable Certificate of Accreditation as required under the Building Professionals Act 2005 shall be submitted along with the Construction Certificate application to the Certifying Authority for any of the following, as required by the building design:
(a) piers
(b) footings
(c) slabs
(d) columns
(e) structural steel
(f) reinforced building elements
(g) swimming pool design
(h) retaining walls
(i) stabilizing works
(j) structural framework
31. CC7008 - Building – Access for Persons with a Disability - Access and sanitary facilities for persons with disabilities must be must be provided to the Building in accordance with the requirements of the Building Code of Australia, AS 1428.1-2009, the Premises Standard. Details must be submitted with the Construction Certificate Application.
32. CC7016 - Building - Partial conformity with the BCA – Clause 93 and 94 EP& A Regulation 2000 - Pursuant to Clause 94 the Environmental Planning and Assessment Regulation 2000, the existing adjoining building must be brought into partial conformity with the Building Code of Australia in respect to the provisions of:
a) Protection to existing window and other openings in the existing building (community centre) on the site that stands less than 6m from the new building/fire source feature - Section C.
b) Fire separation between the existing building (community centre) on site and the new community centre- Section C
c) Discharge from exits and protection to egress paths from the existing building (community centre). - Section D.
d) Disabled access to the existing building (community centre) must be provided and detailed on plan- Section D.
In this regard, detailed construction plans and specifications that demonstrate compliance with the above requirements of the BCA must be submitted to the Principal Certifying Authority with the Construction Certificate Application. Should there be any non-compliance, an alternative method of fire protection and structural capacity must be submitted, with all supporting documents prepared by a suitably qualified person.
In the event that full compliance with the BCA cannot be achieved and the services of a fire engineer are obtained to determine an alternative method of compliance with the BCA, such report must be submitted to and endorsed by Council prior to issue of the Construction Certificate application.
33. CC8001 - Waste – Waste Management Plan - A Waste Management Plan incorporating all requirements in respect of the provision of waste storage facilities, removal of all materials from the site that are the result of site, clearing, extraction, and, or demolition works and the designated Waste Management Facility shall be submitted to the Principal Certifying Authority and copy provided to the Manager - Environmental Services, Hurstville City Council prior to the issue of any Construction Certificate.
34. CC8006 - Waste –Waste Storage Containers – Commercial/Industrial - Appropriate waste and recycling containers and facilities will need to be provided for all specific end use businesses in accordance with the following waste generation rates:-
(a) Retail Trading – shops, to 100 square metres - 0.1-0.2 cubic metres per 100 square metres of floor area per day;
(b) Restaurants and Food Shops – 0.3-0.6 square metres per 100 meals, plus up to 0.15 cubic metres of beverage containers per 100 meals; and,
(c) Office – 0.01-0.03 cubic metres per 100 square metres of floor area per day.
All waste and recycling containers shall be stored in an approved waste storage area that is large enough to store the required number of bins, appropriate for the number of units and intended uses of the building, and is to be located in an area of the building that can be adequately serviced by waste collection vehicles.
If the Waste Storage Area is located in a part of the building that cannot be easily accessed by service providers, it will be the responsibility of the Owners Corporation to present the bins for collection to the kerb-side.
Details of the Waste Storage Area must be illustrated on the plans submitted with the application for the Construction Certificate.
35. CC8008 - Waste – Waste Handling Systems - All waste handling equipment and systems used in conjunction with the provision of waste and recycling services shall be manufactured, installed and maintained in accordance with any applicable regulatory requirements, relevant Australian Standards, and relevant manufacturer’s specifications.
PRIOR TO THE COMMENCEMENT OF WORK (INCLUDING DEMOLITION AND EXCAVATION)
These conditions have been imposed to ensure that all pre-commencement matters are dealt with and finalised prior to the commencement of work.
36. PREC2001 - Development Assessment - Site sign – Soil & Erosion Control Measures - Prior to the commencement of works (including demolition and excavation), the durable site sign issued by Hurstville City Council in conjunction with this consent must be erected in a prominent location on site. The site sign warns of the penalties which apply to pollution, storing materials on road or footpath and breaches of the conditions relating to erosion and sediment controls. The sign must remain in a prominent location on site up until the completion of all site and building works.
37. PREC2002 - Development Assessment – Demolition & Asbestos - The demolition work shall comply with the provisions of Australian Standard AS2601:2001 – Demolition of Structures, NSW Work Health & Safety Act 2011 and the NSW Work Health & Safety Regulation 2011 . The work plans required by AS2601:2001 shall be accompanied by a written statement by a suitably qualified person that the proposals contained in the work plan comply with the safety requirements of the Standard. The work plans and the safety statement shall be submitted to the Principal Certifying Authority prior to the commencement of works.
For demolition work which involves the removal of asbestos, the asbestos removal work must be carried out by a licensed asbestos removalist who is licensed to carry out the work in accordance with the NSW Work Health & Safety Act 2011 and the NSW Work Health & Safety Regulation 2011 unless specified in the Act and/or Regulation that a license is not required.
The asbestos removal work shall also be undertaken in accordance with the How to Safely Remove Asbestos: Code of Practice published by Work Cover NSW.
Copies of the Act, Regulation and Code of Practice can be downloaded free of charge from the Work Cover NSW website: www.workcover.nsw.gov.au
38. PREC2008 - Development Assessment – Demolition Notification Requirements - The following notification requirements apply to this consent:
a) The developer /builder must notify adjoining residents five (5) working days prior to demolition. Such notification is to be a clearly written note giving the date demolition will commence, contact details of the developer/builder, licensed asbestos demolisher and the appropriate regulatory authority. Notification is to be placed in the letterbox of every premises (including every residential flat or unit, if any) either side and immediately at the rear of the demolition site.
b) Five (5) working days prior to demolition, the developer/builder is to provide written notification to Hurstville City Council advising of the demolition date, details of the WorkCover licensed asbestos demolisher and the list of residents advised of the demolition.
c) On demolition sites where buildings to be demolished contain asbestos, a standard commercially manufactured sign containing the words “DANGER ASBESTOS REMOVAL IN PROGRESS” measuring not less than 400mm x 300mm is to be erected in a prominent visible position (from street frontage) on the site. The sign is to be erected prior to demolition work commencing and is to remain in place until such time as all asbestos material has been removed from the site to an approved waste facility.
39. PREC2009 - Development Assessment - Demolition work involving asbestos removal - Work involving bonded asbestos removal work (of an area of more than 10 square metres) or friable asbestos removal work must be undertaken by a person who carries on a business of such removal work in accordance with a licence under clause 458 of the Work Health and Safety Regulation 2011.
40. PREC6001 - Engineering – Dial before your dig - The applicant shall contact “Dial Before You Dig on 1100” to obtain a Service Diagram prior to the issuing of the Construction Certificate. The sequence number obtained from “Dial Before You Dig” shall be forwarded to Council’s Engineers for their records.
41. PREC6002 - Engineering – Dilapidation Report on Public Land – Major Development Only - Prior to the commencement of works (including demolition and excavation), a dilapidation report must be prepared on Council infrastructure adjoining the development site, including:
(a) the existing community building on Lot 101 in DP586060
(b) the trunk drainage system in/in- the-vicinity of the easement to drain water.
The Dilapidation Report must be prepared by a qualified structural engineer. The report must be provided to the Principal Certifying Authority and a copy provided to the Council.
The report must include the following:
(a) Photographs showing the existing condition of the road pavement fronting the site,
(b) Photographs showing the existing condition of the kerb and gutter fronting the site,
(c) Photographs showing the existing condition of the footpath pavement fronting the site,
(d) Photographs showing the existing condition of any retaining walls within the footway or road, and
(e) Closed circuit television/video inspection (in DVD format) of public stormwater drainage systems fronting, adjoining or within the site, and
(f) The full name and signature of the structural engineer.
The reports are to be supplied in electronic format in Word or PDF. Photographs are to be in colour, digital and date stamped.
Council will use this report to determine whether or not to refund the damage deposit after the completion of works.
42. PREC6003 - Engineering – Existing drainage easement, drainage reserve or stormwater drainage system benefiting Council - Council drainage easement(s) drainage reserve(s) or stormwater system either pass through or are adjacent to the site. No building or other structure must be placed over the drainage easement or stormwater system or within the zone of influence taken from the invert of any pipe.
The developer must determine the exact location, size and level details of all Stormwater Drainage Systems without causing any damage to the public system ensure its protection. The owner, principal contractor or owner builder must not obstruct or otherwise remove, disconnect or render inoperable the Stormwater Drainage System.
Works such as fences must not obstruct the natural floodway or alter the natural floodway in such a way as to direct or concentrate stormwater on to neighbouring properties.
Where the relocation or reconstruction of Council’s drainage system is approved then all work carried out on assets which are under Council ownership will revert to the ownership, care, control or management of Council, in connection with the development to which this consent relates, must comply with Council’s Construction of drainage and associated works – specification for Hurstville City Council”
The owner, principal contractor or owner builder must meet all costs associated with such works.
This condition does not set aside the need to obtain relevant approvals under the Roads Act 1993 or Local Government Act 1993 for works within Roads and other public places.
43. PREC7001 - Building – Registered Surveyors Report - During Development Work - A report must be submitted to the Principal Certifying Authority at each of the following applicable stages of construction:
(a) Set out before commencing excavation.
(b) Floor slabs or foundation wall, before formwork or commencing brickwork.
(c) Completion of Foundation Walls - Before any construction of flooring, detailing the location of the structure relative to adjacent boundaries and floor levels relative to the datum shown on the approved plans.
(d) Completion of Floor Slab Formwork - Before pouring of concrete/walls construction, detailing the location of the structure relative to adjacent boundaries and floor levels relative to the datum shown on the approved plans. In multi-storey buildings a further survey must be provided at each subsequent storey.
(e) Completion of any Pool Formwork - Before concreting of pool shell, detailing the location of the pool relative to the adjacent boundaries and its height relative to the datum shown on the approved plans.
(f) Completion of any Roof Framing - Before roof covered detailing eaves/gutter setback from boundaries.
(g) Completion of all Work - Detailing the location of the structure (including eaves/gutters) relative to adjacent boundaries and its height relative to the datum shown on the approved plans. A final Check Survey must indicate the reduced level of the main ridge.
(h) Other.
Work must not proceed beyond each stage until the Principal Certifying Authority is satisfied that the height and location of the building is proceeding in accordance with the approved plans.
44. PREC7002 - Building – Utility Arrangements - Arrangements are to be made with utility authorities in respect to the services supplied by those authorities to the development. The cost associated with the provision or adjustment of services within the road and footway areas is to be at the developer’s expense.
DURING CONSTRUCTION
These conditions have been imposed to ensure that there is minimal impact on the adjoining development and surrounding locality during the construction phase of the development.
45. CON2001 - Development Assessment - Hours of construction for demolition and building work - Any work activity or activity associated with the development consent that requires the use of any tools (including hand tools) or any power operated plant and machinery that creates noise on or adjacent to the site shall not be performed, or permitted to be performed, except between the hours of 7.00 am to 5.00 pm, Monday to Saturday inclusive. No work or ancillary activity shall be permitted to be performed on any Sunday, Good Friday, Christmas Day or any Public Holiday. A penalty infringement notice may be issued for any offence.
In addition to the foregoing requirements, construction work on all buildings (except that on single dwelling houses and associated structures on the site of a single dwelling house) shall be prohibited on Saturdays and Sundays on weekends adjacent to a public holiday.
46. CON3001 - Development Engineering – Physical connection of Stormwater to site - No work is permitted to proceed above the ground floor slab level of the building until there is physical connection of the approved stormwater drainage system from the land the subject of this consent to Council's existing (or proposed) trunk stormwater drainage system immediately to the west of the Proposed Community Building.
47. CON7001 - Building - Structural Engineer’s Certification during construction - The proposed building must be constructed in accordance with details designed and certified by the practising qualified structural engineer. All structural works associated with the foundations, piers, footings and slabs for the proposed building must be inspected and structurally certified for compliance by an independent practising geotechnical and structural engineer. In addition a Compliance or Structural Certificate, to the effect that the building works have been carried in accordance with the structural design, must be submitted to the Principal Certifying Authority at each stage of Construction or prior issue of the Occupation Certificate.
48. CON6001 - Engineering – Cost of work to be borne by the applicant - The applicant shall bear the cost of all works associated with the construction of the development that occurs on Council property. Care must be taken to protect Council's roads, including the made footway, kerbs, etc, and, where plant and vehicles enter the site, the footway shall be protected against damage by deep-sectioned timber members laid crosswise, held together by hoop iron straps and chamfered at their ends. This construction shall be maintained in a state of good repair and condition throughout the course of construction.
49. CON6002 - Engineering - Obstruction of Road or Footpath - The use of the road or footpath for the storage of any building materials, waste materials, temporary toilets, waste or skip bins, or any other matter is not permitted unless separately approved by Council under Section 138 of the Roads Act and/or under Section 68 of the Local Government Act 1993. Penalty infringement Notices may be issued for any offences and severe penalties apply.
50. CON8001 - Waste – Waste Management Facility - All materials removed from the site as a result of demolition, site clearing, site preparation and, or excavation shall be disposed of at a suitable Waste Management Facility. No vegetation, article, building material, waste or the like shall be ignited or burnt whatsoever or in association with the work on site. Copies of all receipts for the disposal, or processing of all such materials shall be submitted to the Principal Certifying Authority and a copy provided to the Manager Environmental Services, Hurstville City Council.
PRIOR TO THE ISSUE OF THE OCCUPATION CERTIFICATE
These conditions have been imposed to ensure that all works have been completed in accordance with the Development Consent prior to the issue of the Occupation Certificate.
51. OCC2005 - Development Assessment – Completion of Landscape Works - All landscape works must be completed before the issue of the Final occupation certificate.
52. OCC2007 - Development Assessment – Allocation of car parking spaces - Car parking associated with the development is to be allocated as follows:
(a) New building for community centre: Three (3) spaces
53. OCC3001 - Development Engineering – Positive Covenant for On-site Detention Facility - A Positive Covenant is to be created over any on-site detention facility.
This covenant is to be worded as follows:
It is the responsibility of the lots burdened to keep the "On-Site Detention" facilities, including any ancillary pumps, pipes, pits etc., clean at all times and maintained in an efficient working condition. The "On-Site Detention" facilities are not to be modified in any way without the prior approval of Council.
Hurstville City Council is to be nominated as the Authority to release, vary or modify this Covenant.
The Positive Covenant shall be registered at the NSW Department of Lands prior to the issue of a final occupation certificate.
54. OCC3002 - Development Engineering – Works as Executed and Certification of Stormwater works - Prior to the issue of an Occupation Certificate, the Principal Certifying Authority must ensure that the stormwater drainage system has been constructed in accordance with the approved design and relevant Australian Standards.
A works-as-executed drainage plan and certification must be forwarded to the Principal Certifying Authority and Hurstville City Council, from a suitably qualified and experienced Hydraulic Consultant/Engineer.
This Plan and Certification shall confirm that the design and construction of the stormwater drainage system satisfies the conditions of development consent and the Construction Certificate stormwater design details approved by the Certifying Authority.
The works-as-executed drainage plan must prepared by a suitably qualified and experienced Hydraulic Engineer in conjunction with a Registered Surveyor and the works-as-executed plan must include the following details (as applicable):
(a) The location of any detention basin/s with finished surface levels;
(b) Finished site contours at 0.2 metre intervals (if applicable)
(c) Volume of storage available in any detention areas;
(d) The location, diameter, gradient and material (i.e. PVC, RC etc) of all stormwater pipes;
(e) The orifice size/s.
55. OCC3003 - Development Engineering - Restriction on use of land for overland flow – An additional Restriction of Use of the Land is to be created by Section 88E of the Conveyancing Act 1919 over the subject property on which this development is to be carried out. This Restriction shall ensure that the stormwater overland flowpath be maintained free from obstructions at all times and shall be worded as follows:
In relation to the stormwater overland flow path between the Existing Community Building and the Proposed Community Building identified on the approved plans, for Development Application DA2015/0085, the following Restrictions on The Use of The Land will apply:
(a) Any fencing/gate across the overland flow path - as identified in Figure 2 of the Flood Assessment Report by WMA water dated 21 December 2015 – is to be comprised of flow through type fencing that does not obstruct or interfere with the free flow of surface waters across the overland flow path in any way.
(b) no building structures, walls, fences, trees, shrubs, grass or other vegetation shall be erected or planted within the site of the overland flow path except with the approval of Council.
(c) The existing natural ground levels of the site shall not be raised or lowered or retaining walls constructed unless specified detailed plans are first submitted to and approved by Council.
(d) The overland flow path must be kept clear of all obstructions at all times and maintained to the satisfaction of Council”.
This Restriction shall benefit Hurstville City Council and Hurstville City Council is to be nominated as the Authority to release, vary or modify this Restriction. This Restriction on Use of Land shall be registered on the title of the land, prior to of the issue of Any Occupation Certificate for the development (Interim or Final Occupation Certificate).
Documentary evidence of the registration of this Restriction on title is to be supplied to the Principal Certifying Authority when application for an occupation certificate is made.
56. OCC3005 - Development Engineering - Restriction on use of land for overland flow – An additional Restriction of Use of the Land is to be created over each lot by Section 88B of the Conveyancing Act 1919 to ensure that the overland flow path of storm waters passing through the site is maintained in accordance with the assessment of the development. This Restriction shall be worded as follows:
(a) No obstruction or modification to the openings to the side and rear walls of the dwellings and the open risers of any external stairs erected upon the lots burdened shall permitted without the prior consent of Hurstville City Council. (This is required to allow the free flow of surface waters through the site including the void area underneath the ground floor slab of the building).
(b) No materials whatsoever shall be placed or stored in the void area underneath the ground floor slab. (This is required keep the void clear of obstructions to allow the free flow of surface waters to and from this area).
(c) No obstructions along the boundary fences of the lots burdened, (including internal dividing fences), such as raised garden beds shall be permitted. (This is required to allow the free flow of surface waters through the site).
Hurstville City Council is to be nominated as the Authority to release, vary or modify this Restriction.
57. OCC4006 - Health - Noise from Mechanical plant and equipment - Noise from the operation of mechanical, equipment, ancillary fittings, machinery, mechanical ventilation system and / or refrigeration systems must not give rise to offensive noise as defined under the Protection of the Environment Operations Act 1997 (as amended) and will comply with the noise intrusion criteria as defined under the NSW Industrial Noise Policy published by the Environment Protection Authority.
A professional acoustic engineer shall be engaged to certify that the design and construction of all sound producing plants and equipment associated with the building complies with the above requirements. Certification shall be submitted to the Principal Certifying Authority prior to the issue of any Occupation Certificate.
58. OCC4013 - Health - Food Premises – Inspection & Registration - Prior to the issue of any Occupation Certificate or occupation or use of any food premises:
(a) An inspection of the fit out of the Food Premises must be arranged with Council's Environmental Health Officer;
(b) a satisfactory final inspection must have been undertaken by Council's Environmental Health Officer; and
(c) the Food Premises must notify and register with Hurstville City Council its business details.
59. OCC4014 - Health - Food Premises – Noise from mechanical plant and equipment - Noise from the operation of mechanical, equipment, ancillary fittings, machinery, mechanical ventilation system and / or refrigeration systems must not give rise to offensive noise as defined under the Protection of the Environment Operations Act 1997 (as amended) and will comply with the noise intrusion criteria as defined under the NSW Industrial Noise Policy published by the Environment Protection Authority.
A professional acoustic engineer shall be engaged to certify that the design and construction of the all sound producing plants and equipment associated with the building complies with the above requirements. Certification shall be submitted to the Principal Certifying Authority prior to the issue of any Occupation Certificate.
60. OCC6001 - Engineering – Vehicular crossing - Minor development - The vehicular crossing and/or footpath works shall be constructed by a private contractor at the expense of the beneficiary of this consent, in accordance with the Vehicular Crossing Approval issued by Council’s Engineering Services Division and in accordance with Council’s Specification for Vehicular Crossings and Associated Works and the issued.
Any existing vehicular crossing and/or laybacks which are redundant must be removed. The kerb and gutter, any other footpath and turf areas shall be restored at the expense of the beneficiary of this consent and in accordance with Council’s Specification for Vehicular Crossings and Associated Works.
Please Note: No stencilled or coloured concrete may be used outside the boundary of the property.
The work must be completed before the issue of an Occupation Certificate.
61. OCC6005 - Engineering – Completion of Major Works - Prior to the issue of a Final Occupation Certificate, the following works must be completed at the applicant’s expense to the satisfaction of Council’s Engineering Services section:
(a) Stormwater pipes, pits and connections to public stormwater systems within the easement to drain water;
(b) Driveways and vehicular crossings within the road related area;
Council’s Engineering Services Section must advise in writing that the works have been completed to their satisfaction prior to the issue of the Occupation Certificate. Further the damage deposit paid to Council will not be released until the works have been completed to Council’s satisfaction.
62. OCC6006 - Engineering – Wheel Stops - Wheel stops must be installed in accordance with Section 2.4.5.4 of the Australian Standards AS/NZS 2890.1, Parking Facilities - Part 1 Off-Street Car Parking. Wheel stops shall be painted with reflective white paint to ensure night-time visibility.
63. OCC6009 - Engineering – Stormwater drainage works – Works As Executed - Prior to the issue of the Occupation Certificate, storm water drainage works are to be certified by a qualified storm water engineer, with Works-As-Executed drawings supplied to Council detailing:
(a) Compliance with conditions of development consent relating to stormwater;
(b) The structural adequacy of the On-Site Detention system (OSD);
(c) That the works have been constructed in accordance with the approved design and will provide the detention storage volume and attenuation in accordance with the submitted calculations;
(d) Pipe invert levels and surface levels to Australian Height Datum;
(e) Contours indicating the direction in which water will flow over land should the capacity of the pit be exceeded in a storm event exceeding design limits.
Council’s Engineering Services section must advise in writing that they are satisfied with the Works-As-Executed prior to the issue of the Occupation Certificate.
64. OCC7001 - Building – Fire Safety Certificate before Occupation or Use - In accordance with Clause 153 of the Environmental Planning and Assessment Regulation 2000, on completion of building works and prior to the issue of an Occupation Certificate, the owner must cause the issue of a Final Fire Safety Certificate in accordance with Clause 170 of the aforesaid Regulation. The Fire Safety Certificate must be in the form or to the effect of Clause 174 of the Environmental Planning and Assessment Regulation, 2000. In addition, in relation to each essential fire or other safety measure implemented in the building or on the land on which the building is situated, such a Certificate is to state:
(a) That the measure has been assessed by a person (chosen by the owner of the building) who is properly qualified to do so.
(b) That as at the date of the assessment the measure was found to be capable of functioning at a standard not less than that required by the attached Schedule.
A copy of the certificate is to be given (by the owner) to the Commissioner of Fire & Rescue NSW and a further copy is to be displayed in a frame and fixed to a wall inside the building's main entrance.
65. OCC7002 - Building – Slip Resistance - At completion of work an in-situ (on-site) test, in wet and dry conditions, must be carried out on the pedestrian floor surfaces used in the foyers, public corridors/hallways, stairs and ramps as well as the floor surfaces in wet rooms in any commercial/retail/residential units to ascertain the actual slip resistance of such surfaces taking into consideration the effects of grout, the gradients of the surface and changes from one material to another. The in-situ test must be carried out in accordance with AS/NZS 4663:2002. Details of compliance must submitted with the application for the Occupation Certificate.
ONGOING CONDITIONS
These conditions have been imposed to ensure that the use or operation of the development does not adversely impact on the amenity of the neighbourhood or environment.
66. ONG2003 - Development Assessment – Maintenance of Landscaping - All trees and plants forming part of the landscaping must be maintained on an on-going basis. Maintenance includes watering, weeding, removal of rubbish from tree bases, fertilizing, pest and disease control and any other operations required to maintain healthy trees, plants and turfed areas.
67. ONG4004 - Health - Operation of Regulated Systems - The occupier must operate regulated systems in compliance with Part 2 of the Public Health Regulation 2012 (as amended).
Where there is any change in the regulated system the occupier must register the changes in the regulated systems with Council.
Water cooling system must be certified by a competent person annually as being an effective process of disinfection under the range of operating conditions that could ordinarily be expected.
68. ONG4011 - Health - Noise Control - The use of the premises must not give rise to the transmission of offensive noise to any place of different occupancy. Offensive noise is defined in the Protection of the Environment Operations Act 1997 (as amended).
69. ONG4017 - Health - Lighting – General Nuisance - Any lighting on the site shall be designed so as not to cause a nuisance to other residences in the area or to motorists on nearby roads and to ensure no adverse impact on the amenity of the surrounding area by light overspill.
70. ONG4018 - Health - Amenity of the neighbourhood - The implementation of this development shall not adversely affect the amenity of the neighbourhood or interfere unreasonably with the comfort or repose of a person who is outside the premises by reason of the emission or discharge of noise, fumes, vapour, odour, steam, soot, dust, waste water, waste products, grit, oil or other harmful products.
No vegetation, article, building material, waste or the like shall be ignited or burnt whatsoever or in association with the work on site.
71. ONG4019 - Health - Storage of goods outside buildings - There shall be no storage of any goods external to the building with the exception of waste receptacles.
72. ONG4043 - Health - Food premises – Maintenance of food premises - The food premises must be maintained in accordance with the Food Act 2003 (as amended), Food Regulation 2010 (as amended); the Food Standards Code as published by Food Standards Australia & New Zealand and Australian Standard AS 4674-2004: Construction and fit out of food premises (as amended).
73. ONG4046 - Health - Food premises – Garbage Odour - A waste contractor shall be engaged to remove all waste from the garbage storage area on a regular basis so that no overflow of rubbish will occur. Practical measures are also to be taken to ensure that odour emission from the garbage storage area does not cause offensive odour as defined under the provision of the Protection of the Environment Operations Act, 1997 (as amended).
74. ONG4047 - Health - Food premises – Storage of goods - There shall be no storage of any goods external to the building with the exception of waste receptacles.
75. ONG4048 - Health - Food premises – Storage of waste – Used cooking oil - Used oil shall be contained in a leak proof container and stored in a covered and bunded area prior to off-site disposal. Copies of receipts for the disposal of used cooking oil shall be kept on-site and made available to Council Officers upon request.
76. ONG7002 - Building – Annual Fire Safety Statement - In accordance with Clause 177 of the Environmental Planning and Assessment Regulation, 2000 the owner of the building premises must cause the Council to be given an annual fire safety statement in relation to each essential fire safety measure implemented in the building. The annual fire safety statement must be given:
(a) Within 12 months after the date on which the fire safety certificate was received.
(b) Subsequent annual fire safety statements are to be given within 12 months after the last such statement was given.
(c) An annual fire safety statement is to be given in or to the effect of Clause 181 of the Environmental Planning and Assessment Regulation, 2000.
(d) A copy of the statement is to be given to the Commissioner of Fire & Rescue NSW, and a further copy is to be prominently displayed in the building.
ADVICE
This advice has been included to provide additional information and where available direct the applicant to additional sources of information based on the development type.
77. ADV2001 - Development Assessment - Disability Discrimination Act - This application has been assessed in accordance with the NSW Environmental Planning and Assessment Act 1979. No guarantee is given that the proposal complies with the Disability Discrimination Act 1992. The beneficiary of this consent is responsible to ensure compliance with this and other anti-discrimination legislation. The Disability Discrimination Act 1992 covers disabilities not catered for in the minimum standards called up in the Building Code of Australia which refers to AS1428.1-Design for Access and Mobility. AS1428 Parts 2, 3 & 4 provides the most comprehensive technical guidance under the Disability Discrimination Act 1992 currently available in Australia.
78. ADV2002 - Development Assessment – Site Safety Fencing - Site fencing must be erected in accordance with WorkCover Guidelines, to exclude public access to the site throughout the demolition and/or construction work, except in the case of alterations to an occupied dwelling. The fencing must be erected before the commencement of any work and maintained throughout any demolition and construction work.
For more information visit www.workcover.nsw.gov.au
79. ADV2009 - Development Assessment – Security deposit administration & compliance fee - Under Section 97 (5) of the Local Government Act 1993, a security deposit (or part) if repaid to the person who provided it is to be repaid with any interest accrued on the deposit (or part) as a consequence of its investment.
Council must cover administration and other costs incurred in the investment of these monies. The current charge is $50.00 plus 2% of the bond amount per annum.
Interest rate applied to bonds is set at Council's business banking facility rate as at 1 July each year. Council will accept a bank guarantee in lieu of a deposit.
All interest earned on security deposits will be used to offset the Security Deposit Administration and Compliance fee. Where interest earned on a deposit is not sufficient to meet the fee, it will be accepted in full satisfaction of the fee.
80. ADV3001 - Stormwater & Ancillary Works – Applications under Section 138 Roads Act and/or Section 68 Local Government Act 1993 - The developer must meet all costs of the extension, relocation or reconstruction of any part of Council’s drainage system (including design drawings and easements) required to carry out the approved development.
The preparation of all engineering drawings (site layout plans, cross sections, longitudinal sections, elevation views together with a hydraulic grade analysis) and specifications for the new storm water drainage system to be arranged by the applicant. The design plans must be lodged and approved by Council prior to the issue of a Construction Certificate.
Note: Four (4) weeks should be allowed for assessment.
The design and construction of the works must be in accordance with Council’s Draft/Adopted Storm water Drainage Policy and "Construction of Drainage and Associated Works - Specification for Hurstville City Council" which include Council's Standard Drawings. Both documents are to be made available on Council's website www.hurstville.nsw.gov.au.
81. ADV4002 - Health - Additional information on Legionnaires Disease - The NSW Code of Practice for the Control of Legionnaires’ Disease can be down loaded free from: http://www.health.nsw.gov.au/environment/Publications/legionnaires-disease.pdf
82. ADV4003 - Health - Acoustical Engineer Contacts & Reference Material - Further information including lists of Acoustic Engineers can be obtained from:
· Australian Acoustical Society—professional society of noise-related professionals (www.acoustics.asn.au)
· Association of Australian Acoustical Consultants—professional society of noise related professionals (www.aaac.org.au)
· NSW Industrial Noise Policy – Office of Environment & Heritage (www.environment.nsw.gov.au)
83. ADV4005 - Health – Food Premises – Advice
Copies of food related documents and Standards:
· Copies of the Australian Standards can be obtained from Standards Australia Customer Service on telephone 1300 654646 or by visiting the website: www.standards.com.au
· Copies of the Food Safety Standards Code (Australia) may be obtained by contacting the Food Standards Australia New Zealand Authority on Telephone: (02) 6271-2222, e-mail: info@foodstandards.gov.au or by visiting the website: www.foodstandards.gov.auCopies of the NSW Stands for Construction & Hygienic Operation of Retail Meat Premises may be obtained by contacting the NSW Food Authority on 1300 552 406, e-mail: contact@foodauthority.nsw.gov.au or by visiting the website www.foodauthority.nsw.gov.au
Notification of Food Business
Section 100 of the Food Act 2003 requires:
100 Notification of conduct of food business
(1) The proprietor of a food business must not conduct the food business unless the proprietor has given written notice, in the approved form, of the information specified in the Food Safety Standards that is to be notified to the appropriate enforcement agency before the business is conducted. Maximum penalty: 500 penalty units in the case of an individual and 2,500 penalty units in the case of a corporation
Notification can be done on-line at www.foodnotify.nsw.gov.au
The provisions of the Food Act 2003 may change over time and irrespective of the conditions of consent, compliance with this Act, regulations, food standards and other standards adopted under the Food Act (as amended) are mandatory. The Food Act and applicable regulations can be accessed free of charge at www.legislation.nsw.gov.au.
84. ADV4006 - Health – Noise - Council will generally enforce noise related conditions in accordance with the Noise Guide for Local Government (http://www.environment.nsw.gov.au/noise/nglg.htm) and the Industrial Noise Guidelines (http://www.environment.nsw.gov.au/noise/industrial.htm) publish by the Department of Environment and Conservation. Other state government authorities also regulate the Protection of the Environment Operations Act 1997.
Useful links relating to Noise:
· Community Justice Centres—free mediation service provided by the NSW Government (www.cjc.nsw.gov.au).
· Department of Environment and Conservation NSW, Noise Policy Section web page (www.environment.nsw.gov.au/noise).
· New South Wales Government Legislation home page for access to all NSW legislation, including the Protection of the Environment Operations Act 1997 and the Protection of the Environment Noise Control Regulation 2000 (www.legislation.nsw.gov.au).
· Australian Acoustical Society—professional society of noise-related professionals (www.acoustics.asn.au /index.php).
· Association of Australian Acoustical Consultants—professional society of noise related professionals (www.aaac.org.au).
· Department of Gaming and Racing - (www.dgr.nsw.gov.au).
85. ADV7001 - Building – Council as PCA – Deemed to Satisfy Provisions of BCA - Should the Council be appointed as the Principal Certifying Authority in determining the Construction Certificate, the building must comply with all the applicable deemed to satisfy provision of the BCA. However, if an alternative solution is proposed it must comply with the performance requirements of the BCA, in which case, the alternative solution, prepared by an appropriately qualified fire consultant, accredited and having specialist qualifications in fire engineering, must justifying the non-compliances with a detailed report, suitable evidence and expert judgement. Council will also require if deemed necessary, for the alternative solution to undergo an independent peer review by either the CSIRO or other accredited organisation. In these circumstances, the applicant must pay all costs for the independent review.
86. ADV7004 - Building – Council as PCA – Compliance with the BCA - Should the Council be appointed as the Principal Certifying Authority, the Construction Certificate Application must be accompanied by the following details, with plans prepared and certified by an appropriately qualified person demonstrating compliance with the BCA:
a) Firefighting services and equipment including hydrant systems, hose reels, mechanical air handling system, portable fire extinguishers, emergency lights, exit signs, smoke hazard management and warning systems, etc.
b) Fire resistance levels of all building elements including walls, floors, columns, roof, etc.
c) Mechanical ventilation details of any system to be installed.
d) Protection to wall openings in the building that stand less than 3 metres from the boundary, or required distance from fire source feature.
e) Construction of exits and stairs that demonstrate compliance with the BCA.
f) Plans must provide disabled access and sanitary facilities that complies with the Premises Standards, the BCA and with AS 1428.1-2009.
g) Certified Alternative Fire Engineered Building Report prepared by an accredited fire engineer, where an alternative solution is proposed to be implemented in the building.
87. ADV7005 - Building – Energy Efficiency Provisions - Should Council be appointed as the Principal Certifying Authority, a report prepared and endorsed by an Energy Efficiency Engineer or other suitably qualified person must be submitted, detailing the measures that must be implemented in the building to comply with Section J of the BCA. The proposed measures and feature of the building that facilitate the efficient use of energy must be identified and detailed on the architectural plans. At completion of the building and before the issue of an Occupation Certificate, a certificate certifying that the building has been erected to comply with the energy efficiency provisions must be submitted to the Principal Certifying Authority.
Schedule B – Prescribed Conditions
Prescribed conditions are those which are mandated under Division 8A of the Environmental Planning and Assessment Regulation 2000 and given weight by Section 80A (11) of the Environmental Planning and Assessment Act 1979.
Detailed below is a summary of all the prescribed conditions which apply to development in New South Wales. Please refer to the full details of the prescribed conditions as in force, at www.legislation.nsw.gov.au.
It is the responsibility of the beneficiary of this consent to determine which prescribed conditions apply.
88. PRES1003 - Clause 98A – Erection of Signs - Requires the erection of signs on site and outlines the details which are to be included on the sign. The sign must be displayed in a prominent position on site and include the name and contact details of the Principal Certifying Authority and the Principal Contractor.
Schedule C – Operational & Statutory Conditions
These conditions comprise the operational and statutory conditions which must be satisfied under the Environmental Planning and Assessment Act 1979 and the Environmental Planning & Assessment Regulation 2000. Please refer to the full details of the Act and Regulations as in force, at www.legislation.nsw.gov.au.
It is the responsibility of the beneficiary of this consent to determine which operational and statutory conditions apply.
89. OPER1001 - Requirement for a Construction Certificate - The erection of a building must not commence until a Construction Certificate has been issued by the consent authority, the Council (if the Council is not the consent authority) or an accredited certifier.
An application form for a Construction Certificate is attached for your convenience.
90. OPER1002 - Appointment of a Principal Certifying Authority - The erection of a building must not commence until the beneficiary of the development consent has:
(a) appointed a Principal Certifying Authority (PCA) for the building work; and
(b) if relevant, advised the PCA that the work will be undertaken as an Owner-Builder.
If the work is not going to be undertaken by an Owner-Builder, then the beneficiary of the consent must:
(a) appoint a Principal Contractor to undertake the building work. If residential building work (within the meaning of the Home Building Act 1989) is to be undertaken, the Principal Contractor must be a holder of a contractor licence; and
(b) notify the PCA of the details of any such appointment; and
(c) notify the Principal Contractor of any critical stage inspections or other inspections that are required to be carried out in respect of the building work.
An Information Pack is attached for your convenience should you wish to appoint Hurstville City Council as the Principal Certifying Authority for your development.
91. OPER1003 - Notification of Critical Stage Inspections - No later than two (2) days before the building work commences, the PCA must notify:
(a) the consent authority and the Council (if not the consent authority) of his or her appointment; and
(b) the beneficiary of the development consent of the critical stage inspections and other inspections that are to be carried out with respect to the building work.
92. OPER1004 - Notice of Commencement - The beneficiary of the development consent must give at least two (2) days’ notice to the Council and the PCA of their intention to commence the erection of a building.
A Notice of Commencement Form is attached for your convenience.
93. OPER1007 - Critical Stage Inspections - The last critical stage inspection must be undertaken by the Principal Certifying Authority. The critical stage inspections required to be carried out vary according to Building Class under the Building Code of Australia and are listed in Clause 162A of the Environmental Planning and Assessment Regulation 2000.
94. OPER1008 - Notice to be given prior to critical stage inspections - The principal contractor for a building site, or the owner-builder, must notify the principal certifying authority at least 48 hours before each required inspection needs to be carried out.
Where Hurstville City Council has been appointed PCA, forty eight (48) hours’ notice in writing, or alternatively twenty four (24) hours’ notice by facsimile or telephone, must be given to when specified work requiring inspection has been completed.
95. OPER1009 - Occupation Certificate - A person must not commence occupation or use of the whole or any part of a new building unless an Occupation Certificate has been issued in relation to the building or part.
Only the Principal Certifying Authority appointed for the building work can issue the Occupation Certificate.
An Occupation Certificate Application Form is attached for your convenience.
If you need more information, please contact the Team Leader Development Assessment, below on 9330-6222 during normal office hours.
|
Appendix View1 |
Location Plan - 25 St Georges Rd Penshurst |
|
Appendix View2 |
Site Plan - 25 St Georges Rd Penshurst |
|
Appendix View3 |
Elevation Plans - 25 St Georges Rd Penshurst |
|
Appendix View4 |
Proposed Site Plan and Ground Floor Plan - 25 St Georges Rd Penshurst |
|
Appendix View5 |
Proposed Attic Floor Plan and Roof Plan - 25 St Georges Rd Penshurst |
|
Appendix View6 |
Proposed Section Plan and Elevation Plan - 25 St Georges Rd Penshurst |
|
Appendix View7 |
Company Extract - Applicant - 25 St Georges Rd Penshurst (Confidential) |
Hurstville City Council – Council Meeting Wednesday, 2 March 2016
CCL055-16 25 St Georges Rd Penshurst - Construction of a Community Centre - 3 Bridges Community Organisation
[Appendix 1] Location Plan - 25 St Georges Rd Penshurst
CCL055-16 25 St Georges Rd Penshurst - Construction of a Community Centre - 3 Bridges Community Organisation
[Appendix 2] Site Plan - 25 St Georges Rd Penshurst
CCL055-16 25 St Georges Rd Penshurst - Construction of a Community Centre - 3 Bridges Community Organisation
[Appendix 3] Elevation Plans - 25 St Georges Rd Penshurst
CCL055-16 25 St Georges Rd Penshurst - Construction of a Community Centre - 3 Bridges Community Organisation
[Appendix 4] Proposed Site Plan and Ground Floor Plan - 25 St Georges Rd Penshurst
CCL055-16 25 St Georges Rd Penshurst - Construction of a Community Centre - 3 Bridges Community Organisation
[Appendix 5] Proposed Attic Floor Plan and Roof Plan - 25 St Georges Rd Penshurst
CCL055-16 25 St Georges Rd Penshurst - Construction of a Community Centre - 3 Bridges Community Organisation
[Appendix 6] Proposed Section Plan and Elevation Plan - 25 St Georges Rd Penshurst
CCL056-16 119 Boundary Rd Peakhurst - Demolition of Existing and Construction of 3 Storey Warehouse and Showroom
|
Applicant |
M Elmir and J Yu |
|
Proposal |
Demolition of existing, and construction of a three storey warehouse and showroom building |
|
Owners |
M Elmir and J Yu |
|
Report Author/s |
Senior Development Assessment Officer, Ms T Gizzi |
|
File |
DA2014/1061 |
|
Previous Reports Referenced |
CCL794-15 - 119 Boundary Rd Peakhurst - Demolition and Construction of 3 Storey Warehouse and Showroom - Council - 05 Aug 2015 7:00pm |
|
Disclosure of Political Donations or Gifts |
No |
|
Zoning |
Zone IN2 – Light Industrial |
|
Existing Development |
Light Industry |
|
Cost of Development |
$900,000.00 |
|
Reason for Referral to Council |
Slopes to the rear |
|
Planning Instruments Applicable |
Hurstville Local Environmental Plan 2012, Greater Metropolitan Regional Environmental Plan No 2 - Georges River Catchment, State Environmental Planning Policy No 55 - Remediation of Land, Development Control Plan No 1 - LGA Wide |
|
Hurstville Local Environment Plan Interpretation of Use |
Warehouse and Bulky Goods Premises |
EXECUTIVE SUMMARY
1. Development consent is sought for the demolition of the existing building and construction of a warehouse/showroom.
2. The application has been assessed against the relevant planning instruments and Development Control Plan. Variations to Development Control Plan No 1 – LGA Wide are sought, but the application is now supported.
3. The application was notified for fourteen (14) days in accordance with Development Control Plan No 1 – LGA Wide. No submissions were received.
4. The application was reported to Council at the meeting held on the 5 August 2015 with a recommendation for refusal. The application was deferred to allow for a redesign. The amended plans have now been assessed and are subject of this report.
5. This application was deferred at the Council meeting of 17 February 2016 for a site inspection. The site inspection was held on 23 February 2016.
|
THAT the application be approved in accordance with the conditions included in the report. |
REPORT DETAIL
DESCRIPTION OF THE PROPOSAL
Development consent is sought for the demolition of the existing building and construction of a warehouse/showroom at 119 Boundary Road, Peakhurst.
The building is proposed to contain a semi-basement car park, warehouse and showroom at ground floor level, and additional showroom floor space at first floor level.
The development is proposed to be used as a warehouse and showroom for the display of bulky goods including kitchen and bathroom products.
The floor space is comprised of the following:
· Warehouse – 141.1sqm
· Showroom – 558.95sqm
The semi-basement car park is proposed to accommodate thirteen (13) spaces and is accessed off Stanley Street. It is noted that the semi-basement is elevated above ground level making the building three (3) storeys in height.
The amendments to the plans following the Council meeting held on the 5 August 2015 include increased setback to Stanley Street, reduced height and floor space ratio, improvements to the layout of the basement car park and relocation of the staff amenity area.
HISTORY
18 Sep 14 Application submitted to Council.
27 Nov 14 Applicant notified of Council Officer’s issues and additional information requested.
15 Jul 15 Additional information provided.
5 Aug 15 Application reported to Council with a recommendation for refusal. Application deferred by Council to allow for a re-design.
23 Oct 15 Additional information received.
28 Nov 15 Final additional information received.
17 Feb 16 Application deferred at Council meeting for site inspection.
DESCRIPTION OF THE SITE AND LOCALITY
The subject site is known as 119 Boundary Road, Peakhurst and is located on the south western corner of Boundary Road and Stanley Street.
The site has a frontage of 19.905m (13.03m front + 6.875m splay) to Boundary Road and a secondary frontage of 34.94m to Stanley Street. The total area of the site is 699.2sqm. There is also a marginal fall of approximately 0.85m from Boundary Road to the rear of the property.
A vacant single storey light industrial building which is occupied by a brake centre is located on the western half of the site and is proposed to be demolished as part of this application. The site is otherwise vacant.
Two (2) storey light industrial buildings adjoin the site to the south and west. Opposite the site on the eastern side of Boundary Road are single storey dwelling houses. The western side of Boundary Road is characterised by light industrial developments and the eastern side is characterised by residential uses.
COMPLIANCE AND ASSESSMENT
The development has been inspected and assessed under the relevant Section 79C(1) "Matters for Consideration" of the Environmental Planning and Assessment Act 1979.
1. Environmental Planning Instruments
HURSTVILLE LOCAL ENVIRONMENTAL PLAN 2012
The extent to which the proposed development complies with the Hurstville Local Environmental Plan 2012 is detailed and discussed in the table below.
|
Clause |
Standard |
Proposal |
Complies |
|
1.2 – Aims of the Plan |
In accordance with Clause 1.2 (2) |
Satisfactory |
Yes |
|
Part 2 – Permitted or Prohibited Development |
IN2 Light Industrial |
‘Warehouses’ and ‘bulky goods premises’ are permissible with consent |
Yes |
|
2.3 - Zone objectives and Land Use Table |
Meets objectives of IN2 Zone |
Satisfactory |
Yes |
|
2.7 - Demolition |
Demolition is permissible with consent |
The proposed demolition can be supported with standard conditions of consent |
Yes |
|
4.3 – Height of Buildings |
10m as identified on Height of Buildings Map |
9.8m |
Yes |
|
4.4 – Floor Space Ratio |
1:1 as identified on Floor Space Ratio Map |
1:1 |
Yes |
|
4.5 – Calculation of floor space ratio and site area |
FSR and site area calculated in accordance with Cl.4.5 |
In accordance with Cl. 4.5 |
Yes |
|
5.9 – Preservation of Trees or Vegetation |
Trees to be removed are specified in DCP1 |
No significant trees are located on site |
Yes |
|
6.7 – Essential Services |
The following services that are essential for the development shall be available or that adequate arrangements must be made available when required: · Supply of water, electricity and disposal and management of sewerage · Stormwater drainage or on-site conservation · Suitable vehicular access |
Water, electricity and sewerage management systems are available to the development site.
Subject to conditions of consent, stormwater can be sufficiently managed. Vehicular access is available to the site from Stanley Street. |
Yes
Yes
Yes |
STATE ENVIRONMENTAL PLANNING INSTRUMENTS
Compliance with the relevant state environmental planning policies is detailed and discussed in the table below.
|
State Environmental Planning Policy |
Complies |
|
Greater Metropolitan Regional Environmental Plan No 2 – Georges River Catchment |
Yes |
|
State Environmental Planning Policy 55 – Remediation of Land |
Yes |
2. Draft Environmental Planning Instruments
There are no draft planning instruments that apply to the proposed development.
Any other matters prescribed by the Regulations
The Regulations prescribe the following matters for consideration for development in the Hurstville Council area:
Demolition
Safety standards for demolition and compliance with AS 2601 - 2001 apply to the demolition of any buildings affected by the proposal.
3. Development Control Plans
DEVELOPMENT CONTROL PLAN NO 1 – LGA WIDE - SECTION 3.1 CAR PARKING
The extent to which the proposed development complies with Section 3.1 Car Parking is detailed and discussed in the table below.
|
Section 3.1 |
Standard |
Proposal |
Complies |
|
Parking |
Bulky Goods Retail Store – 1 space per 50sqm GLFA = 12 spaces
Warehouse – 1 space per 300sqm GFA = 1 space
13 spaces required |
13 provided |
Yes |
|
3.1.4.2 –Dimension of car spaces, car parking layout, circulation, egress and egress |
Compliance with AS2890.1 2004 and AS2890.2
|
The submitted traffic report by Terraffic Pty Ltd indicates compliance
|
Yes |
|
3.1.4.3 – Stencilling of driveways |
Finished with plain concrete |
Can be conditioned |
Yes, subject to condition |
|
3.1.4.4 – Ramps transitions, driveways |
Ramp grades to comply with AS2890.2 2004, Part 2
Longitudinal section 1:20 to be provided with development application |
The submitted traffic report by Terraffic Pty Ltd indicates compliance
|
Yes, subject to condition |
|
3.1.4.5- Basement car parking |
· Underground parking to be located under building footprint · Minimise visual impact on street · Mechanical ventilation and exhaust shafts to be illustrated in plans |
The semi-basement car park projects beyond the footprint of the building towards the northern boundary adjoining Stanley Street. The semi-basement projects up to 2.5m above ground level along the Stanley Street frontage. The extended footprint of the basement provides for balconies and a staff amenity area at ground floor level which assists in reducing the overall bulk and scale of the building. Also, due to the increased setbacks from the street, subject to conditions requiring appropriate landscaping, the basement projection will no longer result in any significant streetscape impact. |
Satisfactory |
DEVELOPMENT CONTROL PLAN NO 1 – LGA WIDE – SECTION 3.3 ACCESS AND MOBILITY
The extent to which the proposed development complies with Section 3.3 Access and Mobility is detailed and discussed in the table below.
|
Section 3.3 |
Standard |
Proposal |
Complies |
|
Access requirements |
Access in accordance with AS1428 for all persons through the principal entrance of the building and to common areas |
Complies subject to conditions |
Yes, subject to condition |
|
Accessible car space |
1 space per 20 spaces or part thereof
Layout complies with Australian Standard |
1 accessible space provided |
Yes |
DEVELOPMENT CONTROL PLAN NO 1 – LGA WIDE – SECTION 3.4 CRIME PREVENTION THROUGH ENVIRONMENTAL DESIGN
The extent to which the proposed development complies with Section 3.4 Crime Prevention through Environmental Design is detailed and discussed in the table below.
|
Section 3.4 |
Standard |
Proposal |
Complies |
|
Site and building Layout |
Provide surveillance opportunities
|
Satisfactory surveillance opportunities provided. No blind corners evident. |
Yes |
|
Building Identification |
· Clearly numbered buildings · Entrances numbered |
Can be conditioned |
Yes, subject to condition |
|
Entrances |
Clearly visible and not confusing |
Clearly defined |
Yes |
|
Fencing |
Allows natural surveillance to street |
None proposed |
N/A |
|
Blind Corners |
To be avoided |
No blind corners evident |
Yes |
|
Communal Areas |
Provide opportunities for natural surveillance |
Satisfactory |
Yes |
|
Landscaping |
· Avoid dense medium height shrubs · Allow spacing for low growing dense vegetation · Low ground cover or high canopy trees around car parks and pathways · Vegetation used as a barrier for unauthorised access |
The minimal landscaping proposed is satisfactory |
Yes |
|
Lighting |
· Diffused/movement sensitive lighting provided externally · Access/egress points illuminated · No light-spill towards neighbours · Hiding places illuminated · Lighting is energy efficient |
Details of lighting not provided but can be addressed by condition |
Yes, subject to condition |
|
Security |
Provide an appropriate level of security for each building and car park |
Subject to conditions |
Yes, subject to condition |
|
Car parks |
Access to lifts and stairwells to be clearly defined |
Clearly defined |
Yes |
|
Ownership |
Use of fencing, landscaping, colour and finishes to imply ownership |
Satisfactory |
Yes |
|
Building maintenance |
Use materials that can be easily cleaned or use anti-graffiti paint |
Subject to conditions |
Yes, subject to condition |
DEVELOPMENT CONTROL PLAN NO 1 – LGA WIDE – SECTION 3.5 ENERGY EFFICIENCY
Due to the orientation of the site, the adjoining property to the south will be overshadowed by the proposed development. However, given that the use of the adjoining property is for industrial purposes, the impact is acceptable.
DEVELOPMENT CONTROL PLAN NO 1 – LGA WIDE – SECTION 3.7 DRAINAGE AND ON SITE DETENTION (OSD) REQUIREMENTS
Council’s Development Engineer has assessed the proposed method of drainage and advised that although an easement would normally be required, due to the existing buildings surrounding the site, an easement could not be reasonably achieved. As such, an alternative solution requiring the extension of Council’s drainage system in Boundary Road to provide gravity disposal has been recommended for approval.
DEVELOPMENT CONTROL PLAN NO 1 – LGA WIDE – SECTION 3.9 WASTE MANAGEMENT
A Waste Management Plan has been submitted with the application which is acceptable.
The proposed waste storage area has been relocated to within the warehouse which is acceptable.
DEVELOPMENT CONTROL PLAN NO 1 – LGA WIDE – SECTION 5.3 LIGHT INDUSTRIAL AREAS
The extent to which the proposed development complies with Section 5.3 Light Industrial Areas is detailed and discussed in the table below.
|
Section 5.3 |
Standard |
Proposal |
Complies |
|
Density (Floor Space Ratio) |
As per Hurstville LEP 2012 – 1:1 |
1:1 |
Yes |
|
Front Setback |
4.5m from Boundary Road |
2.5m – 6m |
No (1) |
|
Secondary Front Setback |
2m from Stanley Street |
2m |
Yes |
|
Maximum Height |
10m |
9.8m |
Yes |
|
Materials and Finishes |
Schedule of colours and materials is to be provided
Non-reflective materials to be used. Reflective surfaces on external walls are to be no greater than 20%. |
Satisfactory subject to conditions to ensure low reflectivity glazing is used |
Yes, subject to conditions |
|
Fencing |
Is not to be located within any landscape setback area
Is to be of an open design and a maximum height of 2.5m. |
No fencing is proposed |
N/A |
|
Building Form |
Must present a satisfactory façade to the street.
Must incorporate architectural features. |
The amended design is now satisfactory. The streetscape impacts arising from the projection of the basement above ground level is mitigated by proposed planting along the front boundary.
The development also includes a number of architectural features which create visual interest. |
Yes |
|
Landscaping
|
Must include a landscape plan prepared by a qualified architect |
A landscape plan has been provided by Unique Garden Design. The amended landscape design includes additional landscaping along the Stanley Street frontage. |
Yes |
|
Landscaping is to be provided where the site abuts streets, service roads, railway lines or residential development |
Landscaping has been provided along both street frontages |
Yes |
|
|
Significant Trees
|
Buildings, driveways and services trenches must be setback 4m from significant trees |
No significant trees are present on the site |
N/A |
|
Amenity |
Outdoor seating area is to be provided with an area of 1sqm per employee and a minimum area of 10sqm |
11.56sqm outdoor seating area provided |
Yes |
|
Vehicle access and parking |
Comply with Section 3.1.
Parking should be located at the rear of the site or below ground where possible. |
See discussion under Section 3.1.
The projection of the semi-basement above natural ground level is a result of the site topography. The projection is now supported as the setback from Stanley Street is now compliant allowing for the provision of landscaping along the frontage to minimise any visual impact. |
Yes, subject to condition
|
|
Acoustics |
Recommended background noise levels for the following land use receivers: Residential - 50B(A) Shop or commercial – 60dB(A) Light Industrial – 65dB(A) |
Given the use of the premises is proposed for warehouse and bulky goods uses, noise impacts are unlikely to be significant. However, if approved a condition of consent is recommended to ensure compliance. |
Yes, subject to condition |
|
Hours of Operation |
7am - 5pm Mondays to Saturdays only (Public Holidays excluded) |
Proposed 9am to 5pm Monday to Friday and 10am to 4pm Saturday and Sundays |
No (2) |
|
Energy Efficiency |
Consideration must be given to sustainable solar, energy and water materials and design |
The building has been designed to maximise eastern and northern solar access |
Yes |
|
Utility Location |
Service box located in accordance with Energy Australia’s requirements |
Subject to condition |
Yes, subject to condition |
|
Waste Management |
Adequate storage facilities are to be provided on site |
Waste storage area has been provided in the warehouse |
Yes |
|
Drainage |
Drainage plans are to be submitted in accordance with Section 5.3.10 |
The amended drainage has been assessed by Council’s Development Engineer and is now satisfactory |
Yes |
|
Stormwater Assessment (by Council’s Development Engineer) |
|
|
Existing Stormwater System |
On site disposal |
|
Proposed Stormwater System |
The extending of Council’s drainage system in Boundary Road to provide gravity disposal from the site to a proposed gully pit directly in front (Boundary Rd) of the development |
|
Stormwater objectives for development type met? |
Consistent |
|
Slope to rear (measured centreline of site) |
Yes |
|
Gravity to street (from property boundary to street kerb)? |
No |
|
Discharge into same sub-catchment? |
No, but unavoidable due to existing development surrounding the site |
|
Easement required? |
Yes, but unachievable due to buildings on neighbouring properties |
(1) Front Setback
The Development Control Plan requires a front setback of 4.5m. The proposed front setback from Boundary Road varies from 2.5m to 6m.
The variation only occurs at the north eastern corner of the site due to the splay between the front and secondary front boundary. The building primarily provides a frontage of 6m and the encroachment at the corner would not in itself result in any significant visual impact or unreasonable amenity impacts on adjoining properties.
For these reasons, the variation is minor and is supported.
(2) Hours of Operation
The proposed hours of operation from 9am to 5pm Monday to Friday and 10am to 4pm Saturdays and Sundays are contrary to Development Control Plan No 1 but are considered acceptable. Subject to a condition restricting deliveries to and from the property on Saturdays and Sundays, the nature of the use is not likely to generate significant noise and disturbance and the additional operations during daytime hours on a Sunday are acceptable.
4. Impacts
Natural Environment
The application would not result in any significant loss of vegetation. Drainage and the management of stormwater have now been adequately addressed. As such, the development would not have an unreasonable impact on the natural environment.
Built Environment
The amended design is now considered satisfactory. The building is of an acceptable bulk and scale that is commensurate with surrounding development. Subject to conditions of consent, the development would not have a negative impact on the natural environment.
Social Impact
The proposed development would not result in any significant social impacts.
Economic Impact
The proposal would not result in any significant economic impacts.
Suitability of the Site
The site is considered suitable for the development.
5. REFERRALS, SUBMISSIONS AND THE PUBLIC INTEREST
Resident
Twenty nine (29) adjoining residents and landowners were notified of the original development on the 30 September 2014 and given fourteen (14) days in which to view the plans and submit any comments on the proposal. No submissions were received in response.
The amended design is of a lesser impact and therefore further re-notification was not required.
Council Referrals
Senior Environmental Health and Building Surveyor
Councils Senior Environmental Health and Building Surveyor has assessed the application and identified a number of deficiencies and non-compliances with the BCA. If the application is approved, conditions have been recommended requiring reports from both a BCA consultant and Access consultant with any Construction Certificate application to address these concerns.
Development Engineer
Council’s Development Engineer has assessed the application and subject to conditions, raises no objections to the development.
Public Interest
The amended design would provide a positive contribution to the locality and subject to conditions is now considered to be in the public interest.
6. CONCLUSION
Development consent is sought for the demolition of existing structures on site and construction of a three (3) storey building comprising a semi-basement car park, a warehouse and bulky goods showroom.
The application was notified in accordance with Development Control Plan No 1 – LGA Wide and no submissions were received.
The application was reported to Council at the meeting held on the 5 August 2015 with a recommendation for refusal. The application was deferred to allow for a redesign. The amended plans have now been assessed and are subject of this report.
The application has been assessed against the relevant planning instruments and Development Control Plan. Variations to Development Control Plan No 1 – LGA Wide are sought, but the application is now supported.
For the reasons discussed throughout this report the application is now recommended for approval subject to conditions
DETERMINATION
THAT pursuant to Section 80(1)(a) of the Environmental Planning and Assessment Act, 1979, as amended, the Joint Regional Planning Panel refuse development consent to Development Application DA2014/1061 for demolition of the existing structures and construction of a three storey warehouse and showroom building on Lot P DP 394369 and known as 119 Boundary Road, Peakhurst, subject to the following conditions:
Schedule A – Site Specific Conditions
GENERAL CONDITIONS
These conditions have been imposed to ensure that the development is carried out in accordance with the approved plans and to ensure that the appropriate fees and bonds are paid in relation to the development.
1. GEN1001 - Approved Plans - The development must be implemented in accordance with the approved plans and supporting documentation listed below which have been endorsed by Council’s approved stamp, except where marked up on the plans and/or amended by conditions of this consent:
|
Reference No. |
Date |
Description |
Revision |
Prepared by |
|
DA01 |
Printed 9- Feb- 16 |
Site and Site Analysis Plan |
- |
Mitz Design and Construction |
|
DA02 |
Printed 9- Feb- 16 |
Soil and Water Management and Demolition Plan |
- |
Mitz Design and Construction |
|
DA03 |
Printed 9- Feb- 16 |
Basement Floor Plan |
- |
Mitz Design and Construction |
|
DA04 |
Printed 9- Feb- 16 |
Ground Floor Plan |
- |
Mitz Design and Construction |
|
DA05 |
Printed 9- Feb- 16 |
First Floor Plan
|
- |
Mitz Design and Construction |
|
DA06 |
Printed 9- Feb- 16 |
Roof Plan |
- |
Mitz Design and Construction |
|
DA07 |
Printed 9- Feb- 16 |
Elevation 01 |
- |
Mitz Design and Construction |
|
DA08 |
Printed 9- Feb- 16 |
Elevation 01 |
- |
Mitz Design and Construction |
|
DA09 |
Printed 9- Feb- 16 |
Sections |
- |
Mitz Design and Construction |
|
2618 |
21.10.15 |
Landscape Plan |
- |
Unique Garden Design |
2. GEN1002 - Fees to be paid to Council - The fees listed in the table below must be paid in accordance with the conditions of this consent and Council’s adopted Fees and Charges applicable at the time of payment.
Payments must be made prior to the issue of the Construction Certificate or prior to the commencement of work (if there is no associated Construction Certificate).
Please contact Council prior to the payment of Section 94 Contributions to determine whether the amounts have been indexed from that indicated below in this consent and the form of payment that will be accepted by Council.
Form of payment for transactions $500,000 or over - Council will only accept Bank Cheque or Electronic Funds Transfer (EFT) for transaction values of $500,000 or over. Council must be contacted prior to payment to determine correct total amount to be paid and bank account details (if applicable)
(a) Fees to be paid:
Fee types, bonds and contributions
|
Fee Type |
|
Long Service Levy (to Long Service Corporation) |
|
Builders Damage Deposit |
|
Inspection Fee for Refund of Damage Deposit |
The following fees apply where you appoint Council as your Principal Certifying Authority (PCA). (If you appoint a private PCA, separate fees will apply)
|
PCA Services Fee |
$2,070.00 |
|
Construction Certificate Application Fee |
$2,070.00 |
|
Construction Certificate Imaging Fee |
$172.00 |
Fees and charges above are subject to change and are as set out in the version of Council's Schedule of Fees and Charges or as required by other Government Authorities, applicable at the time of payment.
3. GEN1014 - Long Service Levy - Submit evidence of payment of the Building and Construction Industry Long Service Leave Levy to the Principal Certifying Authority. Note this amount is based on the cost quoted in the Development Application, and same may increase with any variation to estimated cost which arises with the Construction Certificate application. To find out the amount payable go to www.lspc.nsw.gov.au or call 131441. Evidence of the payment of this levy must be submitted with the Construction Certificate application.
4. GEN1015 - Damage Deposit - Minor Works - In order to insure against damage to Council property the following is required:
(a) Payment to Council of a damage deposit for the cost of making good any damage caused to any Council property as a result of the development: $1,500.00.
(b) Payment to Council of a non-refundable inspection fee to enable assessment of any damage and repairs where required: $140.00.
(c) At the completion of work Council will inspect the public works, and the damage deposit will be refunded in full upon completion of work where no damage occurs. Otherwise the amount will be either forfeited or partly refunded according to the amount of damage.
(d) Prior to the commencement of work a photographic record of the condition of the Council nature strip, footpath and driveway crossing, or any area likely to be affected by the proposal, shall be submitted to Council
(e) Payments pursuant to this condition are required to be made to Council before the issue of the Construction Certificate.
(f) Fees and charges above are subject to change and are as set out in the version of Council's Schedule of Fees and Charges or as required by other Government Authorities, applicable at the time of payment.
SEPARATE APPROVALS UNDER OTHER LEGISLATION
These conditions have been imposed to ensure that the applicant is aware of any separate approvals required under other legislation, for example: approvals required under the Local Government Act 1993 or the Roads Act 1993.
5. APR6001 - Engineering - Section 138 Roads Act and Section 68 Local Government Act 1993
Unless otherwise specified by a condition of this consent, this Development Consent does not give any approval to undertake works on public infrastructure.
A separate approval is required to be lodged and approved under Section 138 of the Roads Act 1993 and/or Section 68 of the Local Government Act 1993 for any of the following activities carried out in, on or over a public road (including the footpath):
(a) Placing or storing materials or equipment;
(b) Placing or storing waste containers or skip bins;
(c) Erecting a structure or carrying out work
(d) Swinging or hoisting goods over any part of a public road by means of a lift, crane or the like;
(e) Pumping concrete from a public road;
(f) Pumping water from the site into the public road;
(g) Constructing a vehicular crossing or footpath;
(h) Establishing a “works zone”;
(i) Digging up or disturbing the surface of a public road (e.g. Opening the road for the purpose of connections to utility providers);
(j) Stormwater and ancillary works in the road reserve; and
(k) Stormwater and ancillary to public infrastructure on private land
(l) If any excavation is to be supported by the use of below ground (cable) anchors that are constructed under Council’s roadways/footways.
These separate activity approvals must be obtained and evidence of the approval provided to the Certifying Authority prior to the issue of the Construction Certificate.
The relevant Application Forms for these activities can be downloaded from Hurstville City Council’s website at: www.hurstville.nsw.gov.au
For further information, please contact Council’s Customer Service Centre on (02)9330 6222.
6. APR6002 - Engineering - Vehicular Crossing - Minor Development - Constructing a vehicular crossing and/or footpath requires a separate approval under Section 138 of the Roads Act 1993 prior to the issue of the Construction Certificate.
To apply for approval, complete the Driveway Crossing on Council Road Reserve Application Form which can be downloaded from Hurstville Council’s Website: www.hurstville.nsw.gov.au
Lodge the application form, together with the associated fees at Council’s Customer Service Centre, during business hours. Refer to Section P1 and P2, in Council’s adopted Fees and Charges for the administrative and inspection charges associated with Vehicular Crossing applications.
Please note, that an approval for a new or modified vehicular crossing will contain the approved access and/or alignment levels which will be required to construct the crossing and/or footpath. Once approved, all work shall be carried out by a private contractor in accordance with Council’s Specification for Vehicular Crossings and Associated Works prior to the issue of the Occupation Certificate.
7. APR6004 - Engineering - Road Opening Permit - A Road Opening Permit must be obtained from Council, in the case of local or regional roads, or from the Roads and Maritime Services, in the case of State roads, for every opening of a public road reserve to access services including sewer, stormwater drains, water mains, gas mains, and telecommunications before the commencement of work in the road.
8. APR6005 - Engineering - Council’s stormwater drainage line shall be extended along Boundary Road, from the existing kerb inlet pit at 113 Boundary Road, with a 375mm (min.) diameter pipeline to terminate with an extended kerb inlet pit outside the subject site with all costs borne by the developer.
A separate application under Section 138 of the Roads Act is required to be approved by Council for such works prior to the issue of the Construction Certificate.
9. APR7001 - Building - Hoarding Application - Prior to demolition of the buildings on the site or the commencement of work above ground level a separate application for the erection of an A class (fence type) or a B class (overhead type) hoarding or C type scaffold, in accordance with the requirements of Work Cover Authority of NSW, must be erected along that portion of the footways/roadway where the building is within 3.0 metres of the street boundary. An application for this work under Section 68 of the Local Government Act 1993 and the Roads Act 1993 must be submitted for approval to Council.
The following information is to be submitted with a Hoarding Application under Section 68 of the Local Government Act and Section 138 of the Roads Act 1993:
(a) A site and location plan of the hoarding with detailed elevation, dimensions, setbacks, heights, entry and exit points to/from the site, vehicle access points, location of public utilities, electrical overhead wire protection, site management plan and builders sheds location; and
(b) Hoarding plan and details that are certified by an appropriately qualified engineer; and
(c) The payment to Council of a footpath occupancy fee based on the area of footpath to be occupied and Council's Schedule of Fees and Charges (available on our website) before the commencement of work; and
(d) A Public Risk Insurance Policy with a minimum cover of $10 million in relation to the occupation of and works within Council's road reserve, for the full duration of the proposed works, must be obtained a copy provided to Council. The Policy is to note Council as an interested party.
(e) Written permission, to erect a hoarding along Boundary Road OR Stanley Street must be obtained from the Roads and Maritime Service.
REQUIREMENTS OF OTHER GOVERNMENT AGENCIES
These conditions have been imposed by other NSW Government agencies either through their role as referral bodies, concurrence authorities or by issuing General Terms of Approval under the Integrated provisions of the Environmental Planning and Assessment Act 1979.
10. GOV1006 - Sydney Water - Trade Waste Agreements - A Trade Waste Agreement with Sydney Water may be required. Details of any work required to comply with the agreement must be detailed on the plans lodged with the Construction Certificate. If no trade waste agreement or grease trap is required, a letter from Sydney Water to this effect must be submitted with the application for the Construction Certificate.
11. GOV1008 - Sydney Water - Section 73 Certificate - A Section 73 Compliance Certificate under the Sydney Water Act 1994 must be obtained from Sydney Water Corporation. Application must be made through an authorised Water Servicing Coordinator. Please refer to the Plumbing, Building and Developing section of Sydney Water’s website to locate a Water Servicing Coordinator in your area. Visit: www.sydneywater.com.au
A "Notice of Requirements" will advise of water and sewer infrastructure to be built and charges to be paid. Please make early contact with the Coordinator, as it can take some time to build water/sewer pipes and this may impact on other services and building, driveway or landscape design.
The “Notice of Requirements” must be submitted prior to the commencement of work.
12. GOV1009 - Sydney Water - Section 73 Compliance Certificate - A Section 73 Compliance Certificate under the Sydney Water Act must be submitted to the Principal Certifying Authority prior to the issue of the Occupation/Subdivision or Strata Certificate.
13. GOV1010 - Ausgrid - Substation or Kiosk - Ausgrid shall be consulted to determine if an electricity distribution substation is required. If so, it will be necessary for the final film survey plan to be endorsed with an area, having the required dimensions as agreed with Ausgrid, indicating the location of the proposed electricity distribution substation site. The substation must be located within the boundary of the development site, or within the building, subject to compliance with the Building Code of Australia. The substation site to be dedicated to Council as public roadway, or as otherwise agreed with Ausgrid. For details visit www.ausgrid.com.auor call 131365.
(a) written confirmation of Ausgrid's requirements is to be submitted prior to the issue of the Construction Certificate; and
(b) Ausgrid's requirements are to be met before the issue of the Occupation Certificate.
14. GOV1011 - Ausgrid - Underground electrical conduits - Ausgrid is to be consulted to determine if underground electricity conduits are to be installed in the footway. If so, the developer is to install the conduits within the footway across the frontage/s of the development site, to Ausgrid's specifications. Ausgrid will supply the conduits at no charge. The developer is responsible for compaction of the trench and restoration of the footway in accordance with Council direction. For details visit www.ausgrid.com.au or call 131365.
(a) a copy of Ausgrid's requirements is to be submitted to Council before issue of the Construction Certificate;
(b) Where conduits are to be installed, evidence of compliance with Ausgrid's requirements is to be submitted before the issue of the Occupation Certificate.
Where works within the road reserve are to be carried out by the beneficiary of this consent, a Road Opening Permit Application must be submitted to, and approved by, Council before the issue of the construction Certificate.
15. GOV1012 - Ausgrid - Clearances to electricity mains - If any part of the proposed structure, within 5m of a street frontage, is higher than 3m above footway level, Ausgrid is to be consulted to determine if satisfactory clearances to any existing overhead High Voltage mains will be affected. If so, arrangements are to be made, at your cost, with Ausgrid for any necessary modification to the electrical network in question. For details visit www.ausgrid.com.auor call 131365.
PRIOR TO THE ISSUE OF THE CONSTRUCTION CERTIFICATE
These conditions either require modification to the development proposal or further investigation/information prior to the issue of the Construction Certificate to ensure that there is no adverse impact.
16. CC2004 - Development Assessment - Design Changes - The following design changes are required and are to be incorporated into the plans to be lodged with the Construction Certificate application.
i) A Flood Assessment by Kozarovski and Partners Pty Ltd dated 20/2/15 identified that a surface flow rate of 0.292m3/s enters the Stanley Street carriageway via the kerb-return from Boundary Road (north west) in a 1:100yr ARI storm event.
The vehicular entrance to the basement of the proposed development is potentially vulnerable to stormwater during such a storm should sufficient of this flow cross to the south eastern side of Stanley Street.
The following design changes are required and are to be incorporated into the plans to be lodged with the Construction Certificate application (as required):
Either,
(a) a detailed assessment of the flow path, and depth of flow, of the 0.292m3/s entering Stanley Street is to be prepared by a suitably qualified Hydraulic Engineer confirming that the development is not at risk of entry from such flows,
Or,
(b) plans for lodgement with the Construction Certificate Application are to be amended for the management of such flows detailing the process of capture and disposal without impacting on neighbouring properties.
17. CC2029 - Development Assessment - Design Changes - The following design changes are required and are to be incorporated into the plans to be lodged with the Construction Certificate application.
(a) The submitted concept hydraulic plan shall be amended to indicate all outlet pipes from grated drains/pits to be 150mm (min.).
These design changes are to be incorporated into the Detailed Hydraulic Plans submitted for approval with the Construction Certificate Application.
18. CC3001 - Development Engineering - Stormwater System
|
Reference No. |
Date |
Description |
Revision |
Prepared by |
|
845.14 Drg. D3 |
27/11/15 |
Basement Level Stormwater Drainage Plan |
C |
LMW Design Group Pty Ltd |
|
845.14 Drg. D4 |
27/11/15 |
Ground Level Site Stormwater Drainage Plan |
C |
LMW Design Group Pty Ltd |
|
845.14 Drg. D4A |
27/11/15 |
OSD Basin Section Details |
C |
LMW Design Group Pty Ltd |
The above submitted stormwater plan has been assessed as a concept plan only and no detailed assessment of the design has been undertaken.
All stormwater shall drain by gravity to the upper level of Council’s proposed kerb inlet pit in Boundary Road, to be located directly in front of the property boundary, in accordance with the Australian/New Zealand Standard AS/NZS 3500.3: 2003 (as amended).
19. CC3002 - Development Engineering - Stormwater Systems with Basement -
|
Reference No. |
Date |
Description |
Revision |
Prepared by |
|
845.14 Drg. D3 |
27/11/15 |
Basement Level Stormwater Drainage Plan |
C |
LMW Design Group Pty Ltd |
The above submitted stormwater plan has been assessed as a concept plan only and no detailed assessment of the design has been undertaken.
The underground basement car park must pump to and all other stormwater must drain by gravity to the upper level of the new kerb inlet pit required to be constructed directly in front of the development site in Boundary Road.
The design of the proposed drainage system must be prepared by a qualified practising hydraulics engineer (with details of qualifications being provided) and be submitted for approval with the Construction Certificate application.
20. CC3003 - Development Engineering - Stormwater - Protection of basement from inundation of stormwater waters
|
Reference No. |
Date |
Description |
Revision |
Prepared by |
|
C-2750-01 |
20/2/15 |
Flood Assessment for a Proposed Development at 119 Boundary Road, Peakhurst |
1 |
Kozarovski and Partners |
|
14103 Drg. DA03 |
3/7/14 |
Basement Floor Plan |
A |
MITZ Design |
|
845.14 Drg. D3 |
27/11/15 |
Basement Level Stormwater Drainage Plan |
C |
LMW Design Group Pty Ltd |
|
845.14 Drg. D4 |
27/11/15 |
Ground Level Site Stormwater Drainage Plan |
C |
LMW Design Group Pty Ltd |
The above submitted stormwater plan has been assessed as a concept plan only and no detailed assessment of the design has been undertaken.
· The construction of the building shall be designed conform to the recommendations and conclusions of Kozarovski and Partners Pty Ltd in the plan titled Flood Assessment for 119 Boudary Road dated 20/2/15; this is in regard to the protection of the warehouse and basement from flooding occurring on the south eastern side of Stanley Street at the south western side of the development site.
· Further protection (as required - see condition CC2004 (above)) is to be provided to the basement from flood water entering via the proposed vehicle crossing - having crossed Stanley Street after entering from the north western kerb return at Boundary Road.
Evidence from an appropriately qualified person that this design requirement has been adhered to shall be submitted with the Construction Certificate application.
21. CC3004 - Development Engineering - Stormwater Drainage Plans
|
Reference No. |
Date |
Description |
Revision |
Prepared by |
|
14103 Drg. DA03 |
3/7/14 |
Basement Floor Plan |
A |
MITZ Design |
|
845.14 Drg. D3 |
27/11/15 |
Basement Level Stormwater Drainage Plan |
C |
LMW Design Group Pty Ltd |
|
845.14 Drg. D4 |
27/11/15 |
Ground Level Site Stormwater Drainage Plan |
C |
LMW Design Group Pty Ltd |
The above submitted stormwater plan has been assessed as a concept plan only and no detailed assessment of the design has been undertaken.
Stormwater drainage plans including pipe sizes, type, grade, length, invert levels, dimensions and types of drainage pits prepared by a qualified practising hydraulics engineer (with details of qualifications being provided) in accordance with the Australian Institute of Engineers Australian Rainfall and Runoff (1987) and Council's Stormwater Drainage Guidelines, shall accompany the application for the Construction Certificate.
22. CC3005 - Development Engineering - On Site Detention
|
Reference No. |
Date |
Description |
Revision |
Prepared by |
|
|
845.14 Drg. D4A |
27/11/15 |
OSD Basin Section Details |
C |
LMW Design Group Pty Ltd |
|
The above submitted stormwater plan has been assessed as a concept plan only and no detailed assessment of the design has been undertaken.
An on-site detention (OSD) facility designed by a professional hydrological/hydraulic engineer, shall be installed. The design must include the computations of the inlet and outlet hydrographs and stage/storage relationships of the proposed OSD using the following design parameters:
(a) Peak flow rates from the site are to be restricted to a permissible site discharge (PSD) equivalent to the discharge when assuming the site contained a single dwelling, garage, lawn and garden, at Annual Recurrence Intervals of 2 years and 100 years.
Refer to Flow Controls in Council's Draft/Adopted Stormwater Drainage Policy.
(b) The OSD facility shall be designed to meet all legislated safety requirements and childproof safety fencing around the facility must be provided where the OSD facility is open or above ground when the design peak storage depth is greater than 300mm. A durable metal plate or similar sign is to be placed at the OSD facility and must bear the words:
This is an on-site detention basin/tank and is subject to possible surface overflow during heavy storms.
Full details shall accompany the application for the Construction Certificate
23. CC3012 - Development Engineering - Pump-Out System Design for Stormwater Disposal - The design of the pump-out system for storm water disposal will be permitted for drainage of basement areas only, and must be designed in accordance with the following criteria:
(a) The pump system shall consist of two (2) pumps, connected in parallel, with each pump being capable of emptying the holding tank at the rate equal to the rate of inflow for the one (1) hour duration storm. The holding tank shall be capable of holding one hour’s runoff from a one (1) hour duration storm of the 1 in 20 year storm;
(b) The pump system shall be regularly maintained and serviced, every six (6) months; and
(c) Any drainage disposal to the street gutter from a pump system must have a stilling sump provided at the property line, connected to the street gutter by a suitable gravity line.
Engineering details demonstrating compliance and certification from an appropriately qualified and practising civil engineer shall be provided with the application for the Construction Certificate.
24. CC7006 - Building - Vibration Damage - To minimise vibration damage and loss of support to the buildings in close proximity to the development, any excavation is to be carried out by means of a rock saw and if available, in accordance with the guidelines of the Geotechnical Engineer’s report.
Alternatively where a hydraulic hammer is to be used within 30 metres of any building (other than a path or a fence) a report from a qualified geotechnical engineer detailing the maximum size of hammer to be used is to be obtained and the recommendations in that report implemented during work on the site. The report shall be submitted with the Construction Certificate application.
25. CC7008 - Building - Access for Persons with a Disability - Sanitary facilities for, persons with disabilities must be provided in accordance with the requirements of the Building Code of Australia, and AS 1428.1.
26. CC7016 - Building - Total conformity with the BCA and EP&A Regulation 2000 - Pursuant to the Environmental Planning and Assessment Regulation 2000, the industrial unit and any affected adjoining structures must be brought into total conformity with the Building Code of Australia 2014, including but not limited to;
(a) Fire hazard property certification on linings, materials and assemblies.
(b) Fire separation of classifications in different storeys and different factory units
(c) Construction and location of electrical supply systems
(d) Protection of openings for services
(e) Construction and operation of required exits and exit stairways
(f) Fire safety services & equipment including hydrants, fire extinguishers, fire hoses, emergency lights, exit signs and smoke hazard management etc.
(g) Construction of exit stairways, handrails, balustrade and access/egress requirements that demonstrate compliance.
27. CC2003 - Development Assessment - Construction Site Management Plan - Major Development - A Site Management Plan must be submitted with the application for the Construction Certificate, and must include the following measures:
· location of protective site fencing;
· location of site storage areas/sheds/equipment;
· location of building materials for construction, e.g. stockpiles
· provisions for public safety;
· dust control measures;
· method used to provide site access location and materials used;
· details of methods of disposal of demolition materials;
· method used to provide protective measures for tree preservation;
· provisions for temporary sanitary facilities;
· location and size of waste containers/skip bins;
· details of proposed sediment and erosion control measures;
· method used to provide construction noise and vibration management;
· construction traffic management details.
The site management measures are to be implemented prior to the commencement of any works including demolition and excavation. The site management measures are to be maintained throughout the works, to maintain reasonable levels of public health, safety and amenity. A copy of the Site Management Plan must be retained on site and is to be made available upon request.
28. CC6004 - Engineering – Traffic Management – Compliance with AS2890 - All driveways, access ramps, vehicular crossings and car parking spaces shall be designed and constructed in accordance with the current version of Australian Standards, AS 2890.1 (for car parking facilities) and AS 2890.2 (for commercial vehicle facilities).
29. CC2001 - Development Assessment - Erosion and Sedimentation Control - Erosion and sediment controls must be provided to ensure:
(a) Compliance with the approved Erosion and Sediment Control Plan
(b) Removal or disturbance of vegetation and top soil is confined to within 3m of the approved building area (no trees to be removed without approval)
(c) all clean water run-off is diverted around cleared or exposed areas
(d) silt fences, stabilised entry/exit points or other devices are installed to prevent sediment from entering drainage systems or waterways
(e) all erosion and sediment controls are fully maintained for the duration of demolition, excavation and/or development works
(f) controls are put into place to prevent tracking of sediment by vehicles onto adjoining roadway
(g) all disturbed areas are rendered erosion-resistant by turfing, mulching, paving or similar
(h) Compliance with Managing Urban Stormwater - Soils and Construction (Blue Book) produced by Landcom 2004.
These measures are to be implemented before the commencement of work (including demolition and excavation) and must remain until the issue of the Occupation Certificate.
30. CC7010 - Building - Geotechnical Reports - The applicant must submit a Geotechnical Report, prepared by a suitably qualified Geotechnical Engineer who holds the relevant Certificate of accreditation as required under the Building Professionals Act 2005 in relation to dilapidation reports, all site works and construction. This is to be submitted before the issue of the Construction Certificate and is to include:
(a) Investigations certifying the stability of the site and specifying the design constraints to be placed on the foundation, any earthworks/stabilization works and any excavations.
(b) Dilapidation Reports on the adjoining properties prior to any excavation of site works. The Dilapidation Report is to include assessments on, but not limited to, the adjoining buildings and any external paths, grounds etc. This must be submitted to the Certifying Authority and the adjoining residents as part of the application for the Construction Certificate. Adjoining property owners/occupants are to be provided with the report five (5) working days prior to any works on the site.
(c) Rock excavation is to be carried out with tools such as rock saws which reduce vibration to adjoining buildings and associated structures.
(d) If required, sides of the excavation are to be piered prior to any excavation occurring to reinforce the walls of the excavation to prevent any subsidence to the required setbacks and neighbouring sites.
31. CC7004 - Building - Structural details - Structural plans, specifications and design statement prepared and endorsed by a suitably qualified practising structural engineer who holds the applicable Certificate of Accreditation as required under the Building Professionals Act 2005 shall be submitted along with the Construction Certificate application to the Certifying Authority for any of the following, as required by the building design:
(a) piers
(b) footings
(c) slabs
(d) columns
(e) structural steel
(f) reinforced building elements
(g) swimming pool design
(h) retaining walls
(i) stabilizing works
(j) structural framework
32. CC7002 - Building - Fire Safety Measures prior to Construction Certificate - Prior to the issue of a Construction Certificate a list of the essential fire safety measures that are to be provided in relation to the land and any building on the land as a consequence of the building work must accompany an application for a construction certificate, which is required to be submitted to either Council or a Certifying Authority. Such list must also specify the minimum standard of performance for each essential fire safety measure included in the list. The Council or Certifying Authority will then issue a Fire Safety Schedule for the building.
33. CC8001 - Waste - Waste Management Plan - A Waste Management Plan incorporating all requirements in respect of the provision of waste storage facilities, removal of all materials from the site that are the result of site, clearing, extraction, and, or demolition works and the designated Waste Management Facility shall be submitted to the Principal Certifying Authority and copy provided to the Manager - Environmental Services, Hurstville City Council prior to the issue of any Construction Certificate.
34. CC8009 - Waste - Waste Storage Containers - Specialised Industrial Uses - The following waste and recycling facilities will be required:
(a) General Waste Facilities - 0.1-0.2 cubic metres per 100 square metres of floor area per day;
(b) Industrial Waste - that is solid waste derived from the manufacture or repair of equipment - specialised containers appropriate for the nature of waste derived from the manufacture or repair of equipment; and,
(c) Recycling Facilities - appropriate recycling facilities to be provided.
All waste and recycling containers shall be stored in an approved waste storage area within the confines of each sole occupancy unit that is large enough to house the required number of bins, appropriate for the intended use of each sole occupancy unit.
Details of the Waste Storage Area must be illustrated on the plans submitted with the application for the Construction Certificate.
35. CC2001 - Development Assessment - Erosion and Sedimentation Control - Erosion and sediment controls must be provided to ensure:
(a) Compliance with the approved Erosion and Sediment Control Plan
(b) Removal or disturbance of vegetation and top soil is confined to within 3m of the approved building area (no trees to be removed without approval)
(c) all clean water run-off is diverted around cleared or exposed areas
(d) silt fences, stabilised entry/exit points or other devices are installed to prevent sediment from entering drainage systems or waterways
(e) all erosion and sediment controls are fully maintained for the duration of demolition, excavation and/or development works
(f) controls are put into place to prevent tracking of sediment by vehicles onto adjoining roadway
(g) all disturbed areas are rendered erosion-resistant by turfing, mulching, paving or similar
(h) Compliance with Managing Urban Stormwater - Soils and Construction (Blue Book) produced by Landcom 2004.
These measures are to be implemented before the commencement of work (including demolition and excavation) and must remain until the issue of the Occupation Certificate.
PRIOR TO THE COMMENCEMENT OF WORK (INCLUDING DEMOLITION AND EXCAVATION)
These conditions have been imposed to ensure that all pre-commencement matters are dealt with and finalised prior to the commencement of work.
36. PREC2001 - Building regulation - Site sign - Soil and Erosion Control Measures - Prior to the commencement of works (including demolition and excavation), the durable site sign issued by Hurstville City Council in conjunction with this consent must be erected in a prominent location on site. The site sign warns of the penalties which apply to pollution, storing materials on road or footpath and breaches of the conditions relating to erosion and sediment controls. The sign must remain in a prominent location on site up until the completion of all site and building works.
37. PREC2002 - Development Assessment - Demolition and Asbestos - The demolition work shall comply with the provisions of Australian Standard AS2601:2011 - Demolition of Structures, NSW Work Health and Safety Act 2011 and the NSW Work Health and Safety Regulation 2011. The work plans required by AS2601-2001 shall be accompanied by a written statement by a suitably qualified person that the proposals contained in the work plan comply with the safety requirements of the Standard. The work plans and the safety statement shall be submitted to the Principal Certifying Authority prior to the commencement of works.
For demolition work which involves the removal of asbestos, the asbestos removal work must be carried out by a licensed asbestos removalist who is licensed to carry out the work in accordance with the NSW Work Health and Safety Act 2011 and the NSW Work Health and Safety Regulation 2011 unless specified in the Act and/or Regulation that a license is not required.
The asbestos removal work shall also be undertaken in accordance with the How to Safely Remove Asbestos: Code of Practice published by Work Cover NSW.
Copies of the Act, Regulation and Code of Practice can be downloaded free of charge from the Work Cover NSW website: www.workcover.nsw.gov.au
38. PREC2008 Development Assessment – Demolition Notification Requirements - The following notification requirements apply to this consent:
a) The developer /builder must notify adjoining residents five (5) working days prior to demolition. Such notification is to be a clearly written note giving the date demolition will commence, contact details of the developer/builder, licensed asbestos demolisher and the appropriate regulatory authority. Notification is to be placed in the letterbox of every premises (including every residential flat or unit, if any) either side and immediately at the rear of the demolition site.
b) Five (5) working days prior to demolition, the developer/builder is to provide written notification to Hurstville City Council advising of the demolition date, details of the WorkCover licensed asbestos demolisher and the list of residents advised of the demolition.
c) On demolition sites where buildings to be demolished contain asbestos, a standard commercially manufactured sign containing the words “DANGER ASBESTOS REMOVAL IN PROGRESS” measuring not less than 400mm x 300mm is to be erected in a prominent visible position (from street frontage) on the site. The sign is to be erected prior to demolition work commencing and is to remain in place until such time as all asbestos material has been removed from the site to an approved waste facility.
39. PREC2009 – Development Assessment – Demolition work involving asbestos removal - Work involving bonded asbestos removal work (of an area of more than 10 square metres) or friable asbestos removal work must be undertaken by a person who carries on a business of such removal work in accordance with a licence under clause 458 of the Work Health and Safety Regulation 2011.
40. PREC6001 - Engineering - Dial before your dig - The applicant shall contact “Dial Before You Dig on 1100” to obtain a Service Diagram prior to the issuing of the Construction Certificate. The sequence number obtained from “Dial Before You Dig” shall be forwarded to Council’s Engineers for their records.
41. PREC7001 - Building - Registered Surveyors Report - During Development Work - A report must be submitted to the Principal Certifying Authority at each of the following applicable stages of construction:
(a) Set out before commencing excavation.
(b) Floor slabs or foundation wall, before formwork or commencing brickwork.
(c) Completion of Foundation Walls - Before any construction of flooring, detailing the location of the structure relative to adjacent boundaries and floor levels relative to the datum shown on the approved plans.
(d) Completion of Floor Slab Formwork - Before pouring of concrete/walls construction, detailing the location of the structure relative to adjacent boundaries and floor levels relative to the datum shown on the approved plans. In multi-storey buildings a further survey must be provided at each subsequent storey.
(e) Completion of any Pool Formwork - Before concreting of pool shell, detailing the location of the pool relative to the adjacent boundaries and its height relative to the datum shown on the approved plans.
(f) Completion of any Roof Framing - Before roof covered detailing eaves/gutter setback from boundaries.
(g) Completion of all Work - Detailing the location of the structure (including eaves/gutters) relative to adjacent boundaries and its height relative to the datum shown on the approved plans. A final Check Survey must indicate the reduced level of the main ridge.
Work must not proceed beyond each stage until the Principal Certifying Authority is satisfied that the height and location of the building is proceeding in accordance with the approved plans.
42. PREC7002 - Building - Utility Arrangements - Arrangements are to be made with utility authorities in respect to the services supplied by those authorities to the development. The cost associated with the provision or adjustment of services within the road and footway areas is to be at the developer’s expense.
DURING WORK
These conditions have been imposed to ensure that there is minimal impact on the adjoining development and surrounding locality during the construction phase of the development.
43. CON2001 - Development Assessment - Hours of construction, demolition and building related work - Any work activity or activity associated with the development consent that requires the use of any tools (including hand tools) or any power operated plant and machinery that creates noise on or adjacent to the site shall not be performed, or permitted to be performed, except between the hours of 7.00 am to 5.00 pm, Monday to Saturday inclusive. No work or ancillary activity shall be permitted to be performed on any Sunday, Good Friday, Christmas Day or any Public Holiday. A penalty infringement notice may be issued for any offence.
In addition to the foregoing requirements, construction work on all buildings (except that on single dwelling houses and associated structures on the site of a single dwelling house) shall be prohibited on Saturdays and Sundays on weekends adjacent to a public holiday.
44. CON2002 - Development Assessment - Ground levels and retaining walls - The ground levels of the site shall not be excavated, raised or filled, or retaining walls constructed on the allotment boundary, except where indicated on approved plans or approved separately by Council.
45. CON3001 - Development Engineering - Physical connection of stormwater to site - No work is permitted to proceed above the ground floor slab level of the building until there is physical connection of the approved stormwater drainage system from the land the subject of this consent to Council's proposed kerb inlet pit/drainage system extension in Boundary Road.
46. CON6002 - Engineering - Obstruction of Road or Footpath - The use of the road or footpath for the storage of any building materials, waste materials, temporary toilets, waste or skip bins, or any other matter is not permitted unless separately approved by Council under Section 138 of the Roads Act and/or under Section 68 of the Local Government Act 1993. Penalty Infringement Notices may be issued for any offences and severe penalties apply.
47. CON7001 - Building - Structural Engineer’s Certification during construction - The proposed building must be constructed in accordance with details designed and certified by the practising qualified structural engineer. All structural works associated with the foundations, piers, footings and slabs for the proposed building must be inspected and structurally certified for compliance by an independent practising geotechnical and structural engineer. In addition a Compliance or Structural Certificate, to the effect that the building works have been carried in accordance with the structural design, must be submitted to the Principal Certifying Authority at each stage of construction or prior issue of the Occupation Certificate.
48. CON8001 - Waste - Waste Management Facility - All materials removed from the site as a result of demolition, site clearing, site preparation and, or excavation shall be disposed of at a suitable Waste Management Facility. No vegetation, article, building material, waste or the like shall be ignited or burnt whatsoever or in association with the work on site. Copies of all receipts for the disposal, or processing of all such materials shall be submitted to the Principal Certifying Authority and a copy provided to the Manager Environmental Services, Hurstville City Council.
PRIOR TO THE ISSUE OF THE OCCUPATION CERTIFICATE
These conditions have been imposed to ensure that all works have been completed in accordance with the Development Consent prior to the issue of the Occupation Certificate.
49. OCC3001 - Development Engineering - Positive Covenant for On-site Detention Facility - A Positive Covenant is to be created over any on-site detention facility.
This covenant is to be worded as follows:
It is the responsibility of the lots burdened to keep the "On-Site Detention" facilities, including any ancillary pumps, pipes, pits etc, clean at all times and maintained in an efficient working condition. The "On-Site Detention" facilities are not to be modified in any way without the prior approval of Council.
Hurstville City Council is to be nominated as the Authority to release, vary or modify this Covenant.
The Positive Covenant shall be registered at the NSW Department of Lands prior to the issue of a Final Occupation Certificate.
50. OCC3002 - Development Engineering - Works as Executed and Certification of Stormwater works - Prior to the issue of an Occupation Certificate, the Principal Certifying Authority must ensure that the stormwater drainage system has been constructed in accordance with the approved design and relevant Australian Standards.
A works-as-executed drainage plan and certification must be forwarded to the Principal Certifying Authority and Hurstville City Council, from a suitably qualified and experienced Hydraulic Consultant/Engineer.
This Plan and Certification shall confirm that the design and construction of the stormwater drainage system satisfies the conditions of development consent and the Construction Certificate stormwater design details approved by the Certifying Authority.
The works-as-executed drainage plan must prepared by a suitably qualified and experienced Hydraulic Engineer in conjunction with a Registered Surveyor and the works-as-executed plan must include the following details:
(a) The location of any detention basin/s with finished surface levels;
(b) Finished site contours at 0.2 metre intervals;
(c) Volume of storage available in any detention areas;
(d) The location, diameter, gradient and material (i.e. PVC, RC etc) of all stormwater pipes;
(e) The orifice size/s;
(f) Details of any pumping systems installed (including wet well volumes).
51. OCC7002 - Building - Slip Resistance - At completion of work an in-situ (on-site) test, in wet and dry conditions, must be carried out on pedestrian floor surfaces used in foyers, public corridors/hallways, stairs and ramps as well as the floor surfaces in wet rooms in any commercial/retail units to ascertain the actual slip resistance of such surfaces taking into consideration the effects of grout, the gradients of the surface and changes from one material to another. The in-situ test must be carried out in accordance with AS/NZS 4663:2002. Details of compliance must submitted with the application for the Occupation Certificate.
52. OCC6009 - Engineering - Stormwater drainage works - Works As Executed - Prior to the issue of the Occupation Certificate, storm water drainage works are to be certified by a qualified storm water engineer, with Works-As-Executed drawings supplied to Council detailing:
(a) Compliance with conditions of development consent relating to stormwater;
(b) The structural adequacy of the On-Site Detention system (OSD);
(c) That the works have been constructed in accordance with the approved design and will provide the detention storage volume and attenuation in accordance with the submitted calculations;
(d) Pipe invert levels and surface levels to Australian Height Datum;
(e) Contours indicating the direction in which water will flow over land should the capacity of the pit be exceeded in a storm event exceeding design limits.
Council’s Engineering Services section must advise in writing that they are satisfied with the Works-As-Executed prior to the issue of the Occupation Certificate.
53. OCC3011 - Development Engineering - Requirements prior to the issue of the Occupation Certificate - The following shall be completed and or submitted to the Principal Certifying Authority (PCA) prior to the issue of the Occupation Certificate:
(a) All the stormwater/drainage works shall be completed in accordance with the approved Construction Certificate plans prior to the issue of the Occupation Certificate.
(b) The internal driveway construction works, together with the provision for all services (conduits and pipes laid) shall be completed in accordance with the approved Construction Certificate plans prior to the issue of the Occupation Certificate.
(c) Construct any new vehicle crossings required.
(d) Replace all redundant vehicle crossing laybacks with kerb and guttering, and replace redundant concrete with turf.
(e) Work as Executed Plans prepared by a Chartered Professional Engineer or a Registered Surveyor when all the site engineering works are complete shall be submitted to the PCA prior to the issue of the Occupation Certificate.
(f) The construction of the extension of Council’s drainage system to terminate with an extended kerb inlet pit directly opposite the development site’s Boundary Road frontage shall be completed in accordance with the conditions and specifications of the Section 138 Drainage Activity Approval.
54. OCC2005 - Development Assessment - Completion of Landscape Works - All landscape works must be completed before the issue of the Final Occupation Certificate.
55. OCC2007 - Development Assessment - Car parking spaces – Thirteen (13) parking spaces are to be provided and maintained for the development.
56. OCC7001 - Building - Fire Safety Certificate before Occupation or Use - In accordance with Clause 153 of the Environmental Planning and Assessment Regulation 2000 (the Regulation), on completion of building works and prior to the issue of an Occupation Certificate, the owner must cause the issue of a Final Fire Safety Certificate in accordance with Clause 170 of the Regulation. The Fire Safety Certificate must be in the form required by Clause 174 of the Regulation. In addition, each essential fire or other safety measure implemented in the building or on the land on which the building is situated, such a Certificate must state:
(a) That the measure has been assessed by a person (chosen by the owner of the building) who is properly qualified to do so.
(b) That as at the date of the assessment the measure was found to be capable of functioning at a standard not less than that required by the attached Schedule.
A copy of the certificate is to be given (by the owner) to the Commissioner of Fire and Rescue NSW and a further copy is to be displayed in a frame and fixed to a wall inside the building's main entrance.
ONGOING CONDITIONS
These conditions have been imposed to ensure that the use or operation of the development does not adversely impact on the amenity of the neighbourhood or environment.
57. ONG2002 - Development Assessment - Hours of operation - The approved hours of operation shall be restricted to the following:
Monday – Friday: 9am to 5pm
Saturday – Sunday: 10am to 4pm
No deliveries to or from the site are permitted on Saturdays and Sundays.
58. ONG2003 - Development Assessment - Maintenance of Landscaping - All trees and plants forming part of the landscaping must be maintained on an ongoing basis. Maintenance includes watering, weeding, removal of rubbish from tree bases, fertilizing, pest and disease control and any other operations required to maintain healthy trees, plants and turfed areas.
59. ONG7002 - Building - Annual Fire Safety Statement - In accordance with Clause 177 of the Environmental Planning and Assessment Regulation, 2000 the owner of the building premises must cause the Council to be given an annual fire safety statement in relation to each essential fire safety measure implemented in the building. The annual fire safety statement must be given:
(a) Within twelve (12) months after the date on which the fire safety certificate was received.
(b) Subsequent annual fire safety statements are to be given within twelve (12) months after the last such statement was given.
(c) An annual fire safety statement is to be given in or to the effect of Clause 181 of the Environmental Planning and Assessment Regulation, 2000.
(d) A copy of the statement is to be given to the Commissioner of Fire and Rescue NSW, and a further copy is to be prominently displayed in the building.
60. ONG7004 - Building - Noise levels emitted from any plant, machinery, mechanical exhaust system or any outdoor air conditioning unit must not exceed the background noise level in any octave band when measured at any point on the boundary of the site.
61. ONG4018 - Health - Amenity of the neighbourhood - The implementation of this development shall not adversely affect the amenity of the neighbourhood or interfere unreasonably with the comfort or repose of a person who is outside the premises by reason of the emission or discharge of noise, fumes, vapour, odour, steam, soot, dust, waste water, waste products, grit, oil or other harmful products.
No vegetation, article, building material, waste or the like shall be ignited or burnt whatsoever or in association with the work on site.
ADVICE
This advice has been included to provide additional information and where available direct the applicant to additional sources of information based on the development type.
62. ADV7001 - Building - Council as PCA - Deemed to Satisfy Provisions of BCA - Should the Council be appointed as the Principal Certifying Authority in determining the Construction Certificate, the building must comply with all the applicable deemed to satisfy provision of the BCA. However, if an alternative solution is proposed it must comply with the performance requirements of the BCA, in which case, the alternative solution, prepared by an appropriately qualified fire consultant, accredited and having specialist qualifications in fire engineering, must justify the non-compliances with a detailed report, suitable evidence and expert judgement. Council will also require if deemed necessary, for the alternative solution to undergo an independent peer review by either the CSIRO or other accredited organisation. In these circumstances, the applicant must pay all costs for the independent review.
63. ADV2002 - Development Assessment - Site Safety Fencing - Site fencing must be erected in accordance with WorkCover Guidelines, to exclude public access to the site throughout the demolition and/or construction work, except in the case of alterations to an occupied dwelling. The fencing must be erected before the commencement of any work and maintained throughout any demolition and construction work.
For more information visit www.workcover.nsw.gov.au
Schedule B – Prescribed Conditions
Prescribed conditions are those which are mandated under Division 8A of the Environmental Planning and Assessment Regulation 2000 and given weight by Section 80A (11) of the Environmental Planning and Assessment Act 1979.
Detailed below is a summary of all the prescribed conditions which apply to development in New South Wales. Please refer to the full details of the prescribed conditions as in force, at www.legislation.nsw.gov.au.
It is the responsibility of the beneficiary of this consent to determine which prescribed conditions apply.
64. PRES1001 - Clause 97A – BASIX Commitments - This Clause requires the fulfilment of all BASIX Commitments as detailed in the BASIX Certificate to which the development relates.
65. PRES1002 - Clause 98 – Building Code of Australia & Home Building Act 1989 - Requires all building work to be carried out in accordance with the Building Code of Australia. In the case of residential building work to which the Home Building Act 1989 relates, there is a requirement for a contract of insurance to be in force before any work commences.
66. PRES1003 - Clause 98A – Erection of Signs - Requires the erection of signs on site and outlines the details which are to be included on the sign. The sign must be displayed in a prominent position on site and include the name and contact details of the Principal Certifying Authority and the Principal Contractor.
67. PRES1004 - Clause 98B – Home Building Act 1989 - If the development involves residential building work under the Home Building Act 1989, no work is permitted to commence unless certain details are provided in writing to Council. The name and licence/permit number of the Principal Contractor or Owner Builder and the name of the Insurer by which work is insured under Part 6 of the Home Building Act 1989.
68. PRES1007 - Clause 98E – Protection & support of adjoining premises - If the development involves excavation that extends below the level of the base of the footings of a building on adjoining land, this prescribed condition requires the person who benefits from the development consent to protect and support the adjoining premises and where necessary underpin the adjoining premises to prevent any damage.
Schedule C – Operational & Statutory Conditions
These conditions comprise the operational and statutory conditions which must be satisfied under the Environmental Planning and Assessment Act 1979 and the Environmental Planning & Assessment Regulation 2000. Please refer to the full details of the Act and Regulations as in force, at www.legislation.nsw.gov.au.
It is the responsibility of the beneficiary of this consent to determine which operational and statutory conditions apply.
69. OPER1001 - Requirement for a Construction Certificate - The erection of a building must not commence until a Construction Certificate has been issued by the consent authority, the Council (if the Council is not the consent authority) or an accredited certifier.
An application form for a Construction Certificate is attached for your convenience.
70. OPER1002 - Appointment of a Principal Certifying Authority - The erection of a building must not commence until the beneficiary of the development consent has:
(a) appointed a Principal Certifying Authority (PCA) for the building work; and
(b) if relevant, advised the PCA that the work will be undertaken as an Owner-Builder.
If the work is not going to be undertaken by an Owner-Builder, then the beneficiary of the consent must:
(a) appoint a Principal Contractor to undertake the building work. If residential building work (within the meaning of the Home Building Act 1989) is to be undertaken, the Principal Contractor must be a holder of a contractor licence; and
(b) notify the PCA of the details of any such appointment; and
(c) notify the Principal Contractor of any critical stage inspections or other inspections that are required to be carried out in respect of the building work.
An Information Pack is attached for your convenience should you wish to appoint Hurstville City Council as the Principal Certifying Authority for your development.
71. OPER1003 - Notification of Critical Stage Inspections - No later than two (2) days before the building work commences, the PCA must notify:
(a) the consent authority and the Council (if not the consent authority) of his or her appointment; and
(b) the beneficiary of the development consent of the critical stage inspections and other inspections that are to be carried out with respect to the building work.
72. OPER1004 - Notice of Commencement - The beneficiary of the development consent must give at least two (2) days’ notice to the Council and the PCA of their intention to commence the erection of a building.
A Notice of Commencement Form is attached for your convenience.
73. OPER1007 - Critical Stage Inspections - The last critical stage inspection must be undertaken by the Principal Certifying Authority. The critical stage inspections required to be carried out vary according to Building Class under the Building Code of Australia and are listed in Clause 162A of the Environmental Planning and Assessment Regulation 2000.
74. OPER1008 - Notice to be given prior to critical stage inspections - The principal contractor for a building site, or the owner-builder, must notify the principal certifying authority at least 48 hours before each required inspection needs to be carried out.
Where Hurstville City Council has been appointed PCA, forty eight (48) hours’ notice in writing, or alternatively twenty four (24) hours’ notice by facsimile or telephone, must be given to when specified work requiring inspection has been completed.
75. OPER1009 - Occupation Certificate - A person must not commence occupation or use of the whole or any part of a new building unless an Occupation Certificate has been issued in relation to the building or part.
Only the Principal Certifying Authority appointed for the building work can issue the Occupation Certificate.
An Occupation Certificate Application Form is attached for your convenience.
If you need more information, please contact the Senior Development Assessment Officer, below on 9330-6222 between 9.30am -11.30am business days.
For a video relating to 119 Boundary Rd Peakhurst, click here.
|
Appendix View1 |
Location Plan - 119 Boundary Rd Peakhurst |
|
Appendix View2 |
Site Photo 1 - 119 Boundary Rd Peakhurst |
|
Appendix View3 |
Site Photo 2 - 119 Boundary Rd Peakhurst |
|
Appendix View4 |
Amended Plans - 119 Boundary Rd Peakhurst |
|
Appendix View5 |
Amended Landscape Plan - 119 Boundary Rd Peakhurst |
Hurstville City Council – Council Meeting Wednesday, 2 March 2016
CCL056-16 119 Boundary Rd Peakhurst - Demolition of Existing and Construction of 3 Storey Warehouse and Showroom
[Appendix 1] Location Plan - 119 Boundary Rd Peakhurst
CCL056-16 119 Boundary Rd Peakhurst - Demolition of Existing and Construction of 3 Storey Warehouse and Showroom
[Appendix 2] Site Photo 1 - 119 Boundary Rd Peakhurst
CCL056-16 119 Boundary Rd Peakhurst - Demolition of Existing and Construction of 3 Storey Warehouse and Showroom
[Appendix 3] Site Photo 2 - 119 Boundary Rd Peakhurst
CCL056-16 119 Boundary Rd Peakhurst - Demolition of Existing and Construction of 3 Storey Warehouse and Showroom
[Appendix 4] Amended Plans - 119 Boundary Rd Peakhurst










CCL056-16 119 Boundary Rd Peakhurst - Demolition of Existing and Construction of 3 Storey Warehouse and Showroom
[Appendix 5] Amended Landscape Plan - 119 Boundary Rd Peakhurst
CCL057-16 53 Elwin St Peakhurst - Torrens Title Subdivision - Two Allotments
|
Applicant |
Archwood Design |
|
Proposal |
Torrens Title Subdivision into two (2) allotments |
|
Owners |
BTA Enterprises (Aust) Pty Ltd |
|
Report Author/s |
Development Assessment Officer, Mr M Raymundo |
|
File |
DA2015/0328 |
|
Previous Reports Referenced |
No |
|
Disclosure of Political Donations or Gifts |
No |
|
Zoning |
Zone R2 - Low Density Residential |
|
Existing Development |
Dwelling House |
|
Cost of Development |
$15,000.00 |
|
Reason for Referral to Council |
Three (3) submissions received and site slopes from front to rear |
|
Planning Instruments Applicable |
Hurstville Local Environmental Plan 2012, State Environmental Planning Policy No 55 – Remediation of Land, Greater Metropolitan Regional Environmental Plan No 2 - Georges River Catchment, Development Control Plan No 1 - LGA Wide |
|
Hurstville Local Environment Plan Interpretation of Use |
Subdivision |
EXECUTIVE SUMMARY
1. The proposal seeks development consent for Torrens Title subdivision of existing residential allotment into two (2) allotments on land known as 53 Elwin Street, Peakhurst.
2. The proposal complies in full. It noted that no development consent is granted for the removal of trees.
3. The proposal was notified to thirty four (34) adjoining neighbouring owners/occupiers. In response, three (3) submissions were received.
|
THAT the application be granted a deferred commencement consent in accordance with the conditions included in the report. |
REPORT DETAIL
DESCRIPTION OF THE PROPOSAL
The proposal seeks development consent for Torrens Title subdivision of an existing residential allotment into two (2) allotments on land known as 53 Elwin Street, Peakhurst. The extent of works is detailed as follows;
· Torrens Title Subdivision into two (2) allotments:
o Allotment A (front allotment) – 563.92sqm; 29.72m along the northern side boundary, 16.62m along the western rear boundary, 30.18m along the southern side boundary, 16.76m and 1.37m along the eastern boundary.
o Allotment B (rear allotment) – 608.25sqm; 38.12m along the northern side boundary, 20.24m along the rear western boundary, 27.83m along the southern side boundary, 20.12m along the eastern side boundary.
o Easement drainage works along the southern side boundary;
o Access handle right of carriage way;
o Associated works.
No trees are sought to be removed as part of this Development Application. However at the subdivision stage, Council officers need to be assured that a dwelling could be built on the proposed lot and an understanding of what impact that may have on trees.
For the purposes of subdivision, the applicant has provided an arborist report which supports the removal of two (2) trees on site and retention of one (1) tree at the rear of the site with a 5m tree protection zone. The recommendations contained within the arborist report have been accepted by Council’s Tree Management Officer. It is noted that consideration of removal of trees would apply for a future development application for dwellings, however at this stage.
HISTORY
It is noted that demolition of existing dwelling has been approved under Complying Development Certificate.
10 Sep 15 Development Application received
22 Oct 15 Stop the clock letter – requesting detailed Statement of Environmental Effects, long driveway section, accurate and consistent information and detailed hydraulic plans
27 Oct 15 Additional information received
4 Nov 15 Allocation of Development Application
4-18 Nov 15 Notification period
2 Nov 15 Tree comments received
12 Dec 15 Subdivision and drainage conditions received
27 Jan 16 Further Tree comments received
2 Feb 16 Meeting with applicant
2 Feb 16 Additional information provided – arborist report and drainage site photos
9 Feb 16 Further Tree comments supporting comments contained within arborist report
DESCRIPTION OF THE SITE AND LOCALITY
The subject site is legally described as Lot A in DP 362196 and is known as 53 Elwin Street, Peakhurst. The battle-axe allotment is dimensioned as follows; 4.93m along the eastern access handle boundary, 105.18m along the northern side boundary, 20.42m along the rear western boundary, 57.37m along the southern boundary, 16.76m along the south eastern side boundary and 36.57 along the southern boundary of the access handle with a total site area of 1,456sqm. The site generally slopes from front to rear with a fall of 5.18m. A dwelling house is located on site. Three (3) trees are located at the rear of the site.
The immediate surrounding area comprises of a mixture of predominantly single storey and some two (2) storey dwellings of varying architectural styles and designs. The site is located within the Foreshore Scenic Protection Area. Crown Land adjoins the site to the rear between Salt Pan Creek.
COMPLIANCE AND ASSESSMENT
The development has been inspected and assessed under the relevant Section 79C(1) "Matters for Consideration" of the Environmental Planning and Assessment Act 1979.
1. Environmental Planning Instruments
HURSTVILLE LOCAL ENVIRONMENTAL PLAN 2012
The extent to which the proposal complies with the relevant standards of Hurstville Local Environmental Plan 2012 is outlined in the table below.
|
Clause |
Standard |
Assessment Under HLEP 2012 |
|
Part 2 – Permitted or Prohibited Development |
R2 Low Density Zone |
Permissible development |
|
|
Objectives of the Zone |
The proposal complies with the objectives of the zone |
|
2.6 - Subdivision |
Development consent required |
Subdivision acceptable |
|
5.9AA – Preservation of Trees |
Trees are to be preserved |
Trees conditioned to remain as part of subdivision application |
|
6.4 – Foreshore Scenic Protection Area |
Objectives within clause to be satisfied |
Objectives satisfied |
|
6.7 – Essential Services |
The following services that are essential for the development shall be available or that adequate arrangements must be made available when required: · Supply of water, electricity and disposal and management of sewerage · Stormwater drainage or on-site conservation
· Suitable vehicular access |
· Adequate services provided, no structures proposed · Adequate services to allotments – subject to deferred commencement · Adequate services to allotments |
STATE ENVIRONMENTAL PLANNING POLICIES
|
State Environmental Planning Policy |
Complies |
|
Greater Metropolitan Regional Environmental Plan No 2 – Georges River Catchment |
Yes |
|
State Environmental Planning Policy 55 – Remediation of Land |
Yes |
2. Draft Environmental Planning Instruments
There are no applicable Draft Environmental Planning Instruments relevant to this proposal.
3. Development Control Plans
The proposal has been assessed against Council’s relevant sections of Development Control Plan No 1.
DEVELOPMENT CONTROL PLAN NO 1 – LGA WIDE – SECTION 3.1 CAR PARKING
The proposal satisfies the relevant controls within this subsection for the purposes of providing suitable vehicular access.
DEVELOPMENT CONTROL PLAN NO 1 – LGA WIDE – SECTION 3.2 SUBDIVISION
The proposal has been assessed against the applicable controls as follows.
|
Section 3.2 |
Requirements |
Proposed |
Complies |
|
Clause 3.2.2 – (a) Lot Size and Shape |
Minimum allotment size – R2 Low Density Residential
Allotment A - 550sqm Allotment B - 550sqm
Minimum frontage width
Allotment A - 15m Allotment B - 15m |
563.92sqm
(front)
16.62m 20.12m |
Yes Yes
Yes Yes |
|
Clause 3.3.2 (k) - Allotment |
Newly created allotments must provide indicative building envelopes to demonstrate how solar access, vehicular access, setbacks, landscaped areas, and tree preservation can be achieved |
Indicative building envelopes provided comfortably demonstrate that solar access, vehicular access, setbacks and landscape areas can be achieved.
5m covenant from T3 (tree at rear) requiring retention of tree minimising cut and fill within 5m. |
Yes |
|
Clause 3.2.2 (h) access handle |
6 allotments maximum access
Access handle width 3m |
2 allotments accessed from handle
3.5m (right of carriageway) |
Yes
Yes |
|
Clause 3.2.3 – Roads Vehicular Access and Parking |
Requirements of subsection to be satisfied |
Satisfactory in addition to conditions of consent. |
Yes |
|
Clause 3.2.4 – Utilities and Services |
Requirements of subsection to be satisfied |
Satisfactory |
Yes |
|
Clause 3.2.5 – Drainage |
Requirements of subsection to be satisfied |
Satisfactory, proposal drains to rear. Supported by Team Leader Subdivision and Development subject to deferred commencement |
Yes |
DEVELOPMENT CONTROL PLAN NO 1 – LGA WIDE – SECTION 3.9 WASTE MANAGEMENT
Satisfactory, subject to standard conditions.
DEVELOPMENT CONTROL PLAN NO 1 – LGA WIDE – SECTION 4.11 PRESERVATION OF TREES AND VEGETATION
As previously discussed, no development consent is granted for the removal of the trees.
4. Impacts
Natural Environment
The proposed development is unlikely to have an adverse impact on the natural environment subject to conditions of consent. As previously discussed, the trees are conditioned to remain. However the applicant has provided an indicative footprint of a dwelling on the proposed rear lot showing that two of the three trees may have to be removed in the future. This will be considered with any future Development Application for the dwelling on that allotment.
The recommendation is to retain the three existing trees, and to create a positive covenant such that any future building on the rear lot is to retain a 5m distance from Tree 3.
|
Stormwater Assessment |
|
|
Existing Stormwater System |
Drain to rear |
|
Proposed Stormwater System |
Drain to rear |
|
Stormwater objectives for development type met? |
Consistent |
|
Slope to rear (measured centreline of site) |
Yes |
|
Gravity to street (from property boundary to street kerb)? |
Yes |
|
Discharge into same catchment? |
Yes |
|
Easement required? |
Yes – deferred commencement as site adjoins Crown Land to rear |
Built Environment
The proposal development is unlikely to have any adverse impacts to the built environment. No development consent is granted for the removal of trees for the purposes of subdivision.
Social Impact
The proposed development is not considered to result in any adverse social impacts.
Economic Impact
The proposed development is not considered to result in any adverse economic impacts.
Suitability of the Site
The proposal is suitable for the subject site for the reasons contained within this report.
5. REFERRALS, SUBMISSIONS AND THE PUBLIC INTEREST
Resident
The proposal was notified to thirty four (34) adjoining neighbouring owners/occupiers. The amended plans were not renotified as this did generate a greater impact than the original proposal. In response, three (3) submissions were received raising the following concerns.
Removal of Trees/Impacts to Foreshore Protection Area
Concerns were raised that regarding the removal of trees.
Comment: As previously discussed, no development consent is granted for the removal of trees. The proposal complies with the allotment sizes and dimensions for subdivisions within the Foreshore Scenic Protection Area. In this regard no unreasonable impacts are generated from this development.
It is noted that the applicant provided an arborist report supporting the removal of two (2) trees and retention of one (1) tree at the rear (known as T3). This has been considered as part of this application for the purposes of future development on the site and possible impacts on the existing trees, however for the purposes of subdivision all three (3) trees are to remain.
Impact to wildlife
Concerns were raised regarding impacts to fauna.
Comment: No unreasonable planning impacts are considered to be generated by the proposed subdivision. As previously mentioned, no trees are to be removed as part of this development consent granted.
Cut and fill
Concerns were raised regarding cut and fill of the proposal.
Comment: Cut and fill has been proposed to accommodate the driveway and access areas providing adequate amenity. This does not generate any material impact.
Character impacts, impacts regarding future residential development
Concerns were raised regarding overshadowing, privacy and views.
Comment: As previously discussed, the proposal seeks development consent for subdivision only. Any impacts arising from a built form such as a dwelling house would be considered in a future application. For the purposes of subdivision, the proposal does not result in any overshadowing, privacy and view impacts.
Council Referrals
Team Leader Subdivision and Development
The application is supported, subject to conditions of consent.
Tree Management Officer
Council’s Tree Management Officer has commented on the proposal as follows;
The battle axe access handle and middle of site contains no vegetation.
The rear of the site contains three large locally indigenous specimens of Eucalyptus punctate (Grey Gum) which are required for retention.
A condition of consent for tree protection according to AS4970 Protection of trees on development sites should be applied should the proposal be approved.
Comment: Further comments from Council’s Tree Management Officer were provided. The trees are to be retained as part of this Development Application for subdivision. Further consideration regarding impacts/removal of trees would appropriately be applied when future development consent is sought for a dwelling house on each allotment.
The applicant later provided an arborist report which supported the removal of two (2) trees on site and retention of one (1) tree at the rear of the site with a 5m tree protection zone. The recommendations contained within the arborist report have been accepted by Council’s Tree Management Officer.
Public Interest
The proposal is considered to be in the public interest for the reasons contained within this report.
6. CONCLUSION
The proposal has been considered to be acceptable for the reasons contained within this report. The proposal complies in full with the relevant planning provisions. As previously discussed, no development consent is granted for the removal of any trees. A covenant is placed on one (1) rear tree T3 which restricts cut and fill of 5m around the tree. Minor excavation is permitted to accommodate the proposed easement.
DETERMINATION
THAT pursuant to Section 80(3) of the Environmental Planning and Assessment Act, 1979, as amended, the Council grants a deferred commencement consent to Development Application DA2015/0328 for Torrens Title subdivision of existing residential allotment into two (2) allotments on Lot A in DP 362196 and known as 53 Elwin Street, Peakhurst, subject to the following:
The Development Application described above has been determined by the granting of a Deferred Commencement Consent subject to the conditions specified in this notice.
This Development Application is a Deferred Commencement Consent under Section 80(3) of the Environmental Planning and Assessment Act (as amended) 1979. Strict compliance is required with all conditions appearing in Schedule 1 within twelve (12) months from the Determination Date of this consent. Upon confirmation in writing from Hurstville City Council that the Schedule 1 Conditions have been satisfied, the consent shall commence to operate as a Development Consent for a period of five (5) years from the Determination Date of this consent.
Schedule 1
A. DEF1001 - Deferred Commencement - Registration of Stormwater Easement - Creation of an appropriately sized drainage easement to drain water from the subject site to the Salt Pan Creek. The consent is not to operate until evidence of registration of the easement to drain water benefitting the land the subject of this consent and burdening the title of each such property is provided to Council.
B. DEF1002 - Deferred Commencement - The person with the benefit of the consent must obtain separate Development Consent for all drainage works to be carried out within the Easement to Drain Water. The written consent of each of the owners of the property/ies burdened by the Easement will be required for each development application to carry out the drainage works on the burdened lot/s.
The consent is not to operate until development consent is obtained for the whole of the drainage works within the Easement(s) to drain water.
Documentary evidence as requested or the above information must be submitted within 12 months of the granting of this deferred commencement consent. Commencement of the approval cannot commence until written approval of the submitted information has been given by Council.
Subject to A and B above being satisfied, a development consent be issued subject to the following conditions:
Schedule 2
DEVELOPMENT CONSENT is granted to the Development Application described above, subject to the conditions in Schedules A, B and C.
Consent Operation - This consent operates from the date of endorsement set out in this notice and will lapse five (5) years after that date, unless development has commenced within that time, pursuant to the provisions of the Sections 83, and 95 of the Act.
Right of Review – If you are dissatisfied with this decision, you may request a review of the determination under Section 82A of the Environmental Planning and Assessment Act 1979. A request for review and the decision by Council of that request must be made within six (6) months of the date of this Notice of Determination and be accompanied by the relevant fee. You must ensure that an application for review of determination gives Council a reasonable period in which to review its decision having regard to the relevant issues and complexity of the application (Section 82A is not applicable to Integrated or Designated Development).
Right of Appeal – Alternatively, Section 97 of the Environmental Planning and Assessment Act 1979 gives you the right to appeal to the NSW Land and Environment Court within six (6) months of the endorsement date on this notice.
Schedule A – Site Specific Conditions
GENERAL CONDITIONS
These conditions have been imposed to ensure that the development is carried out in accordance with the approved plans and to ensure that the appropriate fees and bonds are paid in relation to the development.
1. GEN1001 - Approved Plans - The development must be implemented in accordance with the approved plans and supporting documentation listed below which have been endorsed by Council’s approved stamp, except where marked up on the plans and/or amended by conditions of this consent:
|
Ref No. |
Date |
Description |
Revision |
Prepared by |
|
1 |
04.09.2015 |
Drainage easement and driveway levels (Subdivision Plan)
Note: No development consent is granted or implied for the indicative building footprints shown on the plan |
- |
ACE |
2. GEN1002 - Fees to be paid to Council - The fees listed in the table below must be paid in accordance with the conditions of this consent and Council’s adopted Fees and Charges applicable at the time of payment.
Payments must be made prior to the issue of the Construction Certificate or prior to the commencement of work (if there is no associated Construction Certificate).
Please contact Council prior to the payment of Section 94 Contributions to determine whether the amounts have been indexed from that indicated below in this consent and the form of payment that will be accepted by Council.
Form of payment for transactions $500,000 or over - Council will only accept Bank Cheque or Electronic Funds Transfer (EFT) for transaction values of $500,000 or over. Council must be contacted prior to payment to determine correct total amount to be paid and bank account details (if applicable)
(a) Fees to be paid:
Fee types, bonds and contributions
|
Fee Type |
|
Builders Damage Deposit |
|
Inspection Fee for Refund of Damage Deposit |
|
S94 Residential (Community Facilities) |
|
S94 Residential (Open Space, Recreation, Public Domain) |
The following fees types apply when you submit an application to Council for the Subdivision Certificate.
|
Subdivision Application Fee |
|
Subdivision Certificate Fee |
|
S88B Checking Fee |
The following fees apply where you appoint Council as your Principal Certifying Authority (PCA). (If you appoint a private PCA, separate fees will apply)
|
PCA Services Fee |
$320.00 |
|
Construction Certificate Application Fee |
$320.00 |
|
Construction Certificate Imaging Fee |
$69.00 |
Fees and charges above are subject to change and are as set out in the version of Council's Schedule of Fees and Charges or as required by other Government Authorities, applicable at the time of payment.
3. GEN1003 - Section 94 Contributions - Residential Development (Community Facilities and Open Space, Recreation, Public Domain)
a. Amount of Contribution
Pursuant to Section 94 of the Environmental Planning and Assessment Act, 1979 (as amended) and Hurstville Section 94 Development Contributions Plan 2012 the following contributions towards the cost of providing facilities shall be paid to Council:
Contribution Category Amount
Community Facilities $2,478.00
Open Space, Recreation and Public Domain Facilities $17,522.00
Total: $20,000.00
This condition and contribution is imposed to ensure that the development makes adequate provision for the demand it generates for public amenities and public services within the area.
b. Indexing
The above contributions will be adjusted at the time of payment to reflect changes in the Consumer Price Index (All Groups Index) for Sydney, in accordance with the provisions of the Hurstville Section 94 Development Contributions Plan 2012.
c. Timing and Method of Payment
The contribution must be paid prior to the release of a Construction Certificate as specified in the development consent
Please contact Council prior to payment to determine whether the contribution amounts have been indexed from that indicated above in this consent and the form of payment that will be accepted by Council.
Form of payment for transactions $500,000 or over - Council will only accept Bank Cheque or Electronic Funds Transfer (EFT) for transaction values of $500,000 or over. Council must be contacted prior to payment to determine correct total amount to be paid and bank account details (if applicable).
Contributions must be receipted by Council before a Construction Certificate is issued.
A copy of the Hurstville Section 94 Development Contributions Plan 2012 may be inspected or a copy purchased at Council’s offices (Civic Centre, MacMahon St, Hurstville) or viewed on Council’s website www.hurstville.nsw.gov.au/Strategic-Planning.
4. GEN1015 - Damage Deposit - Minor Works - In order to insure against damage to Council property the following is required:
(a) Payment to Council of a damage deposit for the cost of making good any damage caused to any Council property as a result of the development: $550.00.
(b) Payment to Council of a non-refundable inspection fee to enable assessment of any damage and repairs where required: $80.00.
(c) At the completion of work Council will inspect the public works, and the damage deposit will be refunded in full upon completion of work where no damage occurs. Otherwise the amount will be either forfeited or partly refunded according to the amount of damage.
(d) Prior to the commencement of work a photographic record of the condition of the Council nature strip, footpath and driveway crossing, or any area likely to be affected by the proposal, shall be submitted to Council
(e) Payments pursuant to this condition are required to be made to Council before the issue of the Construction Certificate.
(f) Fees and charges above are subject to change and are as set out in the version of Council's Schedule of Fees and Charges or as required by other Government Authorities, applicable at the time of payment.
SEPARATE APPROVALS UNDER OTHER LEGISLATION
These conditions have been imposed to ensure that the applicant is aware of any separate approvals required under other legislation, for example: approvals required under the Local Government Act 1993 or the Roads Act 1993.
5. APR6001 - Engineering - Section 138 Roads Act and Section 68 Local Government Act 1993
Unless otherwise specified by a condition of this consent, this Development Consent does not give any approval to undertake works on public infrastructure.
A separate approval is required to be lodged and approved under Section 138 of the Roads Act 1993 and/or Section 68 of the Local Government Act 1993 for any of the following activities carried out in, on or over a public road (including the footpath):
(a) Placing or storing materials or equipment;
(b) Placing or storing waste containers or skip bins;
(c) Erecting a structure or carrying out work
(d) Swinging or hoisting goods over any part of a public road by means of a lift, crane or the like;
(e) Pumping concrete from a public road;
(f) Pumping water from the site into the public road;
(g) Constructing a vehicular crossing or footpath;
(h) Establishing a “works zone”;
(i) Digging up or disturbing the surface of a public road (e.g. Opening the road for the purpose of connections to utility providers);
(j) Stormwater and ancillary works in the road reserve; and
(k) Stormwater and ancillary to public infrastructure on private land
(l) If any excavation is to be supported by the use of below ground (cable) anchors that are constructed under Council’s roadways/footways.
These separate activity approvals must be obtained and evidence of the approval provided to the Certifying Authority prior to the issue of the Construction Certificate.
The relevant Application Forms for these activities can be downloaded from Hurstville City Council’s website at: www.hurstville.nsw.gov.au
For further information, please contact Council’s Customer Service Centre on (02)9330 6222.
6. APR6002 - Engineering - Vehicular Crossing - Minor Development - Constructing a vehicular crossing and/or footpath requires a separate approval under Section 138 of the Roads Act 1993 prior to the issue of the Construction Certificate.
To apply for approval, complete the Driveway Crossing on Council Road Reserve Application Form which can be downloaded from Hurstville Council’s Website: www.hurstville.nsw.gov.au/Forms
Lodge the application form, together with the associated fees at Council’s Customer Service Centre, during business hours. Refer to Section P1 and P2, in Council’s adopted Fees and Charges for the administrative and inspection charges associated with Vehicular Crossing applications.
Please note, that an approval for a new or modified vehicular crossing will contain the approved access and/or alignment levels which will be required to construct the crossing and/or footpath. Once approved, all work shall be carried out by a private contractor in accordance with Council’s Specification for Vehicular Crossings and Associated Works prior to the issue of the Occupation Certificate.
7. APR6004 - Engineering - Road Opening Permit - A Road Opening Permit must be obtained from Council, in the case of local or regional roads, or from the Roads and Maritime Services, in the case of State roads, for every opening of a public road reserve to access services including sewer, stormwater drains, water mains, gas mains, and telecommunications before the commencement of work in the road.
REQUIREMENTS OF OTHER GOVERNMENT AGENCIES
These conditions have been imposed by other NSW Government agencies either through their role as referral bodies, concurrence authorities or by issuing General Terms of Approval under the Integrated provisions of the Environmental Planning and Assessment Act 1979.
8. GOV1008 - Sydney Water - Section 73 Certificate - A Section 73 Compliance Certificate under the Sydney Water Act 1994 must be obtained from Sydney Water Corporation. Application must be made through an authorised Water Servicing Coordinator. Please refer to the Plumbing, Building and Developing section of Sydney Water’s website to locate a Water Servicing Coordinator in your area. Visit: www.sydneywater.com.au
A "Notice of Requirements" will advise of water and sewer infrastructure to be built and charges to be paid. Please make early contact with the Coordinator, as it can take some time to build water/sewer pipes and this may impact on other services and building, driveway or landscape design.
The “Notice of Requirements” must be submitted prior to the commencement of work.
9. GOV1009 - Sydney Water - Section 73 Compliance Certificate - A Section 73 Compliance Certificate under the Sydney Water Act must be submitted to the Principal Certifying Authority prior to the issue of the Occupation/Subdivision or Strata Certificate.
PRIOR TO THE ISSUE OF THE CONSTRUCTION CERTIFICATE
These conditions either require modification to the development proposal or further investigation/information prior to the issue of the Construction Certificate to ensure that there is no adverse impact.
10. CC5002 - Trees - Tree Protection and Retention - The following trees shall be retained and protected:
(a) All trees on site - Minimum setback from these trees to proposed cut/fill of 5m.
All trees to be retained shall be protected and maintained during demolition, excavation and construction of the site. The tree protection measures must be in undertaken in accordance AS4970-2009 Protection of trees on development sites. Details of the tree protection measures to be implemented must be provided with the application for a Construction Certificate by a suitably qualified Arborist (AQF Level 4 or above in Arboriculture) and must be retained thorough all stages of construction.
11. CC3017 - Development Engineering - Service Utilities - Land Subdivision Only - Arrangements shall be made to the satisfaction of all Service Utility Authorities in respect to the services supplied by those authorities to the development. All services to any future dwellings erected on the site shall be underground.
12. CC3015 - Development Engineering - Engineering Plans (General) - Four (4) copies of detailed engineering plans are to be provided to Council with the Construction Certificate application. The detailed plans may include, but not be limited to, details of the earthworks, road works, road pavements, retaining wall details, stormwater drainage, landscaping and erosion control works.
13. CC3016 - Development Engineering - Driveway Construction Plan Details - Engineer's details shall be submitted with the Construction Certificate application regarding the proposed construction of the driveway.
These details shall show longitudinal and cross sections, gradients, access onto the proposed lots, type of construction materials and shall be designed in accordance with Council's Subdivision standards and AS/NZS2890.1-2004.
The plans are to also incorporate details of the suitable provision for the supply of all relevant services to the proposed lots (proposed position of pipes and conduits) with all services to be underground.
The full length of the driveway shall be designed with a minimum 150mm thick reinforced concrete and minimum of 2.7m wide pavement/kerb face to kerb face width.
The driveway shall be designed with a surface that shall be non-slip.
14. CC3001 - Development Engineering - Stormwater System
|
Ref No. |
Date |
Description |
Revision |
Prepared by |
|
1 |
04.09.2015 |
Drainage easement and driveway levels |
- |
ACE |
The above submitted stormwater plan has been assessed as a concept plan only and no detailed assessment of the design has been undertaken.
All stormwater shall drain by gravity to the easement to drain water in accordance with the Australian/New Zealand Standard AS/NZS 3500.3: 2003 (as amended).
15. CC3013 - Development Engineering - Stormwater Drainage Plan Details - Stormwater drainage plans including pipe sizes, type, grade, length, invert levels, dimensions and types of drainage pits prepared by a qualified practising Hydraulics Engineer shall be submitted with the application for the Construction Certificate.
These plans shall be prepared in accordance with the Australian Institute of Engineers Australian Rainfall and Runoff (1987) and Council's requirements.
16. CC2001 - Development Assessment - Erosion and Sedimentation Control - Erosion and sediment controls must be provided to ensure:
(a) Compliance with the approved Erosion and Sediment Control Plan
(b) Removal or disturbance of vegetation and top soil is confined to within 3m of the approved building area (no trees to be removed without approval)
(c) all clean water run-off is diverted around cleared or exposed areas
(d) silt fences, stabilised entry/exit points or other devices are installed to prevent sediment from entering drainage systems or waterways
(e) all erosion and sediment controls are fully maintained for the duration of demolition, excavation and/or development works
(f) controls are put into place to prevent tracking of sediment by vehicles onto adjoining roadway
(g) all disturbed areas are rendered erosion-resistant by turfing, mulching, paving or similar
(h) Compliance with Managing Urban Stormwater - Soils and Construction (Blue Book) produced by Landcom 2004.
These measures are to be implemented before the commencement of work (including demolition and excavation) and must remain until the issue of the Occupation Certificate.
PRIOR TO THE COMMENCEMENT OF WORK (INCLUDING DEMOLITION AND EXCAVATION)
These conditions have been imposed to ensure that all pre-commencement matters are dealt with and finalised prior to the commencement of work.
17. PREC2001 - Building regulation - Site sign - Soil and Erosion Control Measures - Prior to the commencement of works (including demolition and excavation), the durable site sign issued by Hurstville City Council in conjunction with this consent must be erected in a prominent location on site. The site sign warns of the penalties which apply to pollution, storing materials on road or footpath and breaches of the conditions relating to erosion and sediment controls. The sign must remain in a prominent location on site up until the completion of all site and building works.
18. PREC6001 - Engineering - Dial before your dig - The applicant shall contact “Dial Before You Dig on 1100” to obtain a Service Diagram prior to the issuing of the Construction Certificate. The sequence number obtained from “Dial Before You Dig” shall be forwarded to Council’s Engineers for their records.
DURING WORK
These conditions have been imposed to ensure that there is minimal impact on the adjoining development and surrounding locality during the construction phase of the development.
19. CON2001 - Development Assessment - Hours of construction, demolition and building related work - Any work activity or activity associated with the development consent that requires the use of any tools (including hand tools) or any power operated plant and machinery that creates noise on or adjacent to the site shall not be performed, or permitted to be performed, except between the hours of 7.00 am to 5.00 pm, Monday to Saturday inclusive. No work or ancillary activity shall be permitted to be performed on any Sunday, Good Friday, Christmas Day or any Public Holiday. A penalty infringement notice may be issued for any offence.
In addition to the foregoing requirements, construction work on all buildings (except that on single dwelling houses and associated structures on the site of a single dwelling house) shall be prohibited on Saturdays and Sundays on weekends adjacent to a public holiday.
20. CON2002 - Development Assessment - Ground levels and retaining walls - The ground levels of the site shall not be excavated, raised or filled, or retaining walls constructed on the allotment boundary, except where indicated on approved plans or approved separately by Council.
21. CON6002 - Engineering - Obstruction of Road or Footpath - The use of the road or footpath for the storage of any building materials, waste materials, temporary toilets, waste or skip bins, or any other matter is not permitted unless separately approved by Council under Section 138 of the Roads Act and/or under Section 68 of the Local Government Act 1993. Penalty Infringement Notices may be issued for any offences and severe penalties apply.
22. CON8001 - Waste - Waste Management Facility - All materials removed from the site as a result of demolition, site clearing, site preparation and, or excavation shall be disposed of at a suitable Waste Management Facility. No vegetation, article, building material, waste or the like shall be ignited or burnt whatsoever or in association with the work on site. Copies of all receipts for the disposal, or processing of all such materials shall be submitted to the Principal Certifying Authority and a copy provided to the Manager Environmental Services, Hurstville City Council.
PRIOR TO THE ISSUE OF THE OCCUPATION CERTIFICATE
These conditions have been imposed to ensure that all works have been completed in accordance with the Development Consent prior to the issue of the Occupation Certificate.
23. OCC3010 - Development Engineering - Allocation of New Street Addresses
· Proposed Lot A shall be known as 53 Elwin Street
· Proposed Lot B shall be known as 53A Elwin Street
24. OCC3004 - Development Engineering - A Restriction on Use, in favour of Hurstville City Council shall be created over the site to protect the tree (T3 as referenced within the Arboricultural Impact Assessment prepared by NSW Tree Services Pty Ltd dated 1 February 2016) and 5m Tree Protection Zone around this tree within the rear south west corner the of site to ensure:
(a) The existing natural ground levels of the site shall not be raised or lowered or retaining walls constructed unless specified detailed plans are first submitted to and approved by Council.
Minor excavation to accommodate the proposed easement may occur within the 5m Tree Protection Zone.
Hurstville City Council is to be nominated as the Authority to release, vary or modify this restriction.
PRIOR TO THE ISSUE OF THE SUBDIVISION CERTIFICATE
These conditions have been imposed to ensure that all works have been completed in accordance with the Development Consent prior to the issue of the Subdivision Certificate.
25. SUBL9001 - Subdivision - Site works to be completed prior to issue of Subdivision Certificate - The following works shall be completed on site prior to the issue of the Subdivision Certificate:
(a) All the stormwater/drainage works shall be completed in accordance with the approved Construction Certificate plans prior to the issue of the Subdivision Certificate.
(b) The internal driveway construction works, together with the provision for all services (conduits and pipes laid) shall be completed in accordance with the approved Construction Certificate plans prior to the issue of the Subdivision Certificate.
(c) Replace all redundant vehicle crossing laybacks with kerb and guttering, and redundant concrete with turf.
(d) A Final Occupation Certificate shall be obtained from the Principal Certifying Authority upon completion of the construction works required by the approved Construction Certificate.
(e) Sydney Water‘s Requirements
Water and sewer infrastructure shall be constructed in accordance with Sydney Water’s "Notice of Requirements" for the issue of the Section 73 Compliance Certificate prior to the issue of the Subdivision Certificate.
26. SUBL9002 - Subdivision - Final Subdivision Plan Requirements - A final Subdivision Plan shall be prepared by a Registered Surveyor and include (but not be limited to) the following:
(a) Required Easements
The following easements shall be created by Section 88B of the Conveyancing Act 1919 on the Final Subdivision Plan.
i. Any necessary Easements to Drain Water, (minimum 1m wide).
ii. Any necessary Easements for Services (minimum 300mm wide).
iii. Any necessary Easements for overhanging roof structures.
27. SUBL9003 - Subdivision - Requirements for Application of a Subdivision Certificate - To enable registration of the plan of subdivision at NSW Land and Property Information (Land Title) Office, the person acting on the consent must apply for a Subdivision Certificate pursuant to section 109J of the Environmental Planning and Assessment Act 1979.
To enable the determination of the application for a Subdivision Certificate by Hurstville City Council, the applicant must submit the following: -
(a) Application for Subdivision Certificate form completed with payment of fees current at lodgement.
(b) Three (3) copies of the final plan of subdivision prepared by a Registered Surveyor.
(c) The Original Deposited Plan Administration Sheet(s) plus one (1) copy.
(d) The Original of any relevant 88B instrument plus one (1) copy.
(e) A Section 73 (Sydney Water) Compliance Certificate for the Subdivision.
(f) Work as Executed Plans prepared by a Chartered Professional Engineer or a Registered Surveyor when all the site engineering works are complete.
(g) Certification from the Registered Surveyor that all services (including but not limited to stormwater drainage, gas, electricity, telephone cable) as constructed or to be constructed are/will be contained within each lot or within the necessary easements to accommodate such services.
(h) The cost of repairing any damage caused to Council’s assets in the vicinity of the subject site as a result of construction works associated with the approved development is to be met in full by the applicant/developer prior to the issue of the subdivision certificate.
(i) A copy of the Final Occupation Certificate issued from the Principal Certifying Authority for the construction works required by the approved Construction Certificate.
(j) Section 94 Contributions
All Section 94 Contributions and any other outstanding fees as per conditions of Development Consent No. DA2015/0328 shall be paid prior to the issue of the Subdivision Certificate.
IMPORTANT NOTES:
(i) A Subdivision Certificate cannot be issued unless all relevant conditions of the development consent that are to be satisfied prior to the issue of the Subdivision Certificate have been complied with.
(ii) Council will check the consent conditions on the relevant subdivision consent. Failure to submit the required information will delay endorsement of the plan of subdivision.
(iii) Plans of subdivision, Administration Sheets, 88B Instruments and copies must not be folded.
(iv) All Subdivision Plans, Deposited Plan Administration Sheets and 88B Instruments shall be submitted to Council enclosed in a protective cardboard tube (to prevent damage during transfer)
ONGOING CONDITIONS
These conditions have been imposed to ensure that the use or operation of the development does not adversely impact on the amenity of the neighbourhood or environment.
28. ONG4018 - Health - Amenity of the neighbourhood - The implementation of this development shall not adversely affect the amenity of the neighbourhood or interfere unreasonably with the comfort or repose of a person who is outside the premises by reason of the emission or discharge of noise, fumes, vapour, odour, steam, soot, dust, waste water, waste products, grit, oil or other harmful products.
No vegetation, article, building material, waste or the like shall be ignited or burnt whatsoever or in association with the work on site.
ADVICE
This advice has been included to provide additional information and where available direct the applicant to additional sources of information based on the development type.
29. ADV2009 - Development Assessment - Security deposit administration & compliance fee - Under Section 97 (5) of the Local Government Act 1993, a security deposit (or part) if repaid to the person who provided it is to be repaid with any interest accrued on the deposit (or part) as a consequence of its investment.
Council must cover administration and other costs incurred in the investment of these monies. The current charge is $50.00 plus 2% of the bond amount per annum.
Interest rate applied to bonds is set at Council's business banking facility rate as at 1 July each year. Council will accept a bank guarantee in lieu of a deposit.
All interest earned on security deposits will be used to offset the Security Deposit Administration and Compliance fee. Where interest earned on a deposit is not sufficient to meet the fee, it will be accepted in full satisfaction of the fee.
Schedule B – Prescribed Conditions
Prescribed conditions are those which are mandated under Division 8A of the Environmental Planning and Assessment Regulation 2000 and given weight by Section 80A (11) of the Environmental Planning and Assessment Act 1979.
Detailed below is a summary of all the prescribed conditions which apply to development in New South Wales. Please refer to the full details of the prescribed conditions as in force, at www.legislation.nsw.gov.au.
It is the responsibility of the beneficiary of this consent to determine which prescribed conditions apply.
30. PRES1002 - Clause 98 – Building Code of Australia & Home Building Act 1989 - Requires all building work to be carried out in accordance with the Building Code of Australia. In the case of residential building work to which the Home Building Act 1989 relates, there is a requirement for a contract of insurance to be in force before any work commences.
31. PRES1003 - Clause 98A – Erection of Signs - Requires the erection of signs on site and outlines the details which are to be included on the sign. The sign must be displayed in a prominent position on site and include the name and contact details of the Principal Certifying Authority and the Principal Contractor.
32. PRES1004 - Clause 98B – Home Building Act 1989 - If the development involves residential building work under the Home Building Act 1989, no work is permitted to commence unless certain details are provided in writing to Council. The name and licence/permit number of the Principal Contractor or Owner Builder and the name of the Insurer by which work is insured under Part 6 of the Home Building Act 1989.
33. PRES1007 - Clause 98E – Protection & support of adjoining premises - If the development involves excavation that extends below the level of the base of the footings of a building on adjoining land, this prescribed condition requires the person who benefits from the development consent to protect and support the adjoining premises and where necessary underpin the adjoining premises to prevent any damage.
Schedule C – Operational & Statutory Conditions
These conditions comprise the operational and statutory conditions which must be satisfied under the Environmental Planning and Assessment Act 1979 and the Environmental Planning & Assessment Regulation 2000. Please refer to the full details of the Act and Regulations as in force, at www.legislation.nsw.gov.au.
It is the responsibility of the beneficiary of this consent to determine which operational and statutory conditions apply.
34. OPER1002 - Appointment of a Principal Certifying Authority - The erection of a building must not commence until the beneficiary of the development consent has:
(a) appointed a Principal Certifying Authority (PCA) for the building work; and
(b) if relevant, advised the PCA that the work will be undertaken as an Owner-Builder.
If the work is not going to be undertaken by an Owner-Builder, then the beneficiary of the consent must:
(a) appoint a Principal Contractor to undertake the building work. If residential building work (within the meaning of the Home Building Act 1989) is to be undertaken, the Principal Contractor must be a holder of a contractor licence; and
(b) notify the PCA of the details of any such appointment; and
(c) notify the Principal Contractor of any critical stage inspections or other inspections that are required to be carried out in respect of the building work.
An Information Pack is attached for your convenience should you wish to appoint Hurstville City Council as the Principal Certifying Authority for your development.
35. OPER1003 - Notification of Critical Stage Inspections - No later than two (2) days before the building work commences, the PCA must notify:
(a) the consent authority and the Council (if not the consent authority) of his or her appointment; and
(b) the beneficiary of the development consent of the critical stage inspections and other inspections that are to be carried out with respect to the building work.
36. OPER1004 - Notice of Commencement - The beneficiary of the development consent must give at least two (2) days’ notice to the Council and the PCA of their intention to commence the erection of a building.
A Notice of Commencement Form is attached for your convenience.
37. OPER1005 - Subdivision Work – Construction Certificate & Appointment of Principal Certifying Authority - Subdivision work in accordance with a development consent cannot commence until:
(a) A Construction Certificate has been issued by the consent authority, the council (if not the consent authority) or an accredited certifier; and
(b) The beneficiary of the consent has appointed a Principal Certifying Authority for the subdivision work.
No later than two (2) days before the subdivision work commences, the PCA must notify:
(a) The consent authority and the council (if not the consent authority) of his or her appointment; and
(b) The beneficiary of the development consent of the critical stage inspections and other inspections that are to be carried out with respect to the subdivision work.
An Information Pack is attached for your convenience should you wish to appoint Hurstville City Council as the Principal Certifying Authority for your development.
38. OPER1006 - Subdivision work – Notice of Commencement - The beneficiary of the development consent must give at least two (2) days’ notice to the Council and the PCA of their intention to commence the subdivision works.
A Notice of Commencement Form is attached for your convenience.
39. OPER1007 - Critical Stage Inspections - The last critical stage inspection must be undertaken by the Principal Certifying Authority. The critical stage inspections required to be carried out vary according to Building Class under the Building Code of Australia and are listed in Clause 162A of the Environmental Planning and Assessment Regulation 2000.
40. OPER1008 - Notice to be given prior to critical stage inspections - The principal contractor for a building site, or the owner-builder, must notify the principal certifying authority at least 48 hours before each required inspection needs to be carried out.
Where Hurstville City Council has been appointed PCA, forty eight (48) hours’ notice in writing, or alternatively twenty four (24) hours’ notice by facsimile or telephone, must be given to when specified work requiring inspection has been completed.
41. OPER1009 - Occupation Certificate - A person must not commence occupation or use of the whole or any part of a new building unless an Occupation Certificate has been issued in relation to the building or part.
Only the Principal Certifying Authority appointed for the building work can issue the Occupation Certificate.
An Occupation Certificate Application Form is attached for your convenience.
If you need more information, please contact the Development Assessment Officer, below on 9330-6222 during normal office hours.
For video relating to 53 Elwin St Beverly Hills click here
|
Appendix View1 |
Location Plan - 53 Elwin St Peakhurst |
|
Appendix View2 |
Site Photo - 53 Elwin St Peakhurst |
|
Appendix View3 |
Survey Plan - 53 Elwin St Peakhurst |
|
Appendix View4 |
Notated Subdivision and Drainage Plan - 53 Elwin St Peakhurst |
|
Appendix View5 |
ASIC Information - Applicant - 53 Elwin St Peakhurst (Confidential) |
|
Appendix View6 |
Company Extract - Owner - 53 Elwin St Peakhurst (Confidential) |
Hurstville City Council – Council Meeting Wednesday, 2 March 2016
CCL057-16 53 Elwin St Peakhurst - Torrens Title Subdivision - Two Allotments
[Appendix 1] Location Plan - 53 Elwin St Peakhurst
CCL057-16 53 Elwin St Peakhurst - Torrens Title Subdivision - Two Allotments
[Appendix 2] Site Photo - 53 Elwin St Peakhurst
CCL057-16 53 Elwin St Peakhurst - Torrens Title Subdivision - Two Allotments
[Appendix 3] Survey Plan - 53 Elwin St Peakhurst
CCL057-16 53 Elwin St Peakhurst - Torrens Title Subdivision - Two Allotments
[Appendix 4] Notated Subdivision and Drainage Plan - 53 Elwin St Peakhurst
CCL058-16 45 Baker St Oatley - Alterations and Additions to Dwelling including New Garage to Front of Dwelling and Alterations to Roof and Internal
|
Applicant |
Cape Cod Australia Pty Ltd |
|
Proposal |
Alterations and additions to dwelling including new garage to front of dwelling, alterations to roof and internal alterations |
|
Owners |
Mr M D Eadie and Mrs K A Smit-Eadie |
|
Report Author/s |
Development Assessment Officer, Mr A Zhou |
|
File |
DA2015/0335 |
|
Previous Reports Referenced |
No |
|
Disclosure of Political Donations or Gifts |
No |
|
Zoning |
Zone R2 - Low Density Residential |
|
Existing Development |
Two storey dwelling house with first floor addition currently being under construction |
|
Cost of Development |
$132,253.00 |
|
Reason for Referral to Council |
Variation to DCP1 and one (1) submission |
|
Planning Instruments Applicable |
Hurstville Local Environmental Plan 2012, Greater Metropolitan Regional Environmental Plan No 2 – Georges River Catchment, State Environmental Planning Policy No 55 – Remediation of Land, Development Control Plan No 1 – LGA Wide |
|
Hurstville Local Environment Plan Interpretation of Use |
Ancillary structure to a dwelling house |
EXECUTIVE SUMMARY
1. The proposal seeks development consent for alterations and additions to an existing dwelling including a new front garage attached to the existing dwelling, alterations to roof and internal alterations.
2. The proposal complies in full with the relevant Environmental Planning Instruments, Section 79C of the Environmental Planning and Assessment Act 1979 (as amended).
3. There is one (1) variation to the car parking controls under Development Control Plan No 1. The proposal complies in full with the rest of Development Control Plan No 1 subject to the conditions included in this report.
4. One (1) submission was received in relation to this application.
|
THAT the application be approved in accordance with the conditions included in the report. |
REPORT DETAIL
DESCRIPTION OF THE PROPOSAL
Development consent is sought for alterations and additions to the existing dwelling and a new front garage. In detail, the proposal involves the following works:
· A new double garage built on an existing fully paved open area/driveway at the front of subject site. This garage is to be of brick construction with a concrete floor having a complimentary and articulated hipped roof structure, covered with metal roof sheeting.
· Removal of the existing rear skillion roof form to be replaced with a pitched roof form to complement the existing pitched roof form of the residence.
· A new flat metal roof supported on a post to form a new entry porch complete with a new entry door, and associated window removals due to the incorporation of the garage.
HISTORY
20 Mar 14 Previous application (DA2013/0329) for first floor addition withdrawn
15 Sep 15 Application (DA2015/0335) lodged for the front garage and alterations to roof and internal alterations
19 Oct 15 Council received a copy of Complying Development Certificate issued for first floor addition
DESCRIPTION OF THE SITE AND LOCALITY
The site is legally described as Lot 231 DP 11934 and is known as 45 Baker Street, Oatley. The site is located on the south eastern side of Baker Street. The site has a regular shape with a frontage of 12.19m and an area of approximately 537.5sqm. The orientation of the site is approximately south east to north west. There is a slope, falling 2.8m from the north western front corner to the south eastern rear corner of the subject site. The site is located within the Foreshore Scenic Protection Area.
The site is occupied by a two (2) storey dwelling house. It is noted the existing structure being part of the dwelling is sitting towards the north eastern side boundary and providing zero setback to the north eastern side boundary. The first storey is currently under construction. Council received a copy of Complying Development Certificate issued for the first floor addition on 19 October 2015.
Adjoining the site on all sides are residential developments, comprising a mixture of detached housing of one (1) and two (2) storey dwellings. The surrounding area is generally residential in character.
COMPLIANCE AND ASSESSMENT
The development has been inspected and assessed under the relevant Section 79C(1) "Matters for Consideration" of the Environmental Planning and Assessment Act 1979.
1. Environmental Planning Instruments
HURSTVILLE LOCAL ENVIRONMENTAL PLAN 2012
The extent to which the proposal complies with the relevant standards of Hurstville Local Environmental Plan 2012 is outlined in the table below.
|
HLEP 2012 Clause |
Standard |
Proposed |
Complies |
|
Part 2 Permitted or Prohibited Development |
R2 Low Density Zone |
The proposal is defined as ancillary structure to a dwelling house. Ancillary structures to a dwelling house are permissible in the zone. |
Yes |
|
|
Objectives of the Zone |
The proposal complies with the objectives of the zone |
Yes |
|
4.3 Height of Buildings |
9m as identified on Height of Buildings Map |
No change to the existing building height |
N/A |
|
4.4 Floor Space Ratio |
0.6:1 as identified on Floor Space Ratio Map |
Unlikely to increase |
Yes |
|
6.4 – Foreshore Scenic Protection Area |
Council cannot grant consent to the carrying out of development on land within a Foreshore Scenic Protection Area unless consideration has been made of the following:
(3)(a) affect the natural environment, including topography, rock formations, canopy vegetation or other significant vegetation, and (b) affect the visual environment, including the views to and from the Georges River, foreshore reserves, residential areas and public places, and (c) affect the environmental heritage of Hurstville, and (d) contribute to the scenic qualities of the residential areas and the Georges River by maintaining the dominance of landscape over built form. |
The proposal will not impact on views to the foreshore.
The proposal is not likely to result in any impacts on any significant topographical feature, environmental heritage or any significant vegetation.
The proposal retains useable landscaped areas on site. |
Yes |
|
6.5 Gross Floor Area of a Dwelling House |
For site area ≤ 630sqm Maximum GFA = Site Area x 0.55 |
Floor area of principal dwelling is unlikely to increase |
N/A
|
|
6.7 Essential Services
|
Development not to affect Council /Essential services |
No impacts on services, minor increase in roof area – drain to Council’s kerb and gutter directly in front of the development site by a suitably designed charged system |
Yes (Conditions to apply) |
GREATER METROPOLITAN REGIONAL ENVIRONMENTAL PLAN NO 2 – GEORGES RIVER CATCHMENT
The site is within the area affected by the Greater Metropolitan Regional Environmental Plan No 2 – Georges River Catchment. The proposal, including the disposal of stormwater, is consistent with Council’s requirements for the disposal of stormwater in the catchment.
STATE ENVIRONMENTAL PLANNING POLICY NO 55 – REMEDIATION OF LAND
Clause 7(1)(a) of SEPP 55 requires the Consent Authority to consider whether land is contaminated. Council records indicate that the subject site has been used for residential purposes for a significant period of time with no prior land uses. In this regard it is considered that the site poses no risk of contamination and therefore, no further consideration is required under Clause 7(1)(b) and (c) of SEPP 55 and the land is considered to be suitable for the residential land use.
2. Draft Environmental Planning Instruments
No draft environmental planning instruments affect the proposed development.
3. Development Control Plans
An assessment of the proposed works against the relevant controls of the Development Control Plan No 1 - LGA Wide is provided below.
DEVELOPMENT CONTROL PLAN NO 1 – LGA WIDE – SECTION 4.1 SINGLE DWELLING HOUSES
|
Section 4.1 |
Standard |
Proposed |
Complies |
|
4.1.3.1 Max. Floor Area |
For site area ≤ 630sqm Maximum GFA = Site Area x 0.55 |
Floor area of principal dwelling is unlikely to increase |
N/A |
|
4.1.3.2 Landscaped Areas (min. width 2m)
Private Open Spaces |
FSPA 25% of Site Area
15sqm of landscaped area to be provided in the front yard
Principal Private Open Space Min. dimension of 4m x 5m |
No change |
N/A |
|
4.1.3.3 Building Height |
Max. ridge height = 9m
Max. ceiling height external wall = 7.2m |
4.5m (Garage)
2.7m (Garage) |
Yes
Yes |
|
4.1.3.4 Setback Controls
Front Setback (Building Line): |
4.5m (to front wall of dwelling)
5.5m to garage/carport or on-site parking space |
14.73m (Existing building line)
8.73m (Garage) |
N/A
Yes |
|
Side Boundary Setbacks: |
900mm – ground floor level
|
SW – 1.45m (Garage) NE – 3.9m (Garage) |
Yes Yes |
|
Rear Setback: |
Ground floor level – 3m First floor level – 6m |
No change |
N/A |
|
4.1.3.8 Car Parking |
Min. 2 spaces for 3 bedrooms or more (not applicable where no existing car parking behind building line)
Garages must not extend further towards the front boundary than the front wall
Driveway crossing width: between 2.7m and 4.5m
AS2890.1 – Max. driveway gradient |
2 spaces provided
Front garage
3m
7% |
Yes
No (1)
Yes
Yes |
|
4.1.3.10 Solar Design |
Principal private open space of both the subject lot and adjoining lot must receive a minimum of 3hrs direct solar access between 9am and 3pm in mid-winter (June). |
3hrs direct solar access between 9am and 3pm in mid-winter (June) can be achieved |
Yes |
|
4.1.3.11 Stormwater |
Refer to Stormwater Assessment Table |
Concept submitted |
Yes |
|
4.1.4 Alterations and Additions to a Single Dwelling House |
Proposed design to be integrated to complement existing dwelling
Roof of the dwelling addition to be integrated and to complement existing design elements where possible
Proposed materials used must complement the existing dwelling |
Complies |
Yes
Yes
Yes |
|
Stormwater Assessment |
|
|
Existing Stormwater System |
Existing absorption trench |
|
Proposed Stormwater System |
Drain to Council’s kerb and gutter directly in front of the development site by a suitably designed charged system (Conditions to apply) |
|
Stormwater objectives for development type met? |
Consistent |
|
Slope to rear (measured centreline of site) |
Yes |
|
Gravity to street (from property boundary to street kerb)? |
Yes |
|
Discharge into same catchment? |
Yes |
|
Easement required? |
No |
(1) Car Parking - Front Garage
The proposal comprises a front garage attached to the front wall of the existing dwelling while Clause 4.1.3.8 under Development Control Plan No 1 – LGA Wide states ‘garages must not extend further towards the front boundary than the front wall of the dwelling’.
The variation is not considered unreasonable on the grounds that no vehicular access behind the front building alignment is available due to the site constraint. In addition, a number of front garages are evident in the immediate vicinity. The impact of the garage is not considered to be out of keeping with the existing streetscape. Further, the proposed garage provides 8.73m front setback which mitigates the visual impact on the streetscape. Lastly, the garage provides two (2) additional off street parking spaces which will likely increase on street parking capacity on Baker Street.
Therefore, the proposal is considered to be appropriate and is supported in this instance for the reasons provided above.
4. Impacts
Natural Environment
It is considered that the proposal will have no adverse impact upon the natural environment, subject to the conditions included in this report.
Built Environment
The proposal is considered to be appropriate, in terms of its scale, bulk and height compared to the surrounding developments. In this regard, the proposed works are not considered to result in any unacceptable material built environment impacts.
Social Impact
The proposed development is for a residential purpose in an already established residential zone. Consequently, the proposal will not result in any unreasonable social impacts.
Economic Impact
No significant economic impacts are likely to arise as a result of the proposed development.
Suitability of the Site
The subject site is free of environmental constraints and the proposal provides an urban form and level of amenity that is compliant with the relevant objectives of the Hurstville Local Environmental Plan and Development Control Plan No 1. As such, the subject site is suitable for the proposed development.
5. REFERRALS, SUBMISSIONS AND THE PUBLIC INTEREST
Resident
The application was notified to six (6) neighbouring properties for a period of fourteen (14) days during which time one (1) submission was received in relation to the proposal. The following concerns were raised in relation to the proposal.
Stormwater
Concern was raised regarding potential stormwater overflow impact to the adjacent property.
Comment: It is conditioned that all roof waters shall drain to Council’s kerb and gutter directly in front of the development site by a suitably designed charged system. All surface water runoff such as driveway/footpath shall drain to a suitability designed absorption trench in the rear yard. The design of this proposed drainage system must be prepared by a qualified practising hydraulics engineer (with details of qualifications being provided) and be submitted for approval with the Construction Certificate application.
Front Awning
Concern was raised regarding the proposed front awning potentially encroaching to the neighbouring property.
Comment: A condition is to be included to ensure that no part of any structure (including gutters and eaves) may encroach or overhang any property boundary.
Acoustic Impact
Concern was raised regarding the acoustic impact potentially generated by the proposed development.
Comment: The side entry, the awning and other elements mentioned in the submission are unlikely to generate any unacceptable acoustic impact. A condition is to be included to ensure that the implementation of this development shall not adversely affect the amenity of the neighbourhood.
Privacy Impact
Concern was raised regarding the privacy impact generated by the rear facing window and the rear raised deck.
Comment: It is noted the rear facing window and the rear deck are existing and not part of the proposal. Therefore, the assessment of the privacy impact from the rear window and deck is not to be considered necessary in this report.
Accuracy of Information
Concern was raised regarding the accuracy of information of the engineering details and site area figure.
Comment: The proposal has provided information which has been sufficient for Council to undertake a thorough assessment of the proposal and such impacts of the proposal. Council Officers have made their own assessment of the merits of the proposal based on the information submitted.
Double Garage
Concern was raised regarding the double garage which is likely to set a precedent in the area.
Comment: As discussed, the proposal is considered to be appropriate and is supported in this instance for the reasons provided in the report.
Council Referral
Tree Management Officer
The application was referred to Council’s Tree Management Officer who raised no objection subject to the condition being attached to any consent granted.
Development Engineer
The application was referred to Council’s Development Engineer who raised no objection subject to the conditions being attached to any consent granted.
6. CONCLUSION
The proposed development of alterations and additions to an existing dwelling including a new front garage attached to the existing dwelling, alterations to roof and internal alterations is permissible in the zone R2 – Low Density Residential under the Hurstville Local Environmental Plan 2012. The proposal has been assessed against the relevant provisions of the Development Control Plan No 1 – LGA Wide. There is one (1) variation to car parking controls under Development Control Plan No 1. The proposal complies in full with the rest of Development Control Plan No 1 subject to the conditions included in this report.
Having regard to the matters of consideration under Section 79C of the Environmental Planning and Assessment Act 1979, the proposal is considered satisfactory and acceptable for the reasons stated in this report.
DETERMINATION
THAT pursuant to Section 80(1)(a) of the Environmental Planning and Assessment Act, 1979, as amended, the Council, grants development consent to Development Application DA2015/0335 for alterations and additions to an existing dwelling including a new front garage attached to the existing dwelling, alterations to roof and internal alterations on Lot 231 DP 11934 and known as 45 Baker Street, Oatley, subject to the attached conditions:
Schedule A – Site Specific Conditions
GENERAL CONDITIONS
These conditions have been imposed to ensure that the development is carried out in accordance with the approved plans and to ensure that the appropriate fees and bonds are paid in relation to the development.
1. GEN1001 - Approved Plans - The development must be implemented in accordance with the approved plans and supporting documentation listed below which have been endorsed by Council’s approved stamp, except where marked up on the plans and/or amended by conditions of this consent:
|
Reference No. |
Date |
Description |
Revision |
Prepared by |
|
2 of 9 |
Received 14 Sep 15 |
Site Plan |
H |
Cape Cod |
|
4 of 9 |
Received 14 Sep 15 |
Ground Floor Plan |
H |
Cape Cod |
|
5 of 9 |
Received 14 Sep 15 |
Garage Plan |
H |
Cape Cod |
|
6 of 9 |
Received 14 Sep 15 |
NW / SW Elevations |
H |
Cape Cod |
|
7 of 9 |
Received 14 Sep 15 |
SE / NE Elevations |
H |
Cape Cod |
|
8 of 9 |
Received 14 Sep 15 |
Section A-A |
H |
Cape Cod |
2. GEN1002 - Fees to be paid to Council - The fees listed in the table below must be paid in accordance with the conditions of this consent and Council’s adopted Fees and Charges applicable at the time of payment.
Payments must be made prior to the issue of the Construction Certificate or prior to the commencement of work (if there is no associated Construction Certificate).
(a) Fees to be paid:
Fee types, bonds and contributions
|
Fee Type |
|
Long Service Levy (to Long Service Corporation) |
|
Builders Damage Deposit |
|
Inspection Fee for Refund of Damage Deposit |
The following fees apply where you appoint Council as your Principal Certifying Authority (PCA). (If you appoint a private PCA, separate fees will apply)
|
PCA Services Fee |
$880.63 |
|
Construction Certificate Application Fee |
$880.63 |
|
Construction Certificate Imaging Fee |
$69.00 |
Fees and charges above are subject to change and are as set out in the version of Council's Schedule of Fees and Charges or as required by other Government Authorities, applicable at the time of payment.
3. GEN1014 - Long Service Levy - Submit evidence of payment of the Building and Construction Industry Long Service Leave Levy to the Principal Certifying Authority. Note this amount is based on the cost quoted in the Development Application, and same may increase with any variation to estimated cost which arises with the Construction Certificate application. To find out the amount payable go to www.lspc.nsw.gov.au or call 131441. Evidence of the payment of this levy must be submitted with the Construction Certificate application.
4. GEN1015 - Damage Deposit - Minor Works - In order to insure against damage to Council property the following is required:
(a) Payment to Council of a damage deposit for the cost of making good any damage caused to any Council property as a result of the development: $1,500.00.
(b) Payment to Council of a non-refundable inspection fee to enable assessment of any damage and repairs where required: $140.00.
(c) At the completion of work Council will inspect the public works, and the damage deposit will be refunded in full upon completion of work where no damage occurs. Otherwise the amount will be either forfeited or partly refunded according to the amount of damage.
(d) Prior to the commencement of work a photographic record of the condition of the Council nature strip, footpath and driveway crossing, or any area likely to be affected by the proposal, shall be submitted to Council
(e) Payments pursuant to this condition are required to be made to Council before the issue of the Construction Certificate.
(f) Fees and charges above are subject to change and are as set out in the version of Council's Schedule of Fees and Charges or as required by other Government Authorities, applicable at the time of payment.
SEPARATE APPROVALS UNDER OTHER LEGISLATION
These conditions have been imposed to ensure that the applicant is aware of any separate approvals required under other legislation, for example: approvals required under the Local Government Act 1993 or the Roads Act 1993.
5. APR6001 - Engineering - Section 138 Roads Act and Section 68 Local Government Act 1993
Unless otherwise specified by a condition of this consent, this Development Consent does not give any approval to undertake works on public infrastructure.
A separate approval is required to be lodged and approved under Section 138 of the Roads Act 1993 and/or Section 68 of the Local Government Act 1993 for any of the following activities carried out in, on or over a public road (including the footpath):
(a) Placing or storing materials or equipment;
(b) Placing or storing waste containers or skip bins;
(c) Erecting a structure or carrying out work
(d) Swinging or hoisting goods over any part of a public road by means of a lift, crane or the like;
(e) Pumping concrete from a public road;
(f) Pumping water from the site into the public road;
(g) Constructing a vehicular crossing or footpath;
(h) Establishing a “works zone”;
(i) Digging up or disturbing the surface of a public road (e.g. Opening the road for the purpose of connections to utility providers);
(j) Stormwater and ancillary works in the road reserve; and
(k) Stormwater and ancillary to public infrastructure on private land
(l) If any excavation is to be supported by the use of below ground (cable) anchors that are constructed under Council’s roadways/footways.
These separate activity approvals must be obtained and evidence of the approval provided to the Certifying Authority prior to the issue of the Construction Certificate.
The relevant Application Forms for these activities can be downloaded from Hurstville City Council’s website at: www.hurstville.nsw.gov.au
For further information, please contact Council’s Customer Service Centre on (02)9330 6222.
6. APR6004 - Engineering - Road Opening Permit - A Road Opening Permit must be obtained from Council, in the case of local or regional roads, or from the Roads and Maritime Services, in the case of State roads, for every opening of a public road reserve to access services including sewer, stormwater drains, water mains, gas mains, and telecommunications before the commencement of work in the road.
REQUIREMENTS OF OTHER GOVERNMENT AGENCIES
These conditions have been imposed by other NSW Government agencies either through their role as referral bodies, concurrence authorities or by issuing General Terms of Approval under the Integrated provisions of the Environmental Planning and Assessment Act 1979.
7. GOV1007 - Sydney Water - Quick Check - The approved plans must be submitted to a Sydney Water Quick Check agent or Customer Care Centre to determine whether the development application will affect Sydney Water’s sewer and water mains, storm water drains and/or easements, and if further requirements need to be met. The approved plans will be appropriately stamped. For Quick Check agent details please refer to Sydney Water’s website: www.sydneywater.com.au
PRIOR TO THE ISSUE OF THE CONSTRUCTION CERTIFICATE
These conditions either require modification to the development proposal or further investigation/information prior to the issue of the Construction Certificate to ensure that there is no adverse impact.
8. CC2024 - Development Assessment - Design - Encroachment of structures - No part of any structure (including gutters and eaves) may encroach or overhang any property boundary.
9. CC2004 - Development Assessment - Design Changes - The following design changes are required and are to be incorporated into the plans to be lodged with the Construction Certificate application.
The submitted concept hydraulic plan shall be amended to:
(a) charge all roof water to a grated pit on site that is to drain by gravity to the Baker Street kerb and gutter. The grated pit must have a 150mm sump and galvanised mesh permanently fixed over the outlet pipe(s).
(b) Driveway and footpath runoff that drains away from the street is to be intercepted in a system of grated pits and pipelines and directed to a suitably designed absorption system.
These design changes are to be incorporated into the Detailed Hydraulic Plans submitted for approval with the Construction Certificate Application.
10. CC2002 - Development Assessment - Site Management Plan - Minor Development - A Site Works Plan detailing all weather access control points, sedimentation controls, fencing, builder’s site sheds office, amenities, materials storage and unloading arrangements must be submitted with the application for the Construction Certificate.
11. CC2001 - Development Assessment - Erosion and Sedimentation Control - Erosion and sediment controls must be provided to ensure:
(a) Compliance with the approved Erosion and Sediment Control Plan
(b) Removal or disturbance of vegetation and top soil is confined to within 3m of the approved building area (no trees to be removed without approval)
(c) all clean water run-off is diverted around cleared or exposed areas
(d) silt fences, stabilised entry/exit points or other devices are installed to prevent sediment from entering drainage systems or waterways
(e) all erosion and sediment controls are fully maintained for the duration of demolition, excavation and/or development works
(f) controls are put into place to prevent tracking of sediment by vehicles onto adjoining roadway
(g) all disturbed areas are rendered erosion-resistant by turfing, mulching, paving or similar
(h) Compliance with Managing Urban Stormwater - Soils and Construction (Blue Book) produced by Landcom 2004.
These measures are to be implemented before the commencement of work (including demolition and excavation) and must remain until the issue of the Occupation Certificate.
12. CC2011 - Development Assessment - BASIX Commitments - All energy efficiency measures as detailed in the BASIX Certificate No. A228186_02 dated 14 September 2015, approved with the Development Consent DA2015/0335, must be implemented on the plans lodged with the application for the Construction Certificate.
13. CC3001 - Development Engineering - Stormwater System
|
Reference No. |
Date |
Description |
Revision |
Prepared by |
|
- |
- |
Site Stormwater Concept Plan |
- |
Cape Cod Australia |
The above submitted stormwater plan has been assessed as a concept plan only and no detailed assessment of the design has been undertaken.
(a) All roof waters and all overflows from any rainwater tank shall drain to Council’s kerb and gutter directly in front of the development site by a suitably designed charged system.
All outlets from any charged system must be constructed at 45 degrees to the direction of flow in the street gutter.
The design of this proposed drainage system must be prepared by a qualified practising hydraulics engineer (with details of qualifications being provided) and be submitted for approval with the Construction Certificate application.
(b) All surface water runoff such as driveway/footpath shall drain to a suitability designed absorption trench in the rear yard. Such trenches must be located at least 3m from any property boundary and be constructed across the contour of the land.
The design of this proposed drainage system must be prepared by a qualified practising hydraulics engineer (with details of qualifications being provided). Certification of the adequacy of the absorption trench system for the surface area being drained shall also be provided by the hydraulics engineer.
Design details and certification shall be submitted for approval with the Construction Certificate application.
14. CC3004 - Development Engineering - Stormwater Drainage Plans - The submitted stormwater plan has been assessed as a concept plan only and no detailed assessment of the design has been undertaken.
Stormwater drainage plans including pipe sizes, type, grade, length, invert levels, dimensions and types of drainage pits prepared by a qualified practising hydraulics engineer (with details of qualifications being provided) in accordance with the Australian Institute of Engineers Australian Rainfall and Runoff (1987) and Council's Stormwater Drainage Guidelines, shall accompany the application for the Construction Certificate.
15. CC5002 - Trees - Tree Protection and Retention - The following trees shall be retained and protected:
The retention of all trees as per recommendations in Statement of Environmental Effects is supported and is to be conditioned.
All trees to be retained shall be protected and maintained during demolition, excavation and construction of the site. The tree protection measures must be in undertaken in accordance AS4970-2009 Protection of trees on development sites. Details of the tree protection measures to be implemented must be provided with the application for a Construction Certificate by a suitably qualified Arborist (AQF Level 4 or above in Arboriculture) and must be retained thorough all stages of construction.
16. CC7004 - Building - Structural details - Structural plans, specifications and design statement prepared and endorsed by a suitably qualified practising structural engineer who holds the applicable Certificate of Accreditation as required under the Building Professionals Act 2005 shall be submitted along with the Construction Certificate application to the Certifying Authority for any of the following, as required by the building design:
(a) piers
(b) footings
(c) slabs
(d) columns
(e) structural steel
(f) reinforced building elements
(h) retaining walls
(i) stabilizing works
(j) structural framework
PRIOR TO THE COMMENCEMENT OF WORK (INCLUDING DEMOLITION AND EXCAVATION)
These conditions have been imposed to ensure that all pre-commencement matters are dealt with and finalised prior to the commencement of work.
17. PREC2001 - Building regulation - Site sign - Soil and Erosion Control Measures - Prior to the commencement of works (including demolition and excavation), the durable site sign issued by Hurstville City Council in conjunction with this consent must be erected in a prominent location on site. The site sign warns of the penalties which apply to pollution, storing materials on road or footpath and breaches of the conditions relating to erosion and sediment controls. The sign must remain in a prominent location on site up until the completion of all site and building works.
18. PREC2002 - Development Assessment - Demolition and Asbestos - The demolition work shall comply with the provisions of Australian Standard AS2601:2011 - Demolition of Structures, NSW Work Health and Safety Act 2011 and the NSW Work Health and Safety Regulation 2011. The work plans required by AS2601-2001 shall be accompanied by a written statement by a suitably qualified person that the proposals contained in the work plan comply with the safety requirements of the Standard. The work plans and the safety statement shall be submitted to the Principal Certifying Authority prior to the commencement of works.
For demolition work which involves the removal of asbestos, the asbestos removal work must be carried out by a licensed asbestos removalist who is licensed to carry out the work in accordance with the NSW Work Health and Safety Act 2011 and the NSW Work Health and Safety Regulation 2011 unless specified in the Act and/or Regulation that a license is not required.
The asbestos removal work shall also be undertaken in accordance with the How to Safely Remove Asbestos: Code of Practice published by Work Cover NSW.
Copies of the Act, Regulation and Code of Practice can be downloaded free of charge from the Work Cover NSW website: www.workcover.nsw.gov.au
19. PREC6001 - Engineering - Dial before your dig - The applicant shall contact “Dial Before You Dig on 1100” to obtain a Service Diagram prior to the issuing of the Construction Certificate. The sequence number obtained from “Dial Before You Dig” shall be forwarded to Council’s Engineers for their records.
20. PREC7001 - Building - Registered Surveyors Report - During Development Work - A report must be submitted to the Principal Certifying Authority at each of the following applicable stages of construction:
(a) Completion of any Roof Framing - Before roof covered detailing eaves/gutter setback from boundaries.
(b) Completion of all Work - Detailing the location of the structure (including eaves/gutters) relative to adjacent boundaries and its height relative to the datum shown on the approved plans. A final Check Survey must indicate the reduced level of the main ridge.
Work must not proceed beyond each stage until the Principal Certifying Authority is satisfied that the height and location of the building is proceeding in accordance with the approved plans.
DURING WORK
These conditions have been imposed to ensure that there is minimal impact on the adjoining development and surrounding locality during the construction phase of the development.
21. CON2001 - Development Assessment - Hours of construction, demolition and building related work - Any work activity or activity associated with the development consent that requires the use of any tools (including hand tools) or any power operated plant and machinery that creates noise on or adjacent to the site shall not be performed, or permitted to be performed, except between the hours of 7.00 am to 5.00 pm, Monday to Saturday inclusive. No work or ancillary activity shall be permitted to be performed on any Sunday, Good Friday, Christmas Day or any Public Holiday. A penalty infringement notice may be issued for any offence.
In addition to the foregoing requirements, construction work on all buildings (except that on single dwelling houses and associated structures on the site of a single dwelling house) shall be prohibited on Saturdays and Sundays on weekends adjacent to a public holiday.
22. CON2002 - Development Assessment - Ground levels and retaining walls - The ground levels of the site shall not be excavated, raised or filled, or retaining walls constructed on the allotment boundary, except where indicated on approved plans or approved separately by Council.
23. CON3001 - Development Engineering - Physical connection of stormwater to site - No work is permitted to proceed above the ground floor slab level of the building until there is physical connection of the approved stormwater drainage system from the land the subject of this consent to Council's kerb and gutter in Baker Street.
24. CON6001 - Engineering - Cost of work to be borne by the applicant - The applicant shall bear the cost of all works associated with the construction of the development that occurs on Council property. Care must be taken to protect Council's roads, including the made footway, kerbs, etc, and, where plant and vehicles enter the site, the footway shall be protected against damage by deep-sectioned timber members laid crosswise, held together by hoop iron straps and chamfered at their ends. This construction shall be maintained in a state of good repair and condition throughout the course of construction.
25. CON6002 - Engineering - Obstruction of Road or Footpath - The use of the road or footpath for the storage of any building materials, waste materials, temporary toilets, waste or skip bins, or any other matter is not permitted unless separately approved by Council under Section 138 of the Roads Act and/or under Section 68 of the Local Government Act 1993. Penalty Infringement Notices may be issued for any offences and severe penalties apply.
26. CON8001 - Waste - Waste Management Facility - All materials removed from the site as a result of demolition, site clearing, site preparation and, or excavation shall be disposed of at a suitable Waste Management Facility. No vegetation, article, building material, waste or the like shall be ignited or burnt whatsoever or in association with the work on site. Copies of all receipts for the disposal, or processing of all such materials shall be submitted to the Principal Certifying Authority and a copy provided to the Manager Environmental Services, Hurstville City Council.
PRIOR TO THE ISSUE OF THE OCCUPATION CERTIFICATE
These conditions have been imposed to ensure that all works have been completed in accordance with the Development Consent prior to the issue of the Occupation Certificate.
27. OCC2004 - Development Assessment - BASIX Compliance Certificate - A Compliance Certificate must be provided to the Principal Certifying Authority regarding the implementation of all energy efficiency measures as detailed in the BASIX Certificate No. A228186_02 dated 14 September 2015, and in the plans approved with the Development Consent/ Construction Certificate, before issue of the Occupation Certificate.
28. OCC3002 - Development Engineering - Works as Executed and Certification of Stormwater works - Prior to the issue of an Occupation Certificate, the Principal Certifying Authority must ensure that the stormwater drainage system has been constructed in accordance with the approved design and relevant Australian Standards.
A works-as-executed drainage plan and certification must be forwarded to the Principal Certifying Authority and Hurstville City Council, from a suitably qualified and experienced Hydraulic Consultant/Engineer.
This Plan and Certification shall confirm that the design and construction of the stormwater drainage system satisfies the conditions of development consent and the Construction Certificate stormwater design details approved by the Certifying Authority.
The works-as-executed drainage plan must prepared by a suitably qualified and experienced Hydraulic Engineer in conjunction with a Registered Surveyor and the works-as-executed plan must include the following details (as applicable):
(a) The location, diameter, gradient and material (i.e. PVC, RC etc) of all stormwater pipes;
(b) Details of any infiltration/absorption systems.
29. OCC6009 - Engineering - Stormwater drainage works - Works As Executed - Prior to the issue of the Occupation Certificate, storm water drainage works are to be certified by a qualified storm water engineer, with Works-As-Executed drawings supplied to Council detailing:
(a) Compliance with conditions of development consent relating to stormwater;
(b) That the works have been constructed in accordance with the approved design and will provide the detention storage volume and attenuation in accordance with the submitted calculations;
(c) Pipe invert levels and surface levels to Australian Height Datum;
(d) Contours indicating the direction in which water will flow over land should the capacity of the pit be exceeded in a storm event exceeding design limits.
ONGOING CONDITIONS
These conditions have been imposed to ensure that the use or operation of the development does not adversely impact on the amenity of the neighbourhood or environment.
30. ONG2003 - Development Assessment - Maintenance of Landscaping - All trees and plants forming part of the landscaping must be maintained on an ongoing basis. Maintenance includes watering, weeding, removal of rubbish from tree bases, fertilizing, pest and disease control and any other operations required to maintain healthy trees, plants and turfed areas.
31. ONG4018 - Health - Amenity of the neighbourhood - The implementation of this development shall not adversely affect the amenity of the neighbourhood or interfere unreasonably with the comfort or repose of a person who is outside the premises by reason of the emission or discharge of noise, fumes, vapour, odour, steam, soot, dust, waste water, waste products, grit, oil or other harmful products.
No vegetation, article, building material, waste or the like shall be ignited or burnt whatsoever or in association with the work on site.
ADVICE
This advice has been included to provide additional information and where available direct the applicant to additional sources of information based on the development type.
32. ADV2002 - Development Assessment - Site Safety Fencing - Site fencing must be erected in accordance with WorkCover Guidelines, to exclude public access to the site throughout the demolition and/or construction work, except in the case of alterations to an occupied dwelling. The fencing must be erected before the commencement of any work and maintained throughout any demolition and construction work.
For more information visit www.workcover.nsw.gov.au
33. ADV2009 Development Assessment - Security deposit administration & compliance fee - Under Section 97 (5) of the Local Government Act 1993, a security deposit (or part) if repaid to the person who provided it is to be repaid with any interest accrued on the deposit (or part) as a consequence of its investment.
Council must cover administration and other costs incurred in the investment of these monies. The current charge is $50.00 plus 2% of the bond amount per annum.
Interest rate applied to bonds is set at Council's business banking facility rate as at 1 July each year. Council will accept a bank guarantee in lieu of a deposit.
All interest earned on security deposits will be used to offset the Security Deposit Administration and Compliance fee. Where interest earned on a deposit is not sufficient to meet the fee, it will be accepted in full satisfaction of the fee.
Schedule B – Prescribed Conditions
Prescribed conditions are those which are mandated under Division 8A of the Environmental Planning and Assessment Regulation 2000 and given weight by Section 80A (11) of the Environmental Planning and Assessment Act 1979.
Detailed below is a summary of all the prescribed conditions which apply to development in New South Wales. Please refer to the full details of the prescribed conditions as in force, at www.legislation.nsw.gov.au.
It is the responsibility of the beneficiary of this consent to determine which prescribed conditions apply.
34. PRES1001 - Clause 97A – BASIX Commitments - This Clause requires the fulfilment of all BASIX Commitments as detailed in the BASIX Certificate to which the development relates.
35. PRES1002 - Clause 98 – Building Code of Australia & Home Building Act 1989 - Requires all building work to be carried out in accordance with the Building Code of Australia. In the case of residential building work to which the Home Building Act 1989 relates, there is a requirement for a contract of insurance to be in force before any work commences.
36. PRES1003 - Clause 98A – Erection of Signs - Requires the erection of signs on site and outlines the details which are to be included on the sign. The sign must be displayed in a prominent position on site and include the name and contact details of the Principal Certifying Authority and the Principal Contractor.
37. PRES1004 - Clause 98B – Home Building Act 1989 - If the development involves residential building work under the Home Building Act 1989, no work is permitted to commence unless certain details are provided in writing to Council. The name and licence/permit number of the Principal Contractor or Owner Builder and the name of the Insurer by which work is insured under Part 6 of the Home Building Act 1989.
38. PRES1007 - Clause 98E – Protection & support of adjoining premises - If the development involves excavation that extends below the level of the base of the footings of a building on adjoining land, this prescribed condition requires the person who benefits from the development consent to protect and support the adjoining premises and where necessary underpin the adjoining premises to prevent any damage.
Schedule C – Operational & Statutory Conditions
These conditions comprise the operational and statutory conditions which must be satisfied under the Environmental Planning and Assessment Act 1979 and the Environmental Planning & Assessment Regulation 2000. Please refer to the full details of the Act and Regulations as in force, at www.legislation.nsw.gov.au.
It is the responsibility of the beneficiary of this consent to determine which operational and statutory conditions apply.
39. OPER1001 - Requirement for a Construction Certificate - The erection of a building must not commence until a Construction Certificate has been issued by the consent authority, the Council (if the Council is not the consent authority) or an accredited certifier.
An application form for a Construction Certificate is attached for your convenience.
40. OPER1002 - Appointment of a Principal Certifying Authority - The erection of a building must not commence until the beneficiary of the development consent has:
(a) appointed a Principal Certifying Authority (PCA) for the building work; and
(b) if relevant, advised the PCA that the work will be undertaken as an Owner-Builder.
If the work is not going to be undertaken by an Owner-Builder, then the beneficiary of the consent must:
(a) appoint a Principal Contractor to undertake the building work. If residential building work (within the meaning of the Home Building Act 1989) is to be undertaken, the Principal Contractor must be a holder of a contractor licence; and
(b) notify the PCA of the details of any such appointment; and
(c) notify the Principal Contractor of any critical stage inspections or other inspections that are required to be carried out in respect of the building work.
An Information Pack is attached for your convenience should you wish to appoint Hurstville City Council as the Principal Certifying Authority for your development.
41. OPER1003 - Notification of Critical Stage Inspections - No later than two (2) days before the building work commences, the PCA must notify:
(a) the consent authority and the Council (if not the consent authority) of his or her appointment; and
(b) the beneficiary of the development consent of the critical stage inspections and other inspections that are to be carried out with respect to the building work.
42. OPER1004 - Notice of Commencement - The beneficiary of the development consent must give at least two (2) days’ notice to the Council and the PCA of their intention to commence the erection of a building.
A Notice of Commencement Form is attached for your convenience.
43. OPER1007 - Critical Stage Inspections - The last critical stage inspection must be undertaken by the Principal Certifying Authority. The critical stage inspections required to be carried out vary according to Building Class under the Building Code of Australia and are listed in Clause 162A of the Environmental Planning and Assessment Regulation 2000.
44. OPER1008 - Notice to be given prior to critical stage inspections - The principal contractor for a building site, or the owner-builder, must notify the principal certifying authority at least 48 hours before each required inspection needs to be carried out.
Where Hurstville City Council has been appointed PCA, forty eight (48) hours’ notice in writing, or alternatively twenty four (24) hours’ notice by facsimile or telephone, must be given to when specified work requiring inspection has been completed.
45. OPER1009 - Occupation Certificate - A person must not commence occupation or use of the whole or any part of a new building unless an Occupation Certificate has been issued in relation to the building or part.
Only the Principal Certifying Authority appointed for the building work can issue the Occupation Certificate.
An Occupation Certificate Application Form is attached for your convenience.
If you need more information, please contact the Development Assessment Officer, below on 9330-6222 during normal office hours.
For video relating to 45 Baker St Oatley click here
|
Appendix View1 |
Location Plan - 45 Baker St Oatley |
|
Appendix View2 |
Site Photo - Front - 45 Baker St Oatley |
|
Appendix View3 |
Site Photo - Rear - 45 Baker St Oatley |
|
Appendix View4 |
Site Plan - 45 Baker St Oatley |
|
Appendix View5 |
North West and South West Elevation Plan - 45 Baker St Oatley |
|
Appendix View6 |
South East and North East Elevation - 45 Baker St Oatley |
|
Appendix View7 |
Company Extract - Applicant - 45 Baker St Oatley (Confidential) |
Hurstville City Council – Council Meeting Wednesday, 2 March 2016
CCL058-16 45 Baker St Oatley - Alterations and Additions to Dwelling including New Garage to Front of Dwelling and Alterations to Roof and Internal
[Appendix 1] Location Plan - 45 Baker St Oatley
CCL058-16 45 Baker St Oatley - Alterations and Additions to Dwelling including New Garage to Front of Dwelling and Alterations to Roof and Internal
[Appendix 2] Site Photo - Front - 45 Baker St Oatley
CCL058-16 45 Baker St Oatley - Alterations and Additions to Dwelling including New Garage to Front of Dwelling and Alterations to Roof and Internal
[Appendix 3] Site Photo - Rear - 45 Baker St Oatley
CCL058-16 45 Baker St Oatley - Alterations and Additions to Dwelling including New Garage to Front of Dwelling and Alterations to Roof and Internal
[Appendix 4] Site Plan - 45 Baker St Oatley
CCL058-16 45 Baker St Oatley - Alterations and Additions to Dwelling including New Garage to Front of Dwelling and Alterations to Roof and Internal
[Appendix 5] North West and South West Elevation Plan - 45 Baker St Oatley
CCL058-16 45 Baker St Oatley - Alterations and Additions to Dwelling including New Garage to Front of Dwelling and Alterations to Roof and Internal
[Appendix 6] South East and North East Elevation - 45 Baker St Oatley
CCL059-16 20 McLeod St Hurstville - Demolition of Existing and Construction of Two Storey Attached Dual Occupancy
|
Applicant |
Inner Architecture |
|
Proposal |
Demolition of existing structures and construction of a two storey attached dual occupancy |
|
Owners |
Rozita Lupevska and Elizabeth Lupevski |
|
Report Author/s |
Senior Development Assessment Officer, Ms T Gizzi |
|
File |
DA2015/0174 |
|
Previous Reports Referenced |
No |
|
Disclosure of Political Donations or Gifts |
No |
|
Zoning |
Zone R2 - Low Density Residential |
|
Existing Development |
Single Dwelling House |
|
Cost of Development |
$835,000.00 |
|
Reason for Referral to Council |
Slopes to the rear and variation to DCP1 |
|
Planning Instruments Applicable |
Hurstville Local Environmental Plan 2012, State Environmental Planning Policy No 55 – Remediation of Land, State Environmental Planning Policy (Building Sustainability Index: BASIX) 2004, Greater Metropolitan Regional Environmental Plan No 2 – Georges River Catchment, Development Control Plan No 1 - LGA Wide |
|
Hurstville Local Environment Plan Interpretation of Use |
Demolition and Dual Occupancy |
EXECUTIVE SUMMARY
1. Development consent is sought for demolition of the existing structures and construction of a two (2) storey attached dual occupancy.
2. The application has been assessed against the relevant planning instruments and Development Control Plan. Minor variations to Development Control Plan No 1 – LGA Wide are sought, however are found to be acceptable for the reasons provided in the report.
3. The application was notified in accordance with Development Control Plan No 1 – LGA Wide. No submissions were received.
|
That the application be granted a ‘deferred commencement’ approval in accordance with the conditions included in the report. |
REPORT DETAIL
DESCRIPTION OF THE PROPOSAL
Development consent is sought for the demolition of the existing structures and construction of a two (2) storey attached dual occupancy at 20 McLeod Street, Hurstville.
Each dwelling comprises the primary living spaces, laundry, bathroom and a single garage at ground floor level, and four (4) bedrooms and the main bathroom at first floor level.
Eight (8) trees are proposed to be removed from the site to facilitate the development, however the large street tree is proposed to be retained.
HISTORY
22 May 15 Development application lodged with Council
28 May 15 Application was notified for fourteen (14) days
2 July 15 Referral by Council’s Tree Management Officer completed
31 Aug 15 Referral by Council’s Development Engineer completed
DESCRIPTION OF THE SITE AND LOCALITY
The subject site is legally identified as Lot 49 in DP10046 and known as 20 McLeod Street Hurstville. The site is located on the north eastern side of McLeod Street with a frontage of 15.505m and a total area of 779sqm. The site has a fall of approximately 5m from front to rear.
Currently occupying the site is a single storey dwelling. Eight (8) trees are also located on the property and one (1) large street tree exists in front of the site.
Adjoining to the site to the south east are recently constructed two (2) storey dual occupancies at 16 and 18 McLeod Street and to the north west is a single storey dwelling house. The site backs on to Croot Park at the rear. The area is generally characterised by one (1) and two (2) storey low density residential developments comprising a mix of architectural styles.
COMPLIANCE AND ASSESSMENT
The development has been inspected and assessed under the relevant Section 79C(1) "Matters for Consideration" of the Environmental Planning and Assessment Act 1979.
1. Environmental Planning Instruments
HURSTVILLE LOCAL ENVIRONMENTAL PLAN 2012
The extent to which the proposal complies with the relevant standards of Hurstville Local Environmental Plan 2012 is outlined in the table below.
|
Clause |
Standard |
Assessment Under HLEP 2012 |
|
Part 2 – Permitted or Prohibited Development |
R2 Low Density Zone
Objectives of the Zone |
The proposal is defined as a dual occupancy. Dual occupancies are permissible in the zone.
The proposal complies with the objectives of the zone |
|
2.7 – Demolition requires Development Consent |
The demolition of a building or work may be carried out only with development consent |
The proposed demolition has been assessed as part of this application and is recommended for approval, subject to standard demolition conditions of consent |
|
4.1A – Minimum Lot Sizes for Dual Occupancies |
LEP Lot size map: Subject site is identified as “G” = 630sqm |
779sqm (complies) |
|
4.1B – Exception to minimum sizes for dual occupancies |
Subdivision may be granted if there is a dual occupancy and after the subdivision there will only be 1 dwelling per lot |
A separate DA is required for the Torrens Title subdivision |
|
4.3 – Height of Buildings |
9m as identified on Height of Buildings Map |
7.98m (complies) |
|
4.4 – Floor Space Ratio |
Site = 779sqm
0.6:1 as identified on Floor Space Ratio Map |
0.43:1 |
|
4.5 – Calculation of floor space ratio and site area |
FSR and site area calculated in accordance with Cl.4.5 |
In accordance with Cl. 4.5 |
|
5.9 – Preservation of trees or vegetation |
Trees to be removed are specified in DCP No.1 |
Council’s Tree Management Officer raised no objection to the removal of eight (8) trees from the site and the retention of the street tree, subject to conditions |
|
6.7 – Essential Services |
The following services that are essential for the development shall be available or that adequate arrangements must be made available when required: · Supply of water, electricity and disposal and management of sewerage
· Stormwater drainage or on-site conservation
· Suitable vehicular access |
· Adequate facilities for the supply of water and for the removal of sewage and drainage are available to this land. · Council’s Development Engineer has raised no objection, subject to deferred commencement conditions requiring the acquisition of an easement for drainage. · New driveway crossings available from McLeod Street. |
State Environmental Planning Instruments
Compliance with the relevant state environmental planning policies is detailed and discussed in the table below.
|
State Environmental Planning Policy |
Complies |
|
State Environmental Planning Policy 55 – Remediation of Land |
Yes |
|
State Environmental Planning Policy (Building Sustainability Index BASIX) 2004 |
Yes |
2. Draft Environmental Planning Instruments
No Draft Environmental Planning instruments affect the proposed development.
Any other matters prescribed by the Regulations
The regulations prescribe the following matters for consideration for development in the Hurstville Council area:
Demolition
Safety standards for demolition and compliance with AS 2601-2001 apply to the demolition of any building affected by the proposal.
3. Development Control Plans
DEVELOPMENT CONTROL PLAN NO 1 – LGA WIDE – SECTION 3.1 CAR PARKING
The extent to which the proposed garages comply with the car parking provisions is outlined in the table below.
|
Section 3.1 |
Requirements |
Provided |
Complies |
|
3.1.2.1(2) – Layout |
AS2890.1 – Min. dimensions (single garage) = 2.7m x 5.5m |
Min. 3.2m x 6m for each garage |
Yes |
DEVELOPMENT CONTROL PLAN NO 1 – LGA WIDE – SECTION 3.2 SUBDIVISION
The subject site is of sufficient size and dimensions to permit the subdivision of an approved dual occupancy development once an Occupation Certificate is issued. However a subdivision application cannot be considered until such time an Occupation Certificate is issued. As such, subdivision will not form part of the recommendation for consent.
DEVELOPMENT CONTROL PLAN NO 1 – LGA WIDE – SECTION 3.4 CRIME PREVENTION THROUGH ENVIRONMENTAL DESIGN
The extent to which the proposed development complies with the crime prevention through environmental design provisions is outlined in the table below.
|
Section 3.4 |
Requirements |
Proposed |
Complies |
|
Fencing |
Allows natural surveillance to street |
Proposed front fence is only 1m high and allows for sufficient surveillance |
Yes |
|
Blind Corners |
To be avoided |
Avoided |
Yes |
|
Communal Areas |
Provide opportunities for natural surveillance |
The entry foyers, bedrooms and front balconies provide good opportunities for surveillance of the street |
Yes |
|
Entrances |
Clearly visible and not confusing |
Clearly defined with front porch and pathway to the entrance of each dwelling |
Yes |
|
Site and Building Layout |
· Provide surveillance opportunities · Building addresses street · Habitable rooms are directed towards the front of the building · Garages are not dominant |
Satisfactory surveillance opportunities available. The building addresses the street. Habitable rooms face the street.
Garages are recessed and are not visually dominant. |
Yes
|
|
Landscaping |
· Avoid dense medium height shrubs · Allow spacing for low growing dense vegetation · Low ground cover or high canopy trees around car parks and pathways |
A mixture of landscaping is proposed including ground cover, small shrubs and medium sized trees |
Yes |
|
Building Identification |
· Clearly numbered buildings · Entrances numbered · Unit numbers provided at entry |
Can be conditioned to satisfy these requirements, should the application be approved |
Yes |
|
Security |
Provide an appropriate level of security for each dwelling |
Sufficient level of security provided for each dwelling |
Yes |
|
Ownership |
Use of fencing, landscaping, colour and finishes to imply ownership |
Landscaping, front porch and pathways indicate ownership |
Yes |
DEVELOPMENT CONTROL PLAN NO 1 – LGA WIDE - SECTION 3.5 ENERGY EFFICIENCY
A BASIX certificate has been submitted for the dwellings and the proposal meets the target scores.
The solar access requirements of this section of Development Control Plan No 1 require that the principal area of ground level private open space of the adjoining properties receives at least 3 hours of sunlight between 9am and 3pm during the mid-winter solstice. 22 McLeod Street to the north west is unaffected by the development. 18 McLeod Street to the south east will receive more than 3 hours sunlight to its private open space during the winter solstice in accordance with the Development Control Plan.
DEVELOPMENT CONTROL PLAN NO 1 – LGA WIDE – SECTION 3.7 DRAINAGE AND ON-SITE DETENTION (OSD) REQUIREMENTS
Council’s Development Engineer has assessed the application and raised no objections subject to deferred commencement conditions requiring an easement for drainage from the site to connect with Council’s drainage system in Croot Park. OSD is also required via condition in accordance with this section of Development Control Plan No 1 – LGA Wide.
DEVELOPMENT CONTROL PLAN NO 1 – LGA WIDE – SECTION 3.11 PRESERVATION OF TREES AND VEGETATION
Council’s Tree Management Officer has assessed the application and raised no objections to the application. The street tree is to be retained as per the proposal and eight (8) trees on site are to be removed.
DEVELOPMENT CONTROL PLAN NO 1 – LGA WIDE - SECTION 4.2 DUAL OCCUPANCY HOUSING
|
Section 4.2 |
Requirements |
Proposal |
Complies |
|
4.2.3 – Design Solutions and Controls - Option No. 3a |
2 x 2 storey attached dwellings |
2 x 2 storey attached dwellings |
Yes |
|
4.2.3.2 Allotment Size |
630sqm
|
779sqm |
Yes |
|
4.2.3.3 Frontage
|
15m for standard sites, corner sites and dual street sites
Min. site width (measured along the entire length of the allotment, including the frontage): 15m for attached dual occupancy |
15.505m
15.505m |
Yes
Yes |
|
4.2.2.4 Height |
9m for 2 storey
Parapet height = max. 450mm from the uppermost ceiling level |
Max. 7.98m
Parapet = 1200mm |
Yes
No (1) |
|
Excavation |
Max. 0.6m |
Nil |
Yes |
|
Wall Height |
6.8m for 2 storey |
Max.6.8m |
Yes |
|
Floor to ceiling heights |
2.7m – 3.6m |
2.7m |
Yes |
|
Maximum storeys |
2 |
2 |
Yes |
|
4.2.3.5 Front Setbacks |
5.5m
|
7.5m |
Yes
|
|
First floor balconies to front to provide a 300mm eave to overhang the ground floor |
Provided |
Yes |
|
|
Side |
1.2m for 2 storey |
1.2m to both sides |
Yes |
|
Eaves |
750mm or 450mm non-combustible |
No eaves proposed |
N/A |
|
Rear |
7m ground floor 9m first floor |
21m 20m |
Yes |
|
4.2.4 Floor Space Ratio |
As per Hurstville LEP 2012 - 0.6:1 |
0.43:1 |
Yes |
|
4.2.5.1 Presentation to the street |
Windows to street
Attached may not be mirror-reverse
Two elements of street façade of: Entry feature/window feature/balcony or window box treatment (first floor)/recess or projection/open verandahs/bay windows/ Pergola or similar features above garage doors
Entrance clearly visible from street
Garage recess 0.3m
Maximum recommended roof pitch 35° |
Windows face street
Not mirror reverse. Alternative finishes and window locations used.
Entry features, wall offsets, balconies and front porch used
Entrances are clearly visible.
1m garage recess
Flat roof proposed |
Yes
Yes
Yes
Yes
Yes
Yes |
|
4.2.5.3 Balconies |
Maximum depth of 2m for first floor rear balconies
Privacy screen (max. 1.8m height) |
1.5m for both dwellings
1.6m high privacy screens proposed |
Yes
Yes |
|
4.2.5.4 Materials and Finishes |
To compliment surrounding development
Minimise high contrasting colour schemes
Fire rating of BCA to be achieved |
The proposed colours and finishes comprise of bricks, cement cladding and aluminium screening. The colours are muted tones that are complementary to the area.
Can be conditioned |
Yes
Yes |
|
4.2.5.5 Views |
Windows to provide views of private open space and approaches to dwelling.
Minimise view loss to surrounding properties. Flat rooves may be used to protect views. |
Windows to habitable rooms provide views to private open space and approaches to dwelling
The proposal will not impact on views of the adjoining properties |
Yes
Yes |
|
4.2.6 Landscaped Area
|
Driveway and pathway the only paving permitted in the front yard
20% of site to be landscaped 2m minimum width |
Complies
36.8% 2m min width |
Yes
Yes
|
|
Private Open Space
|
Minimum dimensions 4m x 5m
Accessible from living area |
Complies
Accessible from family room and rear patio |
Yes
Yes |
|
4.2.7 Vehicular Access and parking |
1 garage and 1 driveway space per dwelling
Garage setback 5.5m and recessed a minimum 300mm into façade
Driveway width 3m minimum
Driveways setback from side boundary by 1.5m minimum |
One (1) single garage and one (1) driveway space for each dwelling
8.5m setback with 1m recess.
3.47m
1.5m setback |
Yes
Yes
Yes
Yes
|
|
4.2.8 Cut and Fill |
Cut/fill maximum 0.6m
Fill only within building footprint |
Proposed cut: Nil Proposed fill: Max.1m
Fill is contained within the building footprint |
No (2)
Yes |
|
4.2.9 Visual Privacy and Acoustic Amenity |
Balconies and main windows directed towards front and rear
Windows of habitable rooms to be offset by 1m from the window of the neighbouring dwelling or screened or provided with 1.5m bottom sill heights
Location of driveways and parking areas |
Yes
Windows are generally offset. Where windows are opposite, 1.5m high sill heights have been used.
Driveways setback 1.5m from side boundaries |
Yes
Yes
Yes |
|
4.2.10 Solar Design, Water and Energy Efficiency |
Must comply with BASIX
Cross ventilation to be provided
All rooms to have a window
Shadow diagrams for 2 storey proposals
3 hours solar access during midwinter solstice to be provided to subject and neighbouring dwellings |
Complies
As per BASIX
Complies
Shadow diagrams provided
Complies |
Yes
Yes
Yes
Yes
Yes |
|
4.2.11 Site Facilities |
3m x 1m garbage storage 6cubic meter storage Mailbox Outdoor Clothes line |
Satisfactory area available on site for all facilities. |
Yes
|
|
4.2.12 Stormwater Drainage |
Drainage by gravity Alternatives: (1) Easement (2) Charged and gravity (3) OSD and infiltration |
Council’s Development Engineer has raised no objections to the development subject to conditions requiring drainage via an easement |
Yes, subject to condition |
|
4.2.14 Building Envelope Graphics |
As per diagrams |
Option 3 |
Yes |
|
Stormwater Assessment |
|
|
Existing Stormwater System |
On-site disposal |
|
Proposed stormwater system |
Dispersal onto adjoining property (Croot Park) via a spreader system. |
|
Stormwater objectives |
Inconsistent |
|
Slope to rear (measured from centreline of site) |
Yes |
|
Gravity to street (from property boundary to street kerb) |
No |
|
Discharge to same catchment? |
Yes |
|
Easement required? |
Yes (subject to deferred commencement condition) |
(1) Parapet Height
Development Control Plan No 1 limits the maximum parapet height to 450mm measured from the ceiling level. The parapet of the proposed development ranges from 800mm to 1m in height.
The increased height of the parapet enables it to accommodate a slope which fits the proportions of the building and provides an architectural feature of interest. The overall height of the building remains compliant and solar access to the neighbouring property is consistent with the requirements of the Development Control Plan. Further, no significant visual impacts arise from the additional height of the parapet.
Given the above, the variation to the parapet height is acceptable.
(2) Cut and Fill
Development Control Plan No 1 limits cut and fill to a maximum of 0.6m. No cut is proposed, however to accommodate the fall of the land, fill of up to 1m is required. The maximum fill height is located in the centre of the building where the floor level is then stepped down to meet the site topography and also at the very rear of the building including the patio areas.
The fill is a result of the site topography and does not result in any adverse impacts on adjoining properties. A step in floor level of the building has been incorporated to accommodate the slope however the fill is still required. The external wall height and overall height of the building complies with Development Control Plan No 1 and the development would not appear unreasonably bulky or out of scale in its context.
Given the above, the variation to the level of fill on site is supported.
4. Impacts
Natural Environment
Council’s Tree Management Officer has assessed the application and advised that the proposed removal of eight (8) trees from the site is acceptable subject to a condition requiring the planting of two (2) additional trees on site. A landscape plan has also been submitted incorporating a variety of plant species. The street tree is also proposed to be retained and this is supported by Council’s Tree Management Officer.
Subject to the above conditions and conditions relating to site and waste management, sediment and erosion control the impacts on the natural environment are negligible.
Built Environment
Notwithstanding the proposed variations sought to the parapet height control and maximum level of fill control, the proposed development is of a bulk and scale that is commensurate with the surrounding locality. Additionally, the development would not result in any significant adverse impacts on the amenity of adjoining property in terms of privacy, loss of outlook or overshadowing.
As a result there development would not have a detrimental impact on the built environment.
Social Impact
The proposal is for residential purpose and will not have any adverse social impact.
Economic Impact
The proposal is for residential purposes and no adverse economic impact is envisaged.
Suitability of the Site
The site is not affected by any significant constraints and therefore the site is considered suitable for the development.
5. REFERRALS, SUBMISSIONS AND THE PUBLIC INTEREST
Resident
Thirteen (13) adjoining residents/owners were notified in accordance with Development Control Plan No 1. No submissions were received.
Council Referrals
Development Engineer
Council’s Development Engineer has considered the proposal and provided the following comment:
The concept drainage system for the proposed dual occupancy development directs all roof and pavement runoff to neighboring Croot Park via a spreader system. This is not provided for in DCP No.1 and nearby developments were conditioned to acquire an easement to drain water to Council’s drainage system within the park.
Consequently Council’s Development Engineer has provided conditions of consent including deferred commencement conditions requiring the acquisition of an easement to the rear of the site over Croot Park to connect into Council’s drainage system. Subject to these conditions, no issues are raised.
Tree Management Officer
Council’s Tree Management Officer has indicated that the removal of eight (8) trees from the site is acceptable subject to conditions requiring replacement planting of two (2) trees. The proposed retention of the street tree is also supported and conditions have been recommended for its protection during construction.
External Referrals
No external referrals were required in relation to the proposal.
6. CONCLUSION
Development consent is sought for the demolition of the existing dwelling house and construction of a two (2) storey attached dual occupancy.
The proposal development has been assessed against the requirements of the relevant planning instruments and Development Control Plans. Minor variations to the parapet height and level of fill controls are proposed. These variations have been considered throughout this report and are found to be acceptable and the bulk and scale of the development is compatible with the desired future character of the locality.
The application was notified in accordance with Development Control Plan No 1 and no submissions were received in response.
Subject to conditions of consent, and deferred commencement conditions for resolution of drainage, the application is recommended for approval.
DETERMINATION
THAT pursuant to Section 80(3) of the Environmental Planning and Assessment Act, 1979, as amended, the Council grant deferred commencement consent to Development Application DA2015/0174 for the demolition of existing structures and construction of a two storey attached dual occupancy on Lot 49 in DP10046 known as 20 McLeod Street Hurstville, subject to the following conditions:
The Development Application described above has been determined by the granting of a Deferred Commencement Consent subject to the conditions specified in this notice.
This Development Application is a Deferred Commencement Consent under Section 80(3) of the Environmental Planning and Assessment Act (as amended) 1979. Strict compliance is required with all conditions appearing in Schedule 1 within twelve (12) months from the Determination Date of this consent. Upon confirmation in writing from Hurstville City Council that the Schedule 1 Conditions have been satisfied, the consent shall commence to operate as a Development Consent for a period of five (5) years from the Determination Date of this consent.
Schedule 1
A. DEF1003 - Deferred Commencement – Registration of Stormwater Easement/Agreement - The person with the benefit of the consent must acquire an Easement to Drain Water of 1 metre (minimum) width. The easement must allow for a piped, gravity fed system of drainage of stormwater from the land the subject of this consent with direct, underground connection to Council's drainage pipeline in Croot Park that adjoins the site.
The consent is not to operate until evidence of registration of the easement to drain water benefitting the land the subject of this consent and burdening the title of each such other property/ies is provided to Council.
B. DEF1004 - Deferred Commencement - The person with the benefit of the consent must obtain separate Development Consent for all drainage works to be carried out within the Easement to Drain Water. The written consent of each of the owners of the property/ies burdened by the Easement will be required for each development application to carry out the drainage works on the burdened lot/s.
The consent is not to operate until development consent is obtained for the whole of the drainage works within the Easement(s) to drain water.
Documentary evidence as requested or the above information must be submitted within 12 months of the granting of this deferred commencement consent. Commencement of the approval cannot commence until written approval of the submitted information has been given by Council.
Subject to A. and B. above being satisfied, development consent be issued subject to the following conditions:
Schedule 2
DEVELOPMENT CONSENT is granted to the Development Application described above, subject to the conditions in Schedules A, B and C.
Consent Operation - This consent operates from the date of endorsement set out in this notice and will lapse five (5) years after that date, unless development has commenced within that time, pursuant to the provisions of the Sections 83, and 95 of the Act.
Right of Review – If you are dissatisfied with this decision, you may request a review of the determination under Section 82A of the Environmental Planning and Assessment Act 1979. A request for review and the decision by Council of that request must be made within six (6) months of the date of this Notice of Determination and be accompanied by the relevant fee. You must ensure that an application for review of determination gives Council a reasonable period in which to review its decision having regard to the relevant issues and complexity of the application (Section 82A is not applicable to Integrated or Designated Development).
Right of Appeal – Alternatively, Section 97 of the Environmental Planning and Assessment Act 1979 gives you the right to appeal to the NSW Land and Environment Court within six (6) months of the endorsement date on this notice.
Schedule A – Site Specific Conditions
GENERAL CONDITIONS
These conditions have been imposed to ensure that the development is carried out in accordance with the approved plans and to ensure that the appropriate fees and bonds are paid in relation to the development.
1. GEN1001 - Approved Plans - The development must be implemented in accordance with the approved plans and supporting documentation listed below which have been endorsed by Council’s approved stamp, except where marked up on the plans and/or amended by conditions of this consent:
|
Reference No. |
Date |
Description |
Revision |
Prepared by |
|
DA100A |
20/5/15 |
Site Plan |
A |
Inner Architecture |
|
DA200A |
20/5/15 |
Ground Floor Plan |
A |
Inner Architecture |
|
DA201A |
20/5/15 |
First Floor Plan |
A |
Inner Architecture |
|
DA300A |
20/5/15 |
Elevations |
A |
Inner Architecture |
|
DA301A |
20/5/15 |
Elevation |
A |
Inner Architecture |
|
DA400A |
20/5/15 |
Elevation |
A |
Inner Architecture |
|
DA401A |
20/5/15 |
Elevation |
A |
Inner Architecture |
|
DA500A |
20/5/15 |
Window Schedule |
A |
Inner Architecture |
|
DA800A |
20/5/15 |
Site Analysis Plan |
A |
Inner Architecture |
|
DA900A |
20/5/15 |
Finishes Schedule |
A |
Inner Architecture |
|
1330 Pages 1-6 |
1/4/15 |
Landscape Plans/Details |
A/1 |
Site Design and Studios |
|
- |
April 2015 |
Waste Management Plan |
- |
Inner Architecture |
2. GEN1002 - Fees to be paid to Council - The fees listed in the table below must be paid in accordance with the conditions of this consent and Council’s adopted Fees and Charges applicable at the time of payment.
Payments must be made prior to the issue of the Construction Certificate or prior to the commencement of work (if there is no associated Construction Certificate).
Please contact Council prior to the payment of Section 94 Contributions to determine whether the amounts have been indexed from that indicated below in this consent and the form of payment that will be accepted by Council.
Form of payment for transactions $500,000 or over - Council will only accept Bank Cheque or Electronic Funds Transfer (EFT) for transaction values of $500,000 or over. Council must be contacted prior to payment to determine correct total amount to be paid and bank account details (if applicable)
(a) Fees to be paid:
Fee types, bonds and contributions
|
Fee Type |
|
Long Service Levy (to Long Service Corporation) |
|
Builders Damage Deposit |
|
Inspection Fee for Refund of Damage Deposit |
|
S94 Residential (Community Facilities) |
|
S94 Residential (Open Space, Recreation, Public Domain) |
The following fees apply where you appoint Council as your Principal Certifying Authority (PCA). (If you appoint a private PCA, separate fees will apply)
|
PCA Services Fee |
$1,985.50 |
|
Construction Certificate Application Fee |
$1,985.50 |
|
Construction Certificate Imaging Fee |
$172.00 |
Fees and charges above are subject to change and are as set out in the version of Council's Schedule of Fees and Charges or as required by other Government Authorities, applicable at the time of payment.
3. GEN1003 - Section 94 Contributions - Residential Development (Community Facilities and Open Space, Recreation, Public Domain)
a. Amount of Contribution
Pursuant to Section 94 of the Environmental Planning and Assessment Act, 1979 (as amended) and Hurstville Section 94 Development Contributions Plan 2012 the following contributions towards the cost of providing facilities shall be paid to Council:
Contribution Category Amount
Community Facilities $2,478.00
Open Space, Recreation and Public Domain Facilities $17,522.00
Total: $20,000.00
This condition and contribution is imposed to ensure that the development makes adequate provision for the demand it generates for public amenities and public services within the area.
b. Indexing
The above contributions will be adjusted at the time of payment to reflect changes in the Consumer Price Index (All Groups Index) for Sydney, in accordance with the provisions of the Hurstville Section 94 Development Contributions Plan 2012.
c. Timing and Method of Payment
The contribution must be paid prior to the release of a Construction Certificate as specified in the development consent.
Please contact Council prior to payment to determine whether the contribution amounts have been indexed from that indicated above in this consent and the form of payment that will be accepted by Council.
Form of payment for transactions $500,000 or over - Council will only accept Bank Cheque or Electronic Funds Transfer (EFT) for transaction values of $500,000 or over. Council must be contacted prior to payment to determine correct total amount to be paid and bank account details (if applicable).
Contributions must be receipted by Council before a Construction Certificate is issued.
A copy of the Hurstville Section 94 Development Contributions Plan 2012 may be inspected or a copy purchased at Council’s offices (Civic Centre, MacMahon Street, Hurstville) or viewed on Council’s website www.hurstville.nsw.gov.au/Strategic-Planning.
4. GEN1014 - Long Service Levy - Submit evidence of payment of the Building and Construction Industry Long Service Leave Levy to the Principal Certifying Authority. Note this amount is based on the cost quoted in the Development Application, and same may increase with any variation to estimated cost which arises with the Construction Certificate application. To find out the amount payable go to www.lspc.nsw.gov.au or call 131441. Evidence of the payment of this levy must be submitted with the Construction Certificate application.
5. GEN1015 - Damage Deposit - Minor Works - In order to insure against damage to Council property the following is required:
(a) Payment to Council of a damage deposit for the cost of making good any damage caused to any Council property as a result of the development: $1,500.00.
(b) Payment to Council of a non-refundable inspection fee to enable assessment of any damage and repairs where required: $140.00.
(c) At the completion of work Council will inspect the public works, and the damage deposit will be refunded in full upon completion of work where no damage occurs. Otherwise the amount will be either forfeited or partly refunded according to the amount of damage.
(d) Prior to the commencement of work a photographic record of the condition of the Council nature strip, footpath and driveway crossing, or any area likely to be affected by the proposal, shall be submitted to Council
(e) Payments pursuant to this condition are required to be made to Council before the issue of the Construction Certificate.
(f) Fees and charges above are subject to change and are as set out in the version of Council's Schedule of Fees and Charges or as required by other Government Authorities, applicable at the time of payment.
SEPARATE APPROVALS UNDER OTHER LEGISLATION
These conditions have been imposed to ensure that the applicant is aware of any separate approvals required under other legislation, for example: approvals required under the Local Government Act 1993 or the Roads Act 1993.
6. APR2000 - Development Assessment - Torrens Title Subdivision of a Dual Occupancy Development - A separate development application is required to be lodged with Hurstville City Council for the Torrens Title Subdivision. This development application can only be lodged and determined after an Occupation Certificate has been issued for the Dual Occupancy development.
7. APR6001 - Engineering - Section 138 Roads Act and Section 68 Local Government Act 1993
Unless otherwise specified by a condition of this consent, this Development Consent does not give any approval to undertake works on public infrastructure.
A separate approval is required to be lodged and approved under Section 138 of the Roads Act 1993 and/or Section 68 of the Local Government Act 1993 for any of the following activities carried out in, on or over a public road (including the footpath):
(a) Placing or storing materials or equipment;
(b) Placing or storing waste containers or skip bins;
(c) Erecting a structure or carrying out work
(d) Swinging or hoisting goods over any part of a public road by means of a lift, crane or the like;
(e) Pumping concrete from a public road;
(f) Pumping water from the site into the public road;
(g) Constructing a vehicular crossing or footpath;
(h) Establishing a “works zone”;
(i) Digging up or disturbing the surface of a public road (e.g. Opening the road for the purpose of connections to utility providers);
(j) Stormwater and ancillary works in the road reserve; and
(k) Stormwater and ancillary to public infrastructure on private land
(l) If any excavation is to be supported by the use of below ground (cable) anchors that are constructed under Council’s roadways/footways.
These separate activity approvals must be obtained and evidence of the approval provided to the Certifying Authority prior to the issue of the Construction Certificate.
The relevant Application Forms for these activities can be downloaded from Hurstville City Council’s website at: www.hurstville.nsw.gov.au
For further information, please contact Council’s Customer Service Centre on (02)9330 6222.
8. APR6002 - Engineering - Vehicular Crossing - Minor Development - Constructing a vehicular crossing and/or footpath requires a separate approval under Section 138 of the Roads Act 1993 prior to the issue of the Construction Certificate.
To apply for approval, complete the Driveway Crossing on Council Road Reserve Application Form which can be downloaded from Hurstville Council’s Website: www.hurstville.nsw.gov.au
Lodge the application form, together with the associated fees at Council’s Customer Service Centre, during business hours. Refer to Section P1 and P2, in Council’s adopted Fees and Charges for the administrative and inspection charges associated with Vehicular Crossing applications.
Please note, that an approval for a new or modified vehicular crossing will contain the approved access and/or alignment levels which will be required to construct the crossing and/or footpath. Once approved, all work shall be carried out by a private contractor in accordance with Council’s Specification for Vehicular Crossings and Associated Works prior to the issue of the Occupation Certificate.
9. APR6004 - Engineering - Road Opening Permit - A Road Opening Permit must be obtained from Council, in the case of local or regional roads, or from the Roads and Maritime Services, in the case of State roads, for every opening of a public road reserve to access services including sewer, stormwater drains, water mains, gas mains, and telecommunications before the commencement of work in the road.
REQUIREMENTS OF OTHER GOVERNMENT AGENCIES
These conditions have been imposed by other NSW Government agencies either through their role as referral bodies, concurrence authorities or by issuing General Terms of Approval under the Integrated provisions of the Environmental Planning and Assessment Act 1979.
10. GOV1008 - Sydney Water - Section 73 Certificate - A Section 73 Compliance Certificate under the Sydney Water Act 1994 must be obtained from Sydney Water Corporation. Application must be made through an authorised Water Servicing Coordinator. Please refer to the Plumbing, Building and Developing section of Sydney Water’s website to locate a Water Servicing Coordinator in your area. Visit: www.sydneywater.com.au
A "Notice of Requirements" will advise of water and sewer infrastructure to be built and charges to be paid. Please make early contact with the Coordinator, as it can take some time to build water/sewer pipes and this may impact on other services and building, driveway or landscape design.
The “Notice of Requirements” must be submitted prior to the commencement of work.
11. GOV1009 - Sydney Water - Section 73 Compliance Certificate - A Section 73 Compliance Certificate under the Sydney Water Act must be submitted to the Principal Certifying Authority prior to the issue of the Occupation/Subdivision or Strata Certificate.
PRIOR TO THE ISSUE OF THE CONSTRUCTION CERTIFICATE
These conditions either require modification to the development proposal or further investigation/information prior to the issue of the Construction Certificate to ensure that there is no adverse impact.
12. CC2001 - Development Assessment - Erosion and Sedimentation Control - Erosion and sediment controls must be provided to ensure:
(a) Compliance with the approved Erosion and Sediment Control Plan
(b) Removal or disturbance of vegetation and top soil is confined to within 3m of the approved building area (no trees to be removed without approval)
(c) all clean water run-off is diverted around cleared or exposed areas
(d) silt fences, stabilised entry/exit points or other devices are installed to prevent sediment from entering drainage systems or waterways
(e) all erosion and sediment controls are fully maintained for the duration of demolition, excavation and/or development works
(f) controls are put into place to prevent tracking of sediment by vehicles onto adjoining roadway
(g) all disturbed areas are rendered erosion-resistant by turfing, mulching, paving or similar
(h) Compliance with Managing Urban Stormwater - Soils and Construction (Blue Book) produced by Landcom 2004.
These measures are to be implemented before the commencement of work (including demolition and excavation) and must remain until the issue of the Occupation Certificate.
13. CC2003 - Development Assessment -Construction Site Management Plan - Major Development - A Site Management Plan must be submitted with the application for the Construction Certificate, and must include the following measures:
· location of protective site fencing;
· location of site storage areas/sheds/equipment;
· location of building materials for construction, e.g. stockpiles
· provisions for public safety;
· dust control measures;
· method used to provide site access location and materials used;
· details of methods of disposal of demolition materials;
· method used to provide protective measures for tree preservation;
· provisions for temporary sanitary facilities;
· location and size of waste containers/skip bins;
· details of proposed sediment and erosion control measures;
· method used to provide construction noise and vibration management;
· construction traffic management details.
The site management measures are to be implemented prior to the commencement of any works including demolition and excavation. The site management measures are to be maintained throughout the works, to maintain reasonable levels of public health, safety and amenity. A copy of the Site Management Plan must be retained on site and is to be made available upon request.
14. CC2004 - Development Assessment - Design Changes - The following design changes are required and are to be incorporated into the plans to be lodged with the Construction Certificate application.
(a) The submitted concept hydraulic plan shall be amended to provide disposal to Council’s drainage system in Croot Park via an underground pipeline with gravity fall. These design changes are to be incorporated into the Detailed Hydraulic Plans submitted for approval with the Construction Certificate Application.
15. CC2008 - Development Assessment - Landscape Plan - A detailed landscape plan, drawn to scale, by a qualified landscape architect or landscape designer, must be submitted prior to the issue of the Construction Certificate. The plan must include:
(i) Location of existing and proposed structures on the site including existing trees (if applicable);
(ii) Details of earthworks including mounding and retaining walls and planter boxes (if applicable);
(iii) Location, numbers and type of plant species;
(iv) Details of planting procedure and maintenance;
(v) Details of drainage and watering systems.
16. CC2011 - Development Assessment - BASIX Commitments - All energy efficiency measures as detailed in the BASIX Certificate No. 613462M dated 22 May 2015, approved with the Development Consent DA2015/0174, must be implemented on the plans lodged with the application for the Construction Certificate.
17. CC3001 - Development Engineering - Stormwater System
|
Reference No. |
Date |
Description |
Revision |
Prepared by |
|
C-2814-01 |
18/5/15 |
Stormwater Drainage Plan for Proposed Dual Occupancy at 20 McLeod Street |
2 |
Pavel Kozarovski |
The above submitted stormwater plan has been assessed as a concept plan only and no detailed assessment of the design has been undertaken.
All stormwater shall drain by gravity to the easement to drain water in accordance with the Australian/New Zealand Standard AS/NZS 3500.3: 2003 (as amended).
The design of this proposed drainage system must be prepared by a qualified practising hydraulics engineer (with details of qualifications being provided) and be submitted for approval with the Construction Certificate application
18. CC3004 - Development Engineering - Stormwater Drainage Plans - The submitted stormwater plan has been assessed as a concept plan only and no detailed assessment of the design has been undertaken.
Stormwater drainage plans including pipe sizes, type, grade, length, invert levels, dimensions and types of drainage pits prepared by a qualified practising hydraulics engineer (with details of qualifications being provided) in accordance with the Australian Institute of Engineers Australian Rainfall and Runoff (1987) and Council's Stormwater Drainage Guidelines, shall accompany the application for the Construction Certificate.
19. CC3005 - Development Engineering - On Site Detention - The submitted stormwater plan has been assessed as a concept plan only and no detailed assessment of the design has been undertaken.
An on-site detention (OSD) facility designed by a professional hydrological/hydraulic engineer, shall be installed. The design must include the computations of the inlet and outlet hydrographs and stage/storage relationships of the proposed OSD using the following design parameters:
(a) Peak flow rates from the site are to be restricted to a permissible site discharge (PSD) equivalent to the discharge when assuming the site contained a single dwelling, garage, lawn and garden, at Annual Recurrence Intervals of 2 years and 100 years.
Refer to Flow Controls in Council's Draft/Adopted Stormwater Drainage Policy.
(b) The OSD facility shall be designed to meet all legislated safety requirements and childproof safety fencing around the facility must be provided where the OSD facility is open or above ground when the design peak storage depth is greater than 300mm. A durable metal plate or similar sign is to be placed at the OSD facility and must bear the words:
This is an on-site detention basin/tank and is subject to possible surface overflow during heavy storms.
Full details shall accompany the application for the Construction Certificate
20. CC5002 - Trees - Tree Protection and Retention - The following trees shall be retained and protected:
(a) Lophostemon confertus (Brush Box) located in the at the front of the property serving as a Council street tree.
All trees to be retained shall be protected and maintained during demolition, excavation and construction of the site. The tree protection measures must be in undertaken in accordance AS4970-2009 Protection of trees on development sites. Details of the tree protection measures to be implemented must be provided with the application for a Construction Certificate by a suitably qualified Arborist (AQF Level 4 or above in Arboriculture) and must be retained thorough all stages of construction.
21. CC5003 - Trees - Tree Removal and Replacement - Private Land - Permission is granted for the removal of eight (8) as shown on plan site plans/calculations prepared site design+studios on 1 April 2015.
Two (2) trees selected from the list of suitable species in the Hurstville City Council’s Tree Removal and Pruning Guidelines must be replanted within the front and/or rear yard of the subject site. Trees are to be replanted a minimum of 3m away from any driveway, building or structure.
The selected trees shall have a minimum pot size of 15 litres A copy of Hurstville Council’s Tree Removal and Pruning Guidelines, can be downloaded from Council’s website www.hurstville.nsw/Residents/Tree-Management.
22. CC6004 - Engineering - Traffic Management - Compliance with AS2890 - All driveways, access ramps, vehicular crossings and car parking spaces shall be designed and constructed in accordance with the current version of Australian Standards, AS 2890.1 (for car parking facilities) and AS 2890.2 (for commercial vehicle facilities).
23. CC7004 - Building - Structural details - Structural plans, specifications and design statement prepared and endorsed by a suitably qualified practising structural engineer who holds the applicable Certificate of Accreditation as required under the Building Professionals Act 2005 shall be submitted along with the Construction Certificate application to the Certifying Authority for any of the following, as required by the building design:
(a) piers
(b) footings
(c) slabs
(d) columns
(e) structural steel
(f) reinforced building elements
(g) swimming pool design
(h) retaining walls
(i) stabilizing works
(j) structural framework
24. CC8001 - Waste - Waste Management Plan - A Waste Management Plan incorporating all requirements in respect of the provision of waste storage facilities, removal of all materials from the site that are the result of site, clearing, extraction, and, or demolition works and the designated Waste Management Facility shall be submitted to the Principal Certifying Authority and copy provided to the Manager - Environmental Services, Hurstville City Council prior to the issue of any Construction Certificate.
PRIOR TO THE COMMENCEMENT OF WORK (INCLUDING DEMOLITION AND EXCAVATION)
These conditions have been imposed to ensure that all pre-commencement matters are dealt with and finalised prior to the commencement of work.
25. PREC2001 - Building regulation - Site sign - Soil and Erosion Control Measures - Prior to the commencement of works (including demolition and excavation), the durable site sign issued by Hurstville City Council in conjunction with this consent must be erected in a prominent location on site. The site sign warns of the penalties which apply to pollution, storing materials on road or footpath and breaches of the conditions relating to erosion and sediment controls. The sign must remain in a prominent location on site up until the completion of all site and building works.
26. PREC2002 - Development Assessment - Demolition and Asbestos - The demolition work shall comply with the provisions of Australian Standard AS2601:2011 - Demolition of Structures, NSW Work Health and Safety Act 2011 and the NSW Work Health and Safety Regulation 2011. The work plans required by AS2601-2001 shall be accompanied by a written statement by a suitably qualified person that the proposals contained in the work plan comply with the safety requirements of the Standard. The work plans and the safety statement shall be submitted to the Principal Certifying Authority prior to the commencement of works.
For demolition work which involves the removal of asbestos, the asbestos removal work must be carried out by a licensed asbestos removalist who is licensed to carry out the work in accordance with the NSW Work Health and Safety Act 2011 and the NSW Work Health and Safety Regulation 2011 unless specified in the Act and/or Regulation that a license is not required.
The asbestos removal work shall also be undertaken in accordance with the How to Safely Remove Asbestos: Code of Practice published by Work Cover NSW.
Copies of the Act, Regulation and Code of Practice can be downloaded free of charge from the Work Cover NSW website: www.workcover.nsw.gov.au
27. PREC2008 - Development Assessment - Demolition Notification Requirements - The following notification requirements apply to this consent:
a) The developer /builder must notify adjoining residents five (5) working days prior to demolition. Such notification is to be a clearly written note giving the date demolition will commence, contact details of the developer/builder, licensed asbestos demolisher and the appropriate regulatory authority. Notification is to be placed in the letterbox of every premises (including every residential flat or unit, if any) either side and immediately at the rear of the demolition site.
b) Five (5) working days prior to demolition, the developer/builder is to provide written notification to Hurstville City Council advising of the demolition date, details of the WorkCover licensed asbestos demolisher and the list of residents advised of the demolition.
c) On demolition sites where buildings to be demolished contain asbestos, a standard commercially manufactured sign containing the words “DANGER ASBESTOS REMOVAL IN PROGRESS” measuring not less than 400mm x 300mm is to be erected in a prominent visible position (from street frontage) on the site. The sign is to be erected prior to demolition work commencing and is to remain in place until such time as all asbestos material has been removed from the site to an approved waste facility.
28. PREC2009 - Development Assessment - Demolition work involving asbestos removal - Work involving bonded asbestos removal work (of an area of more than 10 square metres) or friable asbestos removal work must be undertaken by a person who carries on a business of such removal work in accordance with a licence under clause 458 of the Work Health and Safety Regulation 2011.
29. PREC6001 - Engineering - Dial before your dig - The applicant shall contact “Dial Before You Dig on 1100” to obtain a Service Diagram prior to the issuing of the Construction Certificate. The sequence number obtained from “Dial Before You Dig” shall be forwarded to Council’s Engineers for their records.
30. PREC7001 - Building - Registered Surveyors Report - During Development Work - A report must be submitted to the Principal Certifying Authority at each of the following applicable stages of construction:
(a) Set out before commencing excavation.
(b) Floor slabs or foundation wall, before formwork or commencing brickwork.
(c) Completion of Foundation Walls - Before any construction of flooring, detailing the location of the structure relative to adjacent boundaries and floor levels relative to the datum shown on the approved plans.
(d) Completion of Floor Slab Formwork - Before pouring of concrete/walls construction, detailing the location of the structure relative to adjacent boundaries and floor levels relative to the datum shown on the approved plans. In multi-storey buildings a further survey must be provided at each subsequent storey.
(e) Completion of any Pool Formwork - Before concreting of pool shell, detailing the location of the pool relative to the adjacent boundaries and its height relative to the datum shown on the approved plans.
(f) Completion of any Roof Framing - Before roof covered detailing eaves/gutter setback from boundaries.
(g) Completion of all Work - Detailing the location of the structure (including eaves/gutters) relative to adjacent boundaries and its height relative to the datum shown on the approved plans. A final Check Survey must indicate the reduced level of the main ridge.
(h) Other.
Work must not proceed beyond each stage until the Principal Certifying Authority is satisfied that the height and location of the building is proceeding in accordance with the approved plans.
DURING WORK
These conditions have been imposed to ensure that there is minimal impact on the adjoining development and surrounding locality during the construction phase of the development.
31. CON2001 - Development Assessment - Hours of construction, demolition and building related work - Any work activity or activity associated with the development consent that requires the use of any tools (including hand tools) or any power operated plant and machinery that creates noise on or adjacent to the site shall not be performed, or permitted to be performed, except between the hours of 7.00 am to 5.00 pm, Monday to Saturday inclusive. No work or ancillary activity shall be permitted to be performed on any Sunday, Good Friday, Christmas Day or any Public Holiday. A penalty infringement notice may be issued for any offence.
In addition to the foregoing requirements, construction work on all buildings (except that on single dwelling houses and associated structures on the site of a single dwelling house) shall be prohibited on Saturdays and Sundays on weekends adjacent to a public holiday.
32. CON2002 - Development Assessment - Ground levels and retaining walls - The ground levels of the site shall not be excavated, raised or filled, or retaining walls constructed on the allotment boundary, except where indicated on approved plans or approved separately by Council.
33. CON3001 - Development Engineering - Physical connection of stormwater to site - No work is permitted to proceed above the ground floor slab level of the building until there is physical connection of the approved stormwater drainage system from the land the subject of this consent to Council's underground stormwater pipeline in Croot Park.
34. CON5001 - Trees - Tree Removal on Private Land - The trees identified as ‘to be removed/pruned’ on the approved plans or by conditions of this consent shall be removed in accordance with AS4373 -2007 Pruning of Amenity Trees and the Trees Work Industry Code of Practice (WorkCover NSW, 1998).
35. CON6002 - Engineering - Obstruction of Road or Footpath - The use of the road or footpath for the storage of any building materials, waste materials, temporary toilets, waste or skip bins, or any other matter is not permitted unless separately approved by Council under Section 138 of the Roads Act and/or under Section 68 of the Local Government Act 1993. Penalty Infringement Notices may be issued for any offences and severe penalties apply.
36. CON8001 - Waste - Waste Management Facility - All materials removed from the site as a result of demolition, site clearing, site preparation and, or excavation shall be disposed of at a suitable Waste Management Facility. No vegetation, article, building material, waste or the like shall be ignited or burnt whatsoever or in association with the work on site. Copies of all receipts for the disposal, or processing of all such materials shall be submitted to the Principal Certifying Authority and a copy provided to the Manager Environmental Services, Hurstville City Council.
PRIOR TO THE ISSUE OF THE OCCUPATION CERTIFICATE
These conditions have been imposed to ensure that all works have been completed in accordance with the Development Consent prior to the issue of the Occupation Certificate.
37. OCC3001 - Development Engineering - Positive Covenant for On-site Detention Facility - A Positive Covenant is to be created over any on-site detention facility.
This covenant is to be worded as follows:
It is the responsibility of the lots burdened to keep the "On-Site Detention" facilities, including any ancillary pumps, pipes, pits etc, clean at all times and maintained in an efficient working condition. The "On-Site Detention" facilities are not to be modified in any way without the prior approval of Council.
Hurstville City Council is to be nominated as the Authority to release, vary or modify this Covenant.
The Positive Covenant shall be registered at the NSW Department of Lands prior to the issue of a Final Occupation Certificate.
38. OCC3002 - Development Engineering - Works as Executed and Certification of Stormwater works - Prior to the issue of an Occupation Certificate, the Principal Certifying Authority must ensure that the stormwater drainage system has been constructed in accordance with the approved design and relevant Australian Standards.
A works-as-executed drainage plan and certification must be forwarded to the Principal Certifying Authority and Hurstville City Council, from a suitably qualified and experienced Hydraulic Consultant/Engineer.
This Plan and Certification shall confirm that the design and construction of the stormwater drainage system satisfies the conditions of development consent and the Construction Certificate stormwater design details approved by the Certifying Authority.
The works-as-executed drainage plan must prepared by a suitably qualified and experienced Hydraulic Engineer in conjunction with a Registered Surveyor and the works-as-executed plan must include the following details (as applicable):
(a) The location of any detention basin/s with finished surface levels;
(b) Finished site contours at 0.2 metre intervals (if applicable)
(c) Volume of storage available in any detention areas;
(d) The location, diameter, gradient and material (i.e. PVC, RC etc) of all stormwater pipes;
(e) The orifice size/s (if applicable);
(f) Details of any infiltration/absorption systems; and (if applicable);
(g) Details of any pumping systems installed (including wet well volumes).(if applicable)
39. OCC2004 - Development Assessment - BASIX Compliance Certificate - A Compliance Certificate must be provided to the Principal Certifying Authority regarding the implementation of all energy efficiency measures as detailed in the BASIX Certificate No. 613462M dated 22 May 2015, and in the plans approved with the Development Consent/ Construction Certificate, before issue of the Occupation Certificate.
40. OCC2005 - Development Assessment - Completion of Landscape Works - All landscape works must be completed before the issue of the Final Occupation Certificate.
41. OCC6001 - Engineering - Vehicular crossing - Minor development - The vehicular crossing and/or footpath works shall be constructed by a private contractor at the expense of the beneficiary of this consent, in accordance with the Vehicular Crossing Approval issued by Council’s Engineering Services Division and in accordance with Council’s Specification for Vehicular Crossings and Associated Works and the issued.
Any existing vehicular crossing and/or laybacks which are redundant must be removed. The kerb and gutter, any other footpath and turf areas shall be restored at the expense of the beneficiary of this consent and in accordance with Council’s Specification for Vehicular Crossings and Associated Works.
Please Note: No stencilled or coloured concrete may be used outside the boundary of the property.
The work must be completed before the issue of an Occupation Certificate.
ONGOING CONDITIONS
These conditions have been imposed to ensure that the use or operation of the development does not adversely impact on the amenity of the neighbourhood or environment.
42. ONG2003 - Development Assessment - Maintenance of Landscaping - All trees and plants forming part of the landscaping must be maintained on an ongoing basis. Maintenance includes watering, weeding, removal of rubbish from tree bases, fertilizing, pest and disease control and any other operations required to maintain healthy trees, plants and turfed areas.
43. ONG3006 - Development Engineering - Ongoing maintenance of the on-site detention system - The Owner(s) must in accordance with this condition and any positive covenant:
(a) Permit stormwater to be temporarily detained by the system;
(b) Keep the system clean and free of silt rubbish and debris;
(c) If the car park is used as a detention basin, a weather resistant sign must be maintained in a prominent position in the car park warning residents that periodic inundation of the car park may occur during heavy rain;
(d) Maintain renew and repair as reasonably required from time to time the whole or part of the system so that it functions in a safe and efficient manner and in doing so complete the same within the time and in the manner reasonably specified in written notice issued by the Council;
(e) Carry out the matters referred to in paragraphs (b) and (c) at the Owners expense;
(f) Not make any alterations to the system or elements thereof without prior consent in writing of the Council and not interfere with the system or by its act or omission cause it to be interfered with so that it does not function or operate properly;
(g) Permit the Council or its authorised agents from time to time upon giving reasonable notice (but at any time and without notice in the case of an emergency) to enter and inspect the land with regard to compliance with the requirements of this covenant;
(h) Comply with the terms of any written notice issued by Council in respect to the requirements of this clause within the time reasonably stated in the notice;
(i) Where the Owner fails to comply with the Owner’s obligations under this covenant, permit the Council or its agents at all times and on reasonable notice at the Owner’s cost to enter the land with equipment, machinery or otherwise to carry out the works required by those obligations;
(j) Indemnify the Council against all claims or actions and costs arising from those claims or actions which Council may suffer or incur in respect of the system and caused by an act or omission by the Owners in respect of the Owner’s obligations under this condition.
ADVICE
This advice has been included to provide additional information and where available direct the applicant to additional sources of information based on the development type.
44. ADV2002 - Development Assessment - Site Safety Fencing - Site fencing must be erected in accordance with WorkCover Guidelines, to exclude public access to the site throughout the demolition and/or construction work, except in the case of alterations to an occupied dwelling. The fencing must be erected before the commencement of any work and maintained throughout any demolition and construction work.
For more information visit www.workcover.nsw.gov.au
Schedule B – Prescribed Conditions
Prescribed conditions are those which are mandated under Division 8A of the Environmental Planning and Assessment Regulation 2000 and given weight by Section 80A (11) of the Environmental Planning and Assessment Act 1979.
Detailed below is a summary of all the prescribed conditions which apply to development in New South Wales. Please refer to the full details of the prescribed conditions as in force, at www.legislation.nsw.gov.au.
It is the responsibility of the beneficiary of this consent to determine which prescribed conditions apply.
45. PRES1001 - Clause 97A – BASIX Commitments - This Clause requires the fulfilment of all BASIX Commitments as detailed in the BASIX Certificate to which the development relates.
46. PRES1002 - Clause 98 – Building Code of Australia & Home Building Act 1989 - Requires all building work to be carried out in accordance with the Building Code of Australia. In the case of residential building work to which the Home Building Act 1989 relates, there is a requirement for a contract of insurance to be in force before any work commences.
47. PRES1003 - Clause 98A – Erection of Signs - Requires the erection of signs on site and outlines the details which are to be included on the sign. The sign must be displayed in a prominent position on site and include the name and contact details of the Principal Certifying Authority and the Principal Contractor.
48. PRES1004 - Clause 98B – Home Building Act 1989 - If the development involves residential building work under the Home Building Act 1989, no work is permitted to commence unless certain details are provided in writing to Council. The name and licence/permit number of the Principal Contractor or Owner Builder and the name of the Insurer by which work is insured under Part 6 of the Home Building Act 1989.
49. PRES1007 - Clause 98E – Protection & support of adjoining premises - If the development involves excavation that extends below the level of the base of the footings of a building on adjoining land, this prescribed condition requires the person who benefits from the development consent to protect and support the adjoining premises and where necessary underpin the adjoining premises to prevent any damage.
Schedule C – Operational & Statutory Conditions
These conditions comprise the operational and statutory conditions which must be satisfied under the Environmental Planning and Assessment Act 1979 and the Environmental Planning & Assessment Regulation 2000. Please refer to the full details of the Act and Regulations as in force, at www.legislation.nsw.gov.au.
It is the responsibility of the beneficiary of this consent to determine which operational and statutory conditions apply.
50. OPER1001 - Requirement for a Construction Certificate - The erection of a building must not commence until a Construction Certificate has been issued by the consent authority, the Council (if the Council is not the consent authority) or an accredited certifier.
An application form for a Construction Certificate is attached for your convenience.
51. OPER1002 - Appointment of a Principal Certifying Authority - The erection of a building must not commence until the beneficiary of the development consent has:
(a) appointed a Principal Certifying Authority (PCA) for the building work; and
(b) if relevant, advised the PCA that the work will be undertaken as an Owner-Builder.
If the work is not going to be undertaken by an Owner-Builder, then the beneficiary of the consent must:
(a) appoint a Principal Contractor to undertake the building work. If residential building work (within the meaning of the Home Building Act 1989) is to be undertaken, the Principal Contractor must be a holder of a contractor licence; and
(b) notify the PCA of the details of any such appointment; and
(c) notify the Principal Contractor of any critical stage inspections or other inspections that are required to be carried out in respect of the building work.
An Information Pack is attached for your convenience should you wish to appoint Hurstville City Council as the Principal Certifying Authority for your development.
52. OPER1003 - Notification of Critical Stage Inspections - No later than two (2) days before the building work commences, the PCA must notify:
(a) the consent authority and the Council (if not the consent authority) of his or her appointment; and
(b) the beneficiary of the development consent of the critical stage inspections and other inspections that are to be carried out with respect to the building work.
53. OPER1004 - Notice of Commencement - The beneficiary of the development consent must give at least two (2) days’ notice to the Council and the PCA of their intention to commence the erection of a building.
A Notice of Commencement Form is attached for your convenience.
54. OPER1007 - Critical Stage Inspections - The last critical stage inspection must be undertaken by the Principal Certifying Authority. The critical stage inspections required to be carried out vary according to Building Class under the Building Code of Australia and are listed in Clause 162A of the Environmental Planning and Assessment Regulation 2000.
55. OPER1008 - Notice to be given prior to critical stage inspections - The principal contractor for a building site, or the owner-builder, must notify the principal certifying authority at least 48 hours before each required inspection needs to be carried out.
Where Hurstville City Council has been appointed PCA, forty eight (48) hours’ notice in writing, or alternatively twenty four (24) hours’ notice by facsimile or telephone, must be given to when specified work requiring inspection has been completed.
56. OPER1009 - Occupation Certificate - A person must not commence occupation or use of the whole or any part of a new building unless an Occupation Certificate has been issued in relation to the building or part.
Only the Principal Certifying Authority appointed for the building work can issue the Occupation Certificate.
An Occupation Certificate Application Form is attached for your convenience.
For a video relating to 20 McLeod St Hurstville, click here.
|
Appendix View1 |
Location Plan - 20 McLeod St Hurstville |
|
Appendix View2 |
Site Photo - 20 McLeod St Hurstville |
|
Appendix View3 |
Site plan - 20 McLeod St Hurstville |
|
Appendix View4 |
Elevations 1 - 20 McLeod St Hurstville |
|
Appendix View5 |
Elevations 2 - 20 McLeod St Hurstville |
|
Appendix View6 |
Shadow Diagrams - 20 McLeod St Hurstville |
|
Appendix View7 |
Company extract - applicant - 20 McLeod St Hurstville (Confidential) |
|
Appendix View8 |
ASIC information - applicant - 20 McLeod St Hurstville (Confidential) |
Hurstville City Council – Council Meeting Wednesday, 2 March 2016
CCL059-16 20 McLeod St Hurstville - Demolition of Existing and Construction of Two Storey Attached Dual Occupancy
[Appendix 1] Location Plan - 20 McLeod St Hurstville
CCL059-16 20 McLeod St Hurstville - Demolition of Existing and Construction of Two Storey Attached Dual Occupancy
[Appendix 2] Site Photo - 20 McLeod St Hurstville
CCL059-16 20 McLeod St Hurstville - Demolition of Existing and Construction of Two Storey Attached Dual Occupancy
[Appendix 3] Site plan - 20 McLeod St Hurstville
CCL059-16 20 McLeod St Hurstville - Demolition of Existing and Construction of Two Storey Attached Dual Occupancy
[Appendix 4] Elevations 1 - 20 McLeod St Hurstville
CCL059-16 20 McLeod St Hurstville - Demolition of Existing and Construction of Two Storey Attached Dual Occupancy
[Appendix 5] Elevations 2 - 20 McLeod St Hurstville
CCL059-16 20 McLeod St Hurstville - Demolition of Existing and Construction of Two Storey Attached Dual Occupancy
[Appendix 6] Shadow Diagrams - 20 McLeod St Hurstville
CCL060-16 19 Sunlea Ave Mortdale - Demolition of Existing and Contruction of Two Storey Attached Dual Occupancy
|
Applicant |
Mr A Pavela |
|
Proposal |
Demolition of existing and contruction of two storey attached dual occupancy and swimming pool |
|
Owners |
Mrs O, Mr M and Mr F Milic |
|
Report Author/s |
Development Assessment Officer, Mr M Raymundo |
|
File |
DA2015/0326 |
|
Previous Reports Referenced |
No |
|
Disclosure of Political Donations or Gifts |
No |
|
Zoning |
Zone R2 - Low Density Residential |
|
Existing Development |
Dwelling House |
|
Cost of Development |
$750,000.00 |
|
Reason for Referral to Council |
Four (4) minor variations to DCP1 |
|
Planning Instruments Applicable |
Hurstville Local Environmental Plan 2012, State Environmental Planning Policy No 55 – Remediation of Land, State Environmental Planning Policy: BASIX (2004), Greater Metropolitan Regional Environmental Plan No 2 – Georges River Catchment, Development Control Plan No 1 - LGA Wide |
|
Hurstville Local Environment Plan Interpretation of Use |
Dual Occupancy, swimming pool ancillary use |
EXECUTIVE SUMMARY
1. The proposal seeks development consent for demolition of existing and construction of attached dual occupancy, swimming pool and front fence on land known as 19 Sunlea Avenue, Mortdale.
2. The amended proposal has been assessed and seeks four (4) minor variations to minimum allotment width, ground floor side setbacks, driveway width and side setback of driveways within Development Control Plan No 1.
3. The adjoining eighteen (18) occupiers/owners were notified and renotified by letter to view the plans and submit any comments on the proposal. In response, no submissions were received.
|
THAT the application be approved in accordance with the conditions included in the report. |
REPORT DETAIL
DESCRIPTION OF THE PROPOSAL
The proposal seeks development consent for demolition of existing and construction of attached dual occupancy and swimming pool on land known as 19 Sunlea Avenue, Mortdale.
In detail the proposal comprises of the following;
· Demolition of existing dwelling, ancillary structures and swimming pool,
· Construction of two (2) storey attached dual occupancy Dwelling A located to the east and Dwelling B located to the west,
· Driveway, associated engineering and landscape works,
· Construction of new swimming pool and outbuilding located within rear setback of Dwelling A.
· Front fence - 800mm in height
HISTORY
9 Sep 15 Application lodged
16-30 Sep 15 Notification period
10 Nov 15 Meeting with applicant
10 Nov 15 Stop the Clock letter
16 Nov 15 Amended and additional information received
4 – 18 Dec 15 Re-notification period
DESCRIPTION OF THE SITE AND LOCALITY
The subject site is legally described as Lot 5 in DP 215321 and is known as 19 Sunlea Crescent Mortdale. The allotment is located at the end of a cul-de-sac and forms an irregular allotment shape. The allotment is dimensioned as follows; 7.9m along the northern front boundary, 35.72m along the western side boundary, 21.33m along the southern rear boundary, 27.55m and 22.16m along the eastern side boundary with a total site area of 720.8sqm. The site falls from rear to front. A detached dwelling house is centrally located on site, an outbuilding and swimming pool are located within the rear setback.
The surrounding area adopts a residential character and generally comprises of a mixture of mainly single and two (2) storey dwellings of varying architectural styles and designs.
COMPLIANCE AND ASSESSMENT
The development has been inspected and assessed under the relevant Section 79C(1) "Matters for Consideration" of the Environmental Planning and Assessment Act 1979.
1. Environmental Planning Instruments
HURSTVILLE LOCAL ENVIRONMENTAL PLAN 2012
|
Clause |
Standard |
Assessment Under HLEP 2012 |
|
Part 2 – Permitted or Prohibited Development |
R2 Low Density Zone |
The proposal is defined as a Dual Occupancy and swimming pool forms ancillary works and is permissible in the zone |
|
|
Objectives of the Zone |
The proposal adequately satisfies the objectives of the zone |
|
2.7 – Demolition |
Permissible subject to development consent |
Consent sought for demolition of dwelling house and ancillary structures including pool |
|
4.3 – Height of Buildings |
9m as identified on Height of Buildings Map |
7.3m |
|
4.4 – Floor Space Ratio |
0.6:1 as identified on Floor Space Ratio Map |
0.54:1 – It is noted that additional car space within Dwelling A double garage is included in FSR as this exceeds Council’s minimum car parking requirements |
|
4.5 – Calculation of floor space ratio and site area |
FSR and site area calculated in accordance with Cl.4.5 |
Calculated as per definition within LEP |
|
5.9 – 5.9AA– Preservation of Trees or Vegetation |
Trees to be removed are specified in DCP1 |
No significant trees proposed to be removed. Small shrubs/trees to removed appear to fall under exempt development.
Appropriate replacement planting considered to replenish the landscape particularly within the rear setback. |
|
6.1 – Acid Sulfate Soils |
Acid Sulfate Soils Management Plan must be prepared |
Not affected |
|
6.2 – Essential Services |
Adequate services provided (sewerage/drainage) |
Essential services provided – the site slopes from rear to front |
STATE ENVIRONMENTAL PLANNING POLICY
|
State Environmental Planning Policy |
Complies |
|
Greater Metropolitan Regional Environmental Plan No 2 – Georges River Catchment |
Yes |
|
State Environmental Planning Policy 55 – Remediation of Land |
Yes |
|
State Environmental Planning Policy (Building Sustainability Index BASIX) 2004 |
Yes |
2. Draft Environmental Planning Instruments
Draft changes to the Development Control Plan are currently being exhibited however this bears no material planning weight regarding the assessment of the application.
Any other matters prescribed by the Regulations
The Regulations prescribe the following matters for consideration for development in the Hurstville Council area:
Demolition
Safety standards for demolition and compliance with AS 2601 - 2001 apply to the demolition of any buildings affected by the proposal.
3. Development Control Plans
The proposal has been assessed against the following applicable provisions as per below.
DEVELOPMENT CONTROL PLAN NO 1 – LGA WIDE – SECTION 3.1 CAR PARKING
The extent to which the proposed garages comply with the car parking provisions is outlined in the table below.
|
Section 3.1 |
Requirements |
Provided |
Complies |
|
3.1.2.1(2) – Layout |
AS2890.1 – Min. dimensions (single garage) = 2.7m x 5.4m |
More than minimum standard in tandem formation |
Yes |
|
Single dwelling and dual occupancy (best fit) |
2.7m – 4.5m single entry width or combined 6.0m |
2.8m for each occupancy with combined entry |
No (1) |
(1) Driveway width
Clause 4.2.7 Vehicular Access and Parking prescribes a minimum combined driveway width of 6m resulting in a 3m driveway width for each dwelling. The proposal seeks a combined driveway width of 5.6m resulting in 2.8m to service each dwelling. This is considered to be reasonable given the narrow allotment width of 7.9m and that adequate vehicular access can be achieved to and from the site.
DEVELOPMENT CONTROL PLAN NO 1 – LGA WIDE – SECTION 3.2 SUBDIVISION
No assessment has been undertaken for the proposed Torrens Title subdivision of the dual occupancy as it is subject to a separate Development Application as per the overriding Local Environmental Plan standard under Clause 4.1B of the Hurstville Local Environmental Plan 2012.
DEVELOPMENT CONTROL PLAN NO 1 – LGA WIDE – SECTION 3.3 ACCESS AND MOBILITY
The proposal satisfies the underlying intent of this subsection.
DEVELOPMENT CONTROL PLAN NO 1 – LGA WIDE – SECTION 3.4 CRIME PREVENTION THROUGH ENVIRONMENTAL DESIGN
Section 3.4 controls primarily apply to residential flat buildings however some controls are applicable in the assessment of dual occupancy developments. The relevant applicable controls are as follows.
|
Section 3.4 |
Standard |
Proposed |
Complies |
|
Clause 3.4.1.2 – Blind Corners |
Pathways should be direct. All barriers along pathways should be permeable including landscaping, fencing etc |
Direct pathway to entries, landscaping along side boundaries |
Yes |
|
Clause 3.4.1.3 – Communal/Public Areas |
Position active uses or habitable rooms with windows adjacent to main communal/public areas e.g. playgrounds, swimming pools, gardens, car parks etc |
Windows facing frontage |
Yes |
|
Clause 3.4.1.4 – Entrances
|
Entrances should be at prominent positions.
Design entrance to allow users to see into the building before entering. |
Entrance located at street frontage
Windows front street |
Yes
Yes |
|
Clause 3.4.1.5 – Site and Building Layout |
For single dwellings and dual occupancies, orientate the main entrance towards the street or both streets if located on a corner.
Position habitable rooms with windows at the front of the dwelling.
Garages and carports should not dominate the front façade of the building. |
Main entrances orientated towards street
Habitable windows from front entries located at front of dwelling
Garage does not dominate façade of building, appropriately treated and well setback from Council’s minimum front setback requirements |
Yes
Yes
Yes |
|
Clause 3.4.1.6 - Landscaping |
Avoid medium height vegetation with concentrated top to bottom foliage.
Avoid vegetation, which conceals the building entrance from the street. |
No medium height vegetation at front entries
Vegetation does not conceal building entrances from street |
Yes
Yes |
|
Clause 3.4.1.8 – Building Identification |
Each individual dwelling should be clearly numbered
|
If supported, can be conditioned to comply |
Yes |
|
Clause 3.4.1.10 - Ownership |
To distinguish dwellings or groups of dwellings use design features e.g. colouring, vegetation, paving, artworks, fencing, furniture etc |
Each dwelling contains a separate pedestrian entry |
Yes |
As can be seen from the table above, the proposal complies with Section 3.4.
DEVELOPMENT CONTROL PLAN NO 1 - LGA WIDE – SECTION 3.5 ENERGY EFFICIENCY
The proposal has provided a valid BASIX Certificate with the plans. In this regard, the fulfilments of the requirements of this subsection have been satisfied.
DEVELOPMENT CONTROL PLAN NO 1 – LGA WIDE – SECTION 3.6 RAINWATER TANKS
The proposal has provided a valid BASIX Certificate to which the prescribed requirements regarding rainwater are contained.
DEVELOPMENT CONTROL PLAN NO 1 – LGA WIDE – SECTION 3.7 ON-SITE DETENTION AND DRAINAGE REQUIREMENTS
The proposed works seek to drain to the street via gravity subject to conditions of consent. The proposal is supported by Council’s Development Engineer
DEVELOPMENT CONTROL PLAN NO 1 – LGA WIDE – SECTION 3.8 FENCES ADJACENT TO PUBLIC ROADS
The proposed 800mm low height masonry front fence is considered to be reasonable and is commensurate with other front fences within the locality. The design is considered to be reasonable and does not generate any significant or material planning impacts. In this regard, the proposed front fence adequately satisfies the intent of this subsection.
DEVELOPMENT CONTROL PLAN NO 1 – LGA WIDE – SECTION 3.9 WASTE MANAGEMENT
The proposal has provided a waste management plan as part of this application in relation to disposal, reuse and recycling of building materials and ongoing use. The proposed works have been considered against the provisions within this subsection and adequately satisfies the aims and objectives.
DEVELOPMENT CONTROL PLAN NO 1 – LGA WIDE – SECTION 3.11 PRESERVATION OF TREES
Previously addressed within report.
DEVELOPMENT CONTROL PLAN NO 1 – LGA WIDE – SECTION 3.12 BUILDING HEIGHTS AND INDICATIVE STOREYS
The proposed built form comprises of a two (2) storey development which is considered to be in accordance with the intent of the R2 Low Density Residential Zone in this subsection.
DEVELOPMENT CONTROL PLAN NO 1 – LGA WIDE - SECTION 4.2 DUAL OCCUPANCY HOUSING
The proposal has been considered in accordance with the relevant provisions as per below.
|
Section 4.2 |
Standard |
Proposed |
Complies |
|
4.2.3.3 Allotment Size |
630sqm |
720.8sqm |
Yes |
|
Frontage
|
15m minimum dual occupancy frontage
Dual occupancies permitted where 15m allotment width is achieved |
9.07m (more than 15m at front building line of dual occupancy |
No (1) however Council’s controls permit variation to be considered |
|
4.2.2.4 Height |
9m for two storey |
7.7m |
Yes |
|
Excavation |
600mm |
Less than 600mm cut and fill |
Yes |
|
Wall Height |
6.8m for two storey |
6.7m |
Yes |
|
Floor to ceiling heights |
2.7m – 3.6m |
2.8m (min) both levels |
Yes |
|
Maximum storeys |
2 |
2 |
Yes |
|
4.2.3.5 Front Setbacks
|
4.5m
|
9.6m (min)
|
Yes |
|
Side setback |
1200mm 1.5 and 2 storey development
|
900mm (min) 1 storey component, and 1,200mm (min) for 2 storey component |
No (2)
|
|
Eaves |
450mm non-combustible |
450mm |
Yes |
|
Rear |
7m ground floor 9m first floor |
7.5m 9.2m |
Yes Yes |
|
Irregular lots |
Setbacks on merit: privacy, solar access, overshadowing |
Compliant regarding privacy, solar access and overshadowing impacts |
Yes |
|
4.2.4 Floor Space Ratio |
As per Hurstville LEP 2012 0.6:1 |
0.54:1 |
Yes |
|
4.2.5.1 Presentation to the street |
Windows to street
Attached may not be mirror-reverse
Design to have two of; - Entry feature - Window feature - Balcony/window box - Architectural element to break façade - Open veranda - Bay windows - Pergola/similar features above garage doors
Entrance clearly visible from street
Garage recess 300mm
Maximum recommended roof pitch 35° |
Windows face street
Not mirror
More than two features; open veranda, architectural element
Entrances face street
Significant setback from street exceeding minimum front setback requirement at 9.6m
Less than 35 degrees |
Yes
Yes
Yes
Yes
Yes
Yes |
|
4.2.5.2 Subdivision |
200mm thick dividing wall for Torrens |
200mm |
Yes |
|
4.2.5.4 Materials and Finishes |
To compliment surrounding development Minimise high contrasting colour schemes Fire rating of BCA to be achieved |
Satisfactory contemporary design |
Yes |
|
4.2.5.5 Views |
Windows to provide views of private open space and approaches to dwelling Minimise view loss to surrounding properties Flat roofs may be used to protect views |
No material view loss generated |
Yes |
|
4.2.6 Landscaped Area
Private Open Space
|
Driveway and pathway the only paving permitted in the front yard
20% of site to be landscaped
2m minimum width
Minimum dimensions 4m x 5m
Accessible from living area |
Driveway in front yard
More than 20% primarily within rear setback
2m min width
Min dimensions more than 4m x 5m within rear setback
Accessible from key habitable rooms at ground floor rear |
Yes
Yes
Yes
Yes
Yes |
|
4.2.7 Vehicular Access and parking |
1 garage and 1 driveway space per dwelling
Garage setback 5.5m and recessed a minimum 300mm into façade
Driveway width 3m minimum each
Driveways setback from side boundary by 1.5m minimum |
Min 1 in garage and 1 in driveway (Dwelling A contains 2 garage spaces)
Sufficient setback and recess behind building line
2.8m each proposed – minor variation
1m – Dwelling A 1.5m – Dwelling B |
Yes
Yes
No – previously addressed within report
No (3) Yes |
|
4.2.8 Cut and Fill |
Cut/fill maximum 600mm Fill only within building footprint |
Within range cut and fill below building footprint |
Yes |
|
4.2.9 Visual Privacy and Acoustic Amenity |
Windows of habitable rooms to be offset by 1m from the window of the neighbouring dwelling or screened or provided with 1.5m bottom sill heights |
Sufficient offset and treatment |
Yes |
|
4.2.10 Solar Design, Water and Energy Efficiency |
Must comply with Basix Cross ventilation to be provided All rooms to have a window
Shadow diagrams for 2 storey proposals
3 hours solar access during midwinter solstice to be provided to subject and neighbouring dwellings |
Complies
Windows in key habitable room
Shadow diagrams provided
Sufficient solar access |
Yes
Yes
Yes
Yes |
|
4.2.11 Site Facilities |
3m x 1m garbage storage 6m³ storage Mailbox Outdoor Clothes line |
Within side areas Appropriate amenity provided |
Yes
Yes |
|
4.2.12 Stormwater Drainage |
Drainage by gravity Alternatives: (1) Easement (2) Charged and gravity (3) OSD and infiltration |
Drainage by gravity |
Yes
|
|
4.2.14 Building Envelope Graphics |
As per diagrams |
Option 3 |
Yes
|
|
Stormwater Assessment |
|
|
Existing Stormwater System |
Gravity to street |
|
Proposed stormwater system |
Gravity to street |
|
Stormwater objectives |
Consistent with objectives |
|
Slope to rear (measured from centreline of site) |
No |
|
Gravity to street (from property boundary to street kerb) |
Yes |
|
Discharge to same catchment? |
Yes |
|
Easement required |
No |
(1) Minimum allotment width
Clause 4.2.3.3 prescribes a minimum 15m allotment width for the purposes of a dual occupancy. Council controls permit exceptions to this clause where the dual occupancy building footprint achieves a 15m allotment width. The proposal contains a frontage of 7.9m however the whole dual occupancy building footprint is situated within the allotment width of at least 15m. It is noted that the proposal adopts a generous front setback at 9.6m (5.5m minimum prescribed) and is considered to be well below the maximum FSR permitted. In this regard, the variation is considered to be acceptable on its merits given that no material adverse impacts arise.
(2) Side setback
Clause 4.2.3.5 prescribes a minimum side setback of 1.2m for two (2) storey dual occupancies outside the Foreshore Scenic Protection Area. In this instance, the proposal seeks a 900mm side setback for the ground floor component only and the first floor complies with 1.2m. This is considered to be acceptable given the recessed design of the first floor side setbacks of which adopt a similar built form to that of other approved dual occupancies within the locality.
(3) Driveway side setback
Clause 4.2.7 Vehicular Access and Parking prescribes a minimum side setback of 1.5m from the side boundary. The proposal seeks a 1m driveway side setback to the eastern side boundary for Dwelling A which is attributed to the irregular allotment shape which narrows at the front of the site. The design of the driveway is considered to be reasonable to accommodate reasonable ingress and egress to the site. No material unreasonable impacts arise from this variation. In this instance, the variation is supported on planning merit.
DEVELOPMENT CONTROL PLAN NO 1 – LGA WIDE – SECTION 4.6 OUTBUILDINGS
|
Section 4.6 |
Standard |
Proposal |
Complies |
|
4.6.2.1 – Size |
Max. FSR = 0.6:1 |
0.54:1 (dual occupancy and outbuilding) |
Yes |
|
4.6.2.3 – External Finishes |
Low reflectivity |
Standard Colourbond material used |
Yes |
|
4.6.2.4 - Maximum Height
|
3m from ceiling or top plate height to natural ground level
Justification required for increased height (in excess of 3m) |
2.4m maximum |
Yes |
|
4.6.2.6 - Stormwater
|
To comply with relevant: Council policy, BCA and Australian Standard |
Yes, subject to drainage conditions attached to the recommendation. Drain to street. |
Yes
|
|
4.6.3.1 – Setbacks |
Masonry construction permitted on boundary, construction other than masonry 500mm setback required |
1.02m min setback from rear boundary and is of masonry construction |
Yes |
As can be seen from the table above, the proposal complies with Section 4.6.
DEVELOPMENT CONTROL PLAN NO 1 – LGA WIDE – SECTION 5.7 SWIMMING POOLS AND SPAS
|
Section 5.7 |
Requirements |
Proposed |
Complies |
|
5.7.2.1 - Pool Siting (a) |
On steeply sloping sites, Council may consider allowing the top of the swimming pool at one point or along one side to extend up to 1m above the natural ground level |
Site is considered to be relatively flat and is located on natural ground level. Swimming pool RL 34.1 |
Yes |
|
5.7.2.1 - (e) |
Filling is not permitted between the swimming pool and property boundary |
200mm - conditioned to comply |
Yes |
|
5.7.2.1 - (f) |
Drainage not to affect natural environment or adjoining properties |
Drainage to street |
Yes |
|
5.7.2.1 - (j) Side Setbacks |
Pool edge must be set back at least 1.5m from any side or rear boundary |
1.7m (min) to common dividing boundary between Dwelling A and Dwelling B |
Yes |
|
5.7.2.2 - Noise Control and Nuisances |
The position of the swimming pool and ancillary equipment must be minimised to reduce the impact of noise on adjoining neighbours |
Pool appropriately located to minimise noise impacts. Standard conditions regarding noise attenuation |
Yes |
As can be seen from the table above, the proposal complies with Section 5.7.
4. Impacts
Natural Environment
The proposal is not considered to result in any unacceptable natural environment impacts.
Built Environment
The proposal seeks minor variations in relation the minimum allotment width, driveway width, side driveway setbacks and ground floor setbacks of which are supported on planning merit as justified within the report. As discussed within the report the proposal is not considered to result in any unacceptable built environment impacts for the reasons contained within this report.
Social Impacts
The proposed works are not considered to generate any unacceptable material social impacts. The proposed dual occupancy is considered to result in an increase in housing stock within the locality. The design of the proposal affords good levels of amenity to future occupants.
Economic Impacts
The proposed works are not considered to generate any unacceptable economic impacts given the residential use of the site.
Suitability of the Site
The proposed works are considered to be suitable for the subject site, as the proposal adequately satisfies the intent of the objectives of the controls. The proposal results in dual occupancy built form which responds to the dimensions of the subject site and is compatible with the surrounding area.
5. REFERRALS, SUBMISSIONS AND THE PUBLIC INTEREST
Resident
The adjoining eighteen (18) occupiers/owners were notified and renotified by letter to view the plans and submit any comments on the proposal. In response, no submissions were received.
Council Referrals
Development Engineer
Council’s Development Engineer supports the proposal subject to conditions of consent.
Public Interest
The proposed works are not considered to be in the public interest as the proposal satisfies the objectives of the applicable controls. The proposal is supported subject to conditions of consent.
6. CONCLUSION
The proposed works have been assessed under Section 79C Matters for Consideration under the Environmental Planning and Assessment Act 1979 (as amended) and considered to adequately satisfy the underlying intent of the applicable planning controls as detailed within this report, therefore proposal is supported on planning merit.
DETERMINATION
THAT pursuant to Section 80(1)(a) of the Environmental Planning and Assessment Act, 1979, as amended, the Council, grants development consent to Development Application DA2015/0326 for demolition of existing and construction of attached two storey dual occupancy, and swimming pool on Lot 5 in DP 215321 and known as 19 Sunlea Avenue, Mortdale subject to the attached conditions;
Schedule A – Site Specific Conditions
GENERAL CONDITIONS
These conditions have been imposed to ensure that the development is carried out in accordance with the approved plans and to ensure that the appropriate fees and bonds are paid in relation to the development.
1. GEN1001 - Approved Plans - The development must be implemented in accordance with the approved plans and supporting documentation listed below which have been endorsed by Council’s approved stamp, except where marked up on the plans and/or amended by conditions of this consent:
|
Reference No. |
Date |
Description |
Revision |
Prepared by |
|
15096 01 |
11.11.15 |
Site Plan |
B |
Pavela Architects |
|
15096 02, 04, 12 |
11.11.15 |
Floor Plans |
B |
Pavela Architects |
|
15096 06, 07, 08 |
11.11.15 |
Elevations |
B |
Pavela Architects |
|
L01/1 |
9 Sep 15 |
Landscape Plan |
A |
Michael Sui |
|
WMP 1509601 |
25 August 2015 |
Waste Management Plan |
- |
Pavela Architects |
|
15096 10 |
13.7.2015 |
Demolition Plan |
A |
Pavela Architects |
|
1/1 |
- |
Finishes Schedule |
- |
Pavela Architects |
2. GEN1002 - Fees to be paid to Council - The fees listed in the table below must be paid in accordance with the conditions of this consent and Council’s adopted Fees and Charges applicable at the time of payment.
Payments must be made prior to the issue of the Construction Certificate or prior to the commencement of work (if there is no associated Construction Certificate).
Please contact Council prior to the payment of Section 94 Contributions to determine whether the amounts have been indexed from that indicated below in this consent and the form of payment that will be accepted by Council.
Form of payment for transactions $500,000 or over - Council will only accept Bank Cheque or Electronic Funds Transfer (EFT) for transaction values of $500,000 or over. Council must be contacted prior to payment to determine correct total amount to be paid and bank account details (if applicable)
(a) Fees to be paid:
Fee types, bonds and contributions
|
Fee Type |
|
Long Service Levy (to Long Service Corporation) |
|
Builders Damage Deposit |
|
Inspection Fee for Refund of Damage Deposit |
|
S94 Residential (Community Facilities) |
|
S94 Residential (Open Space, Recreation, Public Domain) |
The following fees apply where you appoint Council as your Principal Certifying Authority (PCA). (If you appoint a private PCA, separate fees will apply)
|
PCA Services Fee |
$1,875.00 |
|
Construction Certificate Application Fee |
$1,875.00 |
|
Construction Certificate Imaging Fee |
$172.00 |
Fees and charges above are subject to change and are as set out in the version of Council's Schedule of Fees and Charges or as required by other Government Authorities, applicable at the time of payment.
3. GEN1003 - Section 94 Contributions - Residential Development (Community Facilities and Open Space, Recreation, Public Domain)
a. Amount of Contribution
Pursuant to Section 94 of the Environmental Planning and Assessment Act, 1979 (as amended) and Hurstville Section 94 Development Contributions Plan 2012 the following contributions towards the cost of providing facilities shall be paid to Council:
Contribution Category Amount
Community Facilities $2,478.00
Open Space, Recreation and Public Domain Facilities $17,522.00
Total: $20,000.00
This condition and contribution is imposed to ensure that the development makes adequate provision for the demand it generates for public amenities and public services within the area.
b. Indexing
The above contributions will be adjusted at the time of payment to reflect changes in the Consumer Price Index (All Groups Index) for Sydney, in accordance with the provisions of the Hurstville Section 94 Development Contributions Plan 2012.
c. Timing and Method of Payment
The contribution must be paid prior to the release of a Construction Certificate as specified in the development consent
Please contact Council prior to payment to determine whether the contribution amounts have been indexed from that indicated above in this consent and the form of payment that will be accepted by Council.
Form of payment for transactions $500,000 or over - Council will only accept Bank Cheque or Electronic Funds Transfer (EFT) for transaction values of $500,000 or over. Council must be contacted prior to payment to determine correct total amount to be paid and bank account details (if applicable).
Contributions must be receipted by Council before a Construction Certificate is issued.
A copy of the Hurstville Section 94 Development Contributions Plan 2012 may be inspected or a copy purchased at Council’s offices (Civic Centre, MacMahon Street, Hurstville) or viewed on Council’s website www.hurstville.nsw.gov.au/Strategic-Planning.
4. GEN1014 - Long Service Levy - Submit evidence of payment of the Building and Construction Industry Long Service Leave Levy to the Principal Certifying Authority. Note this amount is based on the cost quoted in the Development Application, and same may increase with any variation to estimated cost which arises with the Construction Certificate application. To find out the amount payable go to www.lspc.nsw.gov.au or call 131441. Evidence of the payment of this levy must be submitted with the Construction Certificate application.
5. GEN1015 - Damage Deposit - Minor Works - In order to insure against damage to Council property the following is required:
(a) Payment to Council of a damage deposit for the cost of making good any damage caused to any Council property as a result of the development: $1,500.00.
(b) Payment to Council of a non-refundable inspection fee to enable assessment of any damage and repairs where required: $140.00.
(c) At the completion of work Council will inspect the public works, and the damage deposit will be refunded in full upon completion of work where no damage occurs. Otherwise the amount will be either forfeited or partly refunded according to the amount of damage.
(d) Prior to the commencement of work a photographic record of the condition of the Council nature strip, footpath and driveway crossing, or any area likely to be affected by the proposal, shall be submitted to Council
(e) Payments pursuant to this condition are required to be made to Council before the issue of the Construction Certificate.
(f) Fees and charges above are subject to change and are as set out in the version of Council's Schedule of Fees and Charges or as required by other Government Authorities, applicable at the time of payment.
SEPARATE APPROVALS UNDER OTHER LEGISLATION
These conditions have been imposed to ensure that the applicant is aware of any separate approvals required under other legislation, for example: approvals required under the Local Government Act 1993 or the Roads Act 1993.
6. APR2000 - Development Assessment - Torrens Title Subdivision of a Dual Occupancy Development - A separate development application is required to be lodged with Hurstville City Council for the Torrens Title Subdivision. This development application can only be lodged and determined after an Occupation Certificate has been issued for the Dual Occupancy development.
7. APR6001 - Engineering - Section 138 Roads Act and Section 68 Local Government Act 1993
Unless otherwise specified by a condition of this consent, this Development Consent does not give any approval to undertake works on public infrastructure.
A separate approval is required to be lodged and approved under Section 138 of the Roads Act 1993 and/or Section 68 of the Local Government Act 1993 for any of the following activities carried out in, on or over a public road (including the footpath):
(a) Placing or storing materials or equipment;
(b) Placing or storing waste containers or skip bins;
(c) Erecting a structure or carrying out work
(d) Swinging or hoisting goods over any part of a public road by means of a lift, crane or the like;
(e) Pumping concrete from a public road;
(f) Pumping water from the site into the public road;
(g) Constructing a vehicular crossing or footpath;
(h) Establishing a “works zone”;
(i) Digging up or disturbing the surface of a public road (e.g. Opening the road for the purpose of connections to utility providers);
(j) Stormwater and ancillary works in the road reserve; and
(k) Stormwater and ancillary to public infrastructure on private land
(l) If any excavation is to be supported by the use of below ground (cable) anchors that are constructed under Council’s roadways/footways.
These separate activity approvals must be obtained and evidence of the approval provided to the Certifying Authority prior to the issue of the Construction Certificate.
The relevant Application Forms for these activities can be downloaded from Hurstville City Council’s website at: www.hurstville.nsw.gov.au
For further information, please contact Council’s Customer Service Centre on (02)9330 6222.
8. APR6002 - Engineering - Vehicular Crossing - Minor Development - Constructing a vehicular crossing and/or footpath requires a separate approval under Section 138 of the Roads Act 1993 prior to the issue of the Construction Certificate.
To apply for approval, complete the Driveway Crossing on Council Road Reserve Application Form which can be downloaded from Hurstville Council’s Website: www.hurstville.nsw.gov.au
Lodge the application form, together with the associated fees at Council’s Customer Service Centre, during business hours. Refer to Section P1 and P2, in Council’s adopted Fees and Charges for the administrative and inspection charges associated with Vehicular Crossing applications.
Please note, that an approval for a new or modified vehicular crossing will contain the approved access and/or alignment levels which will be required to construct the crossing and/or footpath. Once approved, all work shall be carried out by a private contractor in accordance with Council’s Specification for Vehicular Crossings and Associated Works prior to the issue of the Occupation Certificate.
9. APR6004 - Engineering - Road Opening Permit - A Road Opening Permit must be obtained from Council, in the case of local or regional roads, or from the Roads and Maritime Services, in the case of State roads, for every opening of a public road reserve to access services including sewer, stormwater drains, water mains, gas mains, and telecommunications before the commencement of work in the road.
REQUIREMENTS OF OTHER GOVERNMENT AGENCIES
These conditions have been imposed by other NSW Government agencies either through their role as referral bodies, concurrence authorities or by issuing General Terms of Approval under the Integrated provisions of the Environmental Planning and Assessment Act 1979.
10. GOV1008 - Sydney Water - Section 73 Certificate - A Section 73 Compliance Certificate under the Sydney Water Act 1994 must be obtained from Sydney Water Corporation. Application must be made through an authorised Water Servicing Coordinator. Please refer to the Plumbing, Building and Developing section of Sydney Water’s website to locate a Water Servicing Coordinator in your area. Visit: www.sydneywater.com.au
A "Notice of Requirements" will advise of water and sewer infrastructure to be built and charges to be paid. Please make early contact with the Coordinator, as it can take some time to build water/sewer pipes and this may impact on other services and building, driveway or landscape design.
The “Notice of Requirements” must be submitted prior to the commencement of work.
11. GOV1009 - Sydney Water - Section 73 Compliance Certificate - A Section 73 Compliance Certificate under the Sydney Water Act must be submitted to the Principal Certifying Authority prior to the issue of the Occupation/Subdivision or Strata Certificate.
PRIOR TO THE ISSUE OF THE CONSTRUCTION CERTIFICATE
These conditions either require modification to the development proposal or further investigation/information prior to the issue of the Construction Certificate to ensure that there is no adverse impact.
12. CC3018 - Development Engineering - A design shall be submitted which provides for a combination (as required) of pits, pipelines and depression in the default overland flow path adjacent to Dwelling ‘A’ to provide a stormwater escape route. The system shall be designed to have the capacity to carry the runoff from the 1 in 100 year storm recurrence interval. This design is to include any openings in existing or proposed fencing on the site to accommodate the overland flow.
Evidence from an appropriately qualified person that this design requirement has been met and certification given that overland flow meets the guidelines of the "Floodplain Development Manual the management of flood liable land, 2005”, shall accompany the application for the Construction Certificate.
13. CC7012 - Building - Swimming Pool Design and Construction - The design and construction of the swimming pool and associated fencing and equipment must comply with:
(a) The Swimming Pools Act 1992 and Regulation 2008
(b) Building Code of Australia
(c) Australian Standard 1926.1-2007 - Swimming Pool Safety
(d) Council's Development Control
(e) Protection of the Environment Operations Act 1997
(f) AS1926.3-2010 - Water Recirculation Systems
No water must be placed in the pool/spa until the safety fences have been completed in accordance with the approved plans and specifications and satisfactorily inspected by the Principal Certifying Authority.
14. CC7013 - Building - Swimming Pools - Use and Maintenance - The following apply to the construction, use and maintenance of swimming pools and spas:
(a) no ground level may be raised or filled except where shown specifically on the approved plans;
(b) all pool/spa waste water is to be discharged to the sewer according to the requirements of Sydney Water;
(c) the swimming pool must not be used for commercial or professional purposes;
(d) pool water quality must be maintained to Council's satisfaction;
(e) install a hydrostatic pressure relief valve in the base of the pool (in ground pools);
(f) provide permanently fixed depth markers at each end of the pool;
(g) drain paved areas to the landscaped areas;
(h) arrange any external pool/spa lighting to minimise glare nuisance to adjoining owners; and
(i) operation and sound emissions of swimming pool pump and filter equipment are to be in accordance with the POEO Act and Department of Environment and Conservation Guidelines.
15. CC2001 - Development Assessment - Erosion and Sedimentation Control - Erosion and sediment controls must be provided to ensure:
(a) Compliance with the approved Erosion and Sediment Control Plan
(b) Removal or disturbance of vegetation and top soil is confined to within 3m of the approved building area (no trees to be removed without approval)
(c) all clean water run-off is diverted around cleared or exposed areas
(d) silt fences, stabilised entry/exit points or other devices are installed to prevent sediment from entering drainage systems or waterways
(e) all erosion and sediment controls are fully maintained for the duration of demolition, excavation and/or development works
(f) controls are put into place to prevent tracking of sediment by vehicles onto adjoining roadway
(g) all disturbed areas are rendered erosion-resistant by turfing, mulching, paving or similar
(h) Compliance with Managing Urban Stormwater - Soils and Construction (Blue Book) produced by Landcom 2004.
These measures are to be implemented before the commencement of work (including demolition and excavation) and must remain until the issue of the Occupation Certificate.
16. CC2003 - Development Assessment - Construction Site Management Plan - Major Development - A Site Management Plan must be submitted with the application for the Construction Certificate, and must include the following measures:
· location of protective site fencing;
· location of site storage areas/sheds/equipment;
· location of building materials for construction, e.g. stockpiles
· provisions for public safety;
· dust control measures;
· method used to provide site access location and materials used;
· details of methods of disposal of demolition materials;
· method used to provide protective measures for tree preservation;
· provisions for temporary sanitary facilities;
· location and size of waste containers/skip bins;
· details of proposed sediment and erosion control measures;
· method used to provide construction noise and vibration management;
· construction traffic management details.
The site management measures are to be implemented prior to the commencement of any works including demolition and excavation. The site management measures are to be maintained throughout the works, to maintain reasonable levels of public health, safety and amenity. A copy of the Site Management Plan must be retained on site and is to be made available upon request.
17. CC2008 - Development Assessment - Landscape Plan - A detailed landscape plan, drawn to scale, by a qualified landscape architect or landscape designer, must be submitted prior to the issue of the Construction Certificate. The plan must include:
(i) Location of existing and proposed structures on the site including existing trees (if applicable);
(ii) Details of earthworks including mounding and retaining walls and planter boxes (if applicable);
(iii) Location, numbers and type of plant species;
(iv) Details of planting procedure and maintenance;
(v) Details of drainage and watering systems.
18. CC2011 - Development Assessment - BASIX Commitments - All energy efficiency measures as detailed in the BASIX Certificate No 651103M dated 3 September 2015, approved with the Development Consent DA2015/0326, must be implemented on the plans lodged with the application for the Construction Certificate.
19. CC3001 - Development Engineering - Stormwater System
|
Reference No. |
Date |
Description |
Revision |
Prepared by |
|
1018A/2015 Sh. 1 of 1 |
18/8/15 |
Concept Stormwater Drainage Plan |
- |
N. Koloff and Associates |
The above submitted stormwater plan has been assessed as a concept plan only and no detailed assessment of the design has been undertaken.
(a) All stormwater shall drain by gravity to Council's kerb and gutter directly in front of the development site in accordance with the Australian/New Zealand Standard AS/NZS 3500.3: 2003 (as amended).
(b) All overflows of roof waters from any rainwater tank shall drain by gravity to Council’s kerb and gutter directly in front of the development site in accordance with the Australian/New Zealand Standard AS/NZS 3500.3: 2003 (as amended).
(c) All other impervious surface water runoff such as driveways and footpaths shall drain by gravity to Council’s kerb and gutter directly in front of the development site.
(d) The flow rate is to be determined of overland flow from the contributing catchment area likely to enter the site from northern/north-eastern properties during a 1:100yr ARI storm event. A combination of surface inlet pits, pipelines and depression in the overland flow path is to be designed to convey all flows away from Dwelling ‘A’ to the Sunlea Avenue Street kerb and gutter directly in front of the subject development site.
The design of this proposed drainage system must be prepared by a qualified practising hydraulics engineer (with details of qualifications being provided) and be submitted for approval with the Construction Certificate application.
20. CC3004 - Development Engineering - Stormwater Drainage Plans - The submitted stormwater plan has been assessed as a concept plan only and no detailed assessment of the design has been undertaken.
Stormwater drainage plans including pipe sizes, type, grade, length, invert levels, dimensions and types of drainage pits prepared by a qualified practising hydraulics engineer (with details of qualifications being provided) in accordance with the Australian Institute of Engineers Australian Rainfall and Runoff (1987) and Council's Stormwater Drainage Guidelines, shall accompany the application for the Construction Certificate.
21. CC3005 - Development Engineering - On Site Detention - The submitted stormwater plan has been assessed as a concept plan only and no detailed assessment of the design has been undertaken.
An on-site detention (OSD) facility designed by a professional hydrological/hydraulic engineer, shall be installed. The design must include the computations of the inlet and outlet hydrographs and stage/storage relationships of the proposed OSD using the following design parameters:
(a) Peak flow rates from the site are to be restricted to a permissible site discharge (PSD) equivalent to the discharge when assuming the site contained a single dwelling, garage, lawn and garden, at Annual Recurrence Intervals of 2 years and 100 years.
Refer to Flow Controls in Council's Draft/Adopted Stormwater Drainage Policy.
(b) The OSD facility shall be designed to meet all legislated safety requirements and childproof safety fencing around the facility must be provided where the OSD facility is open or above ground when the design peak storage depth is greater than 300mm. A durable metal plate or similar sign is to be placed at the OSD facility and must bear the words:
This is an on-site detention basin/tank and is subject to possible surface overflow during heavy storms.
Full details shall accompany the application for the Construction Certificate
22. CC6004 - Engineering - Traffic Management - Compliance with AS2890 - All driveways, access ramps, vehicular crossings and car parking spaces shall be designed and constructed in accordance with the current version of Australian Standards, AS 2890.1 (for car parking facilities) and AS 2890.2 (for commercial vehicle facilities).
23. CC7004 - Building - Structural details - Structural plans, specifications and design statement prepared and endorsed by a suitably qualified practising structural engineer who holds the applicable Certificate of Accreditation as required under the Building Professionals Act 2005 shall be submitted along with the Construction Certificate application to the Certifying Authority for any of the following, as required by the building design:
(a) piers
(b) footings
(c) slabs
(d) columns
(e) structural steel
(f) reinforced building elements
(g) swimming pool design
(h) retaining walls
(i) stabilizing works
(j) structural framework
24. CC8001 - Waste - Waste Management Plan - A Waste Management Plan incorporating all requirements in respect of the provision of waste storage facilities, removal of all materials from the site that are the result of site, clearing, extraction, and, or demolition works and the designated Waste Management Facility shall be submitted to the Principal Certifying Authority and copy provided to the Manager - Environmental Services, Hurstville City Council prior to the issue of any Construction Certificate.
PRIOR TO THE COMMENCEMENT OF WORK (INCLUDING DEMOLITION AND EXCAVATION)
These conditions have been imposed to ensure that all pre-commencement matters are dealt with and finalised prior to the commencement of work.
25. PREC2001 - Building regulation - Site sign - Soil and Erosion Control Measures - Prior to the commencement of works (including demolition and excavation), the durable site sign issued by Hurstville City Council in conjunction with this consent must be erected in a prominent location on site. The site sign warns of the penalties which apply to pollution, storing materials on road or footpath and breaches of the conditions relating to erosion and sediment controls. The sign must remain in a prominent location on site up until the completion of all site and building works.
26. PREC2002 - Development Assessment - Demolition and Asbestos - The demolition work shall comply with the provisions of Australian Standard AS2601:2011 - Demolition of Structures, NSW Work Health and Safety Act 2011 and the NSW Work Health and Safety Regulation 2011. The work plans required by AS2601-2001 shall be accompanied by a written statement by a suitably qualified person that the proposals contained in the work plan comply with the safety requirements of the Standard. The work plans and the safety statement shall be submitted to the Principal Certifying Authority prior to the commencement of works.
For demolition work which involves the removal of asbestos, the asbestos removal work must be carried out by a licensed asbestos removalist who is licensed to carry out the work in accordance with the NSW Work Health and Safety Act 2011 and the NSW Work Health and Safety Regulation 2011 unless specified in the Act and/or Regulation that a license is not required.
The asbestos removal work shall also be undertaken in accordance with the How to Safely Remove Asbestos: Code of Practice published by Work Cover NSW.
Copies of the Act, Regulation and Code of Practice can be downloaded free of charge from the Work Cover NSW website: www.workcover.nsw.gov.au
27. PREC2008 - Development Assessment - Demolition Notification Requirements - The following notification requirements apply to this consent:
a) The developer /builder must notify adjoining residents five (5) working days prior to demolition. Such notification is to be a clearly written note giving the date demolition will commence, contact details of the developer/builder, licensed asbestos demolisher and the appropriate regulatory authority. Notification is to be placed in the letterbox of every premises (including every residential flat or unit, if any) either side and immediately at the rear of the demolition site.
b) Five (5) working days prior to demolition, the developer/builder is to provide written notification to Hurstville City Council advising of the demolition date, details of the WorkCover licensed asbestos demolisher and the list of residents advised of the demolition.
c) On demolition sites where buildings to be demolished contain asbestos, a standard commercially manufactured sign containing the words “DANGER ASBESTOS REMOVAL IN PROGRESS” measuring not less than 400mm x 300mm is to be erected in a prominent visible position (from street frontage) on the site. The sign is to be erected prior to demolition work commencing and is to remain in place until such time as all asbestos material has been removed from the site to an approved waste facility.
28. PREC2009 - Development Assessment - Demolition work involving asbestos removal - Work involving bonded asbestos removal work (of an area of more than 10 square metres) or friable asbestos removal work must be undertaken by a person who carries on a business of such removal work in accordance with a licence under clause 458 of the Work Health and Safety Regulation 2011.
29. PREC6001 - Engineering - Dial before your dig - The applicant shall contact “Dial Before You Dig on 1100” to obtain a Service Diagram prior to the issuing of the Construction Certificate. The sequence number obtained from “Dial Before You Dig” shall be forwarded to Council’s Engineers for their records.
30. PREC7001 - Building - Registered Surveyors Report - During Development Work - A report must be submitted to the Principal Certifying Authority at each of the following applicable stages of construction:
(a) Set out before commencing excavation.
(b) Floor slabs or foundation wall, before formwork or commencing brickwork.
(c) Completion of Foundation Walls - Before any construction of flooring, detailing the location of the structure relative to adjacent boundaries and floor levels relative to the datum shown on the approved plans.
(d) Completion of Floor Slab Formwork - Before pouring of concrete/walls construction, detailing the location of the structure relative to adjacent boundaries and floor levels relative to the datum shown on the approved plans. In multi-storey buildings a further survey must be provided at each subsequent storey.
(e) Completion of any Pool Formwork - Before concreting of pool shell, detailing the location of the pool relative to the adjacent boundaries and its height relative to the datum shown on the approved plans.
(f) Completion of any Roof Framing - Before roof covered detailing eaves/gutter setback from boundaries.
(g) Completion of all Work - Detailing the location of the structure (including eaves/gutters) relative to adjacent boundaries and its height relative to the datum shown on the approved plans. A final Check Survey must indicate the reduced level of the main ridge.
(h) Other.
Work must not proceed beyond each stage until the Principal Certifying Authority is satisfied that the height and location of the building is proceeding in accordance with the approved plans.
DURING WORK
These conditions have been imposed to ensure that there is minimal impact on the adjoining development and surrounding locality during the construction phase of the development.
31. CON3001 - Development Engineering - Physical connection of stormwater to site - No work is permitted to proceed above the ground floor slab level of the building until there is physical connection of the approved stormwater drainage system from the land the subject of this consent to Council's kerb and gutter in Sunlea Avenue.
32. CON2001 - Development Assessment - Hours of construction, demolition and building related work - Any work activity or activity associated with the development consent that requires the use of any tools (including hand tools) or any power operated plant and machinery that creates noise on or adjacent to the site shall not be performed, or permitted to be performed, except between the hours of 7.00 am to 5.00 pm, Monday to Saturday inclusive. No work or ancillary activity shall be permitted to be performed on any Sunday, Good Friday, Christmas Day or any Public Holiday. A penalty infringement notice may be issued for any offence.
In addition to the foregoing requirements, construction work on all buildings (except that on single dwelling houses and associated structures on the site of a single dwelling house) shall be prohibited on Saturdays and Sundays on weekends adjacent to a public holiday.
33. CON2002 - Development Assessment - Ground levels and retaining walls - The ground levels of the site shall not be excavated, raised or filled, or retaining walls constructed on the allotment boundary, except where indicated on approved plans or approved separately by Council.
34. CON2009 - Development Assessment - Removal & filling of Swimming Pools
(a) The site of the swimming pool must be filled (if necessary) so as to restore the site to the ground level (existing) adjacent to the pool, taking into account any sloping of the site, and
(b) The swimming pool must not be filled with building demolition waste of any kind and if constructed as a concrete shell must be demolished so as to allow ground water to escape or drain to groundwater and
(c) The fill must be certified clean imported soil or virgin excavated material (VENM) and compacted, and
(d) Any piping or similar material must be removed from the site before the site is filled.
35. CON5001 - Trees - Tree Removal on Private Land - The trees identified as ‘to be removed/pruned’ on the approved plans or by conditions of this consent shall be removed in accordance with AS4373 -2007 Pruning of Amenity Trees and the Trees Work Industry Code of Practice (WorkCover NSW, 1998).
36. CON6002 - Engineering - Obstruction of Road or Footpath - The use of the road or footpath for the storage of any building materials, waste materials, temporary toilets, waste or skip bins, or any other matter is not permitted unless separately approved by Council under Section 138 of the Roads Act and/or under Section 68 of the Local Government Act 1993. Penalty Infringement Notices may be issued for any offences and severe penalties apply.
37. CON8001 - Waste - Waste Management Facility - All materials removed from the site as a result of demolition, site clearing, site preparation and, or excavation shall be disposed of at a suitable Waste Management Facility. No vegetation, article, building material, waste or the like shall be ignited or burnt whatsoever or in association with the work on site. Copies of all receipts for the disposal, or processing of all such materials shall be submitted to the Principal Certifying Authority and a copy provided to the Manager Environmental Services, Hurstville City Council.
PRIOR TO THE ISSUE OF THE OCCUPATION CERTIFICATE
These conditions have been imposed to ensure that all works have been completed in accordance with the Development Consent prior to the issue of the Occupation Certificate.
38. OCC3001 - Development Engineering - Positive Covenant for On-site Detention Facility - A Positive Covenant is to be created over any on-site detention facility.
This covenant is to be worded as follows:
It is the responsibility of the lots burdened to keep the "On-Site Detention" facilities, including any ancillary pumps, pipes, pits etc., clean at all times and maintained in an efficient working condition. The "On-Site Detention" facilities are not to be modified in any way without the prior approval of Council.
Hurstville City Council is to be nominated as the Authority to release, vary or modify this Covenant.
The Positive Covenant shall be registered at the NSW Department of Lands prior to the issue of a final occupation certificate.
The works-as-executed drainage plan must prepared by a suitably qualified and experienced Hydraulic Engineer in conjunction with a Registered Surveyor and the works-as-executed plan must include the following details (as applicable):
(a) The location of any detention basin/s with finished surface levels;
(b) Finished site contours at 0.2 metre intervals (if applicable)
(c) Volume of storage available in any detention areas;
(d) The location, diameter, gradient and material (i.e. PVC, RC etc) of all stormwater pipes;
(e) The orifice size/s (if applicable);
39. OCC3011 - Development Engineering - Requirements prior to the issue of the Occupation Certificate - The following shall be completed and or submitted to the Principal Certifying Authority (PCA) prior to the issue of the Occupation Certificate:
(a) All the stormwater/drainage works shall be completed in accordance with the approved Construction Certificate plans prior to the issue of the Occupation Certificate.
(b) The internal driveway construction works, together with the provision for all services (conduits and pipes laid) shall be completed in accordance with the approved Construction Certificate plans prior to the issue of the Occupation Certificate.
(c) Construct any new vehicle crossings required.
(d) Replace all redundant vehicle crossing laybacks with kerb and guttering, and replace redundant concrete with turf.
(e) A Section 73 (Sydney Water) Compliance Certificate for the Subdivision shall be issued and submitted to the PCA prior to the issue of the Occupation Certificate.
(f) Work as Executed Plans prepared by a Chartered Professional Engineer or a Registered Surveyor when all the site engineering works are complete shall be submitted to the PCA prior to the issue of the Occupation Certificate.
(g) The provision of a combination (as required) overland flow/pits-and-pipeline system for the management of stormwater runoff onto the site in the vicinity of Dwelling ‘A’.
40. OCC2004 - Development Assessment - BASIX Compliance Certificate - A Compliance Certificate must be provided to the Principal Certifying Authority regarding the implementation of all energy efficiency measures as detailed in the BASIX Certificate No. 651103M dated 3 September 2015, and in the plans approved with the Development Consent/ Construction Certificate, before issue of the Occupation Certificate.
41. OCC2005 - Development Assessment - Completion of Landscape Works - All landscape works must be completed before the issue of the Final Occupation Certificate.
42. OCC6001 - Engineering - Vehicular crossing - Minor development - The vehicular crossing and/or footpath works shall be constructed by a private contractor at the expense of the beneficiary of this consent, in accordance with the Vehicular Crossing Approval issued by Council’s Engineering Services Division and in accordance with Council’s Specification for Vehicular Crossings and Associated Works and the issued.
Any existing vehicular crossing and/or laybacks which are redundant must be removed. The kerb and gutter, any other footpath and turf areas shall be restored at the expense of the beneficiary of this consent and in accordance with Council’s Specification for Vehicular Crossings and Associated Works.
Please Note: No stencilled or coloured concrete may be used outside the boundary of the property.
The work must be completed before the issue of an Occupation Certificate.
ONGOING CONDITIONS
These conditions have been imposed to ensure that the use or operation of the development does not adversely impact on the amenity of the neighbourhood or environment.
43. ONG4039 - Health - Swimming Pools and Spas - Pump Noise - The swimming pool/spa pump and associated equipment must be located so that the noise emitted does not exceed 5dB(A) above the background level.
If this cannot be achieved, a ventilated and sound-proofed enclosure must enclose the pump to achieve the required noise levels.
44. ONG2003 - Development Assessment - Maintenance of Landscaping - All trees and plants forming part of the landscaping must be maintained on an ongoing basis. Maintenance includes watering, weeding, removal of rubbish from tree bases, fertilizing, pest and disease control and any other operations required to maintain healthy trees, plants and turfed areas.
45. ONG3006 - Development Engineering - Ongoing maintenance of the on-site detention system - The Owner(s) must in accordance with this condition and any positive covenant:
(a) Permit stormwater to be temporarily detained by the system;
(b) Keep the system clean and free of silt rubbish and debris;
(c) If the car park is used as a detention basin, a weather resistant sign must be maintained in a prominent position in the car park warning residents that periodic inundation of the car park may occur during heavy rain;
(d) Maintain renew and repair as reasonably required from time to time the whole or part of the system so that it functions in a safe and efficient manner and in doing so complete the same within the time and in the manner reasonably specified in written notice issued by the Council;
(e) Carry out the matters referred to in paragraphs (b) and (c) at the Owners expense;
(f) Not make any alterations to the system or elements thereof without prior consent in writing of the Council and not interfere with the system or by its act or omission cause it to be interfered with so that it does not function or operate properly;
(g) Permit the Council or its authorised agents from time to time upon giving reasonable notice (but at any time and without notice in the case of an emergency) to enter and inspect the land with regard to compliance with the requirements of this covenant;
(h) Comply with the terms of any written notice issued by Council in respect to the requirements of this clause within the time reasonably stated in the notice;
(i) Where the Owner fails to comply with the Owner’s obligations under this covenant, permit the Council or its agents at all times and on reasonable notice at the Owner’s cost to enter the land with equipment, machinery or otherwise to carry out the works required by those obligations;
(j) Indemnify the Council against all claims or actions and costs arising from those claims or actions which Council may suffer or incur in respect of the system and caused by an act or omission by the Owners in respect of the Owner’s obligations under this condition.
46. ONG4018 - Health - Amenity of the neighbourhood - The implementation of this development shall not adversely affect the amenity of the neighbourhood or interfere unreasonably with the comfort or repose of a person who is outside the premises by reason of the emission or discharge of noise, fumes, vapour, odour, steam, soot, dust, waste water, waste products, grit, oil or other harmful products.
No vegetation, article, building material, waste or the like shall be ignited or burnt whatsoever or in association with the work on site.
ADVICE
This advice has been included to provide additional information and where available direct the applicant to additional sources of information based on the development type.
47. ADV2002 - Development Assessment - Site Safety Fencing - Site fencing must be erected in accordance with WorkCover Guidelines, to exclude public access to the site throughout the demolition and/or construction work, except in the case of alterations to an occupied dwelling. The fencing must be erected before the commencement of any work and maintained throughout any demolition and construction work.
For more information visit www.workcover.nsw.gov.au
48. ADV2009 - Development Assessment - Security deposit administration & compliance fee - Under Section 97(5) of the Local Government Act 1993, a security deposit (or part) if repaid to the person who provided it is to be repaid with any interest accrued on the deposit (or part) as a consequence of its investment.
Council must cover administration and other costs incurred in the investment of these monies. The current charge is $50.00 plus 2% of the bond amount per annum.
Interest rate applied to bonds is set at Council's business banking facility rate as at 1 July each year. Council will accept a bank guarantee in lieu of a deposit.
All interest earned on security deposits will be used to offset the Security Deposit Administration and Compliance fee. Where interest earned on a deposit is not sufficient to meet the fee, it will be accepted in full satisfaction of the fee.
Schedule B – Prescribed Conditions
Prescribed conditions are those which are mandated under Division 8A of the Environmental Planning and Assessment Regulation 2000 and given weight by Section 80A (11) of the Environmental Planning and Assessment Act 1979.
Detailed below is a summary of all the prescribed conditions which apply to development in New South Wales. Please refer to the full details of the prescribed conditions as in force, at www.legislation.nsw.gov.au.
It is the responsibility of the beneficiary of this consent to determine which prescribed conditions apply.
49. PRES1001 - Clause 97A – BASIX Commitments - This Clause requires the fulfilment of all BASIX Commitments as detailed in the BASIX Certificate to which the development relates.
50. PRES1002 - Clause 98 – Building Code of Australia & Home Building Act 1989 - Requires all building work to be carried out in accordance with the Building Code of Australia. In the case of residential building work to which the Home Building Act 1989 relates, there is a requirement for a contract of insurance to be in force before any work commences.
51. PRES1003 - Clause 98A – Erection of Signs - Requires the erection of signs on site and outlines the details which are to be included on the sign. The sign must be displayed in a prominent position on site and include the name and contact details of the Principal Certifying Authority and the Principal Contractor.
52. PRES1004 - Clause 98B – Home Building Act 1989 - If the development involves residential building work under the Home Building Act 1989, no work is permitted to commence unless certain details are provided in writing to Council. The name and licence/permit number of the Principal Contractor or Owner Builder and the name of the Insurer by which work is insured under Part 6 of the Home Building Act 1989.
53. PRES1007 - Clause 98E – Protection & support of adjoining premises - If the development involves excavation that extends below the level of the base of the footings of a building on adjoining land, this prescribed condition requires the person who benefits from the development consent to protect and support the adjoining premises and where necessary underpin the adjoining premises to prevent any damage.
Schedule C – Operational & Statutory Conditions
These conditions comprise the operational and statutory conditions which must be satisfied under the Environmental Planning and Assessment Act 1979 and the Environmental Planning & Assessment Regulation 2000. Please refer to the full details of the Act and Regulations as in force, at www.legislation.nsw.gov.au.
It is the responsibility of the beneficiary of this consent to determine which operational and statutory conditions apply.
54. OPER1001 - Requirement for a Construction Certificate - The erection of a building must not commence until a Construction Certificate has been issued by the consent authority, the Council (if the Council is not the consent authority) or an accredited certifier.
An application form for a Construction Certificate is attached for your convenience.
55. OPER1002 - Appointment of a Principal Certifying Authority - The erection of a building must not commence until the beneficiary of the development consent has:
(a) appointed a Principal Certifying Authority (PCA) for the building work; and
(b) if relevant, advised the PCA that the work will be undertaken as an Owner-Builder.
If the work is not going to be undertaken by an Owner-Builder, then the beneficiary of the consent must:
(a) appoint a Principal Contractor to undertake the building work. If residential building work (within the meaning of the Home Building Act 1989) is to be undertaken, the Principal Contractor must be a holder of a contractor licence; and
(b) notify the PCA of the details of any such appointment; and
(c) notify the Principal Contractor of any critical stage inspections or other inspections that are required to be carried out in respect of the building work.
An Information Pack is attached for your convenience should you wish to appoint Hurstville City Council as the Principal Certifying Authority for your development.
56. OPER1003 - Notification of Critical Stage Inspections - No later than two (2) days before the building work commences, the PCA must notify:
(a) the consent authority and the Council (if not the consent authority) of his or her appointment; and
(b) the beneficiary of the development consent of the critical stage inspections and other inspections that are to be carried out with respect to the building work.
57. OPER1004 - Notice of Commencement - The beneficiary of the development consent must give at least two (2) days’ notice to the Council and the PCA of their intention to commence the erection of a building.
A Notice of Commencement Form is attached for your convenience.
58. OPER1007 - Critical Stage Inspections - The last critical stage inspection must be undertaken by the Principal Certifying Authority. The critical stage inspections required to be carried out vary according to Building Class under the Building Code of Australia and are listed in Clause 162A of the Environmental Planning and Assessment Regulation 2000.
59. OPER1008 - Notice to be given prior to critical stage inspections - The principal contractor for a building site, or the owner-builder, must notify the principal certifying authority at least 48 hours before each required inspection needs to be carried out.
Where Hurstville City Council has been appointed PCA, forty eight (48) hours’ notice in writing, or alternatively twenty four (24) hours’ notice by facsimile or telephone, must be given to when specified work requiring inspection has been completed.
60. OPER1009 - Occupation Certificate - A person must not commence occupation or use of the whole or any part of a new building unless an Occupation Certificate has been issued in relation to the building or part.
Only the Principal Certifying Authority appointed for the building work can issue the Occupation Certificate.
An Occupation Certificate Application Form is attached for your convenience.
If you need more information, please contact the Development Assessment Officer, below on 9330-6222 during normal office hours.
For video relating to 19 Sunlea Ave Mortdale click here
|
Appendix View1 |
Location Plan - 19 Sunlea Ave Mortdale |
|
Appendix View2 |
Site Photo - 19 Sunlea Ave Mordale |
|
Appendix View3 |
Amended Site Plan - 19 Sunlea Ave Mortdale |
|
Appendix View4 |
Amended North and South Elevations - 19 Sunlea Ave Mortdale |
|
Appendix View5 |
Amended East and West Elevations - 19 Sunlea Ave Mortdale |
|
Appendix View6 |
Landscape Plan - 19 Sunlea Ave Mortdale |
|
Appendix View7 |
Stormwater Concept Plan - 19 Sunlea Ave Mortdale |
Hurstville City Council – Council Meeting Wednesday, 2 March 2016
CCL060-16 19 Sunlea Ave Mortdale - Demolition of Existing and Contruction of Two Storey Attached Dual Occupancy
[Appendix 1] Location Plan - 19 Sunlea Ave Mortdale
CCL060-16 19 Sunlea Ave Mortdale - Demolition of Existing and Contruction of Two Storey Attached Dual Occupancy
[Appendix 2] Site Photo - 19 Sunlea Ave Mordale
CCL060-16 19 Sunlea Ave Mortdale - Demolition of Existing and Contruction of Two Storey Attached Dual Occupancy
[Appendix 3] Amended Site Plan - 19 Sunlea Ave Mortdale
CCL060-16 19 Sunlea Ave Mortdale - Demolition of Existing and Contruction of Two Storey Attached Dual Occupancy
[Appendix 4] Amended North and South Elevations - 19 Sunlea Ave Mortdale
CCL060-16 19 Sunlea Ave Mortdale - Demolition of Existing and Contruction of Two Storey Attached Dual Occupancy
[Appendix 5] Amended East and West Elevations - 19 Sunlea Ave Mortdale

CCL060-16 19 Sunlea Ave Mortdale - Demolition of Existing and Contruction of Two Storey Attached Dual Occupancy
[Appendix 6] Landscape Plan - 19 Sunlea Ave Mortdale
CCL060-16 19 Sunlea Ave Mortdale - Demolition of Existing and Contruction of Two Storey Attached Dual Occupancy
[Appendix 7] Stormwater Concept Plan - 19 Sunlea Ave Mortdale
CCL061-16 54 Boundary Rd Mortdale - Demolition of Existing and Construction of Attached Dual Occupancy
|
Applicant |
Boundarycon Pty Ltd |
|
Proposal |
Demolition of the existing dwelling and construction of an attached dual occupancy |
|
Owners |
Boundarycon Pty Ltd |
|
Report Author/s |
Development Assessment Officer, Mr P Nelson |
|
File |
DA2015/0362 |
|
Previous Reports Referenced |
No |
|
Disclosure of Political Donations or Gifts |
No |
|
Zoning |
Zone R2 - Low Density Residential |
|
Existing Development |
Dwelling House |
|
Cost of Development |
$650,000.00 |
|
Reason for Referral to Council |
Two (2) neighbour submissions and slight fall to the rear |
|
Planning Instruments Applicable |
Hurstville Local Environmental Plan 2012, Greater Metropolitan Regional Environmental Plan No 2 – Georges River Catchment, State Environmental Planning Policy No 55 – Remediation of Land, Development Control Plan No 1 – LGA Wide |
|
Hurstville Local Environment Plan Interpretation of Use |
Dual Occupancy (Attached) |
EXECUTIVE SUMMARY
1. The application proposes the demolition of the existing dwelling house and the construction of an attached dual occupancy.
2. The proposal results in two (2) variations to Council’s Local Environmental Plan 2012 and Development Control Plan No 1 which are proposed to be conditioned to comply.
3. The proposal was notified to forty (40) adjoining neighbours for a period of fourteen (14) days during which time two (2) submissions were received in relation to the proposal.
|
THAT the application be approved in accordance with the conditions included in the report. |
REPORT DETAIL
DESCRIPTION OF THE PROPOSAL
The application seeks approval for the demolition of the existing dwelling house and construction of a new attached dual occupancy development with car parking and living areas on the ground floor and bedrooms and bathrooms on the first floor.
The proposal will require the removal of one (1) significant Turpentine tree from the site.
The proposal is proposed to drain to Boundary Road.
HISTORY
14 Oct 15 Application lodged with Council
DESCRIPTION OF THE SITE AND LOCALITY
The site is a rectangular shaped site with a frontage of 15.07m to Boundary Road and an area of 737.6sqm. The site is located on the eastern side of the street. Existing on the site is dwelling house.
The site falls slightly from front to rear by approximately 10-20mm.
Adjoining the site on both sides are dwelling houses. The area is generally residential in character.
COMPLIANCE AND ASSESSMENT
The development has been inspected and assessed under the relevant Section 79C(1) "Matters for Consideration" of the Environmental Planning and Assessment Act 1979.
1. Environmental Planning Instruments
HURSTVILLE LOCAL ENVIRONMENTAL PLAN 2012
The land is zoned R2 - Low Density Residential and attached dual occupancies are a permissible use in the zone. The proposal meets the zone objectives.
|
Clause |
Standard |
Assessment Under HLEP 2012 |
|
Part 2 – Permitted or Prohibited Development |
R2 Low Density Zone |
The proposal is defined as a dual occupancy (attached) and this development is permissible in the zone |
|
|
Objectives of the Zone |
The proposal complies with the objectives of the zone |
|
4.1A – Minimum lot size for dual occupancies and multi dwelling housing |
Dual occupancy – 630sqm if land identified as “G” on lot size map |
737.6sqm |
|
4.1B – Exception to minimum sizes for dual occupancies |
Subdivision may be granted if there is a constructed dual occupancy and after the subdivision there will only be 1 dwelling per lot |
A separate Development Application is required for the Torrens Title subdivision (conditioned) |
|
4.3 – Height of Buildings |
9m - Height of Buildings Map |
7.27m |
|
4.4 – Floor Space Ratio |
0.6:1 - Floor Space Ratio Map |
0.6:1 by condition (1) |
|
4.5 – Calculation of floor space ratio and site area |
FSR and site area calculated in accordance with Cl.4.5 |
Yes |
|
5.9 – Preservation of Trees or Vegetation |
Trees to be removed are not specified in DCP No 1 |
Turpentine tree listed for removal is identified under DCP, see assessment and Tree Management Officer comment below (2) |
|
6.7 – Essential Services |
The following services that are essential for the development shall be available or that adequate arrangements must be made available when required: · Supply of water, electricity and disposal and management of sewerage · Stormwater drainage or on-site conservation · Suitable vehicular access |
Adequate facilities for the supply of water and for the removal of sewage and drainage are available to this land. Suitable vehicular access to the site is also provided. |
(1) Floor Space Ratio
The design proposed currently exceeds the maximum permissible Floor Space Ratio by 5.286sqm. This variation will be conditioned to comply by increasing the rear setback to the ground and first floor rear walls by 250mm.
(2) Preservation of Trees or Vegetation
The turpentine tree listed for removal is specified under Section 3.11 of Development Control Plan No 1. An assessment of the proposed tree removal is provided below.
GREATER METROPOLITAN REGIONAL ENVIRONMENTAL PLAN NO 2 – GEORGES RIVER CATCHMENT
The proposal will be conditioned to comply with standard drainage and construction conditions that will ensure compliance with the Greater Metropolitan Regional Environmental Plan No 2 – Georges River Catchment.
STATE ENVIRONMENTAL PLANNING POLICY NO 55 – REMEDIATION OF LAND
The subject site is zoned residential and, given the types of uses permissible within the residential zones, it is considered unlikely that the land is contaminated.
Based on Council’s records, the subject site has not been used for any potentially contaminating activities. As such, it is considered unlikely that the land is contaminated.
STATE ENVIRONMENTAL PLANNING POLICY (BUILDING SUSTAINABILITY INDEX: BASIX) 2004
The application has been accompanied by a complying BASIX certificate in accordance with the requirements of the SEPP.
2. Draft Environmental Planning Instruments
There are no draft environmental planning instruments for this proposal.
Any other matters prescribed by the Regulations
The Regulations prescribe the following matters for consideration for development in the Hurstville Council area:
Demolition
Safety standards for demolition and compliance with AS 2601- 2001 apply to the demolition of any buildings affected by the proposal.
3. Development Control Plans
DEVELOPMENT CONTROL PLAN NO 1 – LGA WIDE – SECTION 2.2 NEIGHBOUR NOTIFICATION AND ADVERTISEMENT OF DEVELOPMENT APPLICATIONS
The proposal was notified to forty (40) adjoining neighbours for a period of fourteen (14) days during which time two (2) submissions were received in relation to the proposal.
DEVELOPMENT CONTROL PLAN NO 1 – LGA WIDE - SECTION 3.4 CRIME PREVENTION THROUGH ENVIRONMENTAL DESIGN
|
Section 3.4 |
Standard |
Proposed |
Complies |
|
Fencing |
Allows natural surveillance to street |
Fencing allows natural surveillance |
Yes |
|
Blind Corners |
To be avoided |
No blind corners evident |
Yes |
|
Communal Areas |
Provide opportunities for natural surveillance |
Street frontages visible from the entry area of each unit |
Yes |
|
Entrances |
Clearly visible and not confusing |
Entrance to each unit is visible |
Yes |
|
Site and Building Layout |
· Provide surveillance opportunities
· Habitable rooms are directed towards the front of the building · Building addresses street · Garages are not dominant · Offset windows |
Provided from entry area and master bedrooms and associated balconies Lounge room provided adjacent to entry area
Building addresses street
Garages are not dominant
Satisfactory or conditioned to provide for opaque glazing or high sills for privacy |
Yes
Yes
Yes
Yes
Yes |
|
Landscaping |
· Avoid dense medium height shrubs · Allow spacing for low growing dense vegetation · Low ground cover or high canopy trees around car-parks and pathways · Vegetation used as a barrier for unauthorised access |
Landscaping proposed is appropriate |
Yes |
|
Lighting |
· Diffused/movement sensitive lighting provided externally · Access/egress points illuminated · No light-spill towards neighbours · Hiding places illuminated · Lighting is energy efficient |
Standard lighting is appropriate |
Yes |
|
Building Identification |
· Clearly numbered buildings · Entrances numbered · Unit numbers provided at entry |
Dwelling numbers required as standard conditions of consent should the proposal be considered for approval |
Yes |
|
Security |
Provide an appropriate level of security for each dwelling and communal areas |
Appropriate level of security provided for the units |
Yes |
|
Ownership |
Use of fencing, landscaping, colour and finishes to imply ownership |
Ownership implied |
Yes |
As can be seen from the table above, the proposal complies with Section 3.4.
DEVELOPMENT CONTROL PLAN NO 1 – LGA WIDE - SECTION 3.5 ENERGY EFFICIENCY
A BASIX Certificate has been submitted for both units. The proposed development meets the target scores required. This is in accordance with this section of Development Control Plan No 1 – LGA Wide.
DEVELOPMENT CONTROL PLAN NO 1 – LGA WIDE – SECTION 3.7 DRAINAGE AND ON-SITE DETENTION (OSD) REQUIREMENTS
The proposal is to be conditioned to drain by gravity to the kerb and gutter in front of the site in accordance with this section of Development Control Plan No 1 – LGA Wide.
DEVELOPMENT CONTROL PLAN NO 1 – LGA WIDE - SECTION 3.11 PRESERVATION OF TREES AND VEGETATION
The application proposes the removal of a Syncarpia glomulifera (Turpentine) from the rear yard as this tree will be located in the future footprint of the building. This tree type is identified as requiring Council permission for removal under Section 3.11.3.1 of Development Control Plan No 1.
Following the lodgment an review of an arborist’s report Council’s Tree Management Officer has indicated that,
The main issue with tree is the location of proposed building footprint, and it is clear the current design cannot provide a sufficient setback from the tree’s root system. In my opinion, setting aside the proposal the tree could be retained with appropriate remedial crown maintenance, and the tree has sustained no structural damage in the recent storm conditions.
The tree is a locally indigenous species but likely planted and not a remnant specimen. The tree contains no obvious hollows for habitat, but would provide an intermittent pollen and nectar source for wildlife.
The site is located in a densely developed residential area, and based on a merit assessment, in my opinion the tree is not significant enough to be the sole reason for a refusal of the application.
The loss of large indigenous trees is always unfortunate and an appropriate condition of consent should the application be approved would be replacement planting of two (2) native trees in rear yards of site that will reach a mature height of 12m.
Comment: On the basis of these comments, the tree is suitable for removal on the condition that two (2) appropriate replacement species are provided on site. Council’s Tree Management Officer has further advised that an appropriate planting for the site would be a 100L container Elaeocarpus reticulatus (Blueberry Ash). Conditions of consent will require this recommended planting.
DEVELOPMENT CONTROL PLAN NO 1 – LGA WIDE - SECTION 4.2 DUAL OCCUPANCY HOUSING
|
Section 4.2 |
Standard |
Proposal |
Complies |
|
4.2.3 Design Solutions and Controls |
Building Envelope Option No 3 |
Complies |
Yes |
|
4.2.3.3 Allotment Size |
630sqm |
737.6sqm |
Yes |
|
Frontage |
15m |
15.07m |
Yes |
|
4.2.2.4 Height |
9m for two storey |
7.27m |
Yes |
|
Excavation |
600mm |
150mm |
Yes |
|
Wall Height |
6.8m maximum for two storey |
6.5m |
Yes |
|
Floor to ceiling heights |
2.7m – 3.6m |
2.6m – 2.7m |
Yes (1) |
|
Maximum storeys |
2 |
2 |
Yes |
|
4.2.3.5 Front Setbacks |
5.5m |
9.2m |
Yes |
|
Side |
1200mm two storey |
1200mm |
Yes |
|
Eaves |
750mm or 450mm non-combustible |
>750mm |
Yes |
|
Rear |
7m ground floor 9m first floor |
12.88m |
Yes |
|
4.2.4 Floor Space Ratio |
As per Hurstville LEP 2012 (0.6:1) |
447.846sqm or 0.607:1 |
Yes (by condition, see comment under LEP assessment above) |
|
4.2.5.1 Presentation to the street |
Windows to street
Attached may not be mirror-reverse
Design to have two of; - Entry feature - Window feature - Balcony/window box - Architectural element to break façade - Open veranda - Bay windows - Pergola/similar features above garage doors Entrance clearly visible from street Garage recess 300mm Maximum recommended roof pitch 35° |
Yes
Slightly stepped design and slight façade differences
Balcony Architectural façade treatment
Yes
1500mm minimum 7 degrees |
Yes
Yes
Yes
Yes
Yes |
|
4.2.5.3 Balconies |
2m maximum depth for rear balconies
1.8m minimum height of privacy screen |
1500mm
Privacy screen not used – balcony recessed into side wall |
Yes
Yes |
|
4.2.5.4 Materials and Finishes |
To compliment surrounding development Minimise high contrasting colour schemes Fire rating of BCA to be achieved |
Appropriate
Appropriate
Conditioned |
Yes
Yes
Yes |
|
4.2.5.5 Views |
Windows to provide views of private open space and approaches to dwelling
Minimise view loss to surrounding properties |
Provided
High bottom sill windows used to high use rooms where windows are not offset |
Yes
Yes |
|
4.2.6 Landscaped Area
Private Open Space
Fences |
Driveway and pathway the only paving permitted in the front yard 20% of site to be landscaped 2m minimum width Landscape plan to be provided Landscape work to be completed prior to occupation Protection of the root zone of trees to be retained is to be considered
At ground level Minimum dimensions 4m x 5m Accessible from living area Maximise visual privacy and acoustic amenity to occupants and neighbours Maximise solar access
Be no higher than 1m No higher than 1.8m |
Yes
30.90% 2m Provided Condition
Significant tree is permitted to be removed
Yes 7.5m x 13.08m Yes Appropriate
Complies
None shown |
Yes
Yes Yes Yes Yes
Yes
Yes Yes Yes Yes
Yes
Yes |
|
4.2.7 Vehicular Access and Parking |
1 garage and 1 driveway space per dwelling Garage setback 5.5m and recessed a minimum 300mm into façade Entry and exit on to State Roads/battle-axe to be in a forward direction Driveway width 3m minimum
Driveways setback from side boundary by 1.5m minimum
Crossing at least 6m from intersection |
1 garage and 1 driveway 9.2m 1500mm
N/A
3m
1.5m
>6m |
Yes
Yes Yes
N/A
Yes
Yes
Yes |
|
4.2.8 Cut and Fill |
Fill maximum 600mm Fill only within building footprint |
Fill 250mm Cut 150mm |
Yes Yes |
|
4.2.9 Visual Privacy and Acoustic Amenity |
Balconies and main windows directed towards front and rear Windows of habitable rooms to be offset by 1m from the window of the neighbouring dwelling or screened or provided with 1.5m bottom sill heights
Privacy screens to be provided to rear balconies at no higher than 1.8m Driveways and A/C units to be sited away from adjoining neighbours |
Front and rear
Offset or 1800mm high bottom sill
Balconies recessed into wall
Driveways 1.5m as required A/C units not indicated |
Yes
Yes
Yes
Yes
N/A |
|
4.2.10 Solar Design, Water and Energy Efficiency |
Must comply with BASIX Cross ventilation to be provided All rooms to have a window
Shadow diagrams for 2 storey proposals 3 hours solar access during midwinter solstice to be provided to subject and neighbouring dwellings |
Complies Appropriate Yes
Provided
Complies |
Yes Yes Yes
Yes
Yes |
|
4.2.11 Site Facilities |
3m x 1m garbage storage 6m³ storage Mailbox Outdoor clothes line |
Sufficient space for all site facilities |
Yes |
|
4.2.12 Stormwater Drainage |
Drainage by gravity |
Combination charged system and gravity to street available |
Yes |
|
4.2.14 Building Envelope Graphics |
As per diagrams |
Complies |
Yes |
|
Stormwater Assessment |
|
|
Existing Stormwater System |
To street |
|
Proposed Stormwater System |
To street |
|
Stormwater objectives for development type met? |
Yes |
|
Slope to rear (measured centreline of site) |
Yes (2) |
|
Gravity to street (from property boundary to street kerb)? |
Yes |
|
Discharge into same catchment? |
Yes |
|
Easement required? |
No |
(1) Floor to ceiling heights
The ground floor, floor to ceiling height is proposed to be 2.6m. A minimum floor to ceiling height of 2.7m is specified under the Development Control Plan No 1 - LGA Wide. A condition of consent will require the provision of a minimum floor to ceiling height of 2.7m. This can be achieved without any breach to the overall wall height.
(2) Slope to rear
The subject site has a 10-20mm fall from front to rear. This fall to the rear is very minor in nature and does not prevent either the existing dwelling house or proposed dual occupancy from draining by gravity to the street. Council’s Team Leader Subdivision and Development has indicated that the proposed drainage to the street is appropriate with standard conditions relating to allotment drainage.
4. Impacts
Natural Environment
The application proposes the removal of a significant Turpentine tree from the rear yard of the site. Council’s Tree Management Officer has indicated that this tree provides no obvious hollow for habitat but does form an intermittent source of nectar and pollen for wildlife. Despite the proposed removal, the requirement to introduce two (2) replacement Blueberry Ash canopy trees is considered appropriate to offset this proposed tree removal.
Built Environment
The proposal is unlikely to result in any negative impact on the existing built environment or built character of the area.
Social Impact
The proposal is unlikely to result in any unreasonable negative social impact.
Economic Impact
The proposal is unlikely to result in any unreasonable negative economic impact.
Suitability of the Site
The site is suitable for dual occupancy development.
5. REFERRALS, SUBMISSIONS AND THE PUBLIC INTEREST
Resident
The proposal was notified to forty (40) adjoining neighbours for a period of fourteen (14) days during which time two (2) submissions were received in relation to the proposal.
Construction times
One (1) submission has requested that construction times be limited to 8am starts with no work on weekends or public holidays.
Comment: Standard conditions of consent permit construction and demolition works to commence at 7am Monday to Saturday, with no works permitted on Sunday or public holidays.
Privacy
One (1) submission has requested that windows facing neighbouring properties be placed or sized so as to allow for the provision of appropriate privacy to neighbours.
Comment: The design responds to privacy issues by providing either high bottom sill windows or the siting of habitable windows to the front and rear of the development. The proposal has responded appropriately to reduce any potential for a privacy issue to occur.
Tree Removal
One (1) submission has expressed concern in relation to the proposed removal of the tree in the rear yard and that this will impact on the natural environment. The neighbour has requested that the tree be taken into consideration in the assessment of the proposal.
Comment: The Turpentine tree in the rear yard of the site has been assessed by Council’s Tree Management Officer who has permitted the removal of the tree and conditioned the provision of two (2) Blueberry Ash trees in the rear yard of the proposal to offset the tree loss proposed.
Council Referrals
Team Leader Subdivision and Development
Council’s Team Leader Subdivision and Development has advised that the proposal is satisfactory subject to conditions relating to drainage.
Tree Management Officer
Council’s Tree Management Officer comments are included in the assessment under Section 3.11 of Development Control Plan No 1 above.
6. CONCLUSION
The application proposes the demolition of the existing dwelling house and construction of a new attached dual occupancy.
The proposal requires the removal of a significant Turpentine tree on the site that is located within the proposed building footprint. Council’s Tree Management Officer has assessed this tree and has indicated that removal is satisfactory pending the introduction of appropriate blueberry ash replacement planting.
Two (2) variations are sought, both of which are to be conditioned to comply.
The proposal was notified to forty (40) adjoining neighbours for a period of fourteen (14) days during which time two (2) submissions were received in relation to the proposal. These submissions are discussed in the report.
The proposal is to be recommended for approval.
DETERMINATION
THAT pursuant to Section 80(1)(a) of the Environmental Planning and Assessment Act, 1979, as amended, the Council, grants development consent to Development Application DA2015/0362 for the demolition of the existing dwelling house and construction of an attached dual occupancy on Lot 1 DP 602508 and known as 54 Boundary Road, Mortdale, subject to the attached conditions:
Schedule A – Site Specific Conditions
GENERAL CONDITIONS
These conditions have been imposed to ensure that the development is carried out in accordance with the approved plans and to ensure that the appropriate fees and bonds are paid in relation to the development.
1. GEN1001 - Approved Plans - The development must be implemented in accordance with the approved plans and supporting documentation listed below which have been endorsed by Council’s approved stamp, except where marked up on the plans and/or amended by conditions of this consent:
|
Reference No. |
Date |
Description |
Revision |
Prepared by |
|
1000 Sheet 8/15 |
25/09/15 |
Site Plan |
A |
David De Chiara Design |
|
1000 Sheet 2/15 |
25/09/15 |
Ground Floor Plan |
A |
David De Chiara Design |
|
1000 Sheet 3/15 |
25/09/15 |
First Floor Plan |
A |
David De Chiara Design |
|
1000 Sheet 4/15 |
25/09/15 |
Roof Plan |
A |
David De Chiara Design |
|
1000 Sheet 5/15 |
25/09/15 |
Front and Rear Elevations |
A |
David De Chiara Design |
|
1000 Sheet 6/15 |
25/09/15 |
Side Elevations |
A |
David De Chiara Design |
|
1000 Sheet 7/15 |
25/09/15 |
Sections and Driveway Sections |
A |
David De Chiara Design |
|
1000 Sheet 10/15 |
25/09/15 |
Landscape Plan |
|
David De Chiara Design |
2. GEN1002 - Fees to be paid to Council - The fees listed in the table below must be paid in accordance with the conditions of this consent and Council’s adopted Fees and Charges applicable at the time of payment.
Payments must be made prior to the issue of the Construction Certificate or prior to the commencement of work (if there is no associated Construction Certificate).
Please contact Council prior to the payment of Section 94 Contributions to determine whether the amounts have been indexed from that indicated below in this consent and the form of payment that will be accepted by Council.
Form of payment for transactions $500,000 or over - Council will only accept Bank Cheque or Electronic Funds Transfer (EFT) for transaction values of $500,000 or over. Council must be contacted prior to payment to determine correct total amount to be paid and bank account details (if applicable)
(a) Fees to be paid:
Fee types, bonds and contributions
|
Fee Type |
|
Long Service Levy (to Long Service Corporation) |
|
Builders Damage Deposit |
|
Inspection Fee for Refund of Damage Deposit |
|
S94 Residential (Community Facilities) |
|
S94 Residential (Open Space, Recreation, Public Domain) |
The following fees apply where you appoint Council as your Principal Certifying Authority (PCA). (If you appoint a private PCA, separate fees will apply)
|
PCA Services Fee |
$1,745.00 |
|
Construction Certificate Application Fee |
$1,745.00 |
|
Construction Certificate Imaging Fee |
$172.00 |
Fees and charges above are subject to change and are as set out in the version of Council's Schedule of Fees and Charges or as required by other Government Authorities, applicable at the time of payment.
3. GEN1003 - Section 94 Contributions - Residential Development (Community Facilities and Open Space, Recreation, Public Domain)
a. Amount of Contribution
Pursuant to Section 94 of the Environmental Planning and Assessment Act, 1979 (as amended) and Hurstville Section 94 Development Contributions Plan 2012 the following contributions towards the cost of providing facilities shall be paid to Council:
Contribution Category Amount
Community Facilities $2,478.00
Open Space, Recreation and Public Domain Facilities $17,522.00
Total: $20,000.00
This condition and contribution is imposed to ensure that the development makes adequate provision for the demand it generates for public amenities and public services within the area.
b. Indexing
The above contributions will be adjusted at the time of payment to reflect changes in the Consumer Price Index (All Groups Index) for Sydney, in accordance with the provisions of the Hurstville Section 94 Development Contributions Plan 2012.
c. Timing and Method of Payment
The contribution must be paid prior to the release of a Construction Certificate as specified in the development consent
Please contact Council prior to payment to determine whether the contribution amounts have been indexed from that indicated above in this consent and the form of payment that will be accepted by Council.
Form of payment for transactions $500,000 or over - Council will only accept Bank Cheque or Electronic Funds Transfer (EFT) for transaction values of $500,000 or over. Council must be contacted prior to payment to determine correct total amount to be paid and bank account details (if applicable).
Contributions must be receipted by Council before a Construction Certificate is issued.
A copy of the Hurstville Section 94 Development Contributions Plan 2012 may be inspected or a copy purchased at Council’s offices (Civic Centre, MacMahon Street, Hurstville) or viewed on Council’s website www.hurstville.nsw.gov.au/Strategic-Planning.
4. GEN1014 - Long Service Levy - Submit evidence of payment of the Building and Construction Industry Long Service Leave Levy to the Principal Certifying Authority. Note this amount is based on the cost quoted in the Development Application, and same may increase with any variation to estimated cost which arises with the Construction Certificate application. To find out the amount payable go to www.lspc.nsw.gov.au or call 131441. Evidence of the payment of this levy must be submitted with the Construction Certificate application.
5. GEN1015 - Damage Deposit - Minor Works - In order to insure against damage to Council property the following is required:
(a) Payment to Council of a damage deposit for the cost of making good any damage caused to any Council property as a result of the development: $1,500.00.
(b) Payment to Council of a non-refundable inspection fee to enable assessment of any damage and repairs where required: $140.00.
(c) At the completion of work Council will inspect the public works, and the damage deposit will be refunded in full upon completion of work where no damage occurs. Otherwise the amount will be either forfeited or partly refunded according to the amount of damage.
(d) Prior to the commencement of work a photographic record of the condition of the Council nature strip, footpath and driveway crossing, or any area likely to be affected by the proposal, shall be submitted to Council
(e) Payments pursuant to this condition are required to be made to Council before the issue of the Construction Certificate.
(f) Fees and charges above are subject to change and are as set out in the version of Council's Schedule of Fees and Charges or as required by other Government Authorities, applicable at the time of payment.
SEPARATE APPROVALS UNDER OTHER LEGISLATION
These conditions have been imposed to ensure that the applicant is aware of any separate approvals required under other legislation, for example: approvals required under the Local Government Act 1993 or the Roads Act 1993.
6. APR2000 - Development Assessment - Torrens Title Subdivision of a Dual Occupancy Development - A separate development application is required to be lodged with Hurstville City Council for the Torrens Title Subdivision. This development application can only be lodged and determined after an Occupation Certificate has been issued for the Dual Occupancy development.
7. APR6001 - Engineering - Section 138 Roads Act and Section 68 Local Government Act 1993
Unless otherwise specified by a condition of this consent, this Development Consent does not give any approval to undertake works on public infrastructure.
A separate approval is required to be lodged and approved under Section 138 of the Roads Act 1993 and/or Section 68 of the Local Government Act 1993 for any of the following activities carried out in, on or over a public road (including the footpath):
(a) Placing or storing materials or equipment;
(b) Placing or storing waste containers or skip bins;
(c) Erecting a structure or carrying out work
(d) Swinging or hoisting goods over any part of a public road by means of a lift, crane or the like;
(e) Pumping concrete from a public road;
(f) Pumping water from the site into the public road;
(g) Constructing a vehicular crossing or footpath;
(h) Establishing a “works zone”;
(i) Digging up or disturbing the surface of a public road (e.g. Opening the road for the purpose of connections to utility providers);
(j) Stormwater and ancillary works in the road reserve; and
(k) Stormwater and ancillary to public infrastructure on private land
(l) If any excavation is to be supported by the use of below ground (cable) anchors that are constructed under Council’s roadways/footways.
These separate activity approvals must be obtained and evidence of the approval provided to the Certifying Authority prior to the issue of the Construction Certificate.
The relevant Application Forms for these activities can be downloaded from Hurstville City Council’s website at: www.hurstville.nsw.gov.au
For further information, please contact Council’s Customer Service Centre on (02)9330 6222.
8. APR6002 - Engineering - Vehicular Crossing - Minor Development - Constructing a vehicular crossing and/or footpath requires a separate approval under Section 138 of the Roads Act 1993 prior to the issue of the Construction Certificate.
To apply for approval, complete the Driveway Crossing on Council Road Reserve Application Form which can be downloaded from Hurstville Council’s Website: www.hurstville.nsw.gov.au
Lodge the application form, together with the associated fees at Council’s Customer Service Centre, during business hours. Refer to Section P1 and P2, in Council’s adopted Fees and Charges for the administrative and inspection charges associated with Vehicular Crossing applications.
Please note, that an approval for a new or modified vehicular crossing will contain the approved access and/or alignment levels which will be required to construct the crossing and/or footpath. Once approved, all work shall be carried out by a private contractor in accordance with Council’s Specification for Vehicular Crossings and Associated Works prior to the issue of the Occupation Certificate.
9. APR6004 - Engineering - Road Opening Permit - A Road Opening Permit must be obtained from Council, in the case of local or regional roads, or from the Roads and Maritime Services, in the case of State roads, for every opening of a public road reserve to access services including sewer, stormwater drains, water mains, gas mains, and telecommunications before the commencement of work in the road.
REQUIREMENTS OF OTHER GOVERNMENT AGENCIES
These conditions have been imposed by other NSW Government agencies either through their role as referral bodies, concurrence authorities or by issuing General Terms of Approval under the Integrated provisions of the Environmental Planning and Assessment Act 1979.
10. GOV1008 - Sydney Water - Section 73 Certificate - A Section 73 Compliance Certificate under the Sydney Water Act 1994 must be obtained from Sydney Water Corporation. Application must be made through an authorised Water Servicing Coordinator. Please refer to the Plumbing, Building and Developing section of Sydney Water’s website to locate a Water Servicing Coordinator in your area. Visit: www.sydneywater.com.au
A "Notice of Requirements" will advise of water and sewer infrastructure to be built and charges to be paid. Please make early contact with the Coordinator, as it can take some time to build water/sewer pipes and this may impact on other services and building, driveway or landscape design.
The “Notice of Requirements” must be submitted prior to the commencement of work.
11. GOV1009 - Sydney Water - Section 73 Compliance Certificate - A Section 73 Compliance Certificate under the Sydney Water Act must be submitted to the Principal Certifying Authority prior to the issue of the Occupation/Subdivision or Strata Certificate.
PRIOR TO THE ISSUE OF THE CONSTRUCTION CERTIFICATE
These conditions either require modification to the development proposal or further investigation/information prior to the issue of the Construction Certificate to ensure that there is no adverse impact.
12. CC2001 - Development Assessment - Erosion and Sedimentation Control - Erosion and sediment controls must be provided to ensure:
(a) Compliance with the approved Erosion and Sediment Control Plan
(b) Removal or disturbance of vegetation and top soil is confined to within 3m of the approved building area (no trees to be removed without approval)
(c) all clean water run-off is diverted around cleared or exposed areas
(d) silt fences, stabilised entry/exit points or other devices are installed to prevent sediment from entering drainage systems or waterways
(e) all erosion and sediment controls are fully maintained for the duration of demolition, excavation and/or development works
(f) controls are put into place to prevent tracking of sediment by vehicles onto adjoining roadway
(g) all disturbed areas are rendered erosion-resistant by turfing, mulching, paving or similar
(h) Compliance with Managing Urban Stormwater - Soils and Construction (Blue Book) produced by Landcom 2004.
These measures are to be implemented before the commencement of work (including demolition and excavation) and must remain until the issue of the Occupation Certificate.
13. CC2003 - Development Assessment - Construction Site Management Plan - Major Development - A Site Management Plan must be submitted with the application for the Construction Certificate, and must include the following measures:
· location of protective site fencing;
· location of site storage areas/sheds/equipment;
· location of building materials for construction, e.g. stockpiles
· provisions for public safety;
· dust control measures;
· method used to provide site access location and materials used;
· details of methods of disposal of demolition materials;
· method used to provide protective measures for tree preservation;
· provisions for temporary sanitary facilities;
· location and size of waste containers/skip bins;
· details of proposed sediment and erosion control measures;
· method used to provide construction noise and vibration management;
· construction traffic management details.
The site management measures are to be implemented prior to the commencement of any works including demolition and excavation. The site management measures are to be maintained throughout the works, to maintain reasonable levels of public health, safety and amenity. A copy of the Site Management Plan must be retained on site and is to be made available upon request.
14. CC2004 - Development Assessment - Design Changes - The following design changes are required and are to be incorporated into the plans to be lodged with the Construction Certificate application.
(a) The plans are to be bought into compliance with the 0.6:1 Floor Space Ratio control by decreasing the floor area of both the ground and first floors by increasing the ground and first floor rear setback to the ground and first floor walls by 250mm.
(b) The landscape plan is to be amended to detail the inclusion of two (2) Elaeocarpus reticulatus (Blueberry Ash) in the rear yard of the proposal, with one (1) tree being included in the rear yard of each dwelling. The container size of each Blueberry Ash is to be a minimum of 100 litres.
(c) The floor to ceiling height on the ground floor is to be amended to be a minimum of 2700mm. The internal first floor ceiling height is to remain at RL 41.65 for the northern Dwelling 1 and RL 41.8 for the southern Dwelling 2.
15. CC2008 - Development Assessment - Landscape Plan - A detailed landscape plan, drawn to scale, by a qualified landscape architect or landscape designer, must be submitted prior to the issue of the Construction Certificate. The plan must include:
(i) Location of existing and proposed structures on the site including existing trees (if applicable);
(ii) Details of earthworks including mounding and retaining walls and planter boxes (if applicable);
(iii) Location, numbers and type of plant species;
(iv) Details of planting procedure and maintenance;
(v) Details of drainage and watering systems.
16. CC2011 - Development Assessment - BASIX Commitments - All energy efficiency measures as detailed in the BASIX Certificate No. 670168S and 670177S both dated 12 October 2015, approved with the Development Consent DA2015/0362, must be implemented on the plans lodged with the application for the Construction Certificate.
17. CC3001 - Development Engineering - Stormwater System
|
Reference No. |
Date |
Description |
Revision |
Prepared by |
|
15MB6836/D01 Sheet 1 of 1 |
06/10/15 |
Site and Roof Drainage Plan |
A |
United Consulting Engineers Pty Ltd |
The above submitted stormwater plan has been assessed as a concept plan only and no detailed assessment of the design has been undertaken.
All stormwater shall drain by gravity to Council's kerb and gutter directly in front of the development site in accordance with the Australian/New Zealand Standard AS/NZS 3500.3: 2003 (as amended).
18. CC5003 - Trees - Tree Removal and Replacement - Private Land - Permission is granted for the removal of the trees listed for removal on the approved site plan.
The landscape plan is to demonstrate the inclusion of one (1) Blueberry Ash (Elaeocarpus reticulatus) in the rear year of each of the new dwellings. These replacement trees are to be replanted a minimum of 3m away from any driveway, building or structure.
The selected trees shall have a minimum pot size of 100 litres. A copy of Hurstville Council’s Tree Removal and Pruning Guidelines, can be downloaded from Council’s website www.hurstville.nsw/Residents/Tree-Management.
19. CC6004 - Engineering - Traffic Management - Compliance with AS2890 - All driveways, access ramps, vehicular crossings and car parking spaces shall be designed and constructed in accordance with the current version of Australian Standards, AS 2890.1 (for car parking facilities) and AS 2890.2 (for commercial vehicle facilities).
20. CC7004 - Building - Structural details - Structural plans, specifications and design statement prepared and endorsed by a suitably qualified practising structural engineer who holds the applicable Certificate of Accreditation as required under the Building Professionals Act 2005 shall be submitted along with the Construction Certificate application to the Certifying Authority for any of the following, as required by the building design:
(a) piers
(b) footings
(c) slabs
(d) columns
(e) structural steel
(f) reinforced building elements
(g) retaining walls
(h) stabilizing works
(i) structural framework
21. CC8001 - Waste - Waste Management Plan - A Waste Management Plan incorporating all requirements in respect of the provision of waste storage facilities, removal of all materials from the site that are the result of site, clearing, extraction, and, or demolition works and the designated Waste Management Facility shall be submitted to the Principal Certifying Authority and copy provided to the Manager - Environmental Services, Hurstville City Council prior to the issue of any Construction Certificate.
PRIOR TO THE COMMENCEMENT OF WORK (INCLUDING DEMOLITION AND EXCAVATION)
These conditions have been imposed to ensure that all pre-commencement matters are dealt with and finalised prior to the commencement of work.
22. PREC2001 - Building regulation - Site sign - Soil and Erosion Control Measures - Prior to the commencement of works (including demolition and excavation), the durable site sign issued by Hurstville City Council in conjunction with this consent must be erected in a prominent location on site. The site sign warns of the penalties which apply to pollution, storing materials on road or footpath and breaches of the conditions relating to erosion and sediment controls. The sign must remain in a prominent location on site up until the completion of all site and building works.
23. PREC2002 - Development Assessment - Demolition and Asbestos - The demolition work shall comply with the provisions of Australian Standard AS2601:2011 - Demolition of Structures, NSW Work Health and Safety Act 2011 and the NSW Work Health and Safety Regulation 2011. The work plans required by AS2601-2001 shall be accompanied by a written statement by a suitably qualified person that the proposals contained in the work plan comply with the safety requirements of the Standard. The work plans and the safety statement shall be submitted to the Principal Certifying Authority prior to the commencement of works.
For demolition work which involves the removal of asbestos, the asbestos removal work must be carried out by a licensed asbestos removalist who is licensed to carry out the work in accordance with the NSW Work Health and Safety Act 2011 and the NSW Work Health and Safety Regulation 2011 unless specified in the Act and/or Regulation that a license is not required.
The asbestos removal work shall also be undertaken in accordance with the How to Safely Remove Asbestos: Code of Practice published by Work Cover NSW.
Copies of the Act, Regulation and Code of Practice can be downloaded free of charge from the Work Cover NSW website: www.workcover.nsw.gov.au
24. PREC2008 - Development Assessment - Demolition Notification Requirements - The following notification requirements apply to this consent:
a) The developer / builder must notify adjoining residents five (5) working days prior to demolition. Such notification is to be a clearly written note giving the date demolition will commence, contact details of the developer/builder, licensed asbestos demolisher and the appropriate regulatory authority. Notification is to be placed in the letterbox of every premises (including every residential flat or unit, if any) either side and immediately at the rear of the demolition site.
b) Five (5) working days prior to demolition, the developer/builder is to provide written notification to Hurstville City Council advising of the demolition date, details of the WorkCover licensed asbestos demolisher and the list of residents advised of the demolition.
c) On demolition sites where buildings to be demolished contain asbestos, a standard commercially manufactured sign containing the words “DANGER ASBESTOS REMOVAL IN PROGRESS” measuring not less than 400mm x 300mm is to be erected in a prominent visible position (from street frontage) on the site. The sign is to be erected prior to demolition work commencing and is to remain in place until such time as all asbestos material has been removed from the site to an approved waste facility.
25. PREC2009 - Development Assessment - Demolition work involving asbestos removal - Work involving bonded asbestos removal work (of an area of more than 10 square metres) or friable asbestos removal work must be undertaken by a person who carries on a business of such removal work in accordance with a licence under clause 458 of the Work Health and Safety Regulation 2011.
26. PREC6001 - Engineering - Dial before your dig - The applicant shall contact “Dial Before You Dig on 1100” to obtain a Service Diagram prior to the issuing of the Construction Certificate. The sequence number obtained from “Dial Before You Dig” shall be forwarded to Council’s Engineers for their records.
27. PREC7001 - Building - Registered Surveyors Report - During Development Work - A report must be submitted to the Principal Certifying Authority at each of the following applicable stages of construction:
(a) Set out before commencing excavation.
(b) Floor slabs or foundation wall, before formwork or commencing brickwork.
(c) Completion of Foundation Walls - Before any construction of flooring, detailing the location of the structure relative to adjacent boundaries and floor levels relative to the datum shown on the approved plans.
(d) Completion of Floor Slab Formwork - Before pouring of concrete/walls construction, detailing the location of the structure relative to adjacent boundaries and floor levels relative to the datum shown on the approved plans. In multi-storey buildings a further survey must be provided at each subsequent storey.
(e) Completion of any Roof Framing - Before roof covered detailing eaves/gutter setback from boundaries.
(f) Completion of all Work - Detailing the location of the structure (including eaves/gutters) relative to adjacent boundaries and its height relative to the datum shown on the approved plans. A final Check Survey must indicate the reduced level of the main ridge.
Work must not proceed beyond each stage until the Principal Certifying Authority is satisfied that the height and location of the building is proceeding in accordance with the approved plans.
DURING WORK
These conditions have been imposed to ensure that there is minimal impact on the adjoining development and surrounding locality during the construction phase of the development.
28. CON2001 - Development Assessment - Hours of construction, demolition and building related work - Any work activity or activity associated with the development consent that requires the use of any tools (including hand tools) or any power operated plant and machinery that creates noise on or adjacent to the site shall not be performed, or permitted to be performed, except between the hours of 7.00 am to 5.00 pm, Monday to Saturday inclusive. No work or ancillary activity shall be permitted to be performed on any Sunday, Good Friday, Christmas Day or any Public Holiday. A penalty infringement notice may be issued for any offence.
In addition to the foregoing requirements, construction work on all buildings (except that on single dwelling houses and associated structures on the site of a single dwelling house) shall be prohibited on Saturdays and Sundays on weekends adjacent to a public holiday.
29. CON2002 - Development Assessment - Ground levels and retaining walls - The ground levels of the site shall not be excavated, raised or filled, or retaining walls constructed on the allotment boundary, except where indicated on approved plans or approved separately by Council.
30. CON5001 - Trees - Tree Removal on Private Land - The trees identified as ‘to be removed/pruned’ on the approved plans or by conditions of this consent shall be removed in accordance with AS4373 -2007 Pruning of Amenity Trees and the Trees Work Industry Code of Practice (WorkCover NSW, 1998).
31. CON6002 - Engineering - Obstruction of Road or Footpath - The use of the road or footpath for the storage of any building materials, waste materials, temporary toilets, waste or skip bins, or any other matter is not permitted unless separately approved by Council under Section 138 of the Roads Act and/or under Section 68 of the Local Government Act 1993. Penalty Infringement Notices may be issued for any offences and severe penalties apply.
32. CON8001 - Waste - Waste Management Facility - All materials removed from the site as a result of demolition, site clearing, site preparation and, or excavation shall be disposed of at a suitable Waste Management Facility. No vegetation, article, building material, waste or the like shall be ignited or burnt whatsoever or in association with the work on site. Copies of all receipts for the disposal, or processing of all such materials shall be submitted to the Principal Certifying Authority and a copy provided to the Manager Environmental Services, Hurstville City Council.
PRIOR TO THE ISSUE OF THE OCCUPATION CERTIFICATE
These conditions have been imposed to ensure that all works have been completed in accordance with the Development Consent prior to the issue of the Occupation Certificate.
33. OCC3012 - Development Engineering - Letterboxes and Street Numbering - Prior to the issue of the Occupation Certificate a separate letterbox for each dwelling shall be provided with permanent type numbers installed to each letterbox. These numbers are to be as follows:
· No 54 for the proposed southern dwelling.
· No 54B for the proposed northern dwelling.
34. OCC3001 - Development Engineering - Positive Covenant for On-site Detention Facility - A Positive Covenant is to be created over any on-site detention facility.
This covenant is to be worded as follows:
It is the responsibility of the lots burdened to keep the "On-Site Detention" facilities, including any ancillary pumps, pipes, pits etc, clean at all times and maintained in an efficient working condition. The "On-Site Detention" facilities are not to be modified in any way without the prior approval of Council.
Hurstville City Council is to be nominated as the Authority to release, vary or modify this Covenant.
The Positive Covenant shall be registered at the NSW Department of Lands prior to the issue of a Final Occupation Certificate.
35. OCC3002 - Development Engineering - Works as Executed and Certification of Stormwater works - Prior to the issue of an Occupation Certificate, the Principal Certifying Authority must ensure that the stormwater drainage system has been constructed in accordance with the approved design and relevant Australian Standards.
A works-as-executed drainage plan and certification must be forwarded to the Principal Certifying Authority and Hurstville City Council, from a suitably qualified and experienced Hydraulic Consultant/Engineer.
This Plan and Certification shall confirm that the design and construction of the stormwater drainage system satisfies the conditions of development consent and the Construction Certificate stormwater design details approved by the Certifying Authority.
The works-as-executed drainage plan must prepared by a suitably qualified and experienced Hydraulic Engineer in conjunction with a Registered Surveyor and the works-as-executed plan must include the following details (as applicable):
(a) The location of any detention basin/s with finished surface levels;
(b) Finished site contours at 0.2 metre intervals (if applicable)
(c) Volume of storage available in any detention areas;
(d) The location, diameter, gradient and material (i.e. PVC, RC etc) of all stormwater pipes;
(e) The orifice size/s (if applicable);
(f) Details of any infiltration/absorption systems; and (if applicable);
(g) Details of any pumping systems installed (including wet well volumes).(if applicable)
36. OCC3011 - Development Engineering - Requirements prior to the issue of the Occupation Certificate - The following shall be completed and or submitted to the Principal Certifying Authority (PCA) prior to the issue of the Occupation Certificate:
(a) All the stormwater/drainage works shall be completed in accordance with the approved Construction Certificate plans prior to the issue of the Occupation Certificate.
(b) The internal driveway construction works, together with the provision for all services (conduits and pipes laid) shall be completed in accordance with the approved Construction Certificate plans prior to the issue of the Occupation Certificate.
(c) Construct any new vehicle crossings required.
(d) Replace all redundant vehicle crossing laybacks with kerb and guttering, and replace redundant concrete with turf.
(e) A Section 73 (Sydney Water) Compliance Certificate for the Subdivision shall be issued and submitted to the PCA prior to the issue of the Occupation Certificate.
(f) Work as Executed Plans prepared by a Chartered Professional Engineer or a Registered Surveyor when all the site engineering works are complete shall be submitted to the PCA prior to the issue of the Occupation Certificate.
37. OCC2004 - Development Assessment - BASIX Compliance Certificate - A Compliance Certificate must be provided to the Principal Certifying Authority regarding the implementation of all energy efficiency measures as detailed in the BASIX Certificate No. 670168S and 670177S both dated 12 October 2015, and in the plans approved with the Development Consent, before issue of the Occupation Certificate.
38. OCC2005 - Development Assessment - Completion of Landscape Works - All landscape works must be completed before the issue of the Final Occupation Certificate.
39. OCC6001 - Engineering - Vehicular crossing - Minor development - The vehicular crossing and/or footpath works shall be constructed by a private contractor at the expense of the beneficiary of this consent, in accordance with the Vehicular Crossing Approval issued by Council’s Engineering Services Division and in accordance with Council’s Specification for Vehicular Crossings and Associated Works and the issued.
Any existing vehicular crossing and/or laybacks which are redundant must be removed. The kerb and gutter, any other footpath and turf areas shall be restored at the expense of the beneficiary of this consent and in accordance with Council’s Specification for Vehicular Crossings and Associated Works.
Please Note: No stencilled or coloured concrete may be used outside the boundary of the property.
The work must be completed before the issue of an Occupation Certificate.
ONGOING CONDITIONS
These conditions have been imposed to ensure that the use or operation of the development does not adversely impact on the amenity of the neighbourhood or environment.
40. ONG2003 - Development Assessment - Maintenance of Landscaping - All trees and plants forming part of the landscaping must be maintained on an ongoing basis. Maintenance includes watering, weeding, removal of rubbish from tree bases, fertilizing, pest and disease control and any other operations required to maintain healthy trees, plants and turfed areas.
41. ONG3006 - Development Engineering - Ongoing maintenance of the on-site detention system - The Owner(s) must in accordance with this condition and any positive covenant:
(a) Permit stormwater to be temporarily detained by the system;
(b) Keep the system clean and free of silt rubbish and debris;
(c) If the car park is used as a detention basin, a weather resistant sign must be maintained in a prominent position in the car park warning residents that periodic inundation of the car park may occur during heavy rain;
(d) Maintain renew and repair as reasonably required from time to time the whole or part of the system so that it functions in a safe and efficient manner and in doing so complete the same within the time and in the manner reasonably specified in written notice issued by the Council;
(e) Carry out the matters referred to in paragraphs (b) and (c) at the Owners expense;
(f) Not make any alterations to the system or elements thereof without prior consent in writing of the Council and not interfere with the system or by its act or omission cause it to be interfered with so that it does not function or operate properly;
(g) Permit the Council or its authorised agents from time to time upon giving reasonable notice (but at any time and without notice in the case of an emergency) to enter and inspect the land with regard to compliance with the requirements of this covenant;
(h) Comply with the terms of any written notice issued by Council in respect to the requirements of this clause within the time reasonably stated in the notice;
(i) Where the Owner fails to comply with the Owner’s obligations under this covenant, permit the Council or its agents at all times and on reasonable notice at the Owner’s cost to enter the land with equipment, machinery or otherwise to carry out the works required by those obligations;
(j) Indemnify the Council against all claims or actions and costs arising from those claims or actions which Council may suffer or incur in respect of the system and caused by an act or omission by the Owners in respect of the Owner’s obligations under this condition.
42. ONG4018 - Health - Amenity of the neighbourhood - The implementation of this development shall not adversely affect the amenity of the neighbourhood or interfere unreasonably with the comfort or repose of a person who is outside the premises by reason of the emission or discharge of noise, fumes, vapour, odour, steam, soot, dust, waste water, waste products, grit, oil or other harmful products.
No vegetation, article, building material, waste or the like shall be ignited or burnt whatsoever or in association with the work on site.
ADVICE
This advice has been included to provide additional information and where available direct the applicant to additional sources of information based on the development type.
43. ADV2002 - Development Assessment - Site Safety Fencing - Site fencing must be erected in accordance with WorkCover Guidelines, to exclude public access to the site throughout the demolition and/or construction work, except in the case of alterations to an occupied dwelling. The fencing must be erected before the commencement of any work and maintained throughout any demolition and construction work.
For more information visit www.workcover.nsw.gov.au
44. ADV2009 - Development Assessment - Security deposit administration & compliance fee - Under Section 97(5) of the Local Government Act 1993, a security deposit (or part) if repaid to the person who provided it is to be repaid with any interest accrued on the deposit (or part) as a consequence of its investment.
Council must cover administration and other costs incurred in the investment of these monies. The current charge is $50.00 plus 2% of the bond amount per annum.
Interest rate applied to bonds is set at Council's business banking facility rate as at 1 July each year. Council will accept a bank guarantee in lieu of a deposit.
All interest earned on security deposits will be used to offset the Security Deposit Administration and Compliance fee. Where interest earned on a deposit is not sufficient to meet the fee, it will be accepted in full satisfaction of the fee.
Schedule B – Prescribed Conditions
Prescribed conditions are those which are mandated under Division 8A of the Environmental Planning and Assessment Regulation 2000 and given weight by Section 80A (11) of the Environmental Planning and Assessment Act 1979.
Detailed below is a summary of all the prescribed conditions which apply to development in New South Wales. Please refer to the full details of the prescribed conditions as in force, at www.legislation.nsw.gov.au.
It is the responsibility of the beneficiary of this consent to determine which prescribed conditions apply.
45. PRES1001 - Clause 97A – BASIX Commitments - This Clause requires the fulfilment of all BASIX Commitments as detailed in the BASIX Certificate to which the development relates.
46. PRES1002 - Clause 98 – Building Code of Australia & Home Building Act 1989 - Requires all building work to be carried out in accordance with the Building Code of Australia. In the case of residential building work to which the Home Building Act 1989 relates, there is a requirement for a contract of insurance to be in force before any work commences.
47. PRES1003 - Clause 98A – Erection of Signs - Requires the erection of signs on site and outlines the details which are to be included on the sign. The sign must be displayed in a prominent position on site and include the name and contact details of the Principal Certifying Authority and the Principal Contractor.
48. PRES1004 - Clause 98B – Home Building Act 1989 - If the development involves residential building work under the Home Building Act 1989, no work is permitted to commence unless certain details are provided in writing to Council. The name and licence/permit number of the Principal Contractor or Owner Builder and the name of the Insurer by which work is insured under Part 6 of the Home Building Act 1989.
49. PRES1007 - Clause 98E – Protection & support of adjoining premises - If the development involves excavation that extends below the level of the base of the footings of a building on adjoining land, this prescribed condition requires the person who benefits from the development consent to protect and support the adjoining premises and where necessary underpin the adjoining premises to prevent any damage.
Schedule C – Operational & Statutory Conditions
These conditions comprise the operational and statutory conditions which must be satisfied under the Environmental Planning and Assessment Act 1979 and the Environmental Planning & Assessment Regulation 2000. Please refer to the full details of the Act and Regulations as in force, at www.legislation.nsw.gov.au.
It is the responsibility of the beneficiary of this consent to determine which operational and statutory conditions apply.
50. OPER1001 - Requirement for a Construction Certificate - The erection of a building must not commence until a Construction Certificate has been issued by the consent authority, the Council (if the Council is not the consent authority) or an accredited certifier.
An application form for a Construction Certificate is attached for your convenience.
51. OPER1002 - Appointment of a Principal Certifying Authority - The erection of a building must not commence until the beneficiary of the development consent has:
(a) appointed a Principal Certifying Authority (PCA) for the building work; and
(b) if relevant, advised the PCA that the work will be undertaken as an Owner-Builder.
If the work is not going to be undertaken by an Owner-Builder, then the beneficiary of the consent must:
(a) appoint a Principal Contractor to undertake the building work. If residential building work (within the meaning of the Home Building Act 1989) is to be undertaken, the Principal Contractor must be a holder of a contractor licence; and
(b) notify the PCA of the details of any such appointment; and
(c) notify the Principal Contractor of any critical stage inspections or other inspections that are required to be carried out in respect of the building work.
An Information Pack is attached for your convenience should you wish to appoint Hurstville City Council as the Principal Certifying Authority for your development.
52. OPER1003 - Notification of Critical Stage Inspections - No later than two (2) days before the building work commences, the PCA must notify:
(a) the consent authority and the Council (if not the consent authority) of his or her appointment; and
(b) the beneficiary of the development consent of the critical stage inspections and other inspections that are to be carried out with respect to the building work.
53. OPER1004 - Notice of Commencement - The beneficiary of the development consent must give at least two (2) days’ notice to the Council and the PCA of their intention to commence the erection of a building.
A Notice of Commencement Form is attached for your convenience.
54. OPER1007 - Critical Stage Inspections - The last critical stage inspection must be undertaken by the Principal Certifying Authority. The critical stage inspections required to be carried out vary according to Building Class under the Building Code of Australia and are listed in Clause 162A of the Environmental Planning and Assessment Regulation 2000.
55. OPER1008 - Notice to be given prior to critical stage inspections - The principal contractor for a building site, or the owner-builder, must notify the principal certifying authority at least 48 hours before each required inspection needs to be carried out.
Where Hurstville City Council has been appointed PCA, forty eight (48) hours’ notice in writing, or alternatively twenty four (24) hours’ notice by facsimile or telephone, must be given to when specified work requiring inspection has been completed.
56. OPER1009 - Occupation Certificate - A person must not commence occupation or use of the whole or any part of a new building unless an Occupation Certificate has been issued in relation to the building or part.
Only the Principal Certifying Authority appointed for the building work can issue the Occupation Certificate.
An Occupation Certificate Application Form is attached for your convenience.
If you need more information, please contact the Development Assessment Officer, below on 9330-6222 during normal office hours.
For video relating to 54 Boundary Rd Mortdale, click here.
|
Appendix View1 |
Location Plan - 54 Boundary Rd Mortdale |
|
Appendix View2 |
Site Photo - 54 Boundary Rd Mortdale |
|
Appendix View3 |
Site Plan - 54 Boundary Rd Mortdale |
|
Appendix View4 |
Front and Rear Elevation - 54 Boundary Rd Mortdale |
|
Appendix View5 |
Side Elevations - 54 Boundary Rd Mortdale |
|
Appendix View6 |
Company Extract - Applicant and Owner - 54 Boundary Rd Mortdale (Confidential) |
Hurstville City Council – Council Meeting Wednesday, 2 March 2016
CCL061-16 54 Boundary Rd Mortdale - Demolition of Existing and Construction of Attached Dual Occupancy
[Appendix 1] Location Plan - 54 Boundary Rd Mortdale
CCL061-16 54 Boundary Rd Mortdale - Demolition of Existing and Construction of Attached Dual Occupancy
[Appendix 2] Site Photo - 54 Boundary Rd Mortdale
CCL061-16 54 Boundary Rd Mortdale - Demolition of Existing and Construction of Attached Dual Occupancy
[Appendix 3] Site Plan - 54 Boundary Rd Mortdale
CCL061-16 54 Boundary Rd Mortdale - Demolition of Existing and Construction of Attached Dual Occupancy
[Appendix 4] Front and Rear Elevation - 54 Boundary Rd Mortdale
CCL061-16 54 Boundary Rd Mortdale - Demolition of Existing and Construction of Attached Dual Occupancy
[Appendix 5] Side Elevations - 54 Boundary Rd Mortdale
CCL062-16 97 Morts Rd Mortdale - Demolition of Existing and Construction of 2 Two-Storey Semi-detached Dwellings - Small Lot Housing
|
Applicant |
Svetlana Kosktoska |
|
Proposal |
Demolition of the existing structures and construction of two x two storey semi detached dwellings (small lot housing) |
|
Owners |
Michael Petrovski and Sue Petrovski |
|
Report Author/s |
Senior Development Assessment Officer, Ms T Gizzi |
|
File |
DA2015/0171 |
|
Previous Reports Referenced |
No |
|
Disclosure of Political Donations or Gifts |
No |
|
Zoning |
Zone R2 - Low Density Residential |
|
Existing Development |
Single Dwelling House |
|
Cost of Development |
$600,000.00 |
|
Reason for Referral to Council |
Site slopes to the rear, two (2) submissions received and variation to DCP1 |
|
Planning Instruments Applicable |
Hurstville Local Environmental Plan 2012, State Environmental Planning Policy No 55 – Remediation of Land, State Environmental Planning Policy (Building Sustainability Index: BASIX) 2004, Greater Metropolitan Regional Environmental Plan No 2 – Georges River Catchment, Development Control Plan No 1 - LGA Wide |
|
Hurstville Local Environment Plan Interpretation of Use |
Semi-detached dwellings |
EXECUTIVE SUMMARY
1. Development consent is sought for demolition of the existing structures and construction of two (2) x two (2) storey semi-detached dwellings (small lot housing).
2. The application has been assessed against the relevant planning instruments and Development Control Plan. Minor variations to Development Control Plan No 1 – LGA Wide are sought, however they are found to be acceptable for the reasons provided in the report.
3. The application was notified in accordance with Development Control Plan No 1 - LGA Wide. Two (2) submissions were received.
|
THAT the application be approved in accordance with the conditions included in the report. |
REPORT DETAIL
DESCRIPTION OF THE PROPOSAL
Development consent is sought for the construction of two (2) x two (2) storey semi-detached dwellings as small lot housing.
Each dwelling is proposed to comprise three (3) bedrooms and a bathroom at first floor level and an open plan living/dining and kitchen area at ground floor level. Each dwelling is also provided with an attic for additional storage.
A single garage and a driveway space are provided for each dwelling.
HISTORY
21 May 15 Application lodged with Council
29 May 15 Application notified
4 Dec 15 Additional information requested
23 Dec 15 Additional information provided
DESCRIPTION OF THE SITE AND LOCALITY
The subject site comprises of two (2) allotments which are legally described as Lots 3 and 4, Section 5 in DP3181 and is known as 97 Morts Road Mortdale. Each allotment has a frontage of 6.095m to Broughton Street and a depth of 33.53m. The total site area of the property is 408.7sqm.
The site falls approximately 2.2m from the street to the rear boundary.
The site is currently occupied by a single storey dwelling house, carport and garage. A street tree is located at the front of the site, however no other significant vegetation is located on the property.
Adjoining the site to the north and south are single storey dwelling houses and to the rear of the site is a two (2) storey dwelling house. Opposite the site on the eastern side of Morts Road are a number of multi-dwelling developments.
The surrounding area is characterised by a mix of single storey and two (2) storey dwellings, similar small lot housing developments to that proposed and multi-dwelling developments that vary in architectural style and design.
COMPLIANCE AND ASSESSMENT
The development has been inspected and assessed under the relevant Section 79C(1) "Matters for Consideration" of the Environmental Planning and Assessment Act 1979.
1. Environmental Planning Instruments
HURSTVILLE LOCAL ENVIRONMENTAL PLAN 2012
The subject site is zoned R2 – Low Density Residential and the proposed development being the construction of two (2) x two (2) bedroom houses as small lot housing is permissible in the zone with the consent of Council. The proposed development complies with the zone objectives. The relevant clauses of the Hurstville Local Environmental Plan 2012 which apply to the proposed development are detailed below.
|
Clause |
Standard |
Assessment Under HLEP 2012 |
|
Part 2 – Permitted or Prohibited Development |
R2 Low Density Zone
Objectives of the Zone |
The proposal is permissible within the zone R2 – Low Density Residential and achieves the zone objectives |
|
4.1 – Minimum Subdivision Lot Size |
LEP lot size map (Min. 450sqm each lot) |
The subject site comprises two (2) existing allotments which are not proposed to be altered by this development. |
|
4.3 – Height of Buildings |
9m as identified on Height of Buildings Map |
8.95m (complies) |
|
4.4 – Floor Space Ratio |
Site = 408.7sqm
0.6:1 as identified on Floor Space Ratio Map |
FSR = 0.59:1
Complies |
|
4.5 – Calculation of floor space ratio and site area |
FSR and site area calculated in accordance with Cl.4.5 |
In accordance with Cl. 4.5 |
|
6.7 – Essential Services |
The following services that are essential for the development shall be available or that adequate arrangements must be made available when required: · Supply of water, electricity and disposal and management of sewerage · Stormwater drainage or on-site conservation
· Suitable vehicular access |
· Adequate facilities for the supply of water and for the removal of sewage and drainage are available to this land · Stormwater, including overflow from the proposed rainwater tank is to discharge to the street gutter (in front of the subject site) in Morts Road via drainage conditions attached to the recommendation of this report · New driveway crossing from Morts Road (standard conditions for the submission of a separate vehicular crossing application and driveway design) |
STATE ENVIRONMENTAL PLANNING POLICY NO 55 – REMEDIATION OF LAND
Clause 7(1)(a) of SEPP 55 requires the Consent Authority to consider whether land is contaminated. Council records indicate that the subject site has been used for residential purposes for a significant period of time with no prior land uses. In this regard it is considered that the site poses no risk of contamination and therefore, no further consideration is required under Clause 7(1)(b) and (c) of SEPP 55 and the land is considered to be suitable for the residential land use.
STATE ENVIRONMENTAL PLANNING POLICY (BUILDING SUSTAINABILITY INDEX: BASIX) 2004
A BASIX certificate for each dwelling has been submitted with the application. A condition has been included in the recommendation of this report requiring compliance with the commitments indicated in the BASIX Certificate.
GREATER METROPOLITAN REGIONAL ENVIRONMENTAL PLAN NO 2 – GEORGES RIVER CATCHMENT
The site is within the area affected by the Greater Metropolitan Regional Environmental Plan No 2 – Georges River Catchment. The proposal, including the disposal of stormwater, is consistent with Council’s requirements for the disposal of stormwater in the catchment.
2. Draft Environmental Planning Instruments
No Draft Environmental Planning instruments affect the proposed development.
3. Development Control Plans
The proposal has been assessed under the relevant sections of Development Control Plan No 1 as follows.
DEVELOPMENT CONTROL PLAN NO 1 – LGA WIDE – SECTION 3.1 CAR PARKING
|
Section 3.1 |
Standard |
Proposed |
Complies |
|
Car spaces per dwelling |
2 spaces per dwelling (1 single garage and 1 driveway space) |
A single garage and driveway space has been provided per dwelling. The design of the parking areas is consistent with the requirements of Section 3.1. |
Yes |
|
3.1.4.2(a) – Layout |
AS2890.1 – Min. dimensions (single garage) = 2.7m x 5.4m |
3m x 5.8m |
Yes |
As can be seen from the table above, the proposal complies with Section 3.1.
DEVELOPMENT CONTROL PLAN NO 1 – LGA WIDE - SECTION 3.4 CRIME PREVENTION THROUGH ENVIRONMENTAL DESIGN
The extent to which the proposal complies with the requirements of this section of Development Control Plan No 1 is outlined in the table below.
|
Section 3.4 |
Standard |
Proposed |
Complies |
|
Fencing |
Allows natural surveillance to street |
Low height allows surveillance |
Yes |
|
Blind Corners |
To be avoided |
No blind corners evident |
Yes |
|
Communal Areas |
Provide opportunities for natural surveillance |
The first floor level bedrooms and associated balconies provide surveillance of the public domain |
Yes |
|
Entrances |
Clearly visible and not confusing |
Entrance to each dwelling is clearly defined |
Yes |
|
Site and building Layout |
· Provide surveillance opportunities · Building addresses street · Habitable rooms are directed towards the front of the building
· Garages are not dominant · Offset windows |
· Natural surveillance of the street is available from first floor windows and balconies · Habitable rooms are directed towards the front of the dwellings where possible · Garages do not dominate the front of the dwellings · Windows are offset |
Yes |
|
Landscaping |
· Avoid dense medium height shrubs · Allow spacing for low growing dense vegetation · Low ground cover or high canopy trees around car-parks and pathways · Vegetation used as a barrier for unauthorised access |
The proposed landscaping is appropriate
|
Yes |
|
Lighting |
· Diffused / movement sensitive lighting provided externally · Access/egress points illuminated · No light-spill towards neighbours · Hiding places illuminated · Lighting is energy efficient |
Standard lighting is appropriate in this instance |
Yes |
|
Building Identification |
· Clearly numbered buildings · Entrances numbered · Unit numbers provided at entry |
House number requirements can be a condition of consent |
Yes |
|
Security |
Provide an appropriate level of security for each dwelling and communal areas |
An appropriate level of security is provided for the dwellings |
Yes |
|
Ownership |
Use of fencing, landscaping, colour and finishes to imply ownership |
Landscaping, driveways and pedestrian entrances imply ownership |
Yes |
DEVELOPMENT CONTROL PLAN NO 1 – LGA WIDE - SECTION 3.5 ENERGY EFFICIENCY
A BASIX certificate has been submitted for each of the proposed dwellings and therefore the development complies with the objectives of Section 3.5 of Development Control Plan No 1.
The proposed development also complies with the solar access requirements of Development Control Plan No 1.
DEVELOPMENT CONTROL PLAN NO 1 – LGA WIDE - SECTION 3.7 DRAINAGE AND ON SITE DETENTION (OSD) REQUIREMENTS
The proposed roof waters can drain to the street and driveway/surface waters will drain to absorption trenches on site. Appropriate conditions of consent have been included in the recommendation.
DEVELOPMENT CONTROL PLAN NO 1 – LGA WIDE - SECTION 3.9 WASTE MANAGEMENT
A waste management plan has been submitted with the application. Waste facilities can be provided to each dwelling on site in accordance with the requirements of Development Control Plan No 1.
DEVELOPMENT CONTROL PLAN NO 1 – LGA WIDE - SECTION 3.11 PRESERVATION OF TREES AND VEGETATION
No significant vegetation is located on the site, however the application seeks to remove one (1) street tree from the front of the property.
Council’s Tree Management Officer has advised that the street tree is to be retained and protected as it is a healthy tree and is part of an avenue of planting with a high amenity value.
Following an assessment of the application and visit to the site, it is evident that as the tree is not located centrally between the two (2) lots, this tree cannot be retained without restricting any future development of Lot 4 (the north western small lot). Due to the location of the tree and the 6.095m lot width, any driveway for vehicular access to this lot would pass within 1m of the trunk affecting both the root system and the canopy. As the lots are existing and therefore each one benefits from a dwelling entitlement, it is unreasonable in this instance to retain the street tree.
To minimise the impact of the tree removal, a condition is recommended for a replacement tree in front of the site.
DEVELOPMENT CONTROL PLAN NO 1 – LGA WIDE - SECTION 4.4 SMALL LOT HOUSING
Due to the frontage of 6.095m for each allotment, and the site’s location within the “Kemp’s Estate”, the proposal has been assessed against the small lot housing requirements of Development Control Plan No 1. The extent to which the proposal complies with the small lot housing requirements is outlined in the table below.
|
Section 4.4 Option No. 6 |
Standard |
Proposal |
Complies |
|
Frontage |
2 x 6m frontage |
6.095m frontage per lot |
Yes |
|
Front setback |
5.5m
300mm eaves to overhang the ground floor at the front (if a balcony or roof is provided within the front setback space)
Entries to the dwellings shall have the same alignment as garage openings |
5.5m
300mm eave and 600mm balcony overhang
The portico of the front entry sits forward of the garage openings to provide articulation |
Yes
Yes
Yes |
|
Rear setback |
7m for ground level 9m for second storey |
Ground - Min.9.35m First - Min.12.7m |
Yes
|
|
Side setback |
900mm |
1m |
Yes |
|
No access to dwelling from side passage |
Primary access to the dwelling is from the street |
Yes |
|
|
Second storey rear setback from ground floor alignment |
First floor must be 2m shorter than ground floor footprint |
3.49m |
Yes |
|
Floor space ratio |
0.6:1 maximum as per HLEP2012 |
0.59:1 |
Yes |
|
Maximum excavation |
500mm |
Max 200mm |
Yes |
|
Maximum external wall height |
6m |
Max. 6.125m to eave along front of the north west elevation. Max. 6m to eave rear of north west elevation.
Max. 6m to eave along front of the south east elevation. Max. 5.77m to eave and at rear of south east elevation. |
No (1) |
|
Maximum ridge height |
9m |
8.95m |
Yes |
|
Recommended roof pitch |
35 degrees for new development |
27 degrees |
Yes |
|
Parking |
1 covered space plus 1 driveway space |
1 single garage and 1 driveway space |
Yes |
|
Maximum two storey height from ground floor to uppermost ceiling |
2 storey |
2 storey |
Yes |
|
Landscape areas |
20% of site area |
20.6% |
Yes |
|
Principal private open space |
Minimum 4m x 5m |
4m x 5m minimum |
Yes |
|
Garage recess |
Minimum 300mm |
900mm recess behind front first floor balconies |
Yes |
|
Driveways |
Minimum 3m per dwelling house |
3.17m per dwelling |
Yes |
|
Privacy |
First floor rear balcony must incorporate fin walls or privacy screens
Windows shall be: Off set, separated by sufficient distance, screened or contain frosted glass or other suitable material to prevent direct overlooking |
Privacy screens included on outside edge of balconies and privacy walls are also provided on the internal boundary edge of the balconies.
No privacy impacts from the first floor windows are evident on either of the side elevations due to their location and height above the neighbouring properties.
The north west elevation does not result in any overlooking impacts as there is only 1 window in the side elevation of the dwelling opposite that may be affected. Although a stairwell window is indicated on the ground level floor plan, the elevations show this window to be first floor level only which will look over the roof of the adjoining dwelling.
At ground floor level of Lot 3, the 2 entry windows and 1 stairwell window will be located opposite those within the dwelling to the south east, however to mitigate the privacy impact opaque glazing is proposed to be used in most cases. The ground floor dining room window in the south eastern elevation is located directly opposite a living room window of 95 Morts Road and due to the elevation above ground level, would result in overlooking. As a large window/glass door also serves the kitchen space, it is considered reasonable that the offending window to the dining room be either deleted, fitted with obscure glazing or replaced with a high sill level window only. A condition has been recommended to make this change.
Due to the elevation of the ground floor rear patio, it is recommended that a condition be imposed requiring a 1.8m high privacy screen along the north western and south eastern edges. |
Yes
Yes, subject to condition |
|
Overshadowing |
Minimum 3 hours of sunlight between 9am-3pm to private open space of development and adjoining development |
The proposed development receives sufficient sunlight to its private open space.
Sunlight access to the private open space of the adjoining properties does not comply. |
No (2) |
|
Garbage area |
Minimum 3m x 1m per dwelling house |
Complies |
Yes |
|
Storage |
Minimum 6m³ per dwelling house |
Under stair and attic storage provided |
Yes |
|
Outdoor clothes drying |
Minimum one (1) per dwelling house |
Provided in the rear yard |
Yes |
|
Front fences |
-1m high maximum -must relate to the design and style of the dwelling -allows surveillance of the street and highlights building entrances |
0.9m partial front fence proposed.
Design is satisfactory and allows for surveillance of the street. |
Yes |
|
Stormwater Assessment |
|
|
Existing Stormwater System |
On-site disposal |
|
Proposed stormwater system |
Absorption trench |
|
Stormwater objectives |
Consistent |
|
Slope to rear (measured from centreline of site) |
Yes |
|
Gravity to street (from property boundary to street kerb) |
No |
|
Discharge to same catchment? |
Yes |
|
Easement required? |
No |
(1) Maximum External Wall Height
Development Control Plan No 1 limits the maximum external wall to a height of 6m. The north west elevation exceeds the minimum requirement by 125mm about half way along the elevation at the very front of the building for a distance of 1.2m.
The variation occurs due to the site topography. As the variation is located on the northern side of the building, the variation results in no additional overshadowing impacts on adjoining properties, and due to the minor nature of the exceedance it would not result in any loss of outlook from adjoining properties. The building will not appear visually dominant within the streetscape and results in a negligible visual impact.
The variation is minor and is supported.
(2) Overshadowing
Development Control Plan No 1 requires that new dwellings must not unreasonably obscure sunlight to the rear yards of adjoining properties. Adjoining dwellings are to receive at least 3 hours sunlight to their rear yards between 9am and 3pm mid-winter.
The proposed development would not result in any overshadowing of the property to the north at 99 Morts Road.
The side elevation of the property to the west at 2 Crump Street will experience some overshadowing at 9am however this will clear by 11am. 2 Crump Street will therefore receive more than 3 hours of sunlight to both their primary living spaces and private yard mid-winter in accordance with the Development Control Plan.
The property to the south of the site at 95 Morts Road is significantly overshadowed by the proposed development. It is noted that the rear garden of this property is occupied by a number of structures including a rendered shed, fibro garage and double carport and consequently for the purposes of this assessment only the open grassed area has been considered as private open space.
As a result of the proposed development, the private open space at the rear of 95 Morts Road will receive sunlight at 9am mid-winter but this will be significantly reduced by midday when just under half of the useable private open space will remain free of shadows. By 3pm most of the useable private open space is overshadowed with only a small section in front of the fibro garage receiving sunlight, however it is noted that the 3pm shadow is caused by the existing dwelling on the affected site. It is also evident that the living room windows within the northernmost wall of the property will be overshadowed for most of the day. As such, the development does not comply with the 3 hour mid-winter requirement of the Development Control Plan.
The overshadowing of 95 Morts Road is a result of the site orientation and it being located to the south east of the subject property. The proposed development has been designed to meet the external wall height controls along the south eastern elevation, complies with the maximum height limit and also complies with the setback controls within the Development Control Plan. Further, at the Assessment Officer’s request, the applicant has investigated the impact of a flat roof development with a small parapet and provided a shadow diagram which demonstrates that the overshadowing would be marginally worse than the pitched roof of the proposed built form. In addition to the above, the shadow diagrams for the proposal indicate that the dwelling at 95 Morts Road will continue to receive 3 hours of direct sunlight between 9am and 12midday to the southern section of their private open space which measures approximately 6m x 5m and is directly accessible from the rear of the dwelling.
On balance, considering that the site is constrained by its orientation and given that the property at 95 Morts Road will still receive 3 hours sunlight to part of their private open space that is of a functional size and directly accessible from the dwelling, it is considered that reasonable solar access in this specific circumstance is provided and the variation is supported.
4. Impacts
Natural Environment
A significant street tree is located at the front of the site which Council’s Tree Management Officer has requested be retained. However, as discussed under Section 3.11 earlier in this report, retention of the tree would preclude any redevelopment of Lot 4 as vehicular access cannot be obtained. Given the two (2) lots are existing, it is considered unreasonable to require the retention of the tree. To minimise the impact of its removal a condition requiring replacement tree planting is recommended.
The submitted landscape plan also includes the planting of trees and shrubs which will improve the appearance of the site and make a positive contribution to the natural environment.
Overall, subject to conditions, the proposal would not have a significant impact on the natural environment.
Built Environment
The development is consistent with the bulk and scale of surrounding development and the desired future character of the area envisaged by the Development Control Plan. The design of the proposal will also complement the character and appearance of the streetscape.
Although an overshadowing impact does occur, following detailed consideration of the proposal it is found to be acceptable. No other significant amenity impacts arise from the proposed development.
The development would not result in any significant impacts on the built environment.
Social Impact
The proposal is for residential purpose and will not have any adverse social impact.
Economic Impact
The proposal is for residential purposes and no adverse economic impact is envisaged.
Suitability of the Site
The subject site has no impediments that preclude it from being developed for the proposed development.
5. REFERRALS, SUBMISSIONS AND THE PUBLIC INTEREST
Resident
Fourteen (14) adjoining residents/owners were notified in accordance with Development Control Plan No 1 and two (2) submissions objecting to the development were received in reply. The submissions raised the following issues.
Excessive Height
· Development exceeds building height and external wall height controls
· Height of the building is inconsistent with the streetscape
Comment: The proposed development has been amended to comply with the maximum building height control and to comply with the external wall height control along the south east elevation. A minor variation to the external wall height control is proposed along the north west elevation, however as discussed earlier in this report, the variation results in no impacts on adjoining properties and would not appear visually dominant in the streetscape.
Overshadowing and Loss of Sunlight
· Significant overshadowing and loss of sunlight to the neighbouring property at 95 Morts Road.
Comment: Overshadowing impacts are discussed earlier in this report under Development Control Plan No 1. Following a detailed assessment of the impact the overshadowing was found to be acceptable.
Overlooking and Loss of Privacy
· The development will result in unreasonable overlooking and loss of privacy due to the location of windows.
· Privacy screens are requested to the ground floor patio due to their elevated height.
Comment: Privacy is discussed in detail earlier in this report. Conditions are recommended to modify windows within the side elevations and also to erect privacy screens to the sides of the ground floor patios. Subject to these conditions, the privacy impacts of the development are considered acceptable.
Noise Impact from Air Conditioning Unit
· The location of the air conditioning units on the side elevation will result in unreasonable noise impacts.
Comment: Noise emitted from any air conditioning unit is governed by the Protection of the Environment Operations Act 1997. Subject to compliance with the noise requirements of this Act, it is not considered that the air conditioning units would result in any unreasonable noise impacts.
Overland Flow/Stormwater
· Potential overflow from the rainwater tank
· Stormwater nuisance and flooding during construction and after completion of the project.
Comment: The application proposes to drain to absorption trenches in the rear yard with roof waters to the street. Councils Team Leader Subdivision and Development has assessed the stormwater aspects of the development and has raised no objection to the stormwater layout proposed subject to conditions of consent.
Traffic and Parking
· The development provides insufficient parking.
· The development will result in a loss of on street parking.
· The relocation of the bus stop will result in a further loss of on street parking and affect future redevelopment of the neighbouring property.
Comment: The proposed development provides parking in accordance with the Development Control Plan and is not considered to result in any significant traffic or parking impacts.
The relocation of the bus stop is subject to the approval and requirements of Transport NSW.
Street Tree
· Removal of street tree
Comment: The removal of the street tree is discussed in detail under Section 3.11 of Development Control Plan No 1 earlier in this report. The removal tree is found to be acceptable subject to replacement planting.
Demolition
· Airborne asbestos during demolition
Comment: Demolition is required to be undertaken in accordance with the relevant Australian Standards and WorkCover requirements. These requirements govern the removal of asbestos.
Streetscape
· The bulk and scale of the development is inconsistent with the streetscape and the village atmosphere of the area.
Comment: The bulk and scale of the development is consistent with the small lot housing requirements of the Development Control Plan and the desired future character and appearance of the locality. There are a number of other comparable small lot housing developments in the area and approval has also been given for a similar proposal at 103-105 Morts Road very near to the subject site.
Council Referrals
Team Leader Subdivision and Development
Council’s Team Leader Subdivision and Development has raised no objections to the proposal subject to conditions of consent.
Tree Management Officer
Council’s Tree Management Officer has provided the following comments:
Removal of the Lophostemon confertus street tree is not supported. It is recommended that this tree is retained as it is a healthy tree and is part of an avenue planting with a high amenity value.
As discussed under Section 3.11, the lots are existing and to retain the tree would prevent vehicular access to Lot 4. As each of the lots have an individual dwelling entitlement, it would be unreasonable to require retention of the tree in this instance. Consequently the tree is recommended for removal with a condition requiring the planting of a replacement tree between the two (2) driveways to minimise the impact.
6. CONCLUSION
Development consent is sought for the construction of two (2) x two (2) storey semi-detached dwellings as small lot housing.
The application has been assessed against the requirements of the relevant planning instruments and Development Control Plans and a variation is sought to the maximum external wall height control and solar access control. The variation to the external wall height occurs due to the topography of the site but results in no adverse impacts on surrounding properties as only the north western elevation is non-compliant. The impact on the solar access of the neighbouring property is a result of the site orientation and the overshadowing is found to be reasonable given this constraint. The bulk and scale of the development is consistent with the character of the area and the variations are supported on merit.
The application was notified in accordance with the requirements of the Development Control Plan and two (2) submissions were received. The issues identified in the submissions are discussed above and are not considered to warrant refusal of the application.
Accordingly, the application is recommended for approval subject to conditions of consent.
DETERMINATION
THAT pursuant to Section 80(1)(a) of the Environmental Planning and Assessment Act, 1979, as amended, the Council, grants development consent to Development Application DA2015/0171 for demolition of the existing structures and construction of two x two storey semi-detached dwellings (small lot housing) on Lots 3 and 4 in DP 3281 and known as 97 Morts Road, Mortdale, subject to the attached conditions:
Schedule A – Site Specific Conditions
GENERAL CONDITIONS
These conditions have been imposed to ensure that the development is carried out in accordance with the approved plans and to ensure that the appropriate fees and bonds are paid in relation to the development.
1. GEN1001 - Approved Plans - The development must be implemented in accordance with the approved plans and supporting documentation listed below which have been endorsed by Council’s approved stamp, except where marked up on the plans and/or amended by conditions of this consent:
|
Reference No. |
Date |
Description |
Revision |
Prepared by |
|
DA01 |
23.12.15 |
Site Analysis, Roof and Landscape Plan |
B |
Svetlana Kostoska |
|
DA02 |
23.12.15 |
Ground Floor Plan |
B |
Svetlana Kostoska |
|
DA03 |
23.12.15 |
First Floor Plan |
B |
Svetlana Kostoska |
|
DA04 |
23.12.15 |
Attic and Roof Plan |
B |
Svetlana Kostoska |
|
DA05 |
23.12.15 |
Elevations |
B |
Svetlana Kostoska |
|
DA06 |
23.12.15 |
Elevations |
B |
Svetlana Kostoska |
|
DA07 |
23.12.15 |
Sections |
B |
Svetlana Kostoska |
|
DA11 |
19.05.15 |
Erosion and Sediment Control Plan and Waste Plan |
A |
Svetlana Kostoska |
|
- |
May 2015 |
Colour and Finishes Schedule |
- |
Svetlana Kostoska |
|
- |
- |
Waste Management Plan |
- |
Svetlana Kostoska |
2. GEN1002 - Fees to be paid to Council - The fees listed in the table below must be paid in accordance with the conditions of this consent and Council’s adopted Fees and Charges applicable at the time of payment.
Payments must be made prior to the issue of the Construction Certificate or prior to the commencement of work (if there is no associated Construction Certificate).
Please contact Council prior to the payment of Section 94 Contributions to determine whether the amounts have been indexed from that indicated below in this consent and the form of payment that will be accepted by Council.
Form of payment for transactions $500,000 or over - Council will only accept Bank Cheque or Electronic Funds Transfer (EFT) for transaction values of $500,000 or over. Council must be contacted prior to payment to determine correct total amount to be paid and bank account details (if applicable)
(a) Fees to be paid:
Fee types, bonds and contributions
|
Fee Type |
|
Long Service Levy (to Long Service Corporation) |
|
Builders Damage Deposit |
|
Inspection Fee for Refund of Damage Deposit |
The following fees apply where you appoint Council as your Principal Certifying Authority (PCA). (If you appoint a private PCA, separate fees will apply)
|
PCA Services Fee |
$1,680.00 |
|
Construction Certificate Application Fee |
$1,680.00 |
|
Construction Certificate Imaging Fee |
$138.00 |
Fees and charges above are subject to change and are as set out in the version of Council's Schedule of Fees and Charges or as required by other Government Authorities, applicable at the time of payment.
3. GEN1014 - Long Service Levy - Submit evidence of payment of the Building and Construction Industry Long Service Leave Levy to the Principal Certifying Authority. Note this amount is based on the cost quoted in the Development Application, and same may increase with any variation to estimated cost which arises with the Construction Certificate application. To find out the amount payable go to www.lspc.nsw.gov.au or call 131441. Evidence of the payment of this levy must be submitted with the Construction Certificate application.
4. GEN1015 - Damage Deposit - Minor Works - In order to insure against damage to Council property the following is required:
(a) Payment to Council of a damage deposit for the cost of making good any damage caused to any Council property as a result of the development: $1,500.00.
(b) Payment to Council of a non-refundable inspection fee to enable assessment of any damage and repairs where required: $140.00.
(c) At the completion of work Council will inspect the public works, and the damage deposit will be refunded in full upon completion of work where no damage occurs. Otherwise the amount will be either forfeited or partly refunded according to the amount of damage.
(d) Prior to the commencement of work a photographic record of the condition of the Council nature strip, footpath and driveway crossing, or any area likely to be affected by the proposal, shall be submitted to Council
(e) Payments pursuant to this condition are required to be made to Council before the issue of the Construction Certificate.
(f) Fees and charges above are subject to change and are as set out in the version of Council's Schedule of Fees and Charges or as required by other Government Authorities, applicable at the time of payment.
SEPARATE APPROVALS UNDER OTHER LEGISLATION
These conditions have been imposed to ensure that the applicant is aware of any separate approvals required under other legislation, for example: approvals required under the Local Government Act 1993 or the Roads Act 1993.
5. APR6001 - Engineering - Section 138 Roads Act and Section 68 Local Government Act 1993
Unless otherwise specified by a condition of this consent, this Development Consent does not give any approval to undertake works on public infrastructure.
A separate approval is required to be lodged and approved under Section 138 of the Roads Act 1993 and/or Section 68 of the Local Government Act 1993 for any of the following activities carried out in, on or over a public road (including the footpath):
(a) Placing or storing materials or equipment;
(b) Placing or storing waste containers or skip bins;
(c) Erecting a structure or carrying out work
(d) Swinging or hoisting goods over any part of a public road by means of a lift, crane or the like;
(e) Pumping concrete from a public road;
(f) Pumping water from the site into the public road;
(g) Constructing a vehicular crossing or footpath;
(h) Establishing a “works zone”;
(i) Digging up or disturbing the surface of a public road (e.g. Opening the road for the purpose of connections to utility providers);
(j) Stormwater and ancillary works in the road reserve; and
(k) Stormwater and ancillary to public infrastructure on private land
(l) If any excavation is to be supported by the use of below ground (cable) anchors that are constructed under Council’s roadways/footways.
These separate activity approvals must be obtained and evidence of the approval provided to the Certifying Authority prior to the issue of the Construction Certificate.
The relevant Application Forms for these activities can be downloaded from Hurstville City Council’s website at: www.hurstville.nsw.gov.au
For further information, please contact Council’s Customer Service Centre on (02)9330 6222.
6. APR6002 - Engineering - Vehicular Crossing - Minor Development - Constructing a vehicular crossing and/or footpath requires a separate approval under Section 138 of the Roads Act 1993 prior to the issue of the Construction Certificate.
To apply for approval, complete the Driveway Crossing on Council Road Reserve Application Form which can be downloaded from Hurstville Council’s Website: www.hurstville.nsw.gov.au
Lodge the application form, together with the associated fees at Council’s Customer Service Centre, during business hours. Refer to Section P1 and P2, in Council’s adopted Fees and Charges for the administrative and inspection charges associated with Vehicular Crossing applications.
Please note, that an approval for a new or modified vehicular crossing will contain the approved access and/or alignment levels which will be required to construct the crossing and/or footpath. Once approved, all work shall be carried out by a private contractor in accordance with Council’s Specification for Vehicular Crossings and Associated Works prior to the issue of the Occupation Certificate.
7. APR6004 - Engineering - Road Opening Permit - A Road Opening Permit must be obtained from Council, in the case of local or regional roads, or from the Roads and Maritime Services, in the case of State roads, for every opening of a public road reserve to access services including sewer, stormwater drains, water mains, gas mains, and telecommunications before the commencement of work in the road.
REQUIREMENTS OF OTHER GOVERNMENT AGENCIES
These conditions have been imposed by other NSW Government agencies either through their role as referral bodies, concurrence authorities or by issuing General Terms of Approval under the Integrated provisions of the Environmental Planning and Assessment Act 1979.
8. GOV1008 - Sydney Water - Section 73 Certificate - A Section 73 Compliance Certificate under the Sydney Water Act 1994 must be obtained from Sydney Water Corporation. Application must be made through an authorised Water Servicing Coordinator. Please refer to the Plumbing, Building and Developing section of Sydney Water’s website to locate a Water Servicing Coordinator in your area. Visit: www.sydneywater.com.au
A "Notice of Requirements" will advise of water and sewer infrastructure to be built and charges to be paid. Please make early contact with the Coordinator, as it can take some time to build water/sewer pipes and this may impact on other services and building, driveway or landscape design.
The “Notice of Requirements” must be submitted prior to the commencement of work.
9. GOV1009 - Sydney Water - Section 73 Compliance Certificate - A Section 73 Compliance Certificate under the Sydney Water Act must be submitted to the Principal Certifying Authority prior to the issue of the Occupation/Subdivision or Strata Certificate.
PRIOR TO THE ISSUE OF THE CONSTRUCTION CERTIFICATE
These conditions either require modification to the development proposal or further investigation/information prior to the issue of the Construction Certificate to ensure that there is no adverse impact.
10. CC2006 - Development Assessment - Window Privacy - The sill height of the windows to the dining room within the south eastern elevation of Lot 3 identified as '5/GND' are to be either deleted, increased to have a minimum height of 1.5m above floor level, or alternatively, the window/s are to be fixed and provided with translucent, obscured, frosted or sandblasted glazing below 1.5m above floor level.
Details are to be provided with the Construction Certificate application.
11. CC2007 - Development Assessment - Privacy Screen - A privacy screen shall be provided to the south eastern side (Lot 3) and north western side (Lot 4) of the ground floor covered patios. The privacy screen is to be a minimum of 1.8m high from the finished floor level of the patio and comprise of a material that cannot be seen through, such as translucent glazing. If louvres are to be used, they are to be fixed in a position that does not allow downward viewing of the adjoining properties.
12. CC2001 - Development Assessment - Erosion and Sedimentation Control - Erosion and sediment controls must be provided to ensure:
(a) Compliance with the approved Erosion and Sediment Control Plan
(b) Removal or disturbance of vegetation and top soil is confined to within 3m of the approved building area (no trees to be removed without approval)
(c) all clean water run-off is diverted around cleared or exposed areas
(d) silt fences, stabilised entry/exit points or other devices are installed to prevent sediment from entering drainage systems or waterways
(e) all erosion and sediment controls are fully maintained for the duration of demolition, excavation and/or development works
(f) controls are put into place to prevent tracking of sediment by vehicles onto adjoining roadway
(g) all disturbed areas are rendered erosion-resistant by turfing, mulching, paving or similar
(h) Compliance with Managing Urban Stormwater - Soils and Construction (Blue Book) produced by Landcom 2004.
These measures are to be implemented before the commencement of work (including demolition and excavation) and must remain until the issue of the Occupation Certificate.
13. CC2002 - Development Assessment - Site Management Plan - Minor Development - A Site Works Plan detailing all weather access control points, sedimentation controls, fencing, builder’s site sheds office, amenities, materials storage and unloading arrangements must be submitted with the application for the Construction Certificate.
14. CC2008 - Development Assessment - Landscape Plan - A detailed landscape plan, drawn to scale, by a qualified landscape architect or landscape designer, must be submitted prior to the issue of the Construction Certificate. The plan must include:
(i) Location of existing and proposed structures on the site including existing trees (if applicable);
(ii) Details of earthworks including mounding and retaining walls and planter boxes (if applicable);
(iii) Location, numbers and type of plant species;
(iv) Details of planting procedure and maintenance;
(v) Details of drainage and watering systems.
15. CC2011 - Development Assessment - BASIX Commitments - All energy efficiency measures as detailed in BASIX Certificate No’s. 619331S_02 and 619265S both dated 20 May 2015, approved with the Development Consent DA2015/0171, must be implemented on the plans lodged with the application for the Construction Certificate.
16. CC2033 - Development Assessment - Compliance with the Swimming Pool Act 1992 - The alterations and additions to the dwelling house and/or the construction of the new dwelling house subject of this consent must not generate any non-compliances with the Swimming Pools Act 1992, Swimming Pool Regulation 2008, Building Code of Australia and/or AS 1926.1-2007 - Swimming Pool Safety. Details of compliance to be illustrated on the plans lodged with the application for the Construction Certificate.
17. CC3004 - Development Engineering - Stormwater Drainage Plans
|
Reference No. |
Date |
Description |
Revision |
Prepared by |
|
- |
July 2015 |
Stormwater Drainage Plan and Details |
- |
DIH Engineering and Drafting Services |
The above submitted stormwater plan has been assessed as a concept plan only and no detailed assessment of the design has been undertaken.
Stormwater drainage plans including pipe sizes, type, grade, length, invert levels, dimensions and types of drainage pits prepared by a qualified practising hydraulics engineer (with details of qualifications being provided) in accordance with the Australian Institute of Engineers Australian Rainfall and Runoff (1987) and Council's Stormwater Drainage Guidelines, shall accompany the application for the Construction Certificate.
18. CC3001 - Development Engineering - Stormwater System - The submitted stormwater plan has been assessed as a concept plan only and no detailed assessment of the design has been undertaken.
(a) All overflows of roof waters from any rainwater tank shall drain by gravity to Council’s kerb and gutter directly in front of the development site in accordance with the Australian/New Zealand Standard AS/NZS 3500.3: 2003 (as amended).
(b) All surface water runoff such as driveway/footpath shall drain to a suitability designed absorption trench in the rear yard. Such trenches must be located at least 2m from any property boundary and be constructed across the contour of the land.
The design of this proposed drainage system must be prepared by a qualified practising hydraulics engineer (with details of qualifications being provided). Certification of the adequacy of the absorption trench system for the surface area being drained shall also be provided by the hydraulics engineer.
Design details and certification shall be submitted for approval with the Construction Certificate application.
19. CC5004 - Trees - Tree Removal & Replacement - Public Land - Permission is granted for the removal of the following trees located on Councils public footpath:
(a) Lophostemon confertus located directly in front of the site.
Removal of the tree from Council's nature strip to permit vehicular access shall be undertaken at no cost to Council by an experienced tree removal contractor/arborist.
All private contractors must have a minimum of $10 million dollars public liability insurance. Prior to the commencement of any work, the form entitled Application for the Removal of a tree by private contractor on public footpath accompanied by evidence of the Public Liability Insurance must be lodged with Hurstville City Council Tree Services Division.
The following tree species must be planted, at no cost to Council, in the nature strip in front the property along Morts Road.
|
Tree/species |
Quantity |
Location |
|
Lophostemon confertus |
1 |
In the Council nature strip. |
The minimum pot size at time of planting will be equivalent to 100 litre (min) containerised stock. The tree(s) is to conform to the NATSPEC guide for assessing the quality of and purchasing of landscape trees by Ross Clarke, 2003
Details of the species and planting locations of the replacement plants must be included on the landscape plan and site plan prior to the issue of a Construction Certificate.
If the replacement tree is found to be faulty, damaged, dying or dead within twelve (12) months of planting then they must be replaced with the same species. If the trees are found dead before they reach a height where they are protected by Council’s Tree Management Controls, they must be replaced with the same species.
All advanced trees are to be planted in holes at least 550mm square and 550mm deep, containing good quality soil and humus. In lawn areas, grass is to be kept back for a radius of at least 450mm from stems and trunks, a depression should be formed for the collection of water and the area mulched. The mulch is to be installed to a depth of 75-90mm around the base of the tree in lawn areas.
20. CC7004 - Building - Structural details - Structural plans, specifications and design statement prepared and endorsed by a suitably qualified practising structural engineer who holds the applicable Certificate of Accreditation as required under the Building Professionals Act 2005 shall be submitted along with the Construction Certificate application to the Certifying Authority for any of the following, as required by the building design:
(a) piers
(b) footings
(c) slabs
(d) columns
(e) structural steel
(f) reinforced building elements
(g) swimming pool design
(h) retaining walls
(i) stabilizing works
(j) structural framework
PRIOR TO THE COMMENCEMENT OF WORK (INCLUDING DEMOLITION AND EXCAVATION)
These conditions have been imposed to ensure that all pre-commencement matters are dealt with and finalised prior to the commencement of work.
21. PREC2001 - Building regulation - Site sign - Soil and Erosion Control Measures - Prior to the commencement of works (including demolition and excavation), the durable site sign issued by Hurstville City Council in conjunction with this consent must be erected in a prominent location on site. The site sign warns of the penalties which apply to pollution, storing materials on road or footpath and breaches of the conditions relating to erosion and sediment controls. The sign must remain in a prominent location on site up until the completion of all site and building works.
22. PREC2002 - Development Assessment - Demolition and Asbestos - The demolition work shall comply with the provisions of Australian Standard AS2601:2011 - Demolition of Structures, NSW Work Health and Safety Act 2011 and the NSW Work Health and Safety Regulation 2011. The work plans required by AS2601-2001 shall be accompanied by a written statement by a suitably qualified person that the proposals contained in the work plan comply with the safety requirements of the Standard. The work plans and the safety statement shall be submitted to the Principal Certifying Authority prior to the commencement of works.
For demolition work which involves the removal of asbestos, the asbestos removal work must be carried out by a licensed asbestos removalist who is licensed to carry out the work in accordance with the NSW Work Health and Safety Act 2011 and the NSW Work Health and Safety Regulation 2011 unless specified in the Act and/or Regulation that a license is not required.
The asbestos removal work shall also be undertaken in accordance with the How to Safely Remove Asbestos: Code of Practice published by Work Cover NSW.
Copies of the Act, Regulation and Code of Practice can be downloaded free of charge from the Work Cover NSW website: www.workcover.nsw.gov.au
23. PREC2008 - Development Assessment - Demolition Notification Requirements - The following notification requirements apply to this consent:
a) The developer /builder must notify adjoining residents five (5) working days prior to demolition. Such notification is to be a clearly written note giving the date demolition will commence, contact details of the developer/builder, licensed asbestos demolisher and the appropriate regulatory authority. Notification is to be placed in the letterbox of every premises (including every residential flat or unit, if any) either side and immediately at the rear of the demolition site.
b) Five (5) working days prior to demolition, the developer/builder is to provide written notification to Hurstville City Council advising of the demolition date, details of the WorkCover licensed asbestos demolisher and the list of residents advised of the demolition.
c) On demolition sites where buildings to be demolished contain asbestos, a standard commercially manufactured sign containing the words “DANGER ASBESTOS REMOVAL IN PROGRESS” measuring not less than 400mm x 300mm is to be erected in a prominent visible position (from street frontage) on the site. The sign is to be erected prior to demolition work commencing and is to remain in place until such time as all asbestos material has been removed from the site to an approved waste facility.
24. PREC2009 - Development Assessment - Demolition work involving asbestos removal - Work involving bonded asbestos removal work (of an area of more than 10 square metres) or friable asbestos removal work must be undertaken by a person who carries on a business of such removal work in accordance with a licence under clause 458 of the Work Health and Safety Regulation 2011.
25. PREC6001 - Engineering - Dial before your dig - The applicant shall contact “Dial Before You Dig on 1100” to obtain a Service Diagram prior to the issuing of the Construction Certificate. The sequence number obtained from “Dial Before You Dig” shall be forwarded to Council’s Engineers for their records.
26. PREC7001 - Building - Registered Surveyors Report - During Development Work - A report must be submitted to the Principal Certifying Authority at each of the following applicable stages of construction:
(a) Set out before commencing excavation.
(b) Floor slabs or foundation wall, before formwork or commencing brickwork.
(c) Completion of Foundation Walls - Before any construction of flooring, detailing the location of the structure relative to adjacent boundaries and floor levels relative to the datum shown on the approved plans.
(d) Completion of Floor Slab Formwork - Before pouring of concrete/walls construction, detailing the location of the structure relative to adjacent boundaries and floor levels relative to the datum shown on the approved plans. In multi-storey buildings a further survey must be provided at each subsequent storey.
(e) Completion of any Pool Formwork - Before concreting of pool shell, detailing the location of the pool relative to the adjacent boundaries and its height relative to the datum shown on the approved plans.
(f) Completion of any Roof Framing - Before roof covered detailing eaves/gutter setback from boundaries.
(g) Completion of all Work - Detailing the location of the structure (including eaves/gutters) relative to adjacent boundaries and its height relative to the datum shown on the approved plans. A final Check Survey must indicate the reduced level of the main ridge.
(h) Other.
Work must not proceed beyond each stage until the Principal Certifying Authority is satisfied that the height and location of the building is proceeding in accordance with the approved plans.
DURING WORK
These conditions have been imposed to ensure that there is minimal impact on the adjoining development and surrounding locality during the construction phase of the development.
27. CON2001 - Development Assessment - Hours of construction, demolition and building related work - Any work activity or activity associated with the development consent that requires the use of any tools (including hand tools) or any power operated plant and machinery that creates noise on or adjacent to the site shall not be performed, or permitted to be performed, except between the hours of 7.00 am to 5.00 pm, Monday to Saturday inclusive. No work or ancillary activity shall be permitted to be performed on any Sunday, Good Friday, Christmas Day or any Public Holiday. A penalty infringement notice may be issued for any offence.
In addition to the foregoing requirements, construction work on all buildings (except that on single dwelling houses and associated structures on the site of a single dwelling house) shall be prohibited on Saturdays and Sundays on weekends adjacent to a public holiday.
28. CON2002 - Development Assessment - Ground levels and retaining walls - The ground levels of the site shall not be excavated, raised or filled, or retaining walls constructed on the allotment boundary, except where indicated on approved plans or approved separately by Council.
29. CON6002 - Engineering - Obstruction of Road or Footpath - The use of the road or footpath for the storage of any building materials, waste materials, temporary toilets, waste or skip bins, or any other matter is not permitted unless separately approved by Council under Section 138 of the Roads Act and/or under Section 68 of the Local Government Act 1993. Penalty Infringement Notices may be issued for any offences and severe penalties apply.
30. CON8001 - Waste - Waste Management Facility - All materials removed from the site as a result of demolition, site clearing, site preparation and, or excavation shall be disposed of at a suitable Waste Management Facility. No vegetation, article, building material, waste or the like shall be ignited or burnt whatsoever or in association with the work on site. Copies of all receipts for the disposal, or processing of all such materials shall be submitted to the Principal Certifying Authority and a copy provided to the Manager Environmental Services, Hurstville City Council.
PRIOR TO THE ISSUE OF THE OCCUPATION CERTIFICATE
These conditions have been imposed to ensure that all works have been completed in accordance with the Development Consent prior to the issue of the Occupation Certificate.
31. OCC3012 - Development Engineering - Letterboxes and Street Numbering - Prior to the issue of the Occupation Certificate a separate letterbox for each dwelling shall be provided with permanent type numbers installed to each letterbox. These numbers are to be as follows:
· 97 Morts Road for the proposed dwelling on Lot 3.
· 97A Morts Road for the proposed dwelling on Lot 4.
32. OCC2004 - Development Assessment - BASIX Compliance Certificate - A Compliance Certificate must be provided to the Principal Certifying Authority regarding the implementation of all energy efficiency measures as detailed in BASIX Certificate No’s. 619331S_02 and 619265S both dated 20 May 2015, and in the plans approved with the Development Consent/ Construction Certificate, before issue of the Occupation Certificate.
33. OCC2005 - Development Assessment - Completion of Landscape Works - All landscape works must be completed before the issue of the Final Occupation Certificate.
34. OCC6001 - Engineering - Vehicular crossing - Minor development - The vehicular crossing and/or footpath works shall be constructed by a private contractor at the expense of the beneficiary of this consent, in accordance with the Vehicular Crossing Approval issued by Council’s Engineering Services Division and in accordance with Council’s Specification for Vehicular Crossings and Associated Works and the issued.
Any existing vehicular crossing and/or laybacks which are redundant must be removed. The kerb and gutter, any other footpath and turf areas shall be restored at the expense of the beneficiary of this consent and in accordance with Council’s Specification for Vehicular Crossings and Associated Works.
Please Note: No stencilled or coloured concrete may be used outside the boundary of the property.
The work must be completed before the issue of an Occupation Certificate.
35. OCC6009 - Engineering - Stormwater drainage works - Works As Executed - Prior to the issue of the Occupation Certificate, storm water drainage works are to be certified by a qualified storm water engineer, with Works-As-Executed drawings supplied to Council detailing:
(a) Compliance with conditions of development consent relating to stormwater;
(b) That the works have been constructed in accordance with the approved design and will provide the detention storage volume and attenuation in accordance with the submitted calculations;
(c) Pipe invert levels and surface levels to Australian Height Datum;
(d) Contours indicating the direction in which water will flow over land should the capacity of the pit be exceeded in a storm event exceeding design limits.
(e) Evidence that a positive covenant pursuant to Section 88E of the Conveyancing Act 1919 has been created on the title of the subject property, providing for the indemnification of Council from any claims or actions and for the on-going maintenance of the on-site-detention system and/or absorption trenches (including any pumps and sumps incorporated in the development).
Council’s Engineering Services section must advise in writing that they are satisfied with the Works-As-Executed prior to the issue of the Occupation Certificate.
36. OCC3011 - Development Engineering - Requirements prior to the issue of the Occupation Certificate - The following shall be completed and or submitted to the Principal Certifying Authority (PCA) prior to the issue of the Occupation Certificate:
(a) All the stormwater/drainage works shall be completed in accordance with the approved Construction Certificate plans prior to the issue of the Occupation Certificate.
(b) The internal driveway construction works, together with the provision for all services (conduits and pipes laid) shall be completed in accordance with the approved Construction Certificate plans prior to the issue of the Occupation Certificate.
(c) Construct any new vehicle crossings required.
(d) Replace all redundant vehicle crossing laybacks with kerb and guttering, and replace redundant concrete with turf.
(e) A Section 73 (Sydney Water) Compliance Certificate for the Subdivision shall be issued and submitted to the PCA prior to the issue of the Occupation Certificate.
(f) Work as Executed Plans prepared by a Chartered Professional Engineer or a Registered Surveyor when all the site engineering works are complete shall be submitted to the PCA prior to the issue of the Occupation Certificate.
ONGOING CONDITIONS
These conditions have been imposed to ensure that the use or operation of the development does not adversely impact on the amenity of the neighbourhood or environment.
37. ONG3007 - Development Engineering - Required Easements - If future individual Certificate of Title/Ownership is required for each Lot (and dwelling) of this development, Cross Easements for support are required to be created over the dividing wall as well as any necessary Rights of Carriageway, Easements for Overhanging roof structures, drainage pipelines, Encroaching Footings or Services that pass/encroach from one lot into the other lot.
These easements may be created by Section 88B of the Conveyancing Act 1919 with a Plan of Easements prepared by a Registered Surveyor being registered at the NSW Land Titles Office.
Please note this Easement Plan is not a Subdivision and does not require any Subdivision Certificate application or 88B Instrument endorsement by Council. (except if any Easement or Restriction/Covenant etc is to be created to benefit Council
38. ONG2003 - Development Assessment - Maintenance of Landscaping - All trees and plants forming part of the landscaping must be maintained on an ongoing basis. Maintenance includes watering, weeding, removal of rubbish from tree bases, fertilizing, pest and disease control and any other operations required to maintain healthy trees, plants and turfed areas.
ADVICE
This advice has been included to provide additional information and where available direct the applicant to additional sources of information based on the development type.
39. ADV2002 - Development Assessment - Site Safety Fencing - Site fencing must be erected in accordance with WorkCover Guidelines, to exclude public access to the site throughout the demolition and/or construction work, except in the case of alterations to an occupied dwelling. The fencing must be erected before the commencement of any work and maintained throughout any demolition and construction work.
For more information visit www.workcover.nsw.gov.au
Schedule B – Prescribed Conditions
Prescribed conditions are those which are mandated under Division 8A of the Environmental Planning and Assessment Regulation 2000 and given weight by Section 80A (11) of the Environmental Planning and Assessment Act 1979.
Detailed below is a summary of all the prescribed conditions which apply to development in New South Wales. Please refer to the full details of the prescribed conditions as in force, at www.legislation.nsw.gov.au.
It is the responsibility of the beneficiary of this consent to determine which prescribed conditions apply.
40. PRES1001 - Clause 97A – BASIX Commitments - This Clause requires the fulfilment of all BASIX Commitments as detailed in the BASIX Certificate to which the development relates.
41. PRES1002 - Clause 98 – Building Code of Australia & Home Building Act 1989 - Requires all building work to be carried out in accordance with the Building Code of Australia. In the case of residential building work to which the Home Building Act 1989 relates, there is a requirement for a contract of insurance to be in force before any work commences.
42. PRES1003 - Clause 98A – Erection of Signs - Requires the erection of signs on site and outlines the details which are to be included on the sign. The sign must be displayed in a prominent position on site and include the name and contact details of the Principal Certifying Authority and the Principal Contractor.
43. PRES1004 - Clause 98B – Home Building Act 1989 - If the development involves residential building work under the Home Building Act 1989, no work is permitted to commence unless certain details are provided in writing to Council. The name and licence/permit number of the Principal Contractor or Owner Builder and the name of the Insurer by which work is insured under Part 6 of the Home Building Act 1989.
44. PRES1007 - Clause 98E – Protection & support of adjoining premises - If the development involves excavation that extends below the level of the base of the footings of a building on adjoining land, this prescribed condition requires the person who benefits from the development consent to protect and support the adjoining premises and where necessary underpin the adjoining premises to prevent any damage.
Schedule C – Operational & Statutory Conditions
These conditions comprise the operational and statutory conditions which must be satisfied under the Environmental Planning and Assessment Act 1979 and the Environmental Planning & Assessment Regulation 2000. Please refer to the full details of the Act and Regulations as in force, at www.legislation.nsw.gov.au.
It is the responsibility of the beneficiary of this consent to determine which operational and statutory conditions apply.
45. OPER1001 - Requirement for a Construction Certificate - The erection of a building must not commence until a Construction Certificate has been issued by the consent authority, the Council (if the Council is not the consent authority) or an accredited certifier.
An application form for a Construction Certificate is attached for your convenience.
46. OPER1002 - Appointment of a Principal Certifying Authority - The erection of a building must not commence until the beneficiary of the development consent has:
(a) appointed a Principal Certifying Authority (PCA) for the building work; and
(b) if relevant, advised the PCA that the work will be undertaken as an Owner-Builder.
If the work is not going to be undertaken by an Owner-Builder, then the beneficiary of the consent must:
(a) appoint a Principal Contractor to undertake the building work. If residential building work (within the meaning of the Home Building Act 1989) is to be undertaken, the Principal Contractor must be a holder of a contractor licence; and
(b) notify the PCA of the details of any such appointment; and
(c) notify the Principal Contractor of any critical stage inspections or other inspections that are required to be carried out in respect of the building work.
An Information Pack is attached for your convenience should you wish to appoint Hurstville City Council as the Principal Certifying Authority for your development.
47. OPER1003 - Notification of Critical Stage Inspections - No later than two (2) days before the building work commences, the PCA must notify:
(a) the consent authority and the Council (if not the consent authority) of his or her appointment; and
(b) the beneficiary of the development consent of the critical stage inspections and other inspections that are to be carried out with respect to the building work.
48. OPER1004 - Notice of Commencement - The beneficiary of the development consent must give at least two (2) days’ notice to the Council and the PCA of their intention to commence the erection of a building.
A Notice of Commencement Form is attached for your convenience.
49. OPER1007 - Critical Stage Inspections - The last critical stage inspection must be undertaken by the Principal Certifying Authority. The critical stage inspections required to be carried out vary according to Building Class under the Building Code of Australia and are listed in Clause 162A of the Environmental Planning and Assessment Regulation 2000.
50. OPER1008 - Notice to be given prior to critical stage inspections - The principal contractor for a building site, or the owner-builder, must notify the principal certifying authority at least 48 hours before each required inspection needs to be carried out.
Where Hurstville City Council has been appointed PCA, forty eight (48) hours’ notice in writing, or alternatively twenty four (24) hours’ notice by facsimile or telephone, must be given to when specified work requiring inspection has been completed.
51. OPER1009 - Occupation Certificate - A person must not commence occupation or use of the whole or any part of a new building unless an Occupation Certificate has been issued in relation to the building or part.
Only the Principal Certifying Authority appointed for the building work can issue the Occupation Certificate.
An Occupation Certificate Application Form is attached for your convenience.
If you need more information, please contact the Senior Development Assessment Officer, below on 9330-6222 during normal office hours.
For a video relating to 97 Morts Rd Mortdale, click here.
|
Appendix View1 |
Location Plan - 97 Morts Rd Mortdale |
|
Appendix View2 |
Site Photo - 97 Morts Rd Mortdale |
|
Appendix View3 |
Site Plan - 97 Morts Rd Mortdale |
|
Appendix View4 |
Amended Shadow Diagrams - 97 Morts Rd Mortdale |
|
Appendix View5 |
Elevations 1 - 97 Morts Rd Mortdale |
|
Appendix View6 |
Elevations 2 - 97 Morts Rd Mortdale |
Hurstville City Council – Council Meeting Wednesday, 2 March 2016
CCL062-16 97 Morts Rd Mortdale - Demolition of Existing and Construction of 2 Two-Storey Semi-detached Dwellings - Small Lot Housing
[Appendix 1] Location Plan - 97 Morts Rd Mortdale
CCL062-16 97 Morts Rd Mortdale - Demolition of Existing and Construction of 2 Two-Storey Semi-detached Dwellings - Small Lot Housing
[Appendix 2] Site Photo - 97 Morts Rd Mortdale
CCL062-16 97 Morts Rd Mortdale - Demolition of Existing and Construction of 2 Two-Storey Semi-detached Dwellings - Small Lot Housing
[Appendix 3] Site Plan - 97 Morts Rd Mortdale
CCL062-16 97 Morts Rd Mortdale - Demolition of Existing and Construction of 2 Two-Storey Semi-detached Dwellings - Small Lot Housing
[Appendix 4] Amended Shadow Diagrams - 97 Morts Rd Mortdale
CCL062-16 97 Morts Rd Mortdale - Demolition of Existing and Construction of 2 Two-Storey Semi-detached Dwellings - Small Lot Housing
[Appendix 5] Elevations 1 - 97 Morts Rd Mortdale
CCL062-16 97 Morts Rd Mortdale - Demolition of Existing and Construction of 2 Two-Storey Semi-detached Dwellings - Small Lot Housing
[Appendix 6] Elevations 2 - 97 Morts Rd Mortdale
CCL063-16 64 Lansdowne Pde Oatley - Demolition of Existing and Construction of Multi-level Single Dwelling
|
Applicant |
Shamashein Govender c/o Mrs Svetlana Kostoska |
|
Proposal |
Demolition of existing dwelling and construction of new multi level single dwelling house with swimming pool |
|
Owners |
S and N Govender Pty Ltd |
|
Report Author/s |
Senior Development Assessment Officer, Ms T Gizzi |
|
File |
DA2015/0307 |
|
Previous Reports Referenced |
No |
|
Disclosure of Political Donations or Gifts |
No |
|
Zoning |
Zone R2 - Low Density Residential |
|
Existing Development |
Single Dwelling House |
|
Cost of Development |
$1 million |
|
Reason for Referral to Council |
Variations to HLEP 2012 and DCP1 |
|
Planning Instruments Applicable |
Hurstville Local Environmental Plan 2012, State Environmental Planning Policy No 55 – Remediation of Land, State Environmental Planning Policy (Building Sustainability Index: BASIX) 2004, Greater Metropolitan Regional Environmental Plan No 2 – Georges River Catchment, Development Control Plan No 1 - LGA Wide |
|
Hurstville Local Environment Plan Interpretation of Use |
Single Dwelling House and Swimming Pool |
EXECUTIVE SUMMARY
1. Development consent is sought for the demolition of the existing buildings and construction of a new multi-level single dwelling house with swimming pool.
2. The proposed development has been assessed against the requirements of the relevant planning instruments and Development Control Plans. Due to the topography of the land, variations to the building height and external wall height controls are proposed. These variations have been considered throughout this report and are found to be acceptable.
3. The application was notified in accordance with Development Control Plan No 1. No submissions were received.
|
That the application be approved in accordance with the conditions included in the report. |
REPORT DETAIL
DESCRIPTION OF THE PROPOSAL
Development consent is sought for demolition of the existing dwelling and construction of a multi-level single dwelling house with swimming pool.
Due to the steep topography of the site, the dwelling is split over four (4) levels but does not exceed two (2) storeys at any point.
Parking is provided for two (2) vehicles within a basement level. The basement is accessed via a car lift from ground floor level which is required to manage the fall of the land.
A front fence is also proposed with a height of 1m.
HISTORY
25 Aug 15 Application lodged
3 Sep 15 Application notified
14 Jan 16 Additional information requested
29 Jan 16 Additional information provided
DESCRIPTION OF THE SITE AND LOCALITY
The site is legally described as Lot B DP 384755 and is known as 64 Lansdowne Parade Oatley. The site is located on the southern side of Lansdowne Parade. The site has an irregular shape with a frontage of 15.57m and an area of approximately 948.5sqm. The site slopes significantly to the rear (Gungah Bay) from Lansdowne Parade with a fall of 30m. Approximately a third of the way down the site, a large suspended rock traverses the site creating a cliff that drops 4m-5m.
The site falls into the Foreshore Scenic Protection Area (Hurstville Local Environmental Plan 2012).
The site is currently occupied by an existing two (2) storey dwelling with an attached garage to the eastern side boundary.
Adjoining the site on all sides are residential developments. The neighbouring dwelling to the north west of the subject site is a two (2) storey dwelling house and single storey dwelling house is located to the south west. To the east of the subject site is another two (2) storey dwelling house. The surrounding area is generally residential in character.
COMPLIANCE AND ASSESSMENT
The development has been inspected and assessed under the relevant Section 79C(1) "Matters for Consideration" of the Environmental Planning and Assessment Act 1979.
1. Environmental Planning Instruments
HURSTVILLE LOCAL ENVIRONMENTAL PLAN 2012
The extent to which the proposal complies with the relevant standards of Hurstville Local Environmental Plan 2012 is outlined in the table below.
|
Clause |
Standard |
Assessment Under HLEP 2012 |
|
Part 2 – Permitted or Prohibited Development |
R2 Low Density Zone |
The proposal is defined as a dwelling house. Dwelling houses are permissible in the zone. |
|
|
Objectives of the Zone |
The proposal complies with the objectives of the zone |
|
4.3 – Height of Buildings |
9m as identified on Height of Buildings Map |
11.365m maximum |
|
4.4 – Floor Space Ratio |
Site = 586.6sqm
0.6:1 as identified on Floor Space Ratio Map |
Proposed GFA = 439sqm
FSR = 0.46:1 (complies) |
|
4.6 – Exception to Development Standards |
Development consent must not be granted for development that contravenes a development standard unless the consent authority has considered a written request from the applicant that seeks to justify the contravention of the development standard (Cl 4.6 variation) |
The proposal seeks a variation to Clause 4.3 – Heights of Buildings under the Hurstville LEP 2012. A request for the variation has been provided in accordance with Clause 4.6. See discussion below this table. |
|
5.9 – Preservation of Trees or Vegetation |
Trees to be removed are specified in DCP No 1 Section 3.11 – Preservation of Trees and Vegetation |
One (1) tree is proposed to be removed from the site and it is not of significance |
|
6.1 – Acid Sulfate Soils |
Development consent must not be granted under this clause for the carrying out of works unless an acid sulfate soils management plan has been prepared for the proposed works in accordance with the Acid Sulfate Soils manual and has been provided to the consent authority (Class 1 – any works) |
At the very rear of the property a small section of the site is identified as having Class 1 Acid Sulfate Soils. Normally this would require an Acid Sulfate Soils Management Plan. However, the proposed works are located over 38m from the affected area and there is a level difference of over 18m with the works being located higher up the site. As such, the proposed works are not likely to affect any Acid Sulfate Soils and a management plan is not required. |
|
6.3 – Limited Development on Foreshore Area |
Development in the foreshore area will not impact on natural foreshore processes or affect the significance and amenity of the area. |
The site is subject to a foreshore building line, however all works are located above the foreshore building line. As such, the foreshore area is not impacted by the proposal. |
|
6.4 – Foreshore Scenic Protection Area |
Council cannot grant consent to the carrying out of development on land within a Foreshore Scenic Protection Area unless consideration has been made of the following:
(3)(a) affect the natural environment, including topography, rock formations, canopy vegetation or other significant vegetation, and (b) affect the visual environment, including the views to and from the Georges River, foreshore reserves, residential areas and public places, and (c) affect the environmental heritage of Hurstville, and (d) contribute to the scenic qualities of the residential areas and the Georges River by maintaining the dominance of landscape over built form. |
The proposal will not impact on views to the foreshore, given the site topography and location of the dwelling in relation to the surrounding developments. The proposal is not likely to result in any impacts on any significant topographical feature, environmental heritage or any significant vegetation, subject to conditions of consent. The proposal provides sufficient useable landscaped areas on site. The proposal respects the topography of the site and contributes to the scenic qualities of the river. |
|
6.5 – Gross Floor Area of Dwelling House |
> 630sqm ≤ 1000sqm
(Site area − 630) × 0.3 + 346.50
Max. GFA = 442sqm |
439sqm
Complies |
|
6.7 – Essential Services |
The following services that are essential for the development shall be available or that adequate arrangements must be made available when required: · Supply of water, electricity and disposal and management of sewerage
· Stormwater drainage or on-site conservation
· Suitable vehicular access |
· Adequate facilities for the supply of water and for the removal of sewage and drainage are available to this land · Stormwater is to discharge to the Georges River subject to conditions of consent requiring an energy dissipating structure. · Driveway access is to be obtained from Lansdowne Parade in a similar location to the existing driveway crossing. |
Detailed Assessment of Variation to Clause 4.3 - Height of Buildings Development Standard
Clause
4.3 of Hurstville Local Environmental Plan 2012 limits the maximum height of
buildings on this site to 9m. The proposed dwelling has a maximum height of
11.365m. The variation occurs at the rear of the proposed ground floor level as
a result of a large suspended rock which has a sharp face and falls between
4m-5m in a distance of only 1m resulting in a cliff.
The non-complying elements of the building comprise a 0.4m wide portion of the rear eave of the ground floor level where it overhangs the rock to a maximum height of 11.365m, and also the balustrade and privacy screen of the ground floor balcony which overhangs the rock to a maximum height of 10.215m. These elements are cantilevered over the cliff face resulting in the variation.
To support the noncompliance the applicant has provided a request for a variation to a development standard in accordance with Clause 4.6 of Hurstville Local Environmental Plan 2012. The request is attached to this report.
The proposal must satisfy the objectives of Clause 4.3 – Height of Buildings, the underlying objectives of the particular zone, and the objectives of Clause 4.6 - Exceptions to Development Standards under the Hurstville Local Environmental Plan 2012. The assessment is detailed as follows.
Is the planning control in question a development standard?
Comment: The prescribed Height of Buildings limitation pursuant to Clause 4.3 of the Hurstville Local Environmental Plan 2012 is a development standard.
What are the underlying objectives of the development standard?
Comment: The underlying objectives of the standard, pursuant to ‘Clause 4.3 – Height of Buildings’ of the Hurstville Local Environmental Plan 2012 are:
a) to ensure that buildings are compatible with the height, bulk and scale of the existing and desired future character of the locality,
b) to minimise visual impact, disruption of views, loss of privacy and loss of solar access to existing development and to public areas and public domain, including parks, streets and lanes,
c) to minimise the adverse impact of development on heritage items,
d) to nominate heights that will provide a transition in built form and land use intensity.”
The development is found to be consistent with the underlying objectives of the standard for the following reasons:
· The bulk and scale of the development is consistent with existing and approved buildings in the area and the desired future character of the locality. Although the development exceeds the height limit, the area of non-compliance is minimal and occurs as a result of the cliff present on the site. The development has otherwise been well designed to follow the topography of the land providing four (4) levels of accommodation in a split level configuration that does not exceed two (2) storeys at any point. From the street, the development presents as a two (2) storey dwelling of a contemporary appearance that is compatible with the adjoining dwellings.
· Only 0.4sqm of the eave at the south western corner of the ground floor level and the balustrade and privacy screen of the rear ground floor balcony exceed the building height. Although the height at this point is significantly above the height limit, the area of the variation is minimal and the severity of the non-compliance is caused by the fall of the cliff face. The remainder of the building complies in full with the development standard.
· In terms of views, all adjoining properties have views of the Georges River directly to the south of the site over their rear boundaries. As such, the proposed dwelling would not affect any significant views.
· The proposal would not result in any significant visual impact as it has been designed to step down the site minimising its bulk and scale.
· Privacy impacts as a result of the development are minor. Privacy screens have been used to protect the most affected properties.
· The development would not result in any significant overshadowing of principal private open space of adjoining properties.
· The development does not affect any heritage items.
· The subject site is not located in a transitional zone and the intensity of land use is compatible with the locality.
What are the underlying objectives of the zone?
Comment: In assessing the development’s non-compliance, consideration must be given to its consistency with the underlying objectives of the R2 Low Density Residential zone which are as follows:
· To provide for the housing needs of the community within a low density residential environment.
· To enable other land uses that provide facilities or services to meet the day to day needs of residents.
· To encourage development of sites for a range of housing types, where such development does not compromise the amenity of the surrounding area, or the natural or cultural heritage of the area.
· To ensure that a high level of residential amenity is achieved and maintained.
· To encourage greater visual amenity through maintaining and enhancing landscaping as a major element in the residential environment.
· To provide for a range of home business activities where such activities are not likely to adversely affect the surrounding residential amenity.
The development is considered consistent with the objectives of the R2 Low Density Residential zone for the following reasons:
· The proposal will provide a new dwelling providing for the changing needs of the locality in a form that is consistent with the low density residential character of the area. The dwelling will achieve a high level of amenity.
· The development does not compromise the amenity of the adjoining properties in terms of visual impact, solar access and privacy.
· The dwelling provides good amenity for future occupiers.
· There is no significant vegetation present on the site. However extensive boundary planting is proposed to enhance the existing green character of the locality.
Is the variation to the development standard consistent with Clause 4.6 of the HLEP 2012?
(1) The objectives of Clause 4.6 are as follows:
(a) to provide an appropriate degree of flexibility in applying certain development standards to particular development,
(b) to achieve better outcomes for and from development by allowing flexibility in particular circumstances.”
Comment: To allow for reasonable redevelopment of the subject site, it is acknowledged that some flexibility is required in the application of the building height development standard due to the location of a 4m-5m high rock face, which traverses the site.
The variation occurs at the rear of the development and comprises only 0.4m of the ground floor level eave and also part of the balustrade and privacy screen associated with the rear ground floor level balcony. The development has otherwise been designed to follow the topography of the site as is evident by the split level design.
The variation would not cause any unreasonable visual impacts on adjoining properties and it is not considered it would cause the development to appear excessive or over dominant in the streetscape.
In this instance, it is considered that the variation to the development standard is acceptable.
(2) Development consent may, subject to this clause, be granted for development even though the development would contravene a development standard imposed by this or any other environmental planning instrument. However, this clause does not apply to a development standard that is expressly excluded from the operation of this clause.
Comment: The site is not excluded from the operation of this clause.
(3) Development consent must not be granted for development that contravenes a development standard unless the consent authority has considered a written request from the applicant that seeks to justify the contravention of the development standard by demonstrating:
(a) that compliance with the development standard is unreasonable or unnecessary in the circumstances of the case, and
(b) that there are sufficient environmental planning grounds to justify contravening the development standard.
Comment: Given that the site is significantly constrained by the topography of the land and rock face with a 4m – 5m fall mid-way down the site, the strict application of the development standard is unreasonable in this instance.
The proposed variation allows for appropriate re-development of the subject site without significant unreasonable impacts on the adjoining properties. In this regard, there are sufficient planning grounds to justify the height of the development.
(4) Development consent must not be granted for development that contravenes a development standard unless:
(a) the consent authority is satisfied that:
(i) the applicant’s written request has adequately addressed the matters required to be demonstrated by subclause (3), and”
Comment: A written request for the variation prepared by Ilyas Karaman of DA Plus Planner was submitted with the application which provides justification to address subclause (3). The extent of the variation is found to be consistent with subclause (3) and Clause 4.6 overall and the submitted justification is supported.
(ii) the proposed development will be in the public interest because it is consistent with the objectives of the particular standard and the objectives for development within the zone in which the development is proposed to be carried out, and
Comment: For the reasons detailed above, the proposal is considered to be consistent with the objectives of Clause 4.3 Height of Buildings and the objectives of the R2 Low Density Residential Zone under Hurstville Local Environmental Plan 2012. Therefore the development is considered to be in the public interest.
(b) the concurrence of the Director-General has been obtained.
Comment: Planning Circular PS 08-003 dated 9 May 2008, as issued by the NSW Department of Planning, advises that the concurrence of the Director-General may be assumed for exceptions to development standards under environmental planning instruments that adopt Clause 4.6 of the Standard Instrument. In this regard, if the variation is found to be consistent with the objectives of the zone, the concurrence of the Director-General for the variation to the building height Development Standard can be assumed.
GREATER METROPOLITAN REGIONAL ENVIRONMENTAL PLAN NO 2 – GEORGES RIVER CATCHMENT
The site is within the area affected by the Greater Metropolitan Regional Environmental Plan No 2 – Georges River Catchment. The proposal, including the disposal of stormwater, is consistent with Council’s requirements for the disposal of stormwater in the catchment.
STATE ENVIRONMENTAL PLANNING POLICY NO 55 - REMEDIATION OF LAND
The subject site is zoned residential and, given the types of uses permissible within the residential zones, it is considered unlikely that the land is contaminated.
Based on Council’s records, the subject site has not been used for any potentially contaminating activities. As such, it is considered unlikely that the land is contaminated.
STATE ENVIRONMENTAL PLANNING POLICY (BUILDING SUSTAINABILITY INDEX: BASIX) 2004
A BASIX certificate has been submitted with the application. A condition has been included in the recommendation of this report requiring compliance with the commitments indicated in the BASIX Certificate.
2. Draft Environmental Planning Instruments
No Draft Environmental Planning Instruments affect the proposed development.
3. Development Control Plans
DEVELOPMENT CONTROL PLAN NO 1 – LGA WIDE – SECTION 3.1 CAR PARKING
Parking is provided for two (2) vehicles within a basement level which is accessed via a single car lift from ground floor level. The lift is required to manage the slope of the site. The development is consistent with Section 3.1 Car Parking subject to standard conditions of consent.
DEVELOPMENT CONTROL PLAN NO 1 – LGA WIDE - SECTION 3.4 CRIME PREVENTION THROUGH ENVIRONMENTAL DESIGN
The extent to which the proposal complies with the requirements of this section of Development Control Plan No 1 is outlined in the table below.
|
Section 3.4 |
Requirement |
Proposed |
Complies |
|
3.4.1.1 – Fencing |
Front fence: preferred height of 1m |
1m high front fence proposed |
Yes |
|
3.4.1.4 – Entrances |
Clearly visible and not confusing |
Entrance is clearly visible |
Yes |
|
3.4.1.5 – Site and building layout |
· Provide surveillance opportunities · Dwelling addresses street · Habitable rooms are directed towards the front of the building |
Dwelling complies with these requirements |
Yes
|
|
3.4.1.6 – Landscaping |
Avoid medium height vegetation with concentrated top to bottom foliage |
Landscape plan prepared by qualified landscape architect or consultant will be required as a condition of consent. |
Yes |
|
3.4.1.8 – Building identification |
Dwellings to be clearly numbered |
Yes, can be provided |
Yes |
DEVELOPMENT CONTROL PLAN NO 1 – LGA WIDE - SECTION 3.5 ENERGY EFFICIENCY
The proposal has achieved a BASIX Certificate and therefore complies with the objectives of Section 3.5 of Development Control Plan No 1. The proposed development also complies with the solar access requirements of Development Control Plan No 1 – LGA Wide.
DEVELOPMENT CONTROL PLAN NO 1 – LGA WIDE - SECTION 4.1 SINGLE DWELLING HOUSES
The proposal has been assessed against the requirements of Section 4.1 of Council’s Development Control Plan No 1 – LGA Wide as shown below.
|
Section 4.1 |
Standard |
Proposed |
Complies |
|
4.1.2.2 Streetscape |
Must not diminish the quality of the streetscape |
The proposed dwelling is considered to compatible with the existing and future desired streetscape |
Yes |
|
4.1.3.1 – Maximum Floor Area |
For site area > 630sqm - <= 1000sqm Max. GFA = (Site area – 630) X 0.3 + 346.50 = 442.05sqm |
Proposed GFA = 439sqm
|
Yes |
|
4.1.3.2 Landscape and Open Space Minimum width
Front Yard
Principal Private Open Space |
FSPA - 25% to be landscaped area (min. width of 2m)
15sqm of landscaped area to be provided in the front yard
Principal Private Open Space Min. dimension of 4m x 5m |
48% (451sqm)
27sqm
>4m x 5m |
Yes
Yes
Yes |
|
4.1.3.3 Building Height |
Max. ridge height = 9m
Max. ceiling height = 7.2m |
11.365m above the existing ground level (ground level eave)
11.165m max |
No (1)
No (1) |
|
4.1.3.4 Setbacks
|
Front Setback (Building Line):
4.5m to front wall of the dwelling
5.5m to garage/carport or on-site parking space |
4.5m
5.5m |
Yes
Yes
|
|
Side Boundary Setbacks:
900mm to ground floor level
1.5m – first floor level (FSPA) |
0.9m
1.5m
|
Yes
Yes |
|
|
Rear Setback:
Ground floor level – 3m First floor level – 6m |
>6m to all levels |
Yes |
|
|
4.1.3.5 Basements and Attics |
Basements wholly under building footprint
Project less than 1m above ground level
Max floor to ceiling height 2.7m
Geotechnical report to be submitted |
Complies
|
Yes |
|
4.1.3.6 Balconies and Terraces |
Direct access from a habitable room
Overlooking impacts can be minimised with the use of privacy screens between 1.5m-1.8m high |
The proposed terraces and ground level open space can be accessed directly from habitable spaces.
Privacy screens are proposed to the eastern sides of each terrace to protect privacy. Due to the layout of the adjoining sites, there is no overlooking impact to the west. |
Yes
Yes |
|
4.1.3.7 Façade Articulation |
Habitable room to street
Two elements of street façade of: Entry feature/portico Eaves/sun shading Wall offset/balcony/ verandahs/pergolas |
Habitable room windows and the front entrance addresses the street frontage.
Entry features, portico, eaves and articulation are used to provide a satisfactory street address. |
Yes
Yes |
|
4.1.3.8 Car Parking and Vehicular Access |
Garages must not extend further towards the front boundary than the front wall |
Complies
|
Yes
|
|
4.1.3.9 Privacy |
Visual privacy:
Windows offset by 1m
Neighbouring principal private open space is not overlooked by proposed living areas |
Complies
Complies |
Yes
Yes
|
|
4.1.3.10 Solar access and energy efficiency |
North facing rooms receive maximum solar access.
Subject and adjoining lots receive 3hrs solar access between 9am and 3pm on mid-winter equinox. |
Yes
Yes |
Yes
Yes |
|
4.1.3.11 Stormwater Solutions |
Gravity drainage is preferred however alternative solutions may be considered in accordance with this section of the DCP during the assessment process |
The development is proposed to drain by gravity to the Georges River. Conditions are recommended for the installation of a dispersal system. |
Yes |
|
Stormwater Assessment |
|
|
Existing Stormwater System |
Gravity to Georges River |
|
Proposed stormwater system |
Gravity to Georges River |
|
Stormwater objectives |
Consistent with objectives |
|
Slope to rear (measured from centreline of site) |
Yes |
|
Gravity to street (from property boundary to street kerb) |
No |
|
Discharge to same catchment? |
Yes |
|
Easement required |
No |
(1) Building Height
Development Control Plan No 1 requires that the ridge of the building does not exceed 9m and the ceiling does not exceed 7.2m above the existing ground level.
Although the ridge of the building complies with the 9m height limit, part of the ground floor level eave in the south western corner has a height of 11.365m and the ceiling height directly below is 11.165m.
As discussed under Hurstville Local Environmental Plan 2012 above, the variation arises from the rock face that traverses the site. Although non compliant, the development is of a bulk and scale that is consistent with the locality and would not result in any significant amenity impacts on adjoining properties. For the same reasons provided earlier in this report, the variation is considered acceptable.
DEVELOPMENT CONTROL PLAN NO 1 – LGA WIDE – SECTION 5.7 SWIMMING POOLS AND SPAS
|
Section 5.7 |
Standard |
Proposed |
Complies |
|
5.7.2.1 - Pool Siting |
On steeply sloping sites, Council may consider allowing one point or along one side to extend up to 1m above NGL, provided that the exposed face of the pool is treated to minimise impact |
The pool is up to 1.6m above natural ground level at the rear due to steep fall of the property. The wall of the pool is to be treated with landscaping to reduce any visual impact when viewed from the waterway. |
Satisfactory |
|
Filling is not permitted between the swimming pool and property boundary |
Complies |
Yes |
|
|
Drainage not to affect natural environment or adjoining properties |
Complies |
Yes |
|
|
Swimming pools are permitted on land affected by a foreshore building line subject to their design complementing the surrounding area and minimising visual impact from waterways |
As mentioned above, to minimise the visual impact of the development, landscaping is proposed around the pool walls which will complement the area |
|
|
|
5.7.2.1 – Side Setbacks |
Pool edge must be setback at least 1.5m from any side or rear boundary |
Min.1.5m |
Yes |
|
5.7.2.2 - Noise Control and Nuisances |
The position of the swimming pool and ancillary equipment must be minimised to reduce the impact of noise on adjoining neighbours |
Standard conditions have been included in this report for noise attenuation measures |
Yes |
|
5.7.3 – Landscaping |
Tree and shrub planting is to be provided along the adjoining property boundary lines to achieve a reasonable level of privacy |
Boundary planting is proposed to maintain a reasonable level of privacy |
Yes |
As can be seen from the table above, the proposal complies with Section 5.7.
4. Impacts
Natural Environment
A site/waste management plan, sediment and erosion control plan and drainage plans have been considered and addressed any potential impacts. No significant vegetation is proposed to be removed from the site and extensive landscaping is proposed to enhance the landscape character of the area.
It is considered that the proposal will have no adverse impact upon the natural environment, subject to the conditions included in this report.
Built Environment
Although there is a non-compliance with the height of the proposed dwelling, the building is of an acceptable bulk and scale that is commensurate with surrounding development and the character of the locality.
The development does not result in any significant impacts on the amenity of neighbouring properties and provides good amenity for future occupiers.
Accordingly, the development will not have an adverse impact on the built environment.
Social Impact
The proposal is for a residential purpose and will not have any adverse social impact.
Economic Impact
The proposal is for a residential purpose and no adverse economic impact is envisaged.
Suitability of the Site
For the reasons provided throughout this report, although the site is constrained by its topography, the site is found to be suitable for the proposed development.
5. REFERRALS, SUBMISSIONS AND THE PUBLIC INTEREST
Resident
Nine (9) adjoining residents were notified by letter and given fourteen (14) days for notification. No submissions were received.
Council Referrals
Development Engineer
Council’s Development Engineer has assessed the proposal and raised no objections subject to conditions.
6. CONCLUSION
Development consent is sought for the demolition of the existing buildings and construction of a new multi-level single dwelling house with swimming pool.
The proposal development has been assessed against the requirements of the relevant planning instruments and Development Control Plans. Due to the topography of the land, variations to the building height and external wall height are proposed. These variations have been considered throughout this report and are found to be acceptable as the bulk and scale of the development is compatible with the desired future character of the locality. Further, the development would not result in any significant amenity impacts on adjoining properties.
The application was notified in accordance with Development Control Plan No 1. Following notification of the proposal, no submissions were received.
Subject to conditions of consent, the application is recommended for approval.
DETERMINATION
THAT pursuant to Section 80(1)(a) of the Environmental Planning and Assessment Act, 1979, as amended, the Council, grants development consent to Development Application DA2015/0307 for the demolition of existing dwelling and construction of new multi-level single dwelling house with swimming pool on Lot B DP 384755 and known as 64 Lansdowne Parade, Oatley subject to the attached conditions:
Schedule A – Site Specific Conditions
GENERAL CONDITIONS
These conditions have been imposed to ensure that the development is carried out in accordance with the approved plans and to ensure that the appropriate fees and bonds are paid in relation to the development.
1. GEN1001 - Approved Plans - The development must be implemented in accordance with the approved plans and supporting documentation listed below which have been endorsed by Council’s approved stamp, except where marked up on the plans and/or amended by conditions of this consent:
|
Reference No. |
Date |
Description |
Revision |
Prepared by |
|
DA01 |
21.08.15 |
Roof Plan, Site Analysis Plan and Landscape Concept Plan |
A |
Svetlana Kostoska |
|
DA02 |
21.08.15 |
Ground Floor Plan |
A |
Svetlana Kostoska |
|
DA03 |
21.08.15 |
Lower Ground Floor 1 Plan |
A |
Svetlana Kostoska |
|
DA04 |
21.08.15 |
Lower Ground Floor 2 Plan |
A |
Svetlana Kostoska |
|
DA05 |
21.08.15 |
Lower Ground Floor 3 Plan |
A |
Svetlana Kostoska |
|
DA06 |
21.08.15 |
Gross Floor Area and Landscape Calculation |
A |
Svetlana Kostoska |
|
DA08 |
21.08.15 |
West Elevation – Top of Site |
A |
Svetlana Kostoska |
|
DA09 |
21.08.15 |
West Elevation –Lower Site |
A |
Svetlana Kostoska |
|
DA10 |
21.08.15 |
East Elevation – Top of Site |
A |
Svetlana Kostoska |
|
DA11 |
21.08.15 |
East Elevation – Lower Site |
A |
Svetlana Kostoska |
|
DA12 |
21.08.15 |
Section AA – Top of Site |
A |
Svetlana Kostoska |
|
DA13 |
21.08.15 |
Section AA – Lower Site |
A |
Svetlana Kostoska |
|
DA14 |
21.08.15 |
Section BB – Top of Site |
A |
Svetlana Kostoska |
|
DA15 |
21.08.15 |
Section CC |
A |
Svetlana Kostoska |
|
DA20 |
21.08.15 |
Sediment and Erosion Control Plan |
A |
Svetlana Kostoska |
|
- |
August 2015 |
Colours and Finishes |
- |
Svetlana Kostoska |
|
- |
August 2015 |
Waste Management Plan |
- |
Svetlana Kostoska |
2. GEN1002 - Fees to be paid to Council - The fees listed in the table below must be paid in accordance with the conditions of this consent and Council’s adopted Fees and Charges applicable at the time of payment.
Payments must be made prior to the issue of the Construction Certificate or prior to the commencement of work (if there is no associated Construction Certificate).
Please contact Council prior to the payment of Section 94 Contributions to determine whether the amounts have been indexed from that indicated below in this consent and the form of payment that will be accepted by Council.
Form of payment for transactions $500,000 or over - Council will only accept Bank Cheque or Electronic Funds Transfer (EFT) for transaction values of $500,000 or over. Council must be contacted prior to payment to determine correct total amount to be paid and bank account details (if applicable)
(a) Fees to be paid:
Fee types, bonds and contributions
|
Fee Type |
|
Long Service Levy (to Long Service Corporation) |
|
Builders Damage Deposit |
|
Inspection Fee for Refund of Damage Deposit |
The following fees apply where you appoint Council as your Principal Certifying Authority (PCA). (If you appoint a private PCA, separate fees will apply)
|
PCA Services Fee |
$2,200.00 |
|
Construction Certificate Application Fee |
$2,200.00 |
|
Construction Certificate Imaging Fee |
$172.00 |
Fees and charges above are subject to change and are as set out in the version of Council's Schedule of Fees and Charges or as required by other Government Authorities, applicable at the time of payment.
3. GEN1014 - Long Service Levy - Submit evidence of payment of the Building and Construction Industry Long Service Leave Levy to the Principal Certifying Authority. Note this amount is based on the cost quoted in the Development Application, and same may increase with any variation to estimated cost which arises with the Construction Certificate application. To find out the amount payable go to www.lspc.nsw.gov.au or call 131441. Evidence of the payment of this levy must be submitted with the Construction Certificate application.
4. GEN1015 - Damage Deposit - Minor Works - In order to insure against damage to Council property the following is required:
(a) Payment to Council of a damage deposit for the cost of making good any damage caused to any Council property as a result of the development: $1,500.00.
(b) Payment to Council of a non-refundable inspection fee to enable assessment of any damage and repairs where required: $140.00.
(c) At the completion of work Council will inspect the public works, and the damage deposit will be refunded in full upon completion of work where no damage occurs. Otherwise the amount will be either forfeited or partly refunded according to the amount of damage.
(d) Prior to the commencement of work a photographic record of the condition of the Council nature strip, footpath and driveway crossing, or any area likely to be affected by the proposal, shall be submitted to Council
(e) Payments pursuant to this condition are required to be made to Council before the issue of the Construction Certificate.
(f) Fees and charges above are subject to change and are as set out in the version of Council's Schedule of Fees and Charges or as required by other Government Authorities, applicable at the time of payment.
SEPARATE APPROVALS UNDER OTHER LEGISLATION
These conditions have been imposed to ensure that the applicant is aware of any separate approvals required under other legislation, for example: approvals required under the Local Government Act 1993 or the Roads Act 1993.
5. APR6001 - Engineering - Section 138 Roads Act and Section 68 Local Government Act 1993
Unless otherwise specified by a condition of this consent, this Development Consent does not give any approval to undertake works on public infrastructure.
A separate approval is required to be lodged and approved under Section 138 of the Roads Act 1993 and/or Section 68 of the Local Government Act 1993 for any of the following activities carried out in, on or over a public road (including the footpath):
(a) Placing or storing materials or equipment;
(b) Placing or storing waste containers or skip bins;
(c) Erecting a structure or carrying out work
(d) Swinging or hoisting goods over any part of a public road by means of a lift, crane or the like;
(e) Pumping concrete from a public road;
(f) Pumping water from the site into the public road;
(g) Constructing a vehicular crossing or footpath;
(h) Establishing a “works zone”;
(i) Digging up or disturbing the surface of a public road (e.g. Opening the road for the purpose of connections to utility providers);
(j) Stormwater and ancillary works in the road reserve; and
(k) Stormwater and ancillary to public infrastructure on private land
(l) If any excavation is to be supported by the use of below ground (cable) anchors that are constructed under Council’s roadways/footways.
These separate activity approvals must be obtained and evidence of the approval provided to the Certifying Authority prior to the issue of the Construction Certificate.
The relevant Application Forms for these activities can be downloaded from Hurstville City Council’s website at: www.hurstville.nsw.gov.au
For further information, please contact Council’s Customer Service Centre on (02)9330 6222.
6. APR6002 - Engineering - Vehicular Crossing - Minor Development - Constructing a vehicular crossing and/or footpath requires a separate approval under Section 138 of the Roads Act 1993 prior to the issue of the Construction Certificate.
To apply for approval, complete the Driveway Crossing on Council Road Reserve Application Form which can be downloaded from Hurstville Council’s Website: www.hurstville.nsw.gov.au
Lodge the application form, together with the associated fees at Council’s Customer Service Centre, during business hours. Refer to Section P1 and P2, in Council’s adopted Fees and Charges for the administrative and inspection charges associated with Vehicular Crossing applications.
Please note, that an approval for a new or modified vehicular crossing will contain the approved access and/or alignment levels which will be required to construct the crossing and/or footpath. Once approved, all work shall be carried out by a private contractor in accordance with Council’s Specification for Vehicular Crossings and Associated Works prior to the issue of the Occupation Certificate.
7. APR6004 - Engineering - Road Opening Permit - A Road Opening Permit must be obtained from Council, in the case of local or regional roads, or from the Roads and Maritime Services, in the case of State roads, for every opening of a public road reserve to access services including sewer, stormwater drains, water mains, gas mains, and telecommunications before the commencement of work in the road.
REQUIREMENTS OF OTHER GOVERNMENT AGENCIES
These conditions have been imposed by other NSW Government agencies either through their role as referral bodies, concurrence authorities or by issuing General Terms of Approval under the Integrated provisions of the Environmental Planning and Assessment Act 1979.
8. GOV1007 - Sydney Water - Quick Check - The approved plans must be submitted to a Sydney Water Quick Check agent or Customer Care Centre to determine whether the development application will affect Sydney Water’s sewer and water mains, storm water drains and/or easements, and if further requirements need to be met. The approved plans will be appropriately stamped. For Quick Check agent details please refer to Sydney Water’s website: www.sydneywater.com.au
PRIOR TO THE ISSUE OF THE CONSTRUCTION CERTIFICATE
These conditions either require modification to the development proposal or further investigation/information prior to the issue of the Construction Certificate to ensure that there is no adverse impact.
9. CC3011 - Development Engineering - Stormwater - Energy Dissipating Structure - An outfall apron or energy dissipating structure at the point of discharge, fully contained within the development site, is to be provided with all outflow directed away from neighbouring properties and directly towards Georges River.
Details shall be shown on the Stormwater Plan submitted for approval with the Construction Certificate application.
10. CC7012 - Building - Swimming Pool Design and Construction - The design and construction of the swimming pool and associated fencing and equipment must comply with:
(a) The Swimming Pools Act 1992 and Regulation 2008
(b) Building Code of Australia
(c) Australian Standard 1926.1-2007 - Swimming Pool Safety
(d) Council's Development Control
(e) Protection of the Environment Operations Act 1997
(f) AS1926.3-2010 - Water Recirculation Systems
No water must be placed in the pool/spa until the safety fences have been completed in accordance with the approved plans and specifications and satisfactorily inspected by the Principal Certifying Authority.
11. CC7013 - Building - Swimming Pools - Use and Maintenance - The following apply to the construction, use and maintenance of swimming pools and spas:
(a) no ground level may be raised or filled except where shown specifically on the approved plans;
(b) all pool/spa waste water is to be discharged to the sewer according to the requirements of Sydney Water;
(c) the swimming pool must not be used for commercial or professional purposes;
(d) pool water quality must be maintained to Council's satisfaction;
(e) install a hydrostatic pressure relief valve in the base of the pool (in ground pools);
(f) provide permanently fixed depth markers at each end of the pool;
(g) drain paved areas to the landscaped areas;
(h) arrange any external pool/spa lighting to minimise glare nuisance to adjoining owners; and
(i) operation and sound emissions of swimming pool pump and filter equipment are to be in accordance with the POEO Act and Department of Environment and Conservation Guidelines.
12. CC2004 - Development Assessment - Design Changes - The following design changes are required and are to be incorporated into the plans to be lodged with the Construction Certificate application.
The submitted concept hydraulic plan shall be amended:
(a) to indicate that the headwall - with provision for erosion control - at the point of discharge from the drainage system shall be fully contained within the development site;
(b) so that the grated drain and pipe outlet at the entrance to the ground floor garage are adequate to intercept and manage overland flow from a 1:100yr ARI storm event that may accumulate at that point.
These design changes are to be incorporated into the Detailed Hydraulic Plans submitted for approval with the Construction Certificate Application.
13. CC2001 - Development Assessment - Erosion and Sedimentation Control - Erosion and sediment controls must be provided to ensure:
(a) Compliance with the approved Erosion and Sediment Control Plan
(b) Removal or disturbance of vegetation and top soil is confined to within 3m of the approved building area (no trees to be removed without approval)
(c) all clean water run-off is diverted around cleared or exposed areas
(d) silt fences, stabilised entry/exit points or other devices are installed to prevent sediment from entering drainage systems or waterways
(e) all erosion and sediment controls are fully maintained for the duration of demolition, excavation and/or development works
(f) controls are put into place to prevent tracking of sediment by vehicles onto adjoining roadway
(g) all disturbed areas are rendered erosion-resistant by turfing, mulching, paving or similar
(h) Compliance with Managing Urban Stormwater - Soils and Construction (Blue Book) produced by Landcom 2004.
These measures are to be implemented before the commencement of work (including demolition and excavation) and must remain until the issue of the Occupation Certificate.
14. CC2002 - Development Assessment - Site Management Plan - Minor Development - A Site Works Plan detailing all weather access control points, sedimentation controls, fencing, builder’s site sheds office, amenities, materials storage and unloading arrangements must be submitted with the application for the Construction Certificate.
15. CC2008 - Development Assessment - Landscape Plan - A detailed landscape plan, drawn to scale, by a qualified landscape architect or landscape designer, must be submitted prior to the issue of the Construction Certificate. The plan must include:
(i) Location of existing and proposed structures on the site including existing trees (if applicable);
(ii) Details of earthworks including mounding and retaining walls and planter boxes (if applicable);
(iii) Location, numbers and type of plant species;
(iv) Details of planting procedure and maintenance;
(v) Details of drainage and watering systems.
The plan must include screen planting along the eastern and western side boundaries alongside the pool area as indicated on the approved ‘Lower Ground Floor Plan 3’ dated 21.08.15.
16. CC2011 - Development Assessment - BASIX Commitments - All energy efficiency measures as detailed in the BASIX Certificate No.656294S dated 24 August 2015, approved with the Development Consent DA2015/0307, must be implemented on the plans lodged with the application for the Construction Certificate.
17. CC2033 - Development Assessment - Compliance with the Swimming Pool Act 1992 - The alterations and additions to the dwelling house and/or the construction of the new dwelling house subject of this consent must not generate any non-compliances with the Swimming Pools Act 1992, Swimming Pool Regulation 2008, Building Code of Australia and/or AS 1926.1-2007 - Swimming Pool Safety. Details of compliance to be illustrated on the plans lodged with the application for the Construction Certificate.
18. CC3001 - Development Engineering - Stormwater System
|
Reference No. |
Date |
Description |
Revision |
Prepared by |
|
15.329 SW1 and SW2 |
3/8/15 |
Concept Lower Ground Drainage Plan, and Concept Ground Drainage Plan and Details |
O |
E2 Civil and Structural Design Pty Ltd |
The above submitted stormwater plan has been assessed as a concept plan only and no detailed assessment of the design has been undertaken.
All overflows of roof waters from any rainwater tank, and all other impervious surface water runoff such as driveways and footpaths shall drain by gravity directly to Georges River in accordance with the Australian/New Zealand Standard AS/NZS 3500.3: 2003 (as amended).
The design of this proposed drainage system must be prepared by a qualified practising hydraulics engineer (with details of qualifications being provided).
Design details and certification shall be submitted for approval with the Construction Certificate application.
19. CC3004 - Development Engineering - Stormwater Drainage Plans - The submitted stormwater plan has been assessed as a concept plan only and no detailed assessment of the design has been undertaken.
Stormwater drainage plans including pipe sizes, type, grade, length, invert levels, dimensions and types of drainage pits prepared by a qualified practising hydraulics engineer (with details of qualifications being provided) in accordance with the Australian Institute of Engineers Australian Rainfall and Runoff (1987) and Council's Stormwater Drainage Guidelines, shall accompany the application for the Construction Certificate.
20. CC6004 - Engineering - Traffic Management - Compliance with AS2890 - All driveways, access ramps, vehicular crossings and car parking spaces shall be designed and constructed in accordance with the current version of Australian Standards, AS 2890.1 (for car parking facilities) and AS 2890.2 (for commercial vehicle facilities).
21. CC7004 - Building - Structural details - Structural plans, specifications and design statement prepared and endorsed by a suitably qualified practising structural engineer who holds the applicable Certificate of Accreditation as required under the Building Professionals Act 2005 shall be submitted along with the Construction Certificate application to the Certifying Authority for any of the following, as required by the building design:
(a) piers
(b) footings
(c) slabs
(d) columns
(e) structural steel
(f) reinforced building elements
(g) swimming pool design
(h) retaining walls
(i) stabilizing works
(j) structural framework
22. CC7010 - Building - Geotechnical Reports - The applicant must submit a Geotechnical Report, prepared by a suitably qualified Geotechnical Engineer who holds the relevant Certificate of accreditation as required under the Building Professionals Act 2005 in relation to dilapidation reports, all site works and construction. This is to be submitted before the issue of the Construction Certificate and is to include:
(a) Investigations certifying the stability of the site and specifying the design constraints to be placed on the foundation, any earthworks/stabilization works and any excavations.
(b) Dilapidation Reports on the adjoining properties including, but not limited to properties with a common boundary to the subject site prior to any excavation of site works. The Dilapidation Report is to include assessments on, but not limited to, the dwellings at those addresses and any external paths, grounds etc. This must be submitted to the Certifying Authority and the adjoining residents as part of the application for the Construction Certificate. Adjoining residents are to be provided with the report five (5) working days prior to any works on the site.
(c) On-site guidance by a vibration specialist during the early part of excavation.
(d) Rock breaking techniques. Rock excavation is to be carried out with tools such as rock saws which reduce vibration to adjoining buildings and associated structures.
(e) Sides of the excavation are to be piered prior to any excavation occurring to reinforce the walls of the excavation to prevent any subsidence to the required setbacks and neighbouring sites.
PRIOR TO THE COMMENCEMENT OF WORK (INCLUDING DEMOLITION AND EXCAVATION)
These conditions have been imposed to ensure that all pre-commencement matters are dealt with and finalised prior to the commencement of work.
23. PREC2001 - Building regulation - Site sign - Soil and Erosion Control Measures - Prior to the commencement of works (including demolition and excavation), the durable site sign issued by Hurstville City Council in conjunction with this consent must be erected in a prominent location on site. The site sign warns of the penalties which apply to pollution, storing materials on road or footpath and breaches of the conditions relating to erosion and sediment controls. The sign must remain in a prominent location on site up until the completion of all site and building works.
24. PREC2002 - Development Assessment - Demolition and Asbestos - The demolition work shall comply with the provisions of Australian Standard AS2601:2011 - Demolition of Structures, NSW Work Health and Safety Act 2011 and the NSW Work Health and Safety Regulation 2011. The work plans required by AS2601-2001 shall be accompanied by a written statement by a suitably qualified person that the proposals contained in the work plan comply with the safety requirements of the Standard. The work plans and the safety statement shall be submitted to the Principal Certifying Authority prior to the commencement of works.
For demolition work which involves the removal of asbestos, the asbestos removal work must be carried out by a licensed asbestos removalist who is licensed to carry out the work in accordance with the NSW Work Health and Safety Act 2011 and the NSW Work Health and Safety Regulation 2011 unless specified in the Act and/or Regulation that a license is not required.
The asbestos removal work shall also be undertaken in accordance with the How to Safely Remove Asbestos: Code of Practice published by Work Cover NSW.
Copies of the Act, Regulation and Code of Practice can be downloaded free of charge from the Work Cover NSW website: www.workcover.nsw.gov.au
25. PREC2008 - Development Assessment - Demolition Notification Requirements - The following notification requirements apply to this consent:
a) The developer /builder must notify adjoining residents five (5) working days prior to demolition. Such notification is to be a clearly written note giving the date demolition will commence, contact details of the developer/builder, licensed asbestos demolisher and the appropriate regulatory authority. Notification is to be placed in the letterbox of every premises (including every residential flat or unit, if any) either side and immediately at the rear of the demolition site.
b) Five (5) working days prior to demolition, the developer/builder is to provide written notification to Hurstville City Council advising of the demolition date, details of the WorkCover licensed asbestos demolisher and the list of residents advised of the demolition.
c) On demolition sites where buildings to be demolished contain asbestos, a standard commercially manufactured sign containing the words “DANGER ASBESTOS REMOVAL IN PROGRESS” measuring not less than 400mm x 300mm is to be erected in a prominent visible position (from street frontage) on the site. The sign is to be erected prior to demolition work commencing and is to remain in place until such time as all asbestos material has been removed from the site to an approved waste facility.
26. PREC2009 - Development Assessment - Demolition work involving asbestos removal - Work involving bonded asbestos removal work (of an area of more than 10 square metres) or friable asbestos removal work must be undertaken by a person who carries on a business of such removal work in accordance with a licence under clause 458 of the Work Health and Safety Regulation 2011.
27. PREC6001 - Engineering - Dial before your dig - The applicant shall contact “Dial Before You Dig on 1100” to obtain a Service Diagram prior to the issuing of the Construction Certificate. The sequence number obtained from “Dial Before You Dig” shall be forwarded to Council’s Engineers for their records.
28. PREC7001 - Building - Registered Surveyors Report - During Development Work - A report must be submitted to the Principal Certifying Authority at each of the following applicable stages of construction:
(a) Set out before commencing excavation.
(b) Floor slabs or foundation wall, before formwork or commencing brickwork.
(c) Completion of Foundation Walls - Before any construction of flooring, detailing the location of the structure relative to adjacent boundaries and floor levels relative to the datum shown on the approved plans.
(d) Completion of Floor Slab Formwork - Before pouring of concrete/walls construction, detailing the location of the structure relative to adjacent boundaries and floor levels relative to the datum shown on the approved plans. In multi-storey buildings a further survey must be provided at each subsequent storey.
(e) Completion of any Pool Formwork - Before concreting of pool shell, detailing the location of the pool relative to the adjacent boundaries and its height relative to the datum shown on the approved plans.
(f) Completion of any Roof Framing - Before roof covered detailing eaves/gutter setback from boundaries.
(g) Completion of all Work - Detailing the location of the structure (including eaves/gutters) relative to adjacent boundaries and its height relative to the datum shown on the approved plans. A final Check Survey must indicate the reduced level of the main ridge.
(h) Other.
Work must not proceed beyond each stage until the Principal Certifying Authority is satisfied that the height and location of the building is proceeding in accordance with the approved plans.
29. PREC7002 - Building - Utility Arrangements - Arrangements are to be made with utility authorities in respect to the services supplied by those authorities to the development. The cost associated with the provision or adjustment of services within the road and footway areas is to be at the developer’s expense.
DURING WORK
These conditions have been imposed to ensure that there is minimal impact on the adjoining development and surrounding locality during the construction phase of the development.
30. CON2001 - Development Assessment - Hours of construction, demolition and building related work - Any work activity or activity associated with the development consent that requires the use of any tools (including hand tools) or any power operated plant and machinery that creates noise on or adjacent to the site shall not be performed, or permitted to be performed, except between the hours of 7.00 am to 5.00 pm, Monday to Saturday inclusive. No work or ancillary activity shall be permitted to be performed on any Sunday, Good Friday, Christmas Day or any Public Holiday. A penalty infringement notice may be issued for any offence.
In addition to the foregoing requirements, construction work on all buildings (except that on single dwelling houses and associated structures on the site of a single dwelling house) shall be prohibited on Saturdays and Sundays on weekends adjacent to a public holiday.
31. CON2002 - Development Assessment - Ground levels and retaining walls - The ground levels of the site shall not be excavated, raised or filled, or retaining walls constructed on the allotment boundary, except where indicated on approved plans or approved separately by Council.
32. CON3001 - Development Engineering - Physical connection of stormwater to site - No work is permitted to proceed above the ground floor slab level of the building until there is physical connection of the approved stormwater drainage system from the land the subject of this consent directly to Georges River.
33. CON6002 - Engineering - Obstruction of Road or Footpath - The use of the road or footpath for the storage of any building materials, waste materials, temporary toilets, waste or skip bins, or any other matter is not permitted unless separately approved by Council under Section 138 of the Roads Act and/or under Section 68 of the Local Government Act 1993. Penalty Infringement Notices may be issued for any offences and severe penalties apply.
34. CON8001 - Waste - Waste Management Facility - All materials removed from the site as a result of demolition, site clearing, site preparation and, or excavation shall be disposed of at a suitable Waste Management Facility. No vegetation, article, building material, waste or the like shall be ignited or burnt whatsoever or in association with the work on site. Copies of all receipts for the disposal, or processing of all such materials shall be submitted to the Principal Certifying Authority and a copy provided to the Manager Environmental Services, Hurstville City Council.
PRIOR TO THE ISSUE OF THE OCCUPATION CERTIFICATE
These conditions have been imposed to ensure that all works have been completed in accordance with the Development Consent prior to the issue of the Occupation Certificate.
35. OCC3002 - Development Engineering - Works as Executed and Certification of Stormwater works - Prior to the issue of an Occupation Certificate, the Principal Certifying Authority must ensure that the stormwater drainage system has been constructed in accordance with the approved design and relevant Australian Standards.
A works-as-executed drainage plan and certification must be forwarded to the Principal Certifying Authority and Hurstville City Council, from a suitably qualified and experienced Hydraulic Consultant/Engineer.
This Plan and Certification shall confirm that the design and construction of the stormwater drainage system satisfies the conditions of development consent and the Construction Certificate stormwater design details approved by the Certifying Authority.
(a) The works-as-executed drainage plan must be prepared by a suitably qualified and experienced Hydraulic Engineer in conjunction with a Registered Surveyor and the works-as-executed plan must include the location of the energy dissipater and pipeline, and diameter, reduced levels, gradient and material (i.e. PVC, RC etc) of all stormwater pipes.
36. OCC2004 - Development Assessment - BASIX Compliance Certificate - A Compliance Certificate must be provided to the Principal Certifying Authority regarding the implementation of all energy efficiency measures as detailed in the BASIX Certificate No.656294S dated 24 August 2015, and in the plans approved with the Development Consent/ Construction Certificate, before issue of the Occupation Certificate.
37. OCC2005 - Development Assessment - Completion of Landscape Works - All landscape works must be completed before the issue of the Final Occupation Certificate.
38. OCC6001 - Engineering - Vehicular crossing - Minor development - The vehicular crossing and/or footpath works shall be constructed by a private contractor at the expense of the beneficiary of this consent, in accordance with the Vehicular Crossing Approval issued by Council’s Engineering Services Division and in accordance with Council’s Specification for Vehicular Crossings and Associated Works and the issued.
Any existing vehicular crossing and/or laybacks which are redundant must be removed. The kerb and gutter, any other footpath and turf areas shall be restored at the expense of the beneficiary of this consent and in accordance with Council’s Specification for Vehicular Crossings and Associated Works.
Please Note: No stencilled or coloured concrete may be used outside the boundary of the property.
The work must be completed before the issue of an Occupation Certificate.
ONGOING CONDITIONS
These conditions have been imposed to ensure that the use or operation of the development does not adversely impact on the amenity of the neighbourhood or environment.
39. ONG2004 - Development Assessment - Swimming Pools - Resuscitation Notice - An expired air resuscitation warning notice complying with the Swimming Pools Act, 1992 must be affixed in a prominent position adjacent to the pool.
40. ONG4038 - Health - Swimming Pools and Spas - Maintenance - Swimming and spa pools must be maintained:
(a) in compliance with the NSW Health “Public Swimming Pool and Spa Pool Guidelines” in force at that time,
(b) in compliance with AS 1926.3-2003 - Swimming pool safety - Water recirculation and filtration systems (as amended),
(c) with backwash being discharged to the sewer in compliance with clause 10.9 (Figure 10.2) of AS/NZS 3500.2.2:1996 - National Plumbing and Drainage - Sanitary plumbing and drainage - Acceptable solutions (as amended), and
(d) with a timer that limits the recirculation and filtration systems operation such that it does not emit noise that can be heard within a habitable room in any other residential premises (regardless of whether any door or window to that room is open):
§ before 8am or after 8pm on any Sunday or public holiday, or
§ before 7am or after 8pm on any other day.
41. ONG4039 - Health - Swimming Pools and Spas - Pump Noise - The swimming pool/spa pump and associated equipment must be located so that the noise emitted does not exceed 5dB(A) above the background level.
If this cannot be achieved, a ventilated and sound-proofed enclosure must enclose the pump to achieve the required noise levels.
42. ONG4040 - Health - Swimming Pools and Spas - Operation - The operation of the pool/spa is to comply with the requirements of the:
(a) Public Health Act 2010 (as amended),
(b) Public Health Regulation 2012 (as amended),
(c) NSW Health Department Public Swimming Pool and Spa Pool Guidelines 1996 (as amended), and
(d) Australian Standard AS3633-1989 - Private Swimming Pools - Water quality (as amended).
43. ONG2003 - Development Assessment - Maintenance of Landscaping - All trees and plants forming part of the landscaping must be maintained on an ongoing basis. Maintenance includes watering, weeding, removal of rubbish from tree bases, fertilizing, pest and disease control and any other operations required to maintain healthy trees, plants and turfed areas.
44. ONG4018 - Health - Amenity of the neighbourhood - The implementation of this development shall not adversely affect the amenity of the neighbourhood or interfere unreasonably with the comfort or repose of a person who is outside the premises by reason of the emission or discharge of noise, fumes, vapour, odour, steam, soot, dust, waste water, waste products, grit, oil or other harmful products.
No vegetation, article, building material, waste or the like shall be ignited or burnt whatsoever or in association with the work on site.
ADVICE
This advice has been included to provide additional information and where available direct the applicant to additional sources of information based on the development type.
45. ADV2002 - Development Assessment - Site Safety Fencing - Site fencing must be erected in accordance with WorkCover Guidelines, to exclude public access to the site throughout the demolition and/or construction work, except in the case of alterations to an occupied dwelling. The fencing must be erected before the commencement of any work and maintained throughout any demolition and construction work.
For more information visit www.workcover.nsw.gov.au
46. ADV2008 - Development Assessment - Register your swimming pool - Have you registered your Swimming Pool? All swimming pools in NSW are required to be registered. Fines apply for pools that are not registered. To register please visit: www.swimmingpoolregister.nsw.gov.au/inspection
47. ADV2009 - Development Assessment - Security deposit administration & compliance fee - Under Section 97(5) of the Local Government Act 1993, a security deposit (or part) if repaid to the person who provided it is to be repaid with any interest accrued on the deposit (or part) as a consequence of its investment.
Council must cover administration and other costs incurred in the investment of these monies. The current charge is $50.00 plus 2% of the bond amount per annum.
Interest rate applied to bonds is set at Council's business banking facility rate as at 1 July each year. Council will accept a bank guarantee in lieu of a deposit.
All interest earned on security deposits will be used to offset the Security Deposit Administration and Compliance fee. Where interest earned on a deposit is not sufficient to meet the fee, it will be accepted in full satisfaction of the fee.
Schedule B – Prescribed Conditions
Prescribed conditions are those which are mandated under Division 8A of the Environmental Planning and Assessment Regulation 2000 and given weight by Section 80A (11) of the Environmental Planning and Assessment Act 1979.
Detailed below is a summary of all the prescribed conditions which apply to development in New South Wales. Please refer to the full details of the prescribed conditions as in force, at www.legislation.nsw.gov.au.
It is the responsibility of the beneficiary of this consent to determine which prescribed conditions apply.
48. PRES1001 - Clause 97A – BASIX Commitments - This Clause requires the fulfilment of all BASIX Commitments as detailed in the BASIX Certificate to which the development relates.
49. PRES1002 - Clause 98 – Building Code of Australia & Home Building Act 1989 - Requires all building work to be carried out in accordance with the Building Code of Australia. In the case of residential building work to which the Home Building Act 1989 relates, there is a requirement for a contract of insurance to be in force before any work commences.
50. PRES1003 - Clause 98A – Erection of Signs - Requires the erection of signs on site and outlines the details which are to be included on the sign. The sign must be displayed in a prominent position on site and include the name and contact details of the Principal Certifying Authority and the Principal Contractor.
51. PRES1004 - Clause 98B – Home Building Act 1989 - If the development involves residential building work under the Home Building Act 1989, no work is permitted to commence unless certain details are provided in writing to Council. The name and licence/permit number of the Principal Contractor or Owner Builder and the name of the Insurer by which work is insured under Part 6 of the Home Building Act 1989.
52. PRES1007 - Clause 98E – Protection & support of adjoining premises - If the development involves excavation that extends below the level of the base of the footings of a building on adjoining land, this prescribed condition requires the person who benefits from the development consent to protect and support the adjoining premises and where necessary underpin the adjoining premises to prevent any damage.
Schedule C – Operational & Statutory Conditions
These conditions comprise the operational and statutory conditions which must be satisfied under the Environmental Planning and Assessment Act 1979 and the Environmental Planning & Assessment Regulation 2000. Please refer to the full details of the Act and Regulations as in force, at www.legislation.nsw.gov.au.
It is the responsibility of the beneficiary of this consent to determine which operational and statutory conditions apply.
53. OPER1001 - Requirement for a Construction Certificate - The erection of a building must not commence until a Construction Certificate has been issued by the consent authority, the Council (if the Council is not the consent authority) or an accredited certifier.
An application form for a Construction Certificate is attached for your convenience.
54. OPER1002 - Appointment of a Principal Certifying Authority - The erection of a building must not commence until the beneficiary of the development consent has:
(a) appointed a Principal Certifying Authority (PCA) for the building work; and
(b) if relevant, advised the PCA that the work will be undertaken as an Owner-Builder.
If the work is not going to be undertaken by an Owner-Builder, then the beneficiary of the consent must:
(a) appoint a Principal Contractor to undertake the building work. If residential building work (within the meaning of the Home Building Act 1989) is to be undertaken, the Principal Contractor must be a holder of a contractor licence; and
(b) notify the PCA of the details of any such appointment; and
(c) notify the Principal Contractor of any critical stage inspections or other inspections that are required to be carried out in respect of the building work.
An Information Pack is attached for your convenience should you wish to appoint Hurstville City Council as the Principal Certifying Authority for your development.
55. OPER1003 - Notification of Critical Stage Inspections - No later than two (2) days before the building work commences, the PCA must notify:
(a) the consent authority and the Council (if not the consent authority) of his or her appointment; and
(b) the beneficiary of the development consent of the critical stage inspections and other inspections that are to be carried out with respect to the building work.
56. OPER1004 - Notice of Commencement - The beneficiary of the development consent must give at least two (2) days’ notice to the Council and the PCA of their intention to commence the erection of a building.
A Notice of Commencement Form is attached for your convenience.
57. OPER1007 - Critical Stage Inspections - The last critical stage inspection must be undertaken by the Principal Certifying Authority. The critical stage inspections required to be carried out vary according to Building Class under the Building Code of Australia and are listed in Clause 162A of the Environmental Planning and Assessment Regulation 2000.
58. OPER1008 - Notice to be given prior to critical stage inspections - The principal contractor for a building site, or the owner-builder, must notify the principal certifying authority at least 48 hours before each required inspection needs to be carried out.
Where Hurstville City Council has been appointed PCA, forty eight (48) hours’ notice in writing, or alternatively twenty four (24) hours’ notice by facsimile or telephone, must be given to when specified work requiring inspection has been completed.
59. OPER1009 - Occupation Certificate - A person must not commence occupation or use of the whole or any part of a new building unless an Occupation Certificate has been issued in relation to the building or part.
Only the Principal Certifying Authority appointed for the building work can issue the Occupation Certificate.
An Occupation Certificate Application Form is attached for your convenience.
If you need more information, please contact the Senior Development Assessment Officer, below on 9330-6222 during normal office hours.
For video relating to 64 Lansdowne Pde Oatley, click here.
|
Appendix View1 |
Location Plan - 64 Lansdowne Pde Oatley |
|
Appendix View2 |
Site Photo - 64 Lansdowne Pde Oatley |
|
Appendix View3 |
Site Analysis and Landscape Plan - 64 Lansdowne Pde Oatley |
|
Appendix View4 |
North and South Elevations- 64 Lansdowne Parade Oatley |
|
Appendix View5 |
East Elevation - 64 Lansdowne Pde Oatley |
|
Appendix View6 |
West Elevation - 64 Lansdowne Pde Oatley |
|
Appendix View7 |
Shadow Diagram - 21 June - 64 Lansdowne Pde Oatley |
|
Appendix View8 |
Exception to Development Standard - 64 Lansdowne Pde Oatley |
|
Appendix View9 |
Company Extract - Owner - 64 Lansdowne Pde Oatley (Confidential) |
Hurstville City Council – Council Meeting Wednesday, 2 March 2016
CCL063-16 64 Lansdowne Pde Oatley - Demolition of Existing and Construction of Multi-level Single Dwelling
[Appendix 1] Location Plan - 64 Lansdowne Pde Oatley
CCL063-16 64 Lansdowne Pde Oatley - Demolition of Existing and Construction of Multi-level Single Dwelling
[Appendix 2] Site Photo - 64 Lansdowne Pde Oatley
CCL063-16 64 Lansdowne Pde Oatley - Demolition of Existing and Construction of Multi-level Single Dwelling
[Appendix 3] Site Analysis and Landscape Plan - 64 Lansdowne Pde Oatley

CCL063-16 64 Lansdowne Pde Oatley - Demolition of Existing and Construction of Multi-level Single Dwelling
[Appendix 4] North and South Elevations- 64 Lansdowne Parade Oatley
CCL063-16 64 Lansdowne Pde Oatley - Demolition of Existing and Construction of Multi-level Single Dwelling
[Appendix 5] East Elevation - 64 Lansdowne Pde Oatley

CCL063-16 64 Lansdowne Pde Oatley - Demolition of Existing and Construction of Multi-level Single Dwelling
[Appendix 6] West Elevation - 64 Lansdowne Pde Oatley

CCL063-16 64 Lansdowne Pde Oatley - Demolition of Existing and Construction of Multi-level Single Dwelling
[Appendix 7] Shadow Diagram - 21 June - 64 Lansdowne Pde Oatley
CCL063-16 64 Lansdowne Pde Oatley - Demolition of Existing and Construction of Multi-level Single Dwelling
[Appendix 8] Exception to Development Standard - 64 Lansdowne Pde Oatley







CCL064-16 11 11A and 13 Apsley St Penshurst - Demolition of Existing and Construction of Three Storey Residential Flat Building
|
Applicant |
W Karavelas |
|
Proposal |
Demolition of the existing structures and construction of a three storey residential flat building with basement parking |
|
Owners |
Jenner Holdings NSW Pty Ltd |
|
Report Author/s |
Senior Development Assessment Officer, Ms T Gizzi |
|
File |
DA2015/0122 |
|
Previous Reports Referenced |
No |
|
Disclosure of Political Donations or Gifts |
No |
|
Zoning |
Zone R3 - Medium Density Residential |
|
Existing Development |
Single Dwelling Houses |
|
Cost of Development |
$3,520,000.00 |
|
Reason for Referral to Council |
Variation to DCP1
|
|
Planning Instruments Applicable |
Hurstville Local Environmental Plan 2012, State Environmental Planning Policy No 55 – Remediation of Land, State Environmental Planning Policy (Building Sustainability Index: BASIX) 2004, State Environmental Planning Policy No 65 – Design Quality of Residential Flat Development, Draft Amendment to State Environmental Planning Policy No 65 – Design Quality of Residential Flat Development, Development Control Plan No 1 – LGA Wide |
|
Hurstville Local Environment Plan Interpretation of Use |
Residential Flat Building |
EXECUTIVE SUMMARY
1. Development consent is sought for the demolition of existing structures and construction of a three (3) storey residential flat building containing sixteen (16) x two (2) bedroom units with basement car parking.
2. The application has been assessed against the requirements of the relevant planning instruments and Development Control Plan. Minor variations are sought to the requirements of Development Control Plan No 1 – LGA Wide but following an assessment of the proposal the variations are supported.
3. The application was notified / advertised to one hundred and fifty eight (158) adjoining resident/owners and no submissions were received.
|
THAT the application be approved in accordance with the conditions included in the report. |
REPORT DETAIL
DESCRIPTION OF THE PROPOSAL
The proposed development is for the demolition of existing structures and construction of a residential flat building containing sixteen (16) x two (2) bedroom units. A basement is proposed with car parking for twenty (20) vehicles, storage and cycle parking. A front fence is also proposed up to a maximum height of 1.5m.
HISTORY
16 Apr 15 Application lodged with Council.
11 Jun 15 Application presented to the Design Review Panel.
7 Oct 15 Amended plans and information received.
DESCRIPTION OF THE SITE AND LOCALITY
The subject site comprises three (3) adjoining allotments of land formally identified as 11, 11A and 13 Apsley Street Penshurst. Existing on each lot are single storey dwelling houses with outbuildings.
The subject site has a combined frontage being 36.575m and a total site area of 1449sqm. The site topography and survey contours identify a gradual slope from the rear south east corner towards the north western corner of the street frontage of approximately 2.5m. The rear boundary has a cross fall of approximately 2m. Existing on the site are four (4) trees, and three (3) street trees are also present in front of the site.
To the sides and rear of the site are three (3) storey residential flat buildings. Opposite the site are one (1) and two (2) storey multi-dwelling developments. The area is characterised by a mix of low and medium density residential developments.
COMPLIANCE AND ASSESSMENT
The development has been inspected and assessed under the relevant Section 79C(1) "Matters for Consideration" of the Environmental Planning and Assessment Act 1979.
1. Environmental Planning Instruments
HURSTVILLE LOCAL ENVIRONMENTAL PLAN 2012
The extent to which the proposed development complies with the Hurstville Local Environmental Plan 2012 is detailed and discussed in the table below.
|
Clause |
Standard |
Proposed |
Complies |
|
1.2 – Aims of the Plan |
In accordance with Clause 1.2 (2) |
The development is consistent with the aims of the plan |
Yes |
|
1.4 - Definitions |
“Residential Flat Building” |
The proposed development is defined as a residential flat building |
Yes |
|
2.3 - Zone objectives and Land Use Table |
Meets objectives of R3 Zone
Development must be permissible with consent |
Development meets objectives
Is permissible development with consent |
Yes |
|
2.7 - Demolition |
Demolition is permissible with consent |
Demolition is proposed with this application |
Yes |
|
4.3 – Height of Buildings |
12m as identified on Height of Buildings Map |
11.8m maximum |
Yes |
|
4.4 – Floor Space Ratio |
1:1 as identified on Floor Space Ratio Map |
1:1 |
Yes |
|
5.9 – Preservation of Trees or Vegetation |
Trees to be removed are specified in DCP1 |
Five (5) trees are proposed to be removed from the site and one (1) significant tree located at the rear of the site will be retained and protected. Council’s Tree Management Officer has raised no objections to this proposal.
The proposed development also proposes the removal of one (1) of the three (3) street trees from the front of the site to allow for the construction of a driveway. Council’s Tree Management Officer has requested the street tree be retained due to its high amenity value. However as the retention of the tree would prevent the construction of a compliant 6m wide driveway, it is not possible. As such, the removal of the street tree is supported subject to a condition requiring replacement planting. |
Yes |
|
6.7 – Essential Services |
The following services that are essential for the development shall be available or that adequate arrangements must be made available when required: · Supply of water, electricity and disposal and management of sewerage · Stormwater drainage or on-site conservation · Suitable vehicular access |
Adequate facilities for the supply of water and for the removal of sewage available to this land
Stormwater can drain from the site via gravity to the street
New driveway crossing from Apsley Street (standard conditions for the submission of separate vehicular crossing applications and driveway design) |
Yes |
STATE ENVIRONMENTAL PLANNING INSTRUMENTS
Compliance with the relevant state environmental planning policies is detailed and discussed in the table below.
|
State Environmental Planning Policy |
Complies |
|
Greater Metropolitan Regional Environmental Plan No 2 – Georges River Catchment |
N/A |
|
State Environmental Planning Policy 55 – Remediation of Land |
Yes |
|
State Environmental Planning Policy (Building Sustainability Index BASIX) 2004 |
Yes |
STATE ENVIRONMENTAL PLANNING POLICY NO 65 – DESIGN QUALITY OF RESIDENTIAL FLAT DEVELOPMENT
2015 Review of SEPP 65 and Residential Flat Design Code
The changes to SEPP 65 were notified on the NSW legislation website on 19 June 2015, but commenced four (4) weeks after this date on 17 July 2015. The changes to SEPP 65 include savings provisions. For apartment development applications lodged prior to 19 June 2015, the Residential Flat Design Code (RFDC) applies. For apartment development applications lodged after 19 June 2015 and determined after 17 July 2015, the Apartment Design Guide, along with the changes to SEPP 65 will apply.
The subject development application was lodged on the 16 April 2015 and as such the provisions of the RFDC apply as detailed above.
The extent to which the proposed development complies with the controls and principles in the State Environmental Planning Policy 65 – Design Quality of Residential Flat development is detailed and discussed in the tables below.
Application of SEPP 65
|
Clause |
Standard |
Proposal |
Complies |
|
3 - Definitions |
Complies with definition of “Residential Flat Building” (RFB) |
Complies with definition |
Yes |
|
4 - Application of Policy |
Development involves the erection of a new RFB, substantial redevelopment or refurbishment of a RFB or conversion of an existing building into a RFB |
Erection of a new residential flat building |
Yes |
|
30 – Development Applications |
Design verification statement provided by Qualified designer
Registered Architect Name and Registration No. |
Design Verification Statement provided by Registered Architect Mr N Lycenko
Registration No: 3010 |
Yes |
Part 2 Design Quality Principles under the SEPP
|
Clause |
Standard |
Proposal |
Complies |
|
1 – Context |
Good design responds and contributes to its context (eg natural and built features of an area) |
The subject site is located in an area which is characterised by medium density developments. The proposed development satisfactorily responds to its context. |
Yes |
|
2 – Scale |
Good design provides an appropriate scale in terms of the built and height that suits the scale of the street and surrounding buildings |
The proposed building is 3 storeys which is considered appropriate to the scale of the area given its position within an area which contains primarily residential flat buildings |
Yes |
|
3 – Built form |
Good design achieves an appropriate built form for a site and the building’s purpose, in terms of building alignments, proportions, building type and the manipulation of building elements |
The proposal responds appropriately to the site constraints and results in a development that has adequate setbacks and privacy to adjoining properties and open space areas |
Yes |
|
4 - Density |
Good design has a density appropriate for a site and its context, in terms of floor space yields (or number of units or residents) |
Complies with FSR numerical standard of HLEP 2012 |
Yes |
|
5 – Resource, energy and water efficiency |
Good design makes efficient use of natural resources, energy and water throughout its full life cycle, including construction |
The application is supported by a BASIX certificate that satisfies this clause of SEPP |
Yes |
|
6 - Landscape |
Good design recognises that together landscape and buildings operate as an integrated and sustainable system, resulting in greater aesthetic quality and amenity for both occupants and the adjoining public domain |
New planting to the site will improve the site and new trees will be planted to replace the trees that are to be removed. The landscaped open space area of the development exceeds the relevant requirements and provides appropriate and useable private and communal open space areas. |
Yes |
|
7 - Amenity |
Good design provides amenity through the physical, spatial and environmental quality of a development |
The proposal provides satisfactory levels of amenity as private open space areas (courtyards and balconies) to the development are located on ground level or have been treated to reduce privacy impacts. Privacy screens have been provided to the windows and balustrades of balconies to reduce privacy impacts to adjoining developments. |
Yes |
|
8 – Safety and Security |
Good design optimises safety and security, both internal to the development and for the public domain |
The proposal is considered to be consistent with crime prevention principles |
Yes |
|
9 – Social dimensions and housing affordability |
Good design responds to the social context and needs of the local community in terms of lifestyles, affordability, and access to social facilities |
The proposal provides a range of housing options that vary in unit size and adaptable units |
Yes |
|
10 - Aesthetics |
Quality aesthetics require the appropriate composition of building elements, textures, materials and colours and reflect the use, internal design and structure of the development |
The proposed building is of good architectural merit with a mix of building materials and finishes and architectural features
|
Yes |
Clause 30 – Consideration of Residential Flat Design Code Design Controls
|
Clause |
Standard |
Proposal |
Complies |
|
Building Height
|
Ensure future development responds to desired future scale and character of street and local area |
The proposed development is consistent with scale of development permitted under the relevant planning instruments |
Yes |
|
Building Depth |
Maximum 18m (glass line to glass line). For wider buildings must demonstrate how satisfactory daylight and natural ventilation are achieved. |
The proposed building has a depth of 26.5m however satisfactory daylight and ventilation are achieved
|
Yes |
|
Building Separation |
3 to 4 storeys/12m: · 12m between habitable rooms/balconies to habitable rooms/balconies · 9m between habitable rooms/balconies to non-habitable rooms · 6m between non-habitable rooms to non-habitable rooms |
The development achieves a separation distance of between 9m and 12m to 9 Apsley Street and between 9m and 10m to 15 Apsley Street. 11m of separation is achieved between the subject site and the flat building to the rear.
The reduced separation is primarily the result of the side and rear setbacks of the adjoining developments being less than that required by SEPP65. |
No (1) but acceptable |
|
Street setbacks |
Use different setback controls to differentiate between urban and suburban character areas. 5m -9m range is typical in suburban areas |
Front setback = 6.15m with balconies projecting 1m into the front setback (as per requirement of DCP1) |
Yes |
|
Side and rear setbacks |
Relate side setbacks to existing streetscape patterns |
Minor encroachment to building envelope requirements of DCP1. This is discussed in the report below and is found to be acceptable. |
Yes |
|
Floor Space Ratio (FSR) |
To ensure that the development is in keeping with the optimum capacity of the site and the local area. FSR is not specified in the Design Code |
The proposal complies with the maximum FSR of 1:1 |
Yes |
|
Deep Soil Zones |
A minimum of 25% of the open space area of a site should be a deep soil zone |
31.57% of the site deep soil landscaping |
Yes |
|
Fences and walls |
Clearly delineate the public and private domain |
Front fence proposed is of an appropriate height to delineate the public and private domain |
Yes |
|
Landscape design |
Landscape design should optimise useability, privacy, social opportunity, equitable access and respect neighbour’s amenity |
The proposal provides useable open space and appropriate planting to the site in the form of trees, shrubs and ground covers |
Yes |
|
Open Space |
Communal open space should be generally 25% of the site area
Min private open space for apartment at ground level/podium is 25sqm. Min preferred dimension in one direction is 4 metres. |
Communal open space - At the rear of the site adjoining the rear boundary, 224.38sqm (15.5%) of communal open space is provided.
Common open space is also located at the front of the site of 145.57sqm (10%) which results in the area of common open space to the site being 25.5%.
Private open space area to ground floor units exceeds the requirements of DCP1 with the ground floor level private open space being more than 50sqm. Balconies to the units also exceed the minimum requirements of DCP1. |
Yes |
|
Orientation |
Position and orientate buildings to maximise solar access |
The proposed building has appropriately been positioned and oriented to maximise solar access |
Yes |
|
Planting on structures |
Design for optimum conditions for plant growth |
Small sized planting is limited to planter boxes and medium-large sized trees are to be planted in deep soil areas |
Yes |
|
Stormwater Management |
Reduce the volume impact of stormwater on infrastructure by retaining it on site |
Stormwater disposal is appropriate subject to conditions of consent |
Yes |
|
Safety |
Undertake a formal crime prevention assessment of the development |
Development is consistent with crime prevention principles |
Yes |
|
Visual privacy |
Provide reasonable levels of visual privacy |
The proposal provides satisfactory levels of visual privacy. Privacy screens have been used on first floor windows where necessary to protect privacy. Masonry balustrades have also been used to side balconies at first and second floor levels to improve privacy to the private open space areas. |
Yes |
|
Building Entry |
Create entrance which provides a desirable residential identity for development |
The main entrance of the building is clearly visible |
Yes |
|
Parking |
Provide adequate car parking for the building and integrate parking with the design of the building |
Basement car parking proposed meets requirements |
Yes |
|
Pedestrian Access |
Promote residential flat development that is well connected to street and contributes to accessibility
Barrier free access to at least 20% of units |
Continuous access path of travel from the street to the main entrance of the building with 100% of units being barrier free |
Yes |
|
Vehicle Access |
Limit width of driveways to 6 metres. Integrate adequate car parking and servicing access without compromising character |
Driveway is 5.5m wide
Basement parking is not visible from the street |
Yes |
|
Apartment Layout |
· Maximum depth from window of single aspect apartment 8.0m
|
The development comprises 4 single aspect units that have a maximum depth of 10m. Even so, the living/dining rooms and the bedrooms are all within 8m of a window and satisfactory amenity is maintained. |
No, but acceptable |
|
· The back of a kitchen should be no more than 8 metres from a window. |
Complies
|
Yes |
|
|
· Width of cross-over apartments more than 15 metres deep should be a minimum of 4 metres |
N/A |
N/A |
|
|
Apartment Mix |
To provide a diversity of apartment types, which cater for different household requirements now and in the future |
Units are provided in a variety of sizes and option of adaptable housing |
Yes |
|
Balconies |
Primary balconies to be a minimum of 2 metres in depth |
Balconies have minimum 2m depth |
Yes |
|
Ceiling Heights |
Residential buildings/floors · habitable rooms minimum 2.7m · non habitable rooms minimum 2.25m |
2.7m minimum floor to ceiling heights |
Yes |
|
Flexibility |
Provide apartment layouts which can accommodate the changing use of rooms |
Layout of units are considered acceptable |
Yes |
|
Ground floor apartments |
Optimise the number of ground floor apartments with separate entries. Ensure ground floor apartments have access to private open space. |
Ground floor units have private open space and are accessible from a central entry point to the building |
Yes |
|
Internal Circulation |
Maximum of 8 units to be accessible from a double loaded corridor. |
Maximum 6 units accessible from central corridor |
Yes |
|
Storage |
To provide adequate storage for every day household items within easy access of the apartment 1br = 6m³ 2br = 8m³ 3br= 10m³ |
All units have a dedicated storage area within the unit and also at basement level that complies |
Yes |
|
Acoustic Privacy |
Protect acoustic privacy of residents in apartments and in private open spaces |
Acoustic privacy impact has been minimised with the use of dense planting, fencing and solid wall construction |
Yes |
|
Daylight Access |
· Min 70% of units (living rooms and private open space) receive min 3 hours of solar access for dense urban environment
· Max 10% units southerly aspect |
· 69% (11of 16 units) of units receive min 3 hours solar access to living rooms and private open space. Although a minor variation, solar access to the development has been maximised and is acceptable. · No unit has a single southerly aspect |
No, but acceptable |
|
Natural Ventilation |
· 60% of residential units should be naturally cross ventilated. · 25% of kitchens should have access to natural ventilation. |
· 75% of units are naturally cross ventilated
· 37.5% of kitchens have natural ventilation |
Yes |
|
Facades |
Facades must define and enhance the public domain and desired street character |
Façade of the proposed building is considered acceptable |
Yes |
|
Roof design |
Provide quality roof designs which contribute to the overall design |
Roof form contributes to the overall design of the development and responds to the site |
Yes |
|
Energy efficiency |
Reduce reliance on artificial heating and cooling |
The proposal is considered acceptable, subject to BASIX energy efficiency requirements of BASIX certificate |
Yes |
|
Maintenance |
Supply waste management plans as part of the development application |
Waste management plan submitted with the application is appropriate |
Yes |
|
Water conservation |
Encourage use of rainwater tanks, use AAA rated appliances and store rainwater on site |
BASIX certificate submitted addresses water conservation |
Yes |
(1) Building separation
The proposed development has separation distances to the adjoining developments that are less than the 12m identified in SEPP 65.
The proposed separation distances are considered acceptable as the adjoining developments on Apsley Street (to the sides) and Connelly Street (to the rear) have setbacks to the subject site that are less than those identified by SEPP 65 and Development Control Plan No 1. As such the proposed development cannot achieve the separation distances required. For the most part, the proposed development provides side setbacks of 6m with small punctuations of 5.5m to provide articulation. To the rear, the bulk of the development is setback over 6m with only the balconies provided with a 5m rear setback. This provides adequate spatial separation between the proposed development and the adjoining developments.
The reduced separation distances do not result in additional impacts on adjoining developments. In terms of solar access, the proposed development complies with the solar access requirements of SEPP 65 and Development Control Plan No 1. The applicant has also provided shadow diagrams which show that overshadowing complies with the requirements.
The proposed development will also result in minimal privacy impacts to adjoining developments. Separation of 9m is achieved between balconies and directly opposing windows in accordance with Development Control Plan No 1. Given the reduced setbacks of the existing buildings on the adjoining sites, the level of privacy achieved for the neighbouring properties and future occupiers of the development is acceptable.
Advice from the Design Review Panel
The application was referred to the Design Review Panel. The Panel advised that it supports the application subject to the changes described below and that the application satisfies the design quality principles contained in SEPP 65. This section outlines the advice provided by the Design Review Panel (DRP), the applicant’s response to this advice and the Development Assessment Officer’s (DAO’s) concluding comments.
PRINCIPLE 1 – CONTEXT
DRP advice: “Bulk, scale and siting of the building are appropriate for the evolving context of the street. However, the variety of materials and elaborate modeling of the building façade creates a discord with the more bland and older residential flat buildings nearby. The design could do more to mediate between a contemporary solution and the other undistinguished buildings adjacent. The roof form is considered inappropriate because the very low pitch is neither one thing nor the other and more representative of an industrial roof than that of a residential building. It should either be flat of have a proper pitch (20 degrees or more).
Applicant’s response: “As recommended by the Panel the façade treatment has been revised to blend in better with the adjacent buildings. Also, the roof form has been changed to a pitched, tiled roof with a pitch of 17 degrees which is in keeping with all the neighbouring residential flat buildings.”
DAO’s comment: The applicant has amended the façade of the development to address the issues raised by the Design Review Panel. The revised façade is appropriate and results in a good design response.
PRINCIPLE 2 - SCALE
DRP advice: “Appropriate.”
Applicant’s response: “No comment required.”
DAO’s comment: The proposed development complies with the height and floor space ratio requirements of Development Control Plan No 1 which results in an appropriate built form.
PRINCIPLE 3 – BUILT FORM
DRP advice: “Generally appropriate. However, refer to ‘Context’ above. The Panel noted that the exhaust shaft in the basement is not shown penetrating the roof.”
Applicant’s response: “The plans have been amended to show the roof penetration.”
DAO’s comment: The amendments made to the development are satisfactory and address the issues raised by the Design Review Panel.
PRINCIPLE 4 – DENSITY
DRP advice: “Consistent with planning controls.”
Applicant’s response: “No comment required.”
DAO’s comment: The floor space ratio of the development complies with the requirements of Development Control Plan No 1. The bulk and scale of the development is consistent with that anticipated by the requirements for residential flat buildings.
PRINCIPLE 5 – RESOURCE, ENERGY AND WATER EFFICIENCY
DRP advice: “Refer to BASIX.”
Applicant’s response: “No comment required.”
DAO’s comment: A BASIX certificate has been submitted with the application which achieves the relevant target scores.
PRINCIPLE 6 – LANDSCAPE
DRP advice: “The landscape plan addresses the peripheral spaces left after the building has been laid out. There is not much evidence that the landscape has informed the site planning for the site or the units.
There appears to be a retaining wall of approximately 2m high in the southern corner of the site. To assist in both screening this wall and providing further privacy for private courtyard areas it is recommended that the width of the planter boxes be increased a further 500mm, so that planting may achieve greater size.
The common open space area does not take advantage of the deep soil and additional medium size tree species could be planted in this area. In addition there appear to be paved areas that are not essential. These could be removed to increase soft landscaping and permeable surfaces.
The communal open space at the rear of the site will be in shade until late afternoon in mid-winter. The lack of winter sunlight should be taken into account in the provision and siting of communal facilities.
The types of use of the common open area need to be considered and the design needs to respond appropriately for example bbq facilities, summer shade and other amenity should be provided.
The definition of the common area at the front of the site as public or private space and its function is not clear. The public private interface is not defined. Access to the space is only from the street causing potential privacy issues. Access should be internal and the privacy definition (fence or hedge) to the street should be clearly indicated. The design of this space needs to respond to its planned purpose and use.
The impact of overhead infrastructure on the street tree planting is noted. However the street tree planting is consistent along the street length. It is recommended the replacement street tree species either be a lower growing sub-species or more closely matched to the existing Callistemon species.
It is recommended that stormwater be collected and reused for irrigating garden areas. The location of the storage tank under the basement needs to be shown on the drawings.
Applicant’s response: “As recommended by the Panel, the planter box on the southern corner of the site has been widened by 500mm.
As recommended by the Panel, some paved areas have been reduced in area to increase soft landscaping. This has occurred in the southern corner of the Common Open Space and the courtyard of Unit 3.
Also, additional medium sized trees have been incorporated into the design.
As recommended by the Panel, the rear common open space has been revised.
As recommended by the Panel, the front common open space has now been fenced and redesigned in order to define the area and make it more useable.
As recommended, the tree species at the street has been reconsidered and changed to more closely match the existing trees.
Due to the efficient design of the building, the Basix does not require the re-use of stormwater for irrigation of the garden areas. Therefore, it is not shown on the stormwater or architectural plans. Should the proposal be approved and the client wish to provide stormwater re-use, then it can be incorporated into the CC plans.”
DAO’s comment: The amendments made to the development are satisfactory and address the issues raised by the Design Review Panel.
PRINCIPLE 7 – AMENITY
DRP advice: “Unit layout is considered satisfactory. Storage provision is satisfactory. Solar access and cross ventilation appears to meet the guidelines of the RFDC.
The escape stair from the basement in the north east corner cuts into the private opens space of Unit 1. This is not necessary as the stair could be arranged to provide head room at the fence line of Unit 1.”
Applicant’s response: “As recommended by the Panel the exit stairs from the basement have been revised to increase the private open space of Unit 1.”
DAO’s comment: The applicant has amended the development to address the issues raised by the Design Review Panel.
PRINCIPLE 8 – SAFETY AND SECURITY
DRP advice: “The deeply recessed and steeply ramped entrance provides a potential place of concealment. Effective night time lighting would remedy this situation.”
Applicant’s response: “Effective lighting to the entry will be incorporated into the CC documentation should the proposal be approved by Council.”
DAO’s comment: The amendments undertaken to the development are satisfactory and consistent with crime prevention principles.
PRINCIPLE 9 - SOCIAL DIMENSIONS AND HOUSING AFFORDABILITY
DRP advice: “Appropriate.”
Applicant’s response: “No comment required.”
DAO’s comment: The proposed development provides units of various sizes and configurations that also includes two (2) adaptable dwellings which is consistent with SEPP 65.
PRINCIPLE 10 – AESTHETICS
DRP advice: “The heavily modeled front façade and the general darkness of the materials selected is out of keeping with the surroundings, notwithstanding their blandness. The building would be less assertive with more consistency in the colour and material palette.
The Panel suggests the proponent consider:
• The vertical alignment of columns
• The pitch of the roof (either flat or sloping)”
Applicant’s response: “As recommended by the Panel, the colour and material palette have been revised to be more in keeping with the surroundings.”
DAO’s comment: The proposed external materials and finishes of the development are appropriate in that they provide interest and articulation to the façade of the building and complement the streetscape.
RECOMMENDATION
DRP: The Panel supports the application subject to the changes described above. The application generally satisfies the design quality principles contained in SEPP 65.
2. Draft Environmental Planning Instruments
There are no draft planning instruments that apply to the proposed development.
Any other matters prescribed by the Regulations
The Regulations prescribe the following matters for consideration for development in the Hurstville Council area:
Demolition
Safety standards for demolition and compliance with AS 2601 - 2001 apply to the demolition of any buildings affected by the proposal.
3. Development Control Plans
Planning legislation changes for DCPs
In March last year, a new Section 74BA was introduced into the Environmental Planning and Assessment Act 1979 which identifies the purpose and status of development control plans, highlighting the fact that Development Control Plans are to primarily provide guidance to compliment an environmental planning instrument (LEP), and that provisions, in a development control plan are not statutory requirements.
Section 79C(3A) provides guidance on how consent authorities must assess and determine DAs in relation to provisions that are contained within development control plans. The section identifies that if:
· a development application meets the standards in a development control plan, the consent authority is not to require more onerous standards with respect to the development; and
· a development application does not meet the standards of a development control plan, the consent authority is to be flexible in applying those provisions and allow reasonable alternative solutions.
The proposal has been assessed under the relevant sections of Development Control Plan No 1 as follows.
DEVELOPMENT CONTROL PLAN NO 1 – LGA WIDE - SECTION 3.1 CAR PARKING
The extent to which the proposed development complies with Section 3.1 Car Parking is detailed and discussed in the table below.
|
Section 3.1 |
Requirements |
Proposal |
Complies |
|
3.1.4.1 - Resident parking |
1 space/1 or 2 bedroom unit (16 units proposed) = 16 spaces
Total required = 16 spaces |
16 spaces |
Yes |
|
3.1.4.1 -Visitor parking (4 or more dwellings) |
1 space/ 4 units or part thereof (16 units proposed) = 4 spaces |
4 car spaces |
Yes |
|
3.1.4.2 –Dimension of car spaces, car parking layout, circulation, egress and egress |
Compliance with AS2890.1 2004 and AS2890.2
|
Complies with Australian Standards |
Yes |
|
3.1.4.3 – Stencilling of driveways |
Finished with plain concrete |
Can be condition of consent |
Yes |
|
3.1.4.4 – Ramps transitions, driveways |
Ramp grades to comply with AS2890.2 2004, Part 2
Longitudinal section 1:20 to be provided with development application |
Complies |
Yes |
|
3.1.4.5 - Basement car parking |
· Underground parking to be located under building footprint · Minimise visual impact on street · Mechanical ventilation and exhaust shafts to be illustrated in plans |
Development complies with this requirement |
Yes |
|
3.1.4.6 – Parking for people with a disability |
Compliance with AS1428 – Design for access and mobility and AS2890.6 |
Complies |
Yes |
|
3.1.4.8 - Car washing area |
1 space (which can be a visitor space) |
Provided within a visitor space |
Yes |
DEVELOPMENT CONTROL PLAN NO 1 – LGA WIDE – SECTION 3.3 ACCESS AND MOBILITY
The extent to which the proposed development complies with Section 3.3 Access and Mobility is detailed and discussed in the table below.
|
Section 3.3 |
Requirements |
Proposal |
Complies |
|
Adaptable dwellings |
1 adaptable dwelling/10 dwellings or part thereof (min) = 2
Adaptable dwelling complies with AS4299 |
2 adaptable units |
Yes |
|
Access requirements |
Access in accordance with AS1428 for all persons through the principal entrance of the building and to common areas |
Complies |
Yes |
|
Accessible car space |
1 space per adaptable dwelling
Layout complies with Australian Standard |
1 space per adaptable dwelling provided |
Yes |
The application is accompanied by a Statement of Compliance – Access for People with a Disability Report (prepared by Accessible Building Solutions, dated 23 March 2015, reference 215129). The report concludes that the development can achieve compliance with the access provisions of the Building Code of Australia and the relevant Australian Standards.
DEVELOPMENT CONTROL PLAN NO 1 – LGA WIDE – SECTION 3.4 CRIME PREVENTION THROUGH ENVIRONMENTAL DESIGN
The extent to which the proposed development complies with Section 3.4 Crime Prevention through Environmental Design is detailed and discussed in the table below.
|
Section 3.4 |
Requirements |
Proposal |
Complies |
|
Site and building Layout |
· Provide surveillance opportunities · Building addresses street · Habitable rooms are directed towards the front of the building · Garages are not dominant · Offset windows |
Surveillance of street is available from the units. Basement car park is not considered to be a dominant feature of the overall streetscape given that it is not visible from the street. |
Yes |
|
Building Identification |
· Clearly numbered buildings · Entrances numbered · Unit numbers provided at entry |
These requirements can be conditions of consent |
Yes (subject to conditions of consent) |
|
Entrances |
Clearly visible and not confusing |
The entrance to the building is clearly visible |
Yes |
|
Fencing |
Allows natural surveillance to street |
The front fence proposed is maximum 1.5m high comprising of solid and open material. This allows surveillance between the building and the street. |
Yes
|
|
Blind Corners |
To be avoided |
No bind corners evident |
Yes |
|
Communal Areas |
Provide opportunities for natural surveillance |
The communal areas proposed provide opportunities for natural surveillance |
Yes |
|
Landscaping |
· Avoid dense medium height shrubs · Allow spacing for low growing dense vegetation · Low ground cover or high canopy trees around car parks and pathways · Vegetation used as a barrier for unauthorised access |
Landscaping proposed as per the landscape plan is appropriate from a crime prevention perspective |
Yes |
|
Lighting |
· Diffused/movement sensitive lighting provided externally · Access/egress points illuminated · No light-spill towards neighbours · Hiding places illuminated · Lighting is energy efficient |
These requirements can be conditions of consent |
Yes (subject to conditions of consent) |
|
Security |
Provide an appropriate level of security for each dwelling, communal areas and car park |
Appropriate security has been provided |
Yes |
|
Car parks |
Access to lifts and stairwells to be clearly defined |
Access to the car parking area is clearly defined |
Yes |
|
Ownership |
Use of fencing, landscaping, colour and finishes to imply ownership |
Landscaping and driveways indicate ownership |
Yes |
|
Building maintenance |
Use materials that can be easily cleaned or use anti-graffiti paint |
Proposed external materials and finishes are appropriate |
Yes |
DEVELOPMENT CONTROL PLAN NO 1 – LGA WIDE – SECTION 3.5 ENERGY EFFICIENCY
The proposal has achieved a BASIX Certificate and therefore complies with the objectives of Section 3.5 of Development Control Plan No 1. The proposed development also complies with the solar access requirements of Development Control Plan No 1 in that the adjoining developments will receive at least 3 hours solar access to the majority of their private open space area between 9am and 3pm on 21 June. The adjoining residential developments will also receive more than 3 hours solar access to the windows which are located on the side elevations adjoining the proposed development. The shadow diagrams show that the overshadowing complies with the requirements.
DEVELOPMENT CONTROL PLAN NO 1 – LGA WIDE – SECTION 3.7 DRAINAGE AND ON SITE DETENTION (OSD) REQUIREMENTS
The development can drain to the street subject to conditions of consent being attached to any consent granted.
DEVELOPMENT CONTROL PLAN NO 1 – LGA WIDE – SECTION 3.8 FENCES ADJACENT TO PUBLIC ROADS
A front fence is proposed on the front boundary with a maximum height of 1.5m. The fence will comprise of a masonry wall and either landscaping or slats. The design of the fence is consistent with the objectives of Development Control Plan No 1.
DEVELOPMENT CONTROL PLAN NO 1 – LGA WIDE – SECTION 3.9 WASTE MANAGEMENT
A Waste Management Plan has been submitted with the application which is acceptable.
DEVELOPMENT CONTROL PLAN NO 1 – LGA WIDE – SECTION 3.10 PRESERVATION OF TREES AND VEGETATION
Five (5) trees are proposed to be removed from the site and one (1) significant tree located at the rear of the site will be retained and protected. The proposed development also proposes the removal of one (1) street tree from the front of the site.
Council’s Tree Management Officer has raised no objections to the tree removal from the site, but has requested the street tree be retained due to its high amenity value. However as the retention of the tree would prevent the construction of a compliant 6m wide driveway, it is not possible. As such, the removal of the street tree is supported subject to a condition requiring replacement planting.
DEVELOPMENT CONTROL PLAN NO 1 – LGA WIDE – SECTION 4.3 MULTIPLE DWELLINGS AND RESIDENTIAL FLAT BUILDINGS
The extent to which the proposed development complies with Section 4.3 Multiple Dwellings and Residential Flat Buildings is detailed and discussed in the table below.
|
Section 4.3 |
Requirements |
Proposal |
Complies |
|
Minimum Street Frontage |
24m |
36.575m |
Yes |
|
Residential density (Floor Space Ratio) |
Cl 4.4 of HLEP 2012 = Max. 1:1 |
FSR = 1:1 |
Yes |
|
Landscaped Area |
Minimum 20% |
31.57% |
Yes |
|
Maximum Building Height |
Cl 4.3 of HLEP 2012 = Max. 12 m |
11.8m maximum |
Yes |
|
Front Site Height Maximum |
12m |
<12m |
Yes |
|
Rear Site Height Maximum |
12m |
<12m |
Yes |
|
Number of habitable storeys at front of site |
3 habitable storeys |
3 habitable storeys |
Yes |
|
Number of habitable storeys at rear of site |
3 habitable storeys |
3 habitable storeys |
Yes |
|
Minimum Private Open Space Area
|
Ground floor level 1 or 2 bedroom unit = 50sqm Min dimension – 3m
Direct access from living room |
Ground Floor All units achieve the minimum of 50sqm however some comprise areas with dimensions of less than 3m
|
No (1) |
|
Minimum Principal Private Open Space Area
|
Ground floor Must not be located forward of the building line
1 or 2 bedroom unit = 4m x 4m – 1:20 (max)
Upper levels 1 or 2 bedroom unit -= 12sqm
Min. width – 2.5m |
Ground Floor All dwellings comply with the requirements
Upper Levels All upper floor level units have balconies that have an area of at least 12sqm that also has a minimum width of 2.5m |
Yes |
|
Landscape Plan |
Landscape Plan to be submitted with the DA |
Landscape plan submitted with the application has been prepared by a qualified landscape architect and is appropriate |
Yes |
|
Front Boundary Setbacks |
Minimum 6m, balconies can project 1m |
6.15m with balconies projecting maximum 1m |
Yes |
|
Rear Boundary Setbacks |
Minimum 6m, balconies can project 1m |
6.135m with balconies projecting maximum 1m |
Yes |
|
Minimum Side Boundary Setbacks
|
Building envelope
No projections of any form permitted outside the building envelope |
South east side elevation complies. Minor breach along the north west elevation: 300mm (h) x 4.2m (l) of the wall at first floor level breaches the envelope. Balustrades along the second floor level balconies breach the envelope. |
No (2) |
|
Maximum excavation of natural ground level |
500mm |
Maximum 1m |
No (3) |
|
Driveways, access lanes and car parking |
If street frontage is 20m or less – Must not occupy more than 40% of the frontage
>20m – Must not occupy more than 33% |
Frontage = 36.575m Driveway = 5.5m in width
15% of the frontage |
Yes |
|
Garages and carports |
Garages must not visually dominate the street facade |
Basement entry and car park does not dominate the façade |
Yes |
|
Basement parking |
Basement cannot extend more than 1m above natural ground level |
<1m |
Yes |
|
Visual Privacy |
Habitable windows within 9m to be offset 1m or screened |
There are no habitable room windows within 9m of neighbouring habitable room windows directly opposite |
Yes |
|
Solar Design and Energy Efficiency |
3hrs of sunlight upon the open space areas of adjacent dwellings between 9am -3pm on 21 June |
Development complies |
Yes |
|
Fences at the front boundary |
Solid fences facing the street – Max 1m in height
If Private Open Space has a common boundary to public space, height may be increased to 1.8m (must be 50% of fence to be open) |
The front fence proposed is maximum 1.5m high comprising of solid and open material.
This height is necessary to provide some level of privacy to the communal open space from the street. The fence is solid up to 1m and comprises horizontal slats or landscaping above ensuring it remains open. The fence is acceptable. |
No, but acceptable |
|
Site Services |
Site must be serviced by standard utilities |
The site can drain to the street |
Yes |
|
Storage |
6m³ per dwelling |
Each dwelling has storage area of at least 8m³ |
Yes |
|
Stormwater Assessment |
|
|
Existing Stormwater System |
Gravity to street |
|
Proposed Stormwater System |
Gravity to street |
|
Stormwater objectives for development type met? |
Yes, consistent with objectives |
|
Slope to rear (measured centreline of site) |
No |
|
Gravity to street (from property boundary to street kerb)? |
Yes |
|
Discharge into same catchment? |
Yes |
|
Easement required? |
No |
(1) Minimum Private Open Space
The proposed development provides a minimum of 50sqm of private open space to each of the ground floor units as required by the Development Control Plan, however each unit includes areas that have a width of less than 3m.
Even so, the design of the private open space is satisfactory for the following reasons:
· Each of the ground floor units is provided with a principal private open space area of 4m x 4m in accordance with the Development Control Plan.
· Each of the ground floor units also satisfies the 25sqm private open space requirement of SEPP 65.
· The courtyards provided include functional paved areas and soft landscaped areas that provide satisfactory amenity to the future residents of the development.
For the reasons provided above, the variation to the width of the private open space areas is supported.
(2) Side Boundary Envelope
Along the north western side elevation, the proposed development breaches the side boundary building envelope. At first floor level, the wall breaches the envelope by 300mm for a length of 4.2m towards the front of the site, and at second floor level, the balustrades associated with the balconies along the side elevation breach the envelope.
The breach occurs as there is a 2m fall across the site from the south east to the north west. Consequently to maintain a consistent floor level within the building, the north western elevation projects beyond the envelope.
The variation does not result in any additional impacts on adjoining properties in terms of solar access and privacy and an acceptable level of amenity is maintained. The bulk and scale of the development is consistent with the surrounding residential flat buildings and is complimentary to the character and appearance of the streetscape. As such, the variation is supported.
(3) Excavation
Development Control Plan No 1 limits excavation to 500mm. The development proposes excavation up to a maximum depth of 1m.
The excavation occurs along the south eastern side of the building and is required to manage the fall across the site. The excavation actually improves the impacts on adjoining properties as it lowers the building along the subject side and reduces solar access impacts. The level of excavation does not result in any unreasonable impacts on the bulk and scale of the building and given the topography of the site is considered acceptable.
RECENT LAND & ENVIRONMENT COURT DECISIONS
FM Holdings Pty Limited v Hurstville City Council – 50-52 Lawrence Street, Peakhurst (April, 2014)
In assessing amended plans lodged by the applicant in this case, Commissioner Morris, noted that these plans “address the original contentions that relate to non-compliance with the development standards for height and FSR”.
In this regard “the only breach of the height development standard is for the roof structure of the lift overrun and that, in accordance with the provisions of clause 5.6 of the LEP, consent may be granted for an architectural feature above the 12m height standard…”
The Commissioner also commented on building envelope, bulk and scale matters noting that the proposals breach is acceptable and is the result of what is considered an “awkward planning control for a sloping site”. Remedies by way of stepping the floor plate and unnecessary excavation were not considered appropriate given the relatively small footprint of the building.
Further the Commissioner concluded that:
The applicant has made significant changes to the plans for the proposal following the council’s determination of the application. Those changes have gone a long way to address the contentions, importantly, have also ensured compliance with the relevant development standards contained in the LEP and the majority of controls contained in the DCP. This is particularly important in an area undergoing transition, as is the case for this site. The area has been rezoned from low density, single dwelling houses to permit three storey residential flat buildings. This fact will result in change to the streetscape and character of the area.”
“Having regard to the evidence, the provisions of the LEP and DCP and those matters prescribed under S79C of the Environmental Planning and Assessment Act 1979, I am satisfied that the plans now before the Court are either compliant with the council’s planning controls or meet the objectives of those controls, and where not met, the variations are minor. For this reason, it is appropriate for the consent to be granted.
It is apparent that the Land and Environment Court will accept compliance with FSR and height controls, and minor variations where the objectives of those controls are met. It is considered the subject development application meets these requirements and is satisfactory.
4. Impacts
Natural Environment
The proposed development proposes the removal of five (5) small trees from the site to accommodate the development. One (1) tree located at the rear of the site will be retained and protected. One (1) of the three (3) existing street trees is also proposed for removal.
The proposed tree removal is found to be acceptable subject to replacement planting as detailed in the landscape plan and required by condition. Overall, the development would not have a detrimental impact on the natural environment.
Built Environment
The proposed development is unlikely to have an adverse impact on the built environment and is considered to be appropriate in terms of its scale, bulk and height. Although variations are sought, they are found to be minor and unlikely to have any adverse impacts on adjoining developments. The development is complementary to the character and appearance of the streetscape and consistent with the desired future character of the locality.
Social Impact
The proposal is for a permitted residential purpose and is unlikely to have an adverse social impact.
Economic Impact
The proposal is unlikely to have an adverse economic impact.
Suitability of the Site
The subject site has no impediments that preclude it from being developed for the proposed development.
5. REFERRALS, SUBMISSIONS AND THE PUBLIC INTEREST
Resident
The application was notified/advertised to one hundred and fifty eight (158) residents/owners in accordance with Development Control Plan No 1. No submissions were received.
Following receipt of the amended plans, it was determined that the amended proposal resulted in a lesser impact (particularly in terms of amenity impacts on adjoining properties) therefore in accordance with Development Control Plan No 1 re-notification was not required.
Council Referrals
Team Leader Subdivision and Development
Council’s Team Leader Subdivision and Development has raised no objection to the development subject to conditions of consent being attached to any consent granted.
Tree Management Officer
Council’s Tree Management Officer has raised no objections to the proposed tree removal on the site but has objected to the loss of one (1) street tree due to the high amenity value of the tree.
However, the street tree is one (1) of three (3) in front of the site and to achieve compliant driveway access one (1) tree must be removed. As such, contrary to the advice of the Tree Management Officer, it is recommended that the tree be removed and a condition requiring replacement plant be proposed.
External Referrals
Design Review Panel
The comments of the Design Review Panel have been discussed in the report above under the section entitled “State Environmental Planning Policy No 65 – Design Quality of Residential Flat Development”.
6. CONCLUSION
Development consent is sought for demolition of the existing structures and construction of a residential flat building containing sixteen (16) units, basement car parking and a front fence.
The development has been assessed against the requirements of the relevant planning instruments and Development Control Plans. Minor variations to Development Control Plan No.1 are sought however they do not result in any adverse impacts on adjoining properties or the character and appearance of the streetscape and are therefore supported.
The application was notified in accordance with Development Control Plan No.1 and no submissions were received.
The application is recommended for approval subject to conditions.
DETERMINATION
THAT pursuant to Section 80(1)(a) of the Environmental Planning and Assessment Act, 1979, as amended, the Council, grants development consent to Development Application DA2015/0122 for the demolition of the existing structures and construction of a three storey residential flat building with basement parking on Lots 8, 9 and 10 Sec 3 in DP 1507 and known as 11, 11A, and 13 Apsley Street Penshurst, subject to the attached conditions:
Schedule A – Site Specific Conditions
GENERAL CONDITIONS
These conditions have been imposed to ensure that the development is carried out in accordance with the approved plans and to ensure that the appropriate fees and bonds are paid in relation to the development.
1. GEN1001 - Approved Plans - The development must be implemented in accordance with the approved plans and supporting documentation listed below which have been endorsed by Council’s approved stamp, except where marked up on the plans and/or amended by conditions of this consent:
|
Reference No. |
Date |
Description |
Revision |
Prepared by |
|
CD1382- DA01 |
16/7/15 |
Site Analysis Plan and Streetscape Elevation |
B |
Cornerstone Design |
|
CD1382- DA02 |
16/7/15 |
Basement Plan |
B |
Cornerstone Design |
|
CD1382- DA03 |
16/7/15 |
Ground Floor Plan |
B |
Cornerstone Design |
|
CD1382- DA04 |
11/3/15 |
First Floor Plan |
A |
Cornerstone Design |
|
CD1382- DA05 |
11/3/15 |
Second Floor Plan |
A |
Cornerstone Design |
|
CD1382- DA06 |
16/7/15 |
Roof Plan |
B |
Cornerstone Design |
|
CD1382- DA07 |
16/7/15 |
Elevations |
B |
Cornerstone Design |
|
CD1382- DA08 |
16/7/15 |
Elevation, Section, Driveway Profile |
B |
Cornerstone Design |
|
15-2965 LO1 |
22/7/15 |
Landscape Plan |
A |
Zenith Landscape Design |
|
15-2965 LO2 |
22/7/15 |
Landscape Details |
A |
Zenith Landscape Design |
2. GEN1002 - Fees to be paid to Council - The fees listed in the table below must be paid in accordance with the conditions of this consent and Council’s adopted Fees and Charges applicable at the time of payment.
Payments must be made prior to the issue of the Construction Certificate or prior to the commencement of work (if there is no associated Construction Certificate).
Please contact Council prior to the payment of Section 94 Contributions to determine whether the amounts have been indexed from that indicated below in this consent and the form of payment that will be accepted by Council.
Form of payment for transactions $500,000 or over - Council will only accept Bank Cheque or Electronic Funds Transfer (EFT) for transaction values of $500,000 or over. Council must be contacted prior to payment to determine correct total amount to be paid and bank account details (if applicable)
(a) Fees to be paid:
Fee types, bonds and contributions
|
Fee Type |
|
Long Service Levy (to Long Service Corporation) |
|
Builders Damage Deposit |
|
Inspection Fee for Refund of Damage Deposit |
|
S94 Residential (Community Facilities) |
|
S94 Residential (Open Space, Recreation, Public Domain) |
The following fees apply where you appoint Council as your Principal Certifying Authority (PCA). (If you appoint a private PCA, separate fees will apply)
|
PCA Services Fee |
$3,750.00 |
|
Construction Certificate Application Fee |
$3,750.00 |
|
Construction Certificate Imaging Fee |
$229.00 |
Fees and charges above are subject to change and are as set out in the version of Council's Schedule of Fees and Charges or as required by other Government Authorities, applicable at the time of payment.
3. GEN1003 - Section 94 Contributions - Residential Development (Community Facilities and Open Space, Recreation, Public Domain)
a. Amount of Contribution
Pursuant to Section 94 of the Environmental Planning and Assessment Act, 1979 (as amended) and Hurstville Section 94 Development Contributions Plan 2012 the following contributions towards the cost of providing facilities shall be paid to Council:
Contribution Category Amount
Community Facilities $21,208.20
Open Space, Recreation and Public Domain Facilities $149,941.12
Total: $171,149.32
This condition and contribution is imposed to ensure that the development makes adequate provision for the demand it generates for public amenities and public services within the area.
b. Indexing
The above contributions will be adjusted at the time of payment to reflect changes in the Consumer Price Index (All Groups Index) for Sydney, in accordance with the provisions of the Hurstville Section 94 Development Contributions Plan 2012.
c. Timing and Method of Payment
The contribution must be paid prior to the release of a Construction Certificate as specified in the development consent .
Please contact Council prior to payment to determine whether the contribution amounts have been indexed from that indicated above in this consent and the form of payment that will be accepted by Council.
Form of payment for transactions $500,000 or over - Council will only accept Bank Cheque or Electronic Funds Transfer (EFT) for transaction values of $500,000 or over. Council must be contacted prior to payment to determine correct total amount to be paid and bank account details (if applicable).
Contributions must be receipted by Council before a Construction Certificate is issued.
A copy of the Hurstville Section 94 Development Contributions Plan 2012 may be inspected or a copy purchased at Council’s offices (Civic Centre, MacMahon Street, Hurstville) or viewed on Council’s website www.hurstville.nsw.gov.au/Strategic-Planning.
4. GEN1014 - Long Service Levy - Submit evidence of payment of the Building and Construction Industry Long Service Leave Levy to the Principal Certifying Authority. Note this amount is based on the cost quoted in the Development Application, and same may increase with any variation to estimated cost which arises with the Construction Certificate application. To find out the amount payable go to www.lspc.nsw.gov.au or call 131441. Evidence of the payment of this levy must be submitted with the Construction Certificate application.
5. GEN1016 - Damage Deposit - Major Works - In order to insure against damage to Council property the following is required:
(a) Payment to Council of a damage deposit for the cost of making good any damage caused to any Council property as a result of the development: $43,890.00
(b) Payment to Council of a non-refundable inspection fee to enable assessment of any damage and repairs where required: $280.00
(c) At the completion of work Council will:
(i) review the dilapidation report prepared prior to the commencement works;
(ii) review the dilapidation report prepared after the completion of works;
(iii) Review the Works-As-Executed Drawings (if applicable); and
(iv) inspect the public works.
The damage deposit will be refunded in full upon completion of work where no damage occurs and where Council is satisfied with the completion of works. Alternatively, the damage deposit will be forfeited or partly refunded based on the damage incurred.
(d) Payments pursuant to this condition are required to be made to Council before the issue of the Construction Certificate.
(e) Fees and charges above are subject to change and are as set out in the version of Council's Schedule of Fees and Charges or as required by other Government Authorities, applicable at the time of payment.
SEPARATE APPROVALS UNDER OTHER LEGISLATION
These conditions have been imposed to ensure that the applicant is aware of any separate approvals required under other legislation, for example: approvals required under the Local Government Act 1993 or the Roads Act 1993.
6. APR6001 - Engineering - Section 138 Roads Act and Section 68 Local Government Act 1993
Unless otherwise specified by a condition of this consent, this Development Consent does not give any approval to undertake works on public infrastructure.
A separate approval is required to be lodged and approved under Section 138 of the Roads Act 1993 and/or Section 68 of the Local Government Act 1993 for any of the following activities carried out in, on or over a public road (including the footpath):
(a) Placing or storing materials or equipment;
(b) Placing or storing waste containers or skip bins;
(c) Erecting a structure or carrying out work
(d) Swinging or hoisting goods over any part of a public road by means of a lift, crane or the like;
(e) Pumping concrete from a public road;
(f) Pumping water from the site into the public road;
(g) Constructing a vehicular crossing or footpath;
(h) Establishing a “works zone”;
(i) Digging up or disturbing the surface of a public road (e.g. Opening the road for the purpose of connections to utility providers);
(j) Stormwater and ancillary works in the road reserve; and
(k) Stormwater and ancillary to public infrastructure on private land
(l) If any excavation is to be supported by the use of below ground (cable) anchors that are constructed under Council’s roadways/footways.
These separate activity approvals must be obtained and evidence of the approval provided to the Certifying Authority prior to the issue of the Construction Certificate.
The relevant Application Forms for these activities can be downloaded from Hurstville City Council’s website at: www.hurstville.nsw.gov.au
For further information, please contact Council’s Customer Service Centre on (02)9330 6222.
7. APR6003 - Engineering - Vehicular Crossing - Major Development - The following vehicular crossing and road frontage works will be required to facilitate access to and from the proposed development site:
(a) Construct a 1.50 metre wide x 80mm thick concrete path for the full length of the frontage of the site in Apsley Street in accordance with Council’s Specifications for footpaths.
(b) Construct a 150mm thick concrete vehicular crossing reinforced with F72 fabric in accordance with Council’s Specifications for vehicular crossings.
(c) Any existing vehicular crossing and/or laybacks which are redundant must be removed. The kerb and gutter, any other footpath and turf areas shall be restored at the expense of the beneficiary of this consent and in accordance with Council’s Specification for Vehicular Crossings and Associated Works. The work shall be carried out by a private contractor, subject to Council approval.
Constructing a vehicular crossing and/or footpath requires separate approval under Section 138 of the Roads Act 1993, prior to the issue of the Construction Certificate.
To apply for approval:
(a) Complete the Driveway Crossing on Council Road Reserve Application Form which can be downloaded from Hurstville Council’s Website at: www.hurstville.nsw.gov.au
(b) In the Application Form, quote the Development Consent No. (eg. 2012/DA-****) and reference this condition number (e.g. Condition 23)
(c) Lodge the application form, together with the associated fees at Council’s Customer Service Centre, during business hours. Refer to Section P1 and P2, in Council’s adopted Fees and Charges for the administrative and inspection charges associated with Vehicular Crossing applications.
Please note, that an approval for a new or modified vehicular crossing will contain the approved access and/or alignment levels which will be required to construct the crossing and/or footpath. Once approved, all work shall be carried out by a private contractor in accordance with Council’s Specification for Vehicular Crossings and Associated Works prior to the issue of the Occupation Certificate.
8. APR6004 - Engineering - Road Opening Permit - A Road Opening Permit must be obtained from Council, in the case of local or regional roads, or from the Roads and Maritime Services, in the case of State roads, for every opening of a public road reserve to access services including sewer, stormwater drains, water mains, gas mains, and telecommunications before the commencement of work in the road.
9. APR7001 - Building - Hoarding Application - Prior to demolition of the buildings on the site or the commencement of work above ground level a separate application for the erection of an A class (fence type) or a B class (overhead type) hoarding or C type scaffold, in accordance with the requirements of Work Cover Authority of NSW, must be erected along that portion of the footways/roadway where the building is within 3.0 metres of the street boundary. An application for this work under Section 68 of the Local Government Act 1993 and the Roads Act 1993 must be submitted for approval to Council.
The following information is to be submitted with a Hoarding Application under Section 68 of the Local Government Act and Section 138 of the Roads Act 1993:
(a) A site and location plan of the hoarding with detailed elevation, dimensions, setbacks, heights, entry and exit points to/from the site, vehicle access points, location of public utilities, electrical overhead wire protection, site management plan and builders sheds location; and
(b) Hoarding plan and details that are certified by an appropriately qualified engineer; and
(c) The payment to Council of a footpath occupancy fee based on the area of footpath to be occupied and Council's Schedule of Fees and Charges (available on our website) before the commencement of work; and
A Public Risk Insurance Policy with a minimum cover of $10 million in relation to the occupation of and works within Council's road reserve, for the full duration of the proposed works, must be obtained a copy provided to Council. The Policy is to note Council as an interested party.
10. APR7003 - Building - Below ground anchors - Information to be submitted with Section 68 Application under LGA 1993 and Section 138 Application under Roads Act 1993 - In the event that the excavation associated with the basement car park is to be supported by the use of below ground (cable) anchors that are constructed under Council’s roadways/footways, an application must be lodged with Council under Section 68 of the Local Government Act 1993 and the Roads Act 1993 for approval, prior to commencement of those works. In this regard the following matters are noted for your attention and details must be submitted accordingly:
(a) Cable anchors must be stressed released when the building extends above ground level to the satisfaction of Council.
(b) The applicant must indemnify Council from all public liability claims arising from the proposed works, and provide adequate insurance cover to the satisfaction of Council.
(c) Documentary evidence of such insurance cover to the value of ten (10) million dollars must be submitted to Council prior to commencement of the excavation work.
(d) The applicant must register a non-terminating bank guarantee in favour of Council for the amount of $ 50,000.00.
The guarantee will be released when the cables are stress released. In this regard it will be necessary for a certificate to be submitted to Council from a structural engineer at that time verifying that the cables have been stress released.
(e) In the event of any works taking place on Council’s roadways/footways adjoining the property while the anchors are still stressed, all costs associated with overcoming the difficulties caused by the presence of the ‘live’ anchors must be borne by the applicant.
REQUIREMENTS OF OTHER GOVERNMENT AGENCIES
These conditions have been imposed by other NSW Government agencies either through their role as referral bodies, concurrence authorities or by issuing General Terms of Approval under the Integrated provisions of the Environmental Planning and Assessment Act 1979.
11. GOV1008 - Sydney Water - Section 73 Certificate - A Section 73 Compliance Certificate under the Sydney Water Act 1994 must be obtained from Sydney Water Corporation. Application must be made through an authorised Water Servicing Coordinator. Please refer to the Plumbing, Building and Developing section of Sydney Water’s website to locate a Water Servicing Coordinator in your area. Visit: www.sydneywater.com.au
A "Notice of Requirements" will advise of water and sewer infrastructure to be built and charges to be paid. Please make early contact with the Coordinator, as it can take some time to build water/sewer pipes and this may impact on other services and building, driveway or landscape design.
The “Notice of Requirements” must be submitted prior to the commencement of work.
12. GOV1009 - Sydney Water - Section 73 Compliance Certificate - A Section 73 Compliance Certificate under the Sydney Water Act must be submitted to the Principal Certifying Authority prior to the issue of the Occupation/Subdivision or Strata Certificate.
13. GOV1010 - Ausgrid - Substation or Kiosk - Ausgrid shall be consulted to determine if an electricity distribution substation is required. If so, it will be necessary for the final film survey plan to be endorsed with an area, having the required dimensions as agreed with Ausgrid, indicating the location of the proposed electricity distribution substation site. The substation must be located within the boundary of the development site, or within the building, subject to compliance with the Building Code of Australia. The substation site to be dedicated to Council as public roadway, or as otherwise agreed with Ausgrid. For details visit www.ausgrid.com.auor call 131365.
(a) written confirmation of Ausgrid's requirements is to be submitted prior to the issue of the Construction Certificate; and
(b) Ausgrid's requirements are to be met before the issue of the Occupation Certificate.
14. GOV1011 - Ausgrid - Underground electrical conduits - Ausgrid is to be consulted to determine if underground electricity conduits are to be installed in the footway. If so, the developer is to install the conduits within the footway across the frontage/s of the development site, to Ausgrid's specifications. Ausgrid will supply the conduits at no charge. The developer is responsible for compaction of the trench and restoration of the footway in accordance with Council direction. For details visit www.ausgrid.com.au or call 131365.
(a) a copy of Ausgrid's requirements is to be submitted to Council before issue of the Construction Certificate;
(b) Where conduits are to be installed, evidence of compliance with Ausgrid's requirements is to be submitted before the issue of the Occupation Certificate.
Where works within the road reserve are to be carried out by the beneficiary of this consent, a Road Opening Permit Application must be submitted to, and approved by, Council before the issue of the construction Certificate.
15. GOV1012 - Ausgrid - Clearances to electricity mains - If any part of the proposed structure, within 5m of a street frontage, is higher than 3m above footway level, Ausgrid is to be consulted to determine if satisfactory clearances to any existing overhead High Voltage mains will be affected. If so, arrangements are to be made, at your cost, with Ausgrid for any necessary modification to the electrical network in question. For details visit www.ausgrid.com.auor call 131365.
PRIOR TO THE ISSUE OF THE CONSTRUCTION CERTIFICATE
These conditions either require modification to the development proposal or further investigation/information prior to the issue of the Construction Certificate to ensure that there is no adverse impact.
16. CC3002 - Development Engineering - Stormwater Systems with Basement - The submitted stormwater plan has been assessed as a concept plan only and no detailed assessment of the design has been undertaken.
The underground basement car park must pump to and all other stormwater must drain by gravity to the street gutter.
The design of the proposed drainage system must be prepared by a qualified practising hydraulics engineer (with details of qualifications being provided) and be submitted for approval with the Construction Certificate application.
17. CC3012 - Development Engineering - Pump-Out System Design for Stormwater Disposal - The design of the pump-out system for storm water disposal will be permitted for drainage of basement areas only, and must be designed in accordance with the following criteria:
(a) The pump system shall consist of two (2) pumps, connected in parallel, with each pump being capable of emptying the holding tank at the rate equal to the rate of inflow for the one (1) hour duration storm. The holding tank shall be capable of holding one hour’s runoff from a one (1) hour duration storm of the 1 in 20 year storm;
(b) The pump system shall be regularly maintained and serviced, every six (6) months; and
(c) Any drainage disposal to the street gutter from a pump system must have a stilling sump provided at the property line, connected to the street gutter by a suitable gravity line.
Engineering details demonstrating compliance and certification from an appropriately qualified and practising civil engineer shall be provided with the application for the Construction Certificate.
18. CC3014 - Development Engineering - Allocation of car parking and storage areas - A plan showing the allocation of each car space and storage area to each individual unit in accordance with the conditions of the development consent shall be prepared. This plan shall accompany the application for the Construction Certificate.
19. CC7006 - Building - Vibration Damage - To minimise vibration damage and loss of support to the buildings in close proximity to the development, any excavation is to be carried out by means of a rock saw and if available, in accordance with the guidelines of the Geotechnical Engineer’s report.
Alternatively where a hydraulic hammer is to be used within 30 metres of any building (other than a path or a fence) a report from a qualified geotechnical engineer detailing the maximum size of hammer to be used is to be obtained and the recommendations in that report implemented during work on the site. The report shall be submitted with the Construction Certificate application.
20. CC7008 - Building - Access for Persons with a Disability - Access for persons with disabilities must be provided to the premises/building in accordance with the requirements of the Premises Standards, the Building Code of Australia, and AS 1428.1. Details must be submitted with the Construction Certificate application.
21. CC2009 - Development Assessment - Pre-Construction Dilapidation Report - Private Land - A qualified structural engineer shall prepare a Pre-Construction Dilapidation Report detailing the current structural condition of adjoining premises including but not limited to:
(a) All properties with a common boundary to the subject site.
The report shall be prepared at the expense of the beneficiary of the consent and submitted to the satisfaction of the Certifying Authority prior to the issue of the Construction Certificate.
A copy of the pre-construction dilapidation report is to be provided to the adjoining properties (subject of the dilapidation report), a minimum of five (5) working days prior to the commencement of work. Evidence confirming that a copy of the pre-construction dilapidation report was delivered to the adjoining properties must be provided to the Principal Certifying Authority.
22. CC2010 - Development Assessment - SEPP 65 Design Verification Statement - A certifying authority must not issue a Construction Certificate for residential flat development unless the certifying authority has received a design verification from a qualified designer, being a statement in which the qualified designer verifies that the plans and specifications achieve or improve the design quality of the development for which development consent was granted, having regard to the design quality principles set out in Part 2 of State Environmental Planning Policy No 65 - Design Quality of Residential Flat Development.
23. CC2034 - Development Assessment - Design Quality Excellence
(a) In order to ensure the design quality excellence of the development is retained:
(i) The design architect is to have direct involvement in the design documentation, contract documentation and construct stages of the project;
(ii) The design architect is to have full access to the site and is to be authorised by the applicant to respond directly to the consent authority where information or clarification is required in the resolution of the design issues throughout the life of the project;
(iii) Evidence of the design architect’s commission is to be provided to the Council prior to release of the Construction Certificate.
(b) The design architect of the project is not to be changed without prior notice and approval of the Council.
24. CC7002 - Building - Fire Safety Measures prior to Construction Certificate - Prior to the issue of a Construction Certificate a list of the essential fire safety measures that are to be provided in relation to the land and any building on the land as a consequence of the building work must accompany an application for a construction certificate, which is required to be submitted to either Council or a Certifying Authority. Such list must also specify the minimum standard of performance for each essential fire safety measure included in the list. The Council or Certifying Authority will then issue a Fire Safety Schedule for the building.
25. CC2004 - Development Assessment - Adaptable Units - The total number and layout of accessible units shall comply with the development controls under Section 3 of Council’s Development Control Plan No 1, and all associated parking spaces shall comply with AS1428.1.
26. CC2001 - Development Assessment - Erosion and Sedimentation Control - Erosion and sediment controls must be provided to ensure:
(a) Compliance with the approved Erosion and Sediment Control Plan
(b) Removal or disturbance of vegetation and top soil is confined to within 3m of the approved building area (no trees to be removed without approval)
(c) all clean water run-off is diverted around cleared or exposed areas
(d) silt fences, stabilised entry/exit points or other devices are installed to prevent sediment from entering drainage systems or waterways
(e) all erosion and sediment controls are fully maintained for the duration of demolition, excavation and/or development works
(f) controls are put into place to prevent tracking of sediment by vehicles onto adjoining roadway
(g) all disturbed areas are rendered erosion-resistant by turfing, mulching, paving or similar
(h) Compliance with Managing Urban Stormwater - Soils and Construction (Blue Book) produced by Landcom 2004.
These measures are to be implemented before the commencement of work (including demolition and excavation) and must remain until the issue of the Occupation Certificate.
27. CC6003 - Engineering - Council Property Shoring - Prior to the issue of the Construction Certificate, plans and specifications prepared by a qualified and practising structural engineer must detail how Council’s property shall be supported at all times.
Where any shoring is to be supporting, or located on Council’s property, certified structural engineering drawings detailing; the extent of the encroachment, the type of shoring and the method of removal, shall be included on the plans. Where the shoring cannot be removed, the plans must detail that the shoring will be cut to 150mm below footpath level and the gap between the shoring and any building shall be filled with a 5Mpa lean concrete mix.
28. CC2003 - Development Assessment - Construction Site Management Plan - Major Development - A Site Management Plan must be submitted with the application for the Construction Certificate, and must include the following measures:
· location of protective site fencing;
· location of site storage areas/sheds/equipment;
· location of building materials for construction, e.g. stockpiles
· provisions for public safety;
· dust control measures;
· method used to provide site access location and materials used;
· details of methods of disposal of demolition materials;
· method used to provide protective measures for tree preservation;
· provisions for temporary sanitary facilities;
· location and size of waste containers/skip bins;
· details of proposed sediment and erosion control measures;
· method used to provide construction noise and vibration management;
· construction traffic management details.
The site management measures are to be implemented prior to the commencement of any works including demolition and excavation. The site management measures are to be maintained throughout the works, to maintain reasonable levels of public health, safety and amenity. A copy of the Site Management Plan must be retained on site and is to be made available upon request.
29. CC6005 - Engineering - Traffic Management - Construction Traffic Management Plan (Large Developments only) - A Construction Traffic Management Plan detailing:
(a) construction vehicle routes;
(b) anticipated number of trucks per day;
(c) hours of construction;
(d) access arrangements; and
(e) proposed traffic measures to minimise impacts of construction vehicles, and
must be submitted to the satisfaction of Council’s Engineers prior to the issue of the Construction Certificate. Council’s Engineers must specify in writing that they are satisfied with the Traffic Management Plan prior to the issue of the Construction Certificate.
30. CC2011 - Development Assessment - BASIX Commitments - All energy efficiency measures as detailed in the BASIX Certificate No.614260M dated 19 March 2015, approved with the Development Consent DA2015/0122, must be implemented on the plans lodged with the application for the Construction Certificate.
31. CC3001 - Development Engineering - Stormwater System
|
Reference No. |
Date |
Description |
Revision |
Prepared by |
|
1554 |
19/03/2015 |
Stormwater Drainage/ Sediment Control |
B |
John Romanous and Associates |
The above submitted stormwater plan has been assessed as a concept plan only and no detailed assessment of the design has been undertaken.
All stormwater shall drain by gravity to Council's kerb and gutter directly in front of the development site in accordance with the Australian/New Zealand Standard AS/NZS 3500.3: 2003 (as amended).
The design of this proposed drainage system must be prepared by a qualified practising hydraulics engineer (with details of qualifications being provided) and be submitted for approval with the Construction Certificate application.
32. CC7010 - Building - Geotechnical Reports - The applicant must submit a Geotechnical Report, prepared by a suitably qualified Geotechnical Engineer who holds the relevant Certificate of accreditation as required under the Building Professionals Act 2005 in relation to dilapidation reports, all site works and construction. This is to be submitted before the issue of the Construction Certificate and is to include:
(a) Investigations certifying the stability of the site and specifying the design constraints to be placed on the foundation, any earthworks/stabilization works and any excavations.
(b) Dilapidation Reports on the adjoining properties including, but not limited to properties with a common boundary to the site prior to any excavation of site works. The Dilapidation Report is to include assessments on, but not limited to, the dwellings at those addresses and any external paths, grounds etc. This must be submitted to the Certifying Authority and the adjoining residents as part of the application for the Construction Certificate. Adjoining residents are to be provided with the report five (5) working days prior to any works on the site.
(c) On-site guidance by a vibration specialist during the early part of excavation.
(d) Rock breaking techniques. Rock excavation is to be carried out with tools such as rock saws which reduce vibration to adjoining buildings and associated structures.
(e) Sides of the excavation are to be piered prior to any excavation occurring to reinforce the walls of the excavation to prevent any subsidence to the required setbacks and neighbouring sites.
33. CC3004 - Development Engineering - Stormwater Drainage Plans - The submitted stormwater plan has been assessed as a concept plan only and no detailed assessment of the design has been undertaken.
Stormwater drainage plans including pipe sizes, type, grade, length, invert levels, dimensions and types of drainage pits prepared by a qualified practising hydraulics engineer (with details of qualifications being provided) in accordance with the Australian Institute of Engineers Australian Rainfall and Runoff (1987) and Council's Stormwater Drainage Guidelines, shall accompany the application for the Construction Certificate.
34. CC7011 - Building - Slip Resistance - Commercial, Retail and Residential Developments - All pedestrian surfaces in areas such as foyers, public corridors/hallways, stairs and ramps as well as floor surfaces in the wet rooms in any commercial/retail/residential units must have slip resistance classifications, as determined using test methods in either wet or dry conditions, appropriate to their gradient and exposure to wetting. The classifications of the new pedestrian surface materials, in wet or dry conditions, must comply with AS/NZS4586:2004 - Slip Resistance Classifications of New Pedestrian Materials and must be detailed on the plans lodged with the application for the Construction Certificate.
35. CC3005 - Development Engineering - On Site Detention - The submitted stormwater plan has been assessed as a concept plan only and no detailed assessment of the design has been undertaken.
An on-site detention (OSD) facility designed by a professional hydrological/hydraulic engineer, shall be installed. The design must include the computations of the inlet and outlet hydrographs and stage/storage relationships of the proposed OSD using the following design parameters:
(a) Peak flow rates from the site are to be restricted to a permissible site discharge (PSD) equivalent to the discharge when assuming the site contained a single dwelling, garage, lawn and garden, at Annual Recurrence Intervals of 2 years and 100 years.
Refer to Flow Controls in Council's Draft/Adopted Stormwater Drainage Policy.
(b) The OSD facility shall be designed to meet all legislated safety requirements and childproof safety fencing around the facility must be provided where the OSD facility is open or above ground when the design peak storage depth is greater than 300mm. A durable metal plate or similar sign is to be placed at the OSD facility and must bear the words:
This is an on-site detention basin/tank and is subject to possible surface overflow during heavy storms.
Full details shall accompany the application for the Construction Certificate
36. CC5002 - Trees - Tree Protection and Retention - The following trees shall be retained and protected:
(a) All trees identified for retention on the approved landscape plan.
All trees to be retained shall be protected and maintained during demolition, excavation and construction of the site. The tree protection measures must be in undertaken in accordance AS4970-2009 Protection of trees on development sites. Details of the tree protection measures to be implemented must be provided with the application for a Construction Certificate by a suitably qualified Arborist (AQF Level 4 or above in Arboriculture) and must be retained thorough all stages of construction.
37. CC5004 - Trees - Tree Removal & Replacement - Public Land - Permission is granted for the removal of the following trees located on Councils public footpath:
(a) Callistemon (Tree No 3 on approved landscape plan) located in front of 13 Apsley Street, Penshurst.
Removal of the tree from Council's nature strip to permit vehicular access shall be undertaken at no cost to Council by an experienced tree removal contractor/arborist.
All private contractors must have a minimum of $10 million dollars public liability insurance. Prior to the commencement of any work, the form entitled Application for the Removal of a tree by private contractor on public footpath accompanied by evidence of the Public Liability Insurance must be lodged with Hurstville City Council Tree Services Division.
The following tree species must be planted, at no cost to Council, in the nature strip in front the property along Morts Road.
|
Tree/species |
Quantity |
Location |
|
Callistemon |
1 |
In the Council nature strip |
The minimum pot size at time of planting will be equivalent to 45 litre (min) containerised stock. The tree(s) is to conform to the NATSPEC guide for assessing the quality of and purchasing of landscape trees by Ross Clarke, 2003
Details of the species and planting locations of the replacement plants must be included on the landscape plan and site plan prior to the issue of a Construction Certificate.
If the replacement tree is found to be faulty, damaged, dying or dead within twelve (12) months of planting then they must be replaced with the same species. If the trees are found dead before they reach a height where they are protected by Council’s Tree Management Controls, they must be replaced with the same species.
All advanced trees are to be planted in holes at least 550mm square and 550mm deep, containing good quality soil and humus. In lawn areas, grass is to be kept back for a radius of at least 450mm from stems and trunks, a depression should be formed for the collection of water and the area mulched. The mulch is to be installed to a depth of 75-90mm around the base of the tree in lawn areas.
38. CC6004 - Engineering - Traffic Management - Compliance with AS2890 - All driveways, access ramps, vehicular crossings and car parking spaces shall be designed and constructed in accordance with the current version of Australian Standards, AS 2890.1 (for car parking facilities) and AS 2890.2 (for commercial vehicle facilities).
39. CC7004 - Building - Structural details - Structural plans, specifications and design statement prepared and endorsed by a suitably qualified practising structural engineer who holds the applicable Certificate of Accreditation as required under the Building Professionals Act 2005 shall be submitted along with the Construction Certificate application to the Certifying Authority for any of the following, as required by the building design:
(a) piers
(b) footings
(c) slabs
(d) columns
(e) structural steel
(f) reinforced building elements
(g) swimming pool design
(h) retaining walls
(i) stabilizing works
(j) structural framework
40. CC8001 - Waste - Waste Management Plan - A Waste Management Plan incorporating all requirements in respect of the provision of waste storage facilities, removal of all materials from the site that are the result of site, clearing, extraction, and, or demolition works and the designated Waste Management Facility shall be submitted to the Principal Certifying Authority and copy provided to the Manager - Environmental Services, Hurstville City Council prior to the issue of any Construction Certificate.
41. CC8002 - Waste - Waste Storage Containers - Home Units (Residential Flat Development) - The following waste and recycling facilities will be required:
Domestic Waste:- 8 x 240 litre Mobile Garbage Bins (MGB’s);
Domestic Recycling:- 8 x 240 litre MGB’s.
All waste and recycling containers shall be stored in an approved waste storage area that is large enough to store the required number of bins.
The location of the proposed Waste Storage Area as shown on the submitted plan is not easily accessible for Council’s Waste Contractor to service the bins. Accordingly, it will be the responsibility of the Owners Corporation to present the MGB’s for collection and return them to the storage area after they have been emptied.
PRIOR TO THE COMMENCEMENT OF WORK (INCLUDING DEMOLITION AND EXCAVATION)
These conditions have been imposed to ensure that all pre-commencement matters are dealt with and finalised prior to the commencement of work.
42. PREC2001 - Building regulation - Site sign - Soil and Erosion Control Measures - Prior to the commencement of works (including demolition and excavation), the durable site sign issued by Hurstville City Council in conjunction with this consent must be erected in a prominent location on site. The site sign warns of the penalties which apply to pollution, storing materials on road or footpath and breaches of the conditions relating to erosion and sediment controls. The sign must remain in a prominent location on site up until the completion of all site and building works.
43. PREC2002 - Development Assessment - Demolition and Asbestos - The demolition work shall comply with the provisions of Australian Standard AS2601:2011 - Demolition of Structures, NSW Work Health and Safety Act 2011 and the NSW Work Health and Safety Regulation 2011. The work plans required by AS2601-2001 shall be accompanied by a written statement by a suitably qualified person that the proposals contained in the work plan comply with the safety requirements of the Standard. The work plans and the safety statement shall be submitted to the Principal Certifying Authority prior to the commencement of works.
For demolition work which involves the removal of asbestos, the asbestos removal work must be carried out by a licensed asbestos removalist who is licensed to carry out the work in accordance with the NSW Work Health and Safety Act 2011 and the NSW Work Health and Safety Regulation 2011 unless specified in the Act and/or Regulation that a license is not required.
The asbestos removal work shall also be undertaken in accordance with the How to Safely Remove Asbestos: Code of Practice published by Work Cover NSW.
Copies of the Act, Regulation and Code of Practice can be downloaded free of charge from the Work Cover NSW website: www.workcover.nsw.gov.au
44. PREC2008 - Development Assessment - Demolition Notification Requirements - The following notification requirements apply to this consent:
a) The developer /builder must notify adjoining residents five (5) working days prior to demolition. Such notification is to be a clearly written note giving the date demolition will commence, contact details of the developer/builder, licensed asbestos demolisher and the appropriate regulatory authority. Notification is to be placed in the letterbox of every premises (including every residential flat or unit, if any) either side and immediately at the rear of the demolition site.
b) Five (5) working days prior to demolition, the developer/builder is to provide written notification to Hurstville City Council advising of the demolition date, details of the WorkCover licensed asbestos demolisher and the list of residents advised of the demolition.
c) On demolition sites where buildings to be demolished contain asbestos, a standard commercially manufactured sign containing the words “DANGER ASBESTOS REMOVAL IN PROGRESS” measuring not less than 400mm x 300mm is to be erected in a prominent visible position (from street frontage) on the site. The sign is to be erected prior to demolition work commencing and is to remain in place until such time as all asbestos material has been removed from the site to an approved waste facility.
45. PREC2009 - Development Assessment - Demolition work involving asbestos removal - Work involving bonded asbestos removal work (of an area of more than 10 square metres) or friable asbestos removal work must be undertaken by a person who carries on a business of such removal work in accordance with a licence under clause 458 of the Work Health and Safety Regulation 2011.
46. PREC6001 - Engineering - Dial before your dig - The applicant shall contact “Dial Before You Dig on 1100” to obtain a Service Diagram prior to the issuing of the Construction Certificate. The sequence number obtained from “Dial Before You Dig” shall be forwarded to Council’s Engineers for their records.
47. PREC6002 - Engineering - Dilapidation Report on Public Land - Major Development Only - Prior to the commencement of works (including demolition and excavation), a dilapidation report must be prepared on Council infrastructure adjoining the development site, including:
(a) All public infrastructure adjoining the site
The Dilapidation Report must be prepared by a qualified structural engineer. The report must be provided to the Principal Certifying Authority and a copy provided to the Council.
The report must include the following:
(a) Photographs showing the existing condition of the road pavement fronting the site,
(b) Photographs showing the existing condition of the kerb and gutter fronting the site,
(c) Photographs showing the existing condition of the footpath pavement fronting the site,
(d) Photographs showing the existing condition of any retaining walls within the footway or road, and
(e) Closed circuit television/video inspection (in DVD format) of public stormwater drainage systems fronting, adjoining or within the site, and
(f) The full name and signature of the structural engineer.
The reports are to be supplied in electronic format in Word or PDF. Photographs are to be in colour, digital and date stamped.
Council will use this report to determine whether or not to refund the damage deposit after the completion of works.
48. PREC7001 - Building - Registered Surveyors Report - During Development Work - A report must be submitted to the Principal Certifying Authority at each of the following applicable stages of construction:
(a) Set out before commencing excavation.
(b) Floor slabs or foundation wall, before formwork or commencing brickwork.
(c) Completion of Foundation Walls - Before any construction of flooring, detailing the location of the structure relative to adjacent boundaries and floor levels relative to the datum shown on the approved plans.
(d) Completion of Floor Slab Formwork - Before pouring of concrete/walls construction, detailing the location of the structure relative to adjacent boundaries and floor levels relative to the datum shown on the approved plans. In multi-storey buildings a further survey must be provided at each subsequent storey.
(e) Completion of any Pool Formwork - Before concreting of pool shell, detailing the location of the pool relative to the adjacent boundaries and its height relative to the datum shown on the approved plans.
(f) Completion of any Roof Framing - Before roof covered detailing eaves/gutter setback from boundaries.
(g) Completion of all Work - Detailing the location of the structure (including eaves/gutters) relative to adjacent boundaries and its height relative to the datum shown on the approved plans. A final Check Survey must indicate the reduced level of the main ridge.
Work must not proceed beyond each stage until the Principal Certifying Authority is satisfied that the height and location of the building is proceeding in accordance with the approved plans.
49. PREC7004 - Building - Structural Engineers Details - Supporting Council road/footway - Prior to the commencement of work in connection with the excavation of the site associated with the basement car park, structural engineer’s details relating to the method of supporting Council’s roadways/footways must be submitted to the satisfaction of Council’s Building Control Department.
DURING WORK
These conditions have been imposed to ensure that there is minimal impact on the adjoining development and surrounding locality during the construction phase of the development.
50. CON2001 - Development Assessment - Hours of construction, demolition and building related work - Any work activity or activity associated with the development consent that requires the use of any tools (including hand tools) or any power operated plant and machinery that creates noise on or adjacent to the site shall not be performed, or permitted to be performed, except between the hours of 7.00 am to 5.00 pm, Monday to Saturday inclusive. No work or ancillary activity shall be permitted to be performed on any Sunday, Good Friday, Christmas Day or any Public Holiday. A penalty infringement notice may be issued for any offence.
In addition to the foregoing requirements, construction work on all buildings (except that on single dwelling houses and associated structures on the site of a single dwelling house) shall be prohibited on Saturdays and Sundays on weekends adjacent to a public holiday.
51. CON2002 - Development Assessment - Ground levels and retaining walls - The ground levels of the site shall not be excavated, raised or filled, or retaining walls constructed on the allotment boundary, except where indicated on approved plans or approved separately by Council.
52. CON5001 - Trees - Tree Removal on Private Land - The trees identified as ‘to be removed/pruned’ on the approved plans or by conditions of this consent shall be removed in accordance with AS4373 -2007 Pruning of Amenity Trees and the Trees Work Industry Code of Practice (WorkCover NSW, 1998).
53. CON6001 - Engineering - Cost of work to be borne by the applicant - The applicant shall bear the cost of all works associated with the construction of the development that occurs on Council property. Care must be taken to protect Council’s roads, including the made footway, kerbs, etc, and, where plant and vehicles enter the site, the footway shall be protected against damage by deep-sectioned timber members laid crosswise, held together by hoop iron straps and chamfered at their ends. This construction shall be maintained in a state of good repair and condition throughout the course of construction.
54. CON6002 - Engineering - Obstruction of Road or Footpath - The use of the road or footpath for the storage of any building materials, waste materials, temporary toilets, waste or skip bins, or any other matter is not permitted unless separately approved by Council under Section 138 of the Roads Act and/or under Section 68 of the Local Government Act 1993. Penalty Infringement Notices may be issued for any offences and severe penalties apply.
55. CON7001 - Building - Structural Engineer’s Certification during construction - The proposed structure must be constructed in accordance with details designed and certified by the practising qualified structural engineer. All structural works associated with the foundations, piers, footings and slabs for the proposed building must be inspected and structurally certified for compliance by an independent practising geotechnical and structural engineer. In addition a Compliance or Structural Certificate, to the effect that the building works have been carried in accordance with the structural design, must be submitted to the Principal Certifying Authority at each stage of construction or prior issue of the Occupation Certificate.
56. CON8001 - Waste - Waste Management Facility - All materials removed from the site as a result of demolition, site clearing, site preparation and, or excavation shall be disposed of at a suitable Waste Management Facility. No vegetation, article, building material, waste or the like shall be ignited or burnt whatsoever or in association with the work on site. Copies of all receipts for the disposal, or processing of all such materials shall be submitted to the Principal Certifying Authority and a copy provided to the Manager Environmental Services, Hurstville City Council.
PRIOR TO THE ISSUE OF THE OCCUPATION CERTIFICATE
These conditions have been imposed to ensure that all works have been completed in accordance with the Development Consent prior to the issue of the Occupation Certificate.
57. OCC3001 - Development Engineering - Positive Covenant for On-site Detention Facility - A Positive Covenant is to be created over any on-site detention facility.
This covenant is to be worded as follows:
It is the responsibility of the lots burdened to keep the “On-Site Detention” facilities, including any ancillary pumps, pipes, pits etc, clean at all times and maintained in an efficient working condition. The “On-Site Detention” facilities are not to be modified in any way without the prior approval of Council.
Hurstville City Council is to be nominated as the Authority to release, vary or modify this Covenant.
The Positive Covenant shall be registered at the NSW Department of Lands prior to the issue of a Final Occupation Certificate.
58. OCC3002 - Development Engineering - Works as Executed and Certification of Stormwater works - Prior to the issue of an Occupation Certificate, the Principal Certifying Authority must ensure that the stormwater drainage system has been constructed in accordance with the approved design and relevant Australian Standards.
A works-as-executed drainage plan and certification must be forwarded to the Principal Certifying Authority and Hurstville City Council, from a suitably qualified and experienced Hydraulic Consultant/Engineer.
This Plan and Certification shall confirm that the design and construction of the stormwater drainage system satisfies the conditions of development consent and the Construction Certificate stormwater design details approved by the Certifying Authority.
The works-as-executed drainage plan must prepared by a suitably qualified and experienced Hydraulic Engineer in conjunction with a Registered Surveyor and the works-as-executed plan must include the following details (as applicable):
(a) The location of any detention basin/s with finished surface levels;
(b) Finished site contours at 0.2 metre intervals (if applicable)
(c) Volume of storage available in any detention areas;
(d) The location, diameter, gradient and material (i.e. PVC, RC etc) of all stormwater pipes;
(e) The orifice size/s (if applicable);
(f) Details of any infiltration/absorption systems; and (if applicable);
(g) Details of any pumping systems installed (including wet well volumes).(if applicable)
59. OCC3008 - Development Engineering - Consolidation of Site - The site shall be consolidated into one allotment by a Plan of Consolidation being prepared by a Registered Surveyor. This Plan shall be registered at the NSW Department of Lands prior to the issue of any occupation certificate (interim or final occupation certificate).
60. OCC6004 - Engineering - Line marking of car parking spaces - Major Development - Internal driveways and parking spaces are to be adequately paved with concrete or bitumen, or interlocking pavers to provide a dust-free surface. All car parking spaces are to be line marked in accordance with AS1742 - Australian Standard Manual of Uniform Traffic Control Devices and RMS’s guidelines.
61. OCC7005 - Building - The proposed structure must be constructed in accordance with details designed and certified by the practising qualified structural engineer. In addition, a Compliance or Structural Certificate, to the effect that the building works have been carried in accordance with the structural design, must be submitted to the Principal Certifying Authority prior issue of the Occupation Certificate.
62. OCC2006 - Development Assessment - Post Construction Dilapidation report - Private Land - At the completion of the construction works, a suitably qualified person is to be engaged to prepare a post-construction dilapidation report. This report is to ascertain whether the construction works associated with the subject development created any structural damage to the following adjoining premises:
(a) All properties with a common boundary to the subject site.
The report is to be prepared at the expense of the beneficiary of the consent and submitted to the Principal Certifying Authority (PCA) prior to the issue of the Occupation Certificate. In ascertaining whether adverse structural damaged has occurred to the adjoining premises, the PCA, must compare the post construction dilapidation report with the pre-construction dilapidation report required by conditions in this consent.
Evidence confirming that a copy of the post construction dilapidation report was delivered to the adjoining properties subject of the dilapidation report must be provided to the PCA prior to the issue of the Occupation Certificate.
63. OCC6005 - Engineering - Completion of Major Works - Prior to the issue of a Final Occupation Certificate, the following works must be completed at the applicant’s expense to the satisfaction of Council’s Engineering Services section:
(a) Stormwater pipes, pits and connections to public stormwater systems within the road related area;
(b) Driveways and vehicular crossings within the road related area;
(c) Removal of redundant driveways and vehicular crossings;
(d) New footpaths within the road related area;
(e) Relocation/provision of street signs
(f) New footway verges, where a grass verge exists, the balance of the area between the footpath and the kerb or site boundary over the full frontage of the proposed development must be turfed. The grass verge must be constructed to contain a uniform minimum 75mm of friable growing medium and have a total cover of turf predominant within the street.
(g) New or reinstated kerb and guttering within the road related area; and
Council’s Engineering Services Section must advise in writing that the works have been completed to their satisfaction prior to the issue of the Occupation Certificate. Further the damage deposit paid to Council will not be released until the works have been completed to Council’s satisfaction.
64. OCC6008 - Engineering - Dilapidation Report on Public Land for Major Development Only - Upon completion of works, a follow up dilapidation report must be prepared on Council infrastructure adjoining the development site, including:
(a) All public infrastructure adjoining the site.
The dilapidation report must be prepared by a qualified structural engineer. The report must be provided to the Principal Certifying Authority and a copy provided to the Council.
The report must include the following:
(a) Photographs showing the condition of the road pavement fronting the site,
(b) Photographs showing the condition of the kerb and gutter fronting the site,
(c) Photographs showing the condition of the footway including footpath pavement fronting the site
(d) Photographs showing the condition of retaining walls within the footway or road, and
(e) Closed circuit television/video inspection (in DVD format) of public stormwater drainage systems fronting, adjoining or within the site, and
(f) The full name and signature of the professional engineer.
The reports are to be supplied in electronic format in Word or PDF. Photographs are to be in colour, digital and date stamped.
Council’s Engineering Services Section must advise in writing that the works have been completed to their satisfaction prior to the issue of the Occupation Certificate. Further, Council will use this report to determine whether or not to refund the damage deposit.
65. OCC7002 - Building - Slip Resistance - Floor surfaces used in the foyers, public corridors/hallways, stairs and ramps as well as floor surfaces in wet rooms in any commercial/retail/residential units are to comply with the slip resistant requirements of AS1428.1 (general requirements for access/new building work) and AS1428.4 (tactile ground surface indicators) and AS2890.6 (off-street parking). Materials must comply with testing requirements of AS/NZS4663:2002.
66. OCC6009 - Engineering - Stormwater drainage works - Works As Executed - Prior to the issue of the Occupation Certificate, storm water drainage works are to be certified by a qualified storm water engineer, with Works-As-Executed drawings supplied to Council detailing:
(a) Compliance with conditions of development consent relating to stormwater;
(b) The structural adequacy of the On-Site Detention system (OSD);
(c) That the works have been constructed in accordance with the approved design and will provide the detention storage volume and attenuation in accordance with the submitted calculations;
(d) Pipe invert levels and surface levels to Australian Height Datum;
(e) Contours indicating the direction in which water will flow over land should the capacity of the pit be exceeded in a storm event exceeding design limits.
(f) Evidence that a positive covenant pursuant to Section 88E of the Conveyancing Act 1919 has been created on the title of the subject property, providing for the indemnification of Council from any claims or actions and for the on-going maintenance of the on-site-detention system and/or absorption trenches (including any pumps and sumps incorporated in the development).
Council’s Engineering Services section must advise in writing that they are satisfied with the Works-As-Executed prior to the issue of the Occupation Certificate.
67. OCC3011 - Development Engineering - Requirements prior to the issue of the Occupation Certificate - The following shall be completed and or submitted to the Principal Certifying Authority (PCA) prior to the issue of the Occupation Certificate:
(a) All the stormwater/drainage works shall be completed in accordance with the approved Construction Certificate plans prior to the issue of the Occupation Certificate.
(b) The internal driveway construction works, together with the provision for all services (conduits and pipes laid) shall be completed in accordance with the approved Construction Certificate plans prior to the issue of the Occupation Certificate.
(c) Construct any new vehicle crossings required.
(d) Replace all redundant vehicle crossing laybacks with kerb and guttering, and replace redundant concrete with turf.
(e) A Section 73 (Sydney Water) Compliance Certificate for the Subdivision shall be issued and submitted to the PCA prior to the issue of the Occupation Certificate.
(f) Work as Executed Plans prepared by a Chartered Professional Engineer or a Registered Surveyor when all the site engineering works are complete shall be submitted to the PCA prior to the issue of the Occupation Certificate.
(g) The construction of the footpath shall be completed in accordance with the conditions and specifications of the Section 68 Activity Approval.
68. OCC2004 - Development Assessment - BASIX Compliance Certificate - A Compliance Certificate must be provided to the Principal Certifying Authority regarding the implementation of all energy efficiency measures as detailed in the BASIX Certificate No. 614260M dated 19 March 2015, and in the plans approved with the Development Consent/ Construction Certificate, before issue of the Occupation Certificate.
69. OCC3010 - Development Engineering - Allocation of New Street Addresses - The approved development shall be known as 11-13 Apsley Street Penshurst.
70. OCC7001 - Building - Fire Safety Certificate before Occupation or Use - In accordance with Clause 153 of the Environmental Planning and Assessment Regulation 2000 (the Regulation), on completion of building works and prior to the issue of an Occupation Certificate, the owner must cause the issue of a Final Fire Safety Certificate in accordance with Clause 170 of the Regulation. The Fire Safety Certificate must be in the form required by Clause 174 of the Regulation. In addition, each essential fire or other safety measure implemented in the building or on the land on which the building is situated, such a Certificate must state:
(a) That the measure has been assessed by a person (chosen by the owner of the building) who is properly qualified to do so.
(b) That as at the date of the assessment the measure was found to be capable of functioning at a standard not less than that required by the attached Schedule.
A copy of the certificate is to be given (by the owner) to the Commissioner of Fire and Rescue NSW and a further copy is to be displayed in a frame and fixed to a wall inside the building’s main entrance.
71. OCC2005 - Development Assessment - Completion of Landscape Works - All landscape works must be completed before the issue of the Final Occupation Certificate.
72. OCC2007 - Development Assessment - Allocation of car parking spaces - Car parking associated with the development is to be allocated as follows:
(a) Residential dwellings: Sixteen (16) spaces (one (1) per dwelling and one (1) accessible space per adaptable dwelling)
(b) Residential visitors: Four (4) spaces
(c) Car wash bay: One (1) space (which can be a visitors space)
73. OCC6002 - Engineering - Vehicular crossing and Frontage work - Major development - The following road frontage works shall be constructed in accordance with Council's, Specification for Vehicular Crossings and Associated Works together with the Vehicular Crossing Approval issued by Council’s Engineering Services Division:
(a) Construct a 150mm thick concrete vehicular crossing reinforced 72 fabric in accordance with Council’s Specifications for vehicular crossings.
(b) Any existing vehicular crossing and/or laybacks which are redundant must be removed. The kerb and gutter, any other footpath and turf areas shall be restored at the expense of the beneficiary of this consent and in accordance with Council’s Specification for Vehicular Crossings and Associated Works. The work shall be carried out by a private contractor, subject to Council approval.
A private contractor shall carry out the above work, at the expense of the beneficiary of this consent and in accordance with Council’s Specification for Vehicular Crossings and Associated Works.
The driveway and road frontage works are to be completed before the issue of the Occupation Certificate.
ONGOING CONDITIONS
These conditions have been imposed to ensure that the use or operation of the development does not adversely impact on the amenity of the neighbourhood or environment.
74. ONG2003 - Development Assessment - Maintenance of Landscaping - All trees and plants forming part of the landscaping must be maintained on an ongoing basis. Maintenance includes watering, weeding, removal of rubbish from tree bases, fertilizing, pest and disease control and any other operations required to maintain healthy trees, plants and turfed areas.
75. ONG3002 - Development Engineering - Notification of Unit Numbers - On the issue of any Strata Certificate the Accredited Strata Certifier shall submit to Council a list of the unit numbers and there corresponding lot numbers.
76. ONG3004 - Development Engineering - Conditions relating to future Strata Subdivision of Buildings
No approval is expressed or implied for the subdivision of the subject building(s). For any future Strata subdivision, a separate Development Application or Complying Development Certificate shall be approved by Council or an Accredited Certifier.
Prior to the issue of any Strata Certificate of the subject building(s) the following conditions shall be satisfied:
(a) Unit Numbering
Apartment type numbers shall be installed adjacent or to the front door of each unit.
The unit number shall coincide with the strata plan lot numbering.
(b) Car Parking Space Marking and Numbering
Each basement car space shall be line marked with paint and numbered in accordance with the strata plan lot numbering.
“Visitor Parking" signs shall be installed adjacent to any and all visitor car spaces prior to the issue of any Strata Certificate.
(c) Designation of Visitor Car Spaces on any Strata Plan
Any Visitor car spaces shall be designated on the final strata plan as "Visitor Parking - Common Property".
(d) Allocation of Car Parking Spaces, Storage Areas and Common Property on any Strata Plan
i. All car parking spaces shall be created as a part lot of the individual strata’s unit lot in any Strata Plan of the subject building.
ii. All storage areas shall be created as a part lot of the individual strata’s unit lot or a separate Utility Lot (if practical) in any Strata Plan of the subject building.
iii. The minimum number of parking spaces required to be allocated as a part lot to each individual strata’s unit lot shall be in accordance with the car parking requirements of Council's Development Control Plan and as required by the relative development consent for the building construction.
iv. No parking spaces shall be created as an individual strata allotment on any Strata Plan of the subject building unless these spaces are surplus to the minimum number of parking spaces required.
If preferred the surplus car spaces shall be permitted to be created as separate Utility Lots, (instead as a part lot of the individual strata’s unit lot), in accordance with Section 39 of the Strata Schemes (Freehold Development) Act 1973.
The above requirements regarding car parking spaces and storage areas may only be varied with the conditions of a separate Development Application Approval for Strata Subdivision of the Building(s).
(e) On Site Detention Requirements
The location any on-site detention facility shall be shown on the strata plan and suitably denoted.
(f) Creation of Positive Covenant
A Positive Covenant shall be created over any on-site detention facility by an Instrument pursuant to Section 88B of the Conveyancing Act 1919, with the covenant including the following wording:
It is the responsibility of the Owner's Corporation to keep the on-site detention facilities, together with any ancillary pumps, pipes, pits etc, clean at all times and maintained in an efficient working condition. The on-site detention facilities shall not be modified in any way without the prior approval of Hurstville City Council.
Hurstville City Council is to be nominated as the Authority to release, vary or modify this Covenant.
77. ONG3005 - Development Engineering - Additional requirements for the issue of a Strata Certificate - In addition to the statutory requirements of the Strata Schemes (Freehold Development) Act 1973 a Strata Certificate must not be issued which would have the effect of:
(a) The removal of any areas of common property shown upon the approved Development Application plans and allocated to any one or more strata lots,
(b) The removal of any visitor parking spaces from the strata scheme and allocated to any one or more strata lots , or
(c) Any unit’s parking space or storage area is not strata subdivided as separate strata lot.
(d) Under no circumstances shall any future Strata By-Laws be created to grant exclusive use of nominated Visitors Parking spaces to occupants/owners of units or tenancies within the building.
Note: This condition has been imposed to ensure that: (a) common property is not alienated from the strata scheme and assigned to any one or more strata lots, (b) visitor parking is not alienated from the strata scheme and assigned to any one or more strata lots such that visitors would be restricted from lawful access and use of required visitor parking, (c) parking spaces and storage areas are not strata subdivided as separate strata lots which may be sold with full strata title rights as a parking space or storage area lot, reducing available parking and storage to strata lots and visitors required to reduce demand for on-street public parking.
78. ONG3006 - Development Engineering - Ongoing maintenance of the on-site detention system - The Owner(s) must in accordance with this condition and any positive covenant:
(a) Permit stormwater to be temporarily detained by the system;
(b) Keep the system clean and free of silt rubbish and debris;
(c) If the car park is used as a detention basin, a weather resistant sign must be maintained in a prominent position in the car park warning residents that periodic inundation of the car park may occur during heavy rain;
(d) Maintain renew and repair as reasonably required from time to time the whole or part of the system so that it functions in a safe and efficient manner and in doing so complete the same within the time and in the manner reasonably specified in written notice issued by the Council;
(e) Carry out the matters referred to in paragraphs (b) and (c) at the Owners expense;
(f) Not make any alterations to the system or elements thereof without prior consent in writing of the Council and not interfere with the system or by its act or omission cause it to be interfered with so that it does not function or operate properly;
(g) Permit the Council or its authorised agents from time to time upon giving reasonable notice (but at any time and without notice in the case of an emergency) to enter and inspect the land with regard to compliance with the requirements of this covenant;
(h) Comply with the terms of any written notice issued by Council in respect to the requirements of this clause within the time reasonably stated in the notice;
(i) Where the Owner fails to comply with the Owner’s obligations under this covenant, permit the Council or its agents at all times and on reasonable notice at the Owner’s cost to enter the land with equipment, machinery or otherwise to carry out the works required by those obligations;
(j) Indemnify the Council against all claims or actions and costs arising from those claims or actions which Council may suffer or incur in respect of the system and caused by an act or omission by the Owners in respect of the Owner’s obligations under this condition.
79. ONG7002 - Building - Annual Fire Safety Statement - In accordance with Clause 177 of the Environmental Planning and Assessment Regulation, 2000 the owner of the building premises must cause the Council to be given an annual fire safety statement in relation to each essential fire safety measure implemented in the building. The annual fire safety statement must be given:
(a) Within twelve (12) months after the date on which the fire safety certificate was received.
(b) Subsequent annual fire safety statements are to be given within twelve (12) months after the last such statement was given.
(c) An annual fire safety statement is to be given in or to the effect of Clause 181 of the Environmental Planning and Assessment Regulation, 2000.
(d) A copy of the statement is to be given to the Commissioner of Fire and Rescue NSW, and a further copy is to be prominently displayed in the building.
80. ONG7004 - Building - Noise levels emitted from the mechanical exhaust system or any air conditioning unit must not exceed the background noise level when measured at any point on the boundary of the site.
ADVICE
This advice has been included to provide additional information and where available direct the applicant to additional sources of information based on the development type.
81. ADV7001 - Building - Council as PCA - Deemed to Satisfy Provisions of BCA - Should the Council be appointed as the Principal Certifying Authority in determining the Construction Certificate, the building must comply with all the applicable deemed to satisfy provision of the BCA. However, if an alternative solution is proposed it must comply with the performance requirements of the BCA, in which case, the alternative solution, prepared by an appropriately qualified fire consultant, accredited and having specialist qualifications in fire engineering, must justify the non-compliances with a detailed report, suitable evidence and expert judgement. Council will also require if deemed necessary, for the alternative solution to undergo an independent peer review by either the CSIRO or other accredited organisation. In these circumstances, the applicant must pay all costs for the independent review.
82. ADV7004 - Building - Council as PCA - Compliance with the BCA - Should the Council be appointed as the Principal Certifying Authority, the Construction Certificate application must be accompanied by the following details, with plans prepared and certified by an appropriately qualified person demonstrating compliance with the BCA:
· Mechanical air handling, ventilation and car park exhaust system.
· Essential fire services and equipment including hydrant systems, hose reels, sprinklers, mechanical air handling system, portable fire extinguishers, emergency lights, exit signs, smoke hazard management and warning systems, etc.
· Smoke hazard management system and associated alarm system, stair pressurisation and fire modelling etc.
· Emergency lights, exit signs and warning systems.
· Energy efficiency report demonstrating compliance with the BCA.
· Protection of wall openings that stand less than 3 metres from the boundary or fire source feature.
· Fire Separation and Construction between Occupancies
· Sound Transmission and Insulation between Occupancies
· A new Fire Engineered Building Report prepared by an accredited fire engineer, confirming that the existing alternative solution implemented in the building will not be rendered ineffective by the proposed building alterations and fit-out works.
· Floor plan of the whole of the existing building with sufficient details to enable assessment for compliance with the BCA.
83. ADV7006 - Building - Compliance with Access, Mobility and AS4299 - Adaptable Housing - Should the Council be appointed as the Principal Certifying Authority, the Construction Certificate application must be accompanied by detailed working plans and a report or a Certificate of Compliance from an Accredited Access Consultant certifying that the building design and access to the adaptable units complies with Development Control Plan No 1 - LGA Wide - Section 3.3 Access and Mobility and AS 4299 Adaptable Housing.
84. ADV2002 - Development Assessment - Site Safety Fencing - Site fencing must be erected in accordance with WorkCover Guidelines, to exclude public access to the site throughout the demolition and/or construction work, except in the case of alterations to an occupied dwelling. The fencing must be erected before the commencement of any work and maintained throughout any demolition and construction work.
For more information visit www.workcover.nsw.gov.au
Schedule B – Prescribed Conditions
Prescribed conditions are those which are mandated under Division 8A of the Environmental Planning and Assessment Regulation 2000 and given weight by Section 80A (11) of the Environmental Planning and Assessment Act 1979.
Detailed below is a summary of all the prescribed conditions which apply to development in New South Wales. Please refer to the full details of the prescribed conditions as in force, at www.legislation.nsw.gov.au.
It is the responsibility of the beneficiary of this consent to determine which prescribed conditions apply.
85. PRES1001 - Clause 97A – BASIX Commitments - This Clause requires the fulfilment of all BASIX Commitments as detailed in the BASIX Certificate to which the development relates.
86. PRES1002 - Clause 98 – Building Code of Australia & Home Building Act 1989 - Requires all building work to be carried out in accordance with the Building Code of Australia. In the case of residential building work to which the Home Building Act 1989 relates, there is a requirement for a contract of insurance to be in force before any work commences.
87. PRES1003 - Clause 98A – Erection of Signs - Requires the erection of signs on site and outlines the details which are to be included on the sign. The sign must be displayed in a prominent position on site and include the name and contact details of the Principal Certifying Authority and the Principal Contractor.
88. PRES1004 - Clause 98B – Home Building Act 1989 - If the development involves residential building work under the Home Building Act 1989, no work is permitted to commence unless certain details are provided in writing to Council. The name and licence/permit number of the Principal Contractor or Owner Builder and the name of the Insurer by which work is insured under Part 6 of the Home Building Act 1989.
89. PRES1007 - Clause 98E – Protection & support of adjoining premises - If the development involves excavation that extends below the level of the base of the footings of a building on adjoining land, this prescribed condition requires the person who benefits from the development consent to protect and support the adjoining premises and where necessary underpin the adjoining premises to prevent any damage.
Schedule C – Operational & Statutory Conditions
These conditions comprise the operational and statutory conditions which must be satisfied under the Environmental Planning and Assessment Act 1979 and the Environmental Planning & Assessment Regulation 2000. Please refer to the full details of the Act and Regulations as in force, at www.legislation.nsw.gov.au.
It is the responsibility of the beneficiary of this consent to determine which operational and statutory conditions apply.
90. OPER1001 - Requirement for a Construction Certificate - The erection of a building must not commence until a Construction Certificate has been issued by the consent authority, the Council (if the Council is not the consent authority) or an accredited certifier.
An application form for a Construction Certificate is attached for your convenience.
91. OPER1002 - Appointment of a Principal Certifying Authority - The erection of a building must not commence until the beneficiary of the development consent has:
(a) appointed a Principal Certifying Authority (PCA) for the building work; and
(b) if relevant, advised the PCA that the work will be undertaken as an Owner-Builder.
If the work is not going to be undertaken by an Owner-Builder, then the beneficiary of the consent must:
(a) appoint a Principal Contractor to undertake the building work. If residential building work (within the meaning of the Home Building Act 1989) is to be undertaken, the Principal Contractor must be a holder of a contractor licence; and
(b) notify the PCA of the details of any such appointment; and
(c) notify the Principal Contractor of any critical stage inspections or other inspections that are required to be carried out in respect of the building work.
An Information Pack is attached for your convenience should you wish to appoint Hurstville City Council as the Principal Certifying Authority for your development.
92. OPER1003 - Notification of Critical Stage Inspections - No later than two (2) days before the building work commences, the PCA must notify:
(a) the consent authority and the Council (if not the consent authority) of his or her appointment; and
(b) the beneficiary of the development consent of the critical stage inspections and other inspections that are to be carried out with respect to the building work.
93. OPER1004 - Notice of Commencement - The beneficiary of the development consent must give at least two (2) days’ notice to the Council and the PCA of their intention to commence the erection of a building.
A Notice of Commencement Form is attached for your convenience.
94. OPER1007 - Critical Stage Inspections - The last critical stage inspection must be undertaken by the Principal Certifying Authority. The critical stage inspections required to be carried out vary according to Building Class under the Building Code of Australia and are listed in Clause 162A of the Environmental Planning and Assessment Regulation 2000.
95. OPER1008 - Notice to be given prior to critical stage inspections - The principal contractor for a building site, or the owner-builder, must notify the principal certifying authority at least 48 hours before each required inspection needs to be carried out.
Where Hurstville City Council has been appointed PCA, forty eight (48) hours’ notice in writing, or alternatively twenty four (24) hours’ notice by facsimile or telephone, must be given to when specified work requiring inspection has been completed.
96. OPER1009 - Occupation Certificate - A person must not commence occupation or use of the whole or any part of a new building unless an Occupation Certificate has been issued in relation to the building or part.
Only the Principal Certifying Authority appointed for the building work can issue the Occupation Certificate.
An Occupation Certificate Application Form is attached for your convenience.
If you need more information, please contact the Development Assessment Officer, below on 9330-6222 during normal office hours.
For a video relating to 11, 11A and 13 Apsley Street Penshurst, click here.
|
Appendix View1 |
Location Plan - 11-13 Apsley St Penshurst |
|
Appendix View2 |
Site Photo 1 - 11-13 Apsley St Penshurst |
|
Appendix View3 |
Site Photo 2 - 11-13 Apsley St Penshurst |
|
Appendix View4 |
Site Analysis and Streetscape Elevation Plan - 11 - 13 Apsley St Penshurst |
|
Appendix View5 |
Elevation 1 - 11 - 13 Apsley St Penshurst |
|
Appendix View6 |
Elevation 2 - 11 - 13 Apsley St Penshurst |
|
Appendix View7 |
Photomontage - 11 - 13 Apsley St Penshurst |
|
Appendix View8 |
Shadow Diagrams - June - 11 - 13 Apsley St Penshurst |
|
Appendix View9 |
Company Extract - Owner - 11 - 13 Apsley St Penshurst (Confidential) |
Hurstville City Council – Council Meeting Wednesday, 2 March 2016
CCL064-16 11 11A and 13 Apsley St Penshurst - Demolition of Existing and Construction of Three Storey Residential Flat Building
[Appendix 1] Location Plan - 11-13 Apsley St Penshurst
CCL064-16 11 11A and 13 Apsley St Penshurst - Demolition of Existing and Construction of Three Storey Residential Flat Building
[Appendix 2] Site Photo 1 - 11-13 Apsley St Penshurst
CCL064-16 11 11A and 13 Apsley St Penshurst - Demolition of Existing and Construction of Three Storey Residential Flat Building
[Appendix 3] Site Photo 2 - 11-13 Apsley St Penshurst
CCL064-16 11 11A and 13 Apsley St Penshurst - Demolition of Existing and Construction of Three Storey Residential Flat Building
[Appendix 4] Site Analysis and Streetscape Elevation Plan - 11 - 13 Apsley St Penshurst
CCL064-16 11 11A and 13 Apsley St Penshurst - Demolition of Existing and Construction of Three Storey Residential Flat Building
[Appendix 5] Elevation 1 - 11 - 13 Apsley St Penshurst
CCL064-16 11 11A and 13 Apsley St Penshurst - Demolition of Existing and Construction of Three Storey Residential Flat Building
[Appendix 6] Elevation 2 - 11 - 13 Apsley St Penshurst
CCL064-16 11 11A and 13 Apsley St Penshurst - Demolition of Existing and Construction of Three Storey Residential Flat Building
[Appendix 7] Photomontage - 11 - 13 Apsley St Penshurst
CCL064-16 11 11A and 13 Apsley St Penshurst - Demolition of Existing and Construction of Three Storey Residential Flat Building
[Appendix 8] Shadow Diagrams - June - 11 - 13 Apsley St Penshurst
CCL065-16 Options Paper - Review of B3 Commercial Core Zone in Hurstville Local Environmental Plan 2012
|
Report Author/s |
Senior Strategic Planner, Ms H Singh Independent Assessment, Consultant Planner |
||
|
File |
15/252 |
||
|
Previous Reports Referenced |
No |
||
|
Community Strategic Plan Pillar |
Economic Prosperity |
||
|
Existing Policy? |
Yes |
New Policy Required? |
Yes |
|
Financial Implications |
Within Budget |
||
|
Reason for Report |
For Approval |
||
|
Interested Parties |
|
||
|
Company Extract included |
Not required |
||
EXECUTIVE SUMMARY
Council at its meeting on 4 February, 2015 adopted the following Mayoral Minute (Minute No. 2) which relates to Zone No 3(d) City Centre Commercial Core:
As Councillors are aware, the Hurstville City Centre Commercial Only Core Local Environment Plan (LEP) came into effect on 5 August 2011. The Plan consolidated a commercial core around Hurstville railway station and bus interchange and prohibits residential development. The aim of the zoning was to encourage new commercial development in the central part of the CBD to create employment opportunities and allow Hurstville to grow in a sustainable fashion. Unfortunately, this has not materialised over the past few years. In an effort to generate commercial growth in our CBD, I propose Council authorises the General Manager to engage consultants to review the current LEP with the aim of attracting commercial business to the CBD. As part of this process, I also propose that a Councillor workshop be held with the consultant to put forward our views.
In response to the Mayoral Minute, Council commissioned AEC Group and SJB Planning to prepare an Options Paper - Review of Hurstville Commercial Core Zone in Hurstville LEP 2012 (August 2015) (Options Paper) to review the objectives and land uses, assess potential land use mixes and development incentives to encourage commercial businesses in No 3(d) City Centre Commercial Core Zone in Hurstville LEP 1994 (now B3 Commercial Core in the Hurstville LEP 2012). A number of Councillor Workshops were held during the preparation of the Options Paper.
This report recommends that Council receive and note the Options Paper and the Planning Policy Recommendations including: expansion of the area of the B3 Commercial Core zone; minimum requirements for non-residential floor space in the B3 Commercial Core zone and B4 Mixed Use zone; urban design study and review of active street frontage areas. The report also recommends that the Options Paper is released for community consultation and that a planning proposal is prepared to amend the Hurstville LEP 2012 to reflect the Planning Policy Recommendations in the Options Paper.
|
THAT Council receive and note the Options Paper – Review of Hurstville Commercial Core Zone in Hurstville LEP 2012 (August 2015) and the Planning Policy Recommendations included in the Options Paper.
THAT Council endorse the release of the Options Paper – Review of Hurstville Commercial Core Zone in Hurstville LEP 2012 (August 2015) for community consultation for a period of no less than 28 days.
THAT any submissions received during community consultation of the Options Paper – Review of Hurstville Commercial Core Zone in Hurstville LEP 2012 (August 2015) be reported back to Council.
THAT Council resolve to commence the preparation of a planning proposal under Section 55 of the Environmental Planning and Assessment Act, 1979 to amend the Hurstville LEP 2012 to reflect the Planning Policy Recommendations in the Options Paper by expanding the B3 Commercial Core Zone and permitting limited residential development (Scenario 4).
FURTHER THAT Council forward a copy of the Options Paper – Review of Hurstville Commercial Core Zone in Hurstville LEP 2012 (August 2015) to the Department of Planning and Environment for information. |
REPORT DETAIL
1.0 BACKGROUND
The previous Hurstville Local Environmental Plan 1994 (‘LEP 1994’) included a 3(b) City Centre Business Zone and introduced Zone No 3(d) City Centre Commercial Core within the Hurstville City Centre in August 2011 through Amendment No. 70.

The 3(d) City Centre Commercial Core Zone and the 3(b) City Centre Business Zone under the Hurstville LEP 1994 were translated into the Hurstville Local Environmental Plan (LEP) 2012 as B3 Commercial Core and B4 Mixed Use zones respectively. This amendment became effective on 24 July 2015.
The B3 Commercial Core zone is centrally located within the Hurstville City Centre around the Hurstville Railway Station and the Bus Interchange as shown in Figure 1. The B3 Zone permits with consent a wide range of commercial land uses (business, offices, retail), community, tourism and recreational land uses. Residential accommodation is prohibited in the B3 zone. The B4 Mixed Use zone aims to provide for a mix of compatible uses including business, office, residential, retail and recreational uses with consent. The B4 Zone allows for residential development in the Hurstville City Centre while maintaining active retail, business or other non-residential uses at street level.
Council at its meeting on 4 February, 2015 adopted the following Mayoral Minute (Minute No. 2) which related to Zone No 3(d):
As Councillors are aware, the Hurstville City Centre Commercial Only Core Local Environment Plan (LEP) came into effect on 5 August 2011. The Plan consolidated a commercial core around Hurstville railway station and bus interchange and prohibits residential development. The aim of the zoning was to encourage new commercial development in the central part of the CBD to create employment opportunities and allow Hurstville to grow in a sustainable fashion. Unfortunately, this has not materialised over the past few years. In an effort to generate commercial growth in our CBD, I propose Council authorises the General Manager to engage consultants to review the current LEP with the aim of attracting commercial business to the CBD. As part of this process, I also propose that a Councillor workshop be held with the consultant to put forward our views.
A review of the development applications in the Hurstville City Centre (between the introduction of the Commercial Core Zone in August 2011 and December 2015), both within the B3 Commercial Core Zone and outside in the B4 Mixed Use; has been undertaken by Strategic Planning. The review has confirmed that limited development has taken place within the B3 Commercial Core zone whilst a number of mixed-use developments have been approved in the B4 Mixed Use Zone. The proportion of retail/commercial floorspace within these developments in total is low (approximately 6%) as compared to the residential floorspace (94%).
As part of preparing the Options Paper - Review of Hurstville Commercial Core Zone in Hurstville LEP 2012 (August 2015) (Options Paper), a Planning Policy recommendation has been made to amend the FSR controls to require provision of a minimum non-residential floor space ratio (FSR) of 0.5:1 in the remainder B4 Mixed Use zone. This amendment is proposed to work in conjunction with the active street frontage provision requirements.
2.0 APPROACH TO REVIEW
In response to the Mayoral Minute, Council engaged AEC Group and SJB Planning to review the objectives, assess potential land use mixes and development incentives which would promote and attract commercial businesses in the B3 Commercial Core under the Hurstville LEP 2012 and prepare an Options Paper outlining Planning Policy Recommendations.
Utilising a range of analytical methods and tools, the consultants reviewed and considered if existing planning controls are appropriate, sustainable and facilitate achievement of Council’s business and employment objectives for Hurstville City Centre that include:
· to strengthen the role of Hurstville City Centre as a major business, retail and cultural centre of southern Sydney,
· to encourage a range of employment, services, housing and recreation to meet the needs of existing and future residents of the Hurstville City Centre,
· to concentrate intensive land uses and trip-generating activities in locations most accessible to transport and centres,
· to foster economic, environmental and social well-being so that the Hurstville City Centre continues to develop as a sustainable and prosperous place to live, work and visit
The Options Paper recognised that land is a finite resource, and provided recommendations on planning for land in the B3 Commercial Core Zone to be put to its most beneficial and effective use.
3.0 COUNCILLOR CONSULTATION
As part of the review process, two Councillor Workshops (9 May and 22 July 2015) were held and attended by AEC Group, SJB Planning, and Council’s Strategic Planning Team. A brief description of each is set out below.
1. Councillor Workshop 1 – initial research, findings and options: at this Workshop the baseline economic and market analysis was presented. This included demographic analysis (i.e. who lives in the area), property market analysis and a comparison of Hurstville and other centres (i.e. how they are performing from a market perspective and their planning controls).
2. Councillor Workshop 2 – options and recommendations for proposed amendments to the B3 Commercial Core under the Hurstville LEP 2012 were presented and included the feasibility analysis and potential development scenarios.
The outcomes of these Workshops have been considered while preparing the Options Paper.
4.0 PLANNING CONTEXT
State Policy Context - NSW 2021
The NSW 2021 Plan (NSW Department of Premier and Cabinet, 2011) aims to rebuild the NSW economy, provide quality services, renovate infrastructure, restore government accountability and strengthen NSW’s local environment and communities. The 2021 Plan comprises five sub-strategies. The main sub-strategy that is of relevance to this Options Paper is ‘Rebuild the Economy’. The following goals are of particular relevance:
· Goal 1 Improve the Performance of the NSW Economy
A strong economy generates opportunities for fulfilling jobs, choices and financial security. The target of the Plan is to grow employment by an average of 1.25% per year to 2020.
· Goal 4 Increase the Competitiveness of Doing Business in NSW
There should be an increase in business innovation. Furthermore, it is put forward that high performing businesses should be supported to innovate in order to further enhance productivity through Industry Action Plans.
A Plan for Growing Sydney
Hurstville is defined as a Strategic Centre in A Plan for Growing Sydney (Department of Planning and Environment, 2014). A Strategic Centre is defined as a location that currently or is planned to have least 10,000 jobs. These are priority locations for employment, retail, housing, services and mixed-uses. The Plan states that with regard to Strategic Centres the State Government intends to:
· Invest in strategic centres across Sydney to grow jobs and housing and create vibrant hubs of activity.
· Improve councils’ access to data on the demand and supply of homes, office and retail space.
· Work with the Greater Sydney Commission to develop job targets for strategic centres.
With regard to Hurstville, The Plan states that State Government will work with Council to:
· Retain a commercial core in Hurstville, as required, for long term employment growth.
· Provide capacity for additional mixed-use development in Hurstville including offices, retail, services and housing.
Local Policy Context (Current Planning Controls)
Hurstville Local Environmental Plan 2012
In accordance with the Hurstville LEP 2012, the Study Area is zoned B3 Commercial Core. The objectives of the B3 zone are:
· To provide a wide range of retail, business, office, entertainment, community and other suitable land uses that serve the needs of the local and wider community.
· To encourage appropriate employment opportunities in accessible locations.
· To maximise public transport patronage and encourage walking and cycling.
A wide range of commercial (business, retail), community, tourism and recreational land uses are permitted with consent in the B3 Commercial Core Zone. All types of residential accommodation are prohibited.
The remainder of the Hurstville City Centre is zoned B4 Mixed Use. The objectives of the B4 zone are:
· To provide a mixture of compatible land uses.
· To integrate suitable business, office, residential, retail and other development in accessible locations so as to maximise public transport patronage and encourage walking and cycling.
· To allow for residential development in the Hurstville City Centre while maintaining active retail, business or other non-residential uses at street level.
Unlike the B3 Commercial Core Zone, the B4 Mixed Use zone permits residential accommodation.
The Hurstville LEP 2012 sets out the following density and height controls for the Hurstville City Centre Zones:
· B3 Commercial Core zone - maximum floor space ratio (FSR) ranging from 3:1 to 9:1 and maximum building heights from 11m to 60m.
· B4 Mixed Use zone - maximum FSR ranging from 1.4:1 to 6:1 and maximum building heights from 15m to 60m.
There are three sites within the Hurstville City Centre that are excluded from the Hurstville LEP 2012 (refer Figure 1). These sites are identified as “Deferred Matter” and are subject to the provisions of the Hurstville LEP 1994 and Development Control Plan No. 2 - Hurstville City Centre (Amendment No. 5). These deferred sites have been considered in the Options Paper and one of the sites (Treacy Street car park) is included in the Planning Policy recommendations.
Development Control Plan No. 2 - Hurstville City Centre (Amendment No. 6)
The Development Control Plan No. 2 - Hurstville City Centre (Amendment No. 6) (DCP No. 2) became effective on 24 July 2015 and sets out a series of building form character principles for the Hurstville City Centre (Zones B3 and B4) based upon principles including the provision of high quality public domain, establishing an appropriate scale and character for the Hurstville City Centre while promoting pedestrian comfort, safety and sustainability, promoting a high quality urban form outcome through appropriate articulation and building material, response to the natural topography, provision of an active streetscape and provision of an accessible and walkable City Centre.
DCP No. 2 includes built form controls relating to site amalgamation, housing choice, floor space ratio, building height, street setbacks, building separation, solar access, natural ventilation, visual privacy, landscaping, vehicular access and parking requirements.
5.0 CONSIDERATION
The Options Paper undertook a property market appraisal to understand the nature of market demand and market signals to assess the capacity/ability of the market to meet employment floorspace demand. The Options Paper comparatively analyses Hurstville City Centre against other strategic centres such as Burwood, Blacktown, Campbelltown and Chatswood and considers potential development types that could accommodate employment growth in the Hurstville City Centre. Generic feasibility testing was carried out to understand the market conditions that would be necessary in order for those development types to be feasible to develop.
The property market research and feasibility modelling suggest that fine grain lot patterns, ownership fragmentation and exceptionally valuable sites in the relatively small area of the B3 Commercial Core (which accounts for approximately 12% of the Hurstville City Centre area) cumulatively hinder redevelopment. This situation exists alongside a situation where vacant sites and existing commercial buildings in the surrounding B4 Mixed Use zone are assembled for development into mixed use residential developments.
The Options Paper then considers a series of development scenarios (some involving changes to planning controls) in which development of new employment floorspace could be accommodated and encouraged in the B3 Commercial Core Zone. These development scenarios are evaluated against a specified list of criteria to select a preferred development scenario.
Development Scenarios / Options
The Options Paper presented four (4) development scenarios to encourage commercial and business uses in the B3 Commercial Core Zone within the Hurstville City Centre. Each of these development scenarios is considered below. A copy of the Options Paper- Review of Hurstville Commercial Core Zone in Hurstville LEP 2012 is included as Appendix 1 for further details.
1. Scenario 1: No Change (Business-as-Usual)
This option does not address the underlying intent of the investigation, which is to ensure that the Hurstville City Centre re-establishes itself as an employment centre for southern Sydney and achieves the objective of A Plan for Growing Sydney to accommodate long-term employment growth.
No change to the planning controls in the B3 Commercial Core Zone is likely to witness continued incremental refurbishment and alteration activity within the retail strip, underpinned by phenomenally high property values. Owing to existing land values, lot patterns and ownership fragmentation issues, the quantum and nature of employment floorspace is likely to remain largely unchanged.
Thus, the Options Paper does not recommend Scenario 1 No change (Business-as-Usual).

2. Scenario 2: Rezone B3 Commercial Core Zone to B4 Mixed Use Zone
This option considers rezoning the entire area currently zoned B3 Commercial Core to B4 Mixed Use Zone and raises particular concerns about the viability of the Hurstville City Centre as an on-going employment area.
The application of the B4 Mixed Use zone to the entire Commercial Core area further undermines the real and perceived status of the Hurstville City Centre as an employment area and its conversion to a residential dormitory.
There is a limited number of sizable sites within the Commercial Core; these few remaining sites could conceivably be redeveloped into mixed use residential. This outcome would be contrary to the objectives for Hurstville in A Plan for Growing Sydney.
Thus, the Options Paper does not recommend Scenario 2: Rezone B3 Commercial Core Zone to B4 Mixed Use Zone.
3. Scenario 3: Reduce B3 Commercial Core Zone by expanding B4 Mixed Use Zone
This option considers reducing the land zoned B3 Commercial Core to the main high street strip along Forest Road (refer Figure 2). This approach would limit the B3 Commercial Core zone to that land that is already highly fragmented, and which has been demonstrated to be difficult to amalgamate due to the high underlying land values.
The reduction in the B3 Commercial Core zoned land would result in the few larger land parcels zoned B3 Commercial Core being rezoned to B4 Mixed Use and in all likelihood lead to their conversion to residential accommodation with nominal non-residential land uses. Furthermore, a number of strata developments already exist in the proposed B4 Mixed Use expansion area.
This option is unlikely to contribute significantly to the employment potential of the Hurstville City Centre and would be contrary to the objectives for Hurstville in A Plan for Growing Sydney.
Thus, the Options Paper does not recommend Scenario 3: Reduce B3 Commercial Core Zone by expanding B4 Mixed Use Zone.

4. Scenario 4: Expand B3 Commercial Core Zone by reducing B4 Mixed Use Zone (Recommended Option)
This option considers an expansion of the B3 Commercial Core zone and consequent reduction in areas of the surrounding B4 Mixed Use zone (refer Figure 3). This would be undertaken in conjunction with a relaxation on the current prohibition of residential development in the B3 Commercial Core Zone.

The area currently zoned B4 Mixed Use that is proposed to be rezoned to B3 Commercial Core is outlined in blue (and described as “Possible B3 Commercial Core Expansion”) in Figure 3. On the western side of the current B3 Commercial Core zone boundary are two sites that are recommended for inclusion within the expanded B3 Commercial Core zone. These sites include 34 MacMahon Street and 4-8 Woodville Street currently occupied by commercial buildings. Other sites for inclusion within the expanded B3 Commercial Core zone include sites along Treacy Street and Forest Road (refer Figure 3 above). Inclusion of these sites under the planning regime proposed for the B3 Commercial Core zone would retain a greater proportion of the floor area of these buildings, and any subsequent redevelopment, for employment generating purposes.
The Options Paper recommends Scenario 4, as under current circumstances, 100% non-residential redevelopment is not feasible due primarily to the cost of site amalgamation and the cost-revenue proposition. As a result, the development activity that has occurred in the B3 Commercial Core zone has been low in scale and has not achieved the FSR potential under the Hurstville LEP 2012.
To mitigate the feasibility concerns, it is proposed that consideration be given to permitting limited residential development in conjunction with employment (commercial/retail/business/office) development, noting that:
· The inclusion of residential accommodation as a component in a mixed use development is to enable part cross-subsidisation of employment floorspace (demonstrated by generic feasibility testing to be necessary for feasible development); and
· A concurrent limitation on the amount of residential accommodation is proposed to avoid provision of nominal quantum of non-residential floorspace.
In recognition of the need to maintain employment and future growth capacity in the Hurstville City Centre, non-residential uses should comprise a minimum of 20-30% of proposed floorspace subject to specified criteria. For example, if a site has a maximum FSR of 6:1, the minimum non-residential FSR (at 20%) would be 1.2:1 and the maximum residential FSR would be 4.8:1.
A lower proportion of non-residential uses (e.g. 10% of proposed floorspace) could be considered in fringe/isolated locations where non-residential uses are less viable. For example, if a site has a maximum FSR of 6:1, the minimum non-residential FSR (at 10%) would be 0.6:1 and the maximum residential FSR would be 5.4:1.
The expansion of the B3 Commercial Core Zone would ostensibly strengthen the commercial core status of the Hurstville City Centre by retaining and expanding the Commercial Core which would communicate a consistent message to the market. This would be consistent with the objectives in A Plan for Growing Sydney.
The Options Paper recommends that:
Council endorse the preparation of a planning proposal to expand the current B3 Commercial Core zone by reducing B4 Mixed Use (i.e. adopt Scenario 4).
6.0 PLANNING POLICY RECOMMENDATIONS
The Options Paper recommends the following changes to planning policy and controls in relation to Scenario 4 that will stimulate the redevelopment and renewal in the B3 Commercial Core (including the expanded area) and B4 Mixed Use Zones:
a) B3 Commercial Core Zone Expansion and Objectives
The Options Paper recommends that retention and expansion of the B3 Commercial Core zone (as shown in Figure 3) would better articulate Council’s priorities for employment growth within Hurstville City Centre. The B3 Commercial Core zone objectives in the Hurstville LEP 2012 state:
o To provide a wide range of retail, business, office, entertainment, community and other suitable land uses that serve the needs of the local and wider community.
o To encourage appropriate employment opportunities in accessible locations.
o To maximise public transport patronage and encourage walking and cycling.
Consistent with the recommended policy direction, these existing B3 Commercial Core zone objectives should be supplemented with an additional objective which conveys a clear direction that residential development can be accommodated but only with significant levels of employment generating land uses at the lower levels of a building. A suggested wording for the additional B3 zone objective is:
To maintain existing commercial space and allow for residential development in mixed use buildings, with non-residential uses on the lower levels and residential uses above those levels.
The Options Paper notes that the outcomes as envisaged by Scenario 4 could be achieved by the current B4 Mixed Use zone in conjunction with the application of either maximum residential FSR or minimum non-residential FSR controls.
However, a policy distinction is achieved by maintaining the B3 Commercial Core zone which incorporates an emphasis on employment and commercial activity, and envisages a greater proportion of any proposed development to comprise more non-residential land uses than is being achieved or required in the current B4 Mixed use zone.
b) Minimum non-residential floor space ratio (FSR) requirement in B4 Mixed Use Zone
In the B4 Mixed Use zone that is to be retained, it is recommended that the FSR controls be amended to require provision of a minimum non-residential FSR of 0.5:1. This refinement could work in conjunction with the active street frontage provision requirements that have been proposed for consideration. This approach would assist to counter the current development outcomes that have seen the nominal provision of retail/commercial floorspace within a mixed use development.
c) Minimum Percentage of gross floor area (GFA) v Minimum floor space ratio (FSR) standard in the B3 Commercial Core (including the expanded area)
The Options Paper notes that in the expanded B3 Commercial Core zone (existing B3 zone and expanded area identified in Figure 3), either a minimum percentage of GFA (e.g. 30%) or a minimum FSR standard (e.g. minimum FSR 4:1) could be imposed for provision of non-residential employment generating floorspace. Feasibility testing has identified that in areas along the fringe of the commercial core, tolerance to provision of non-residential floorspace is around 20% before redevelopment becomes unviable. However as Council and the State Government’s objective is to strengthen the commercial core, the Options Paper recommends an imposition of a slightly higher minimum requirement of 30% of employment generating floorspace. This minimum requirement would enable the preservation of employment floorspace potential over the long term.
The specification of a minimum percentage of employment GFA necessitates the requirement of a total GFA permitted (or FSR). The current FSRs applicable in the Study Area range between 3:1 and 9:1. To establish the FSRs that can be achieved the Options Paper recommends an urban design study be undertaken to test the capacity of the centre, and to establish built form controls that create podiums with employment generating land use potential and a capacity for residential towers above.
An alternative would be to impose a minimum non-residential FSR standard (e.g. FSR 4:1) with no limit on total FSR. A development that includes this base minimum non-residential floorspace could be permitted to provide residential floorspace above the podium to the maximum height limit that is established for a site or location. In this instance, the residential floorspace would not be controlled by an FSR control, rather the height limit imposed on the site by the LEP and design guidelines such as SEPP 65 (State Environment Planning Policy No. 65 Design Quality of Residential Apartment Development) and Apartment Design Guide (ADG).
The Options Paper notes that in terms of simplicity and ease of understanding by the market, a minimum employment floorspace requirement as a proportion of total allowable floorspace would be preferable. This could be expressed in terms of a minimum non-residential FSR and a maximum residential FSR.
d) Urban Design Study
An urban design study will be critical to understanding the practicality of specifying a minimum non-residential FSR standard. As a recommended target, following completion of the urban design study, the development standards to be included in a Planning Proposal could be framed to require 30% of development floorspace to be non-residential employment generating uses. For example, if a site is identified as being capable of accommodating a maximum FSR of 6:1, the minimum non-residential FSR would be 1.8:1 and the maximum residential FSR would be 4.2:1.
The urban design study would enable:
· The testing of building heights and envelopes of the City Centre.
· Ensure development standards are framed to achieve non-residential podiums with residential towers above capable of achieving SEPP 65 Design Quality of Residential Apartment development consistency.
· Inform DCP provisions for the centre.
· Review building height controls that could maximise the building volume and mix of uses.
· Review height maximums that can readily accommodate the permissible floorspace and give flexibility to a development to achieve better design outcomes.
Comment: It is noted that since 2007, a number of Urban Design Studies have been undertaken for the Hurstville City Centre including:
· Urban Form Study (2007)
· Urban Design Work undertaken in 2009-2010 as part of the Hurstville City Centre project
These studies informed the Hurstville City Centre LEP.
e) Active Street Fronts
The Options Paper notes that a critical immediate outcome is the recommendation that an active street frontages clause be retained in the B3 Commercial Core and B4 Mixed Use Zones to ensure retail and employment uses at ground level. The active street frontages clause is required to be supplemented by minimum non-residential floor space provision requirements.
7.0 NEXT STEPS
This report refers the Options Paper for the consideration of Council. In this regard, the options are:
1. to adopt the recommendations of the Options Paper;
2. to modify the recommendations of the Options Paper; or
3. to resolve not to proceed with the recommendations of the Options Paper.
If Council resolves to adopt all or some of the recommendations of the Options Paper, the next steps include:
· undertaking community consultation of the Options Paper
· reporting any submissions to Council
· prepare a planning proposal to rezone land within the B3 Commercial Core zone and B4 Mixed Use zone; and associated amendments to the height and FSR controls in Hurstville LEP 2012
· forward the Planning Proposal to the Department of Planning and Environment for issuing of a Gateway Determination to undertake community consultation.
|
Appendix View1 |
Options Paper - Review of Commercial Core Zone in Hurstville LEP 2012 |
Hurstville City Council – Council Meeting Wednesday, 2 March 2016
CCL065-16 Options Paper - Review of B3 Commercial Core Zone in Hurstville Local Environmental Plan 2012
[Appendix 1] Options Paper - Review of Commercial Core Zone in Hurstville LEP 2012
















Hurstville City Council – Council Meeting Wednesday, 2 March 2016
CCL065-16 Options Paper - Review of B3 Commercial Core Zone in Hurstville Local Environmental Plan 2012
[Appendix 1] Options Paper - Review of Commercial Core Zone in Hurstville LEP 2012
Hurstville City Council – Council Meeting Wednesday, 2 March 2016
CCL065-16 Options Paper - Review of B3 Commercial Core Zone in Hurstville Local Environmental Plan 2012
[Appendix 1] Options Paper - Review of Commercial Core Zone in Hurstville LEP 2012









































Hurstville City Council – Council Meeting Wednesday, 2 March 2016
CCL066-16 December Quarterly Review - Delivery Program 2015-2019 and Operational Plan 2015-16
|
Report Author/s |
Manager Corporate Planning, Mr E Mishra |
||
|
File |
14/901 |
||
|
Previous Reports Referenced |
No |
||
|
Community Strategic Plan Pillar |
Civic Leadership |
||
|
Existing Policy? |
Yes |
New Policy Required? |
No |
|
Financial Implications |
Nil |
||
|
Reason for Report |
For Approval |
||
|
Interested Parties |
N/A |
||
|
Company Extract included |
Not Required |
||
EXECUTIVE SUMMARY
The second quarter review of performance made against the Delivery Program 2015-2019 and Operational Plan 2015-2016 is submitted for the information of Council and the community.
|
THAT the report be received and noted.
FURTHER THAT the Second Quarter Progress Report be published by posting it on Council's website. |
REPORT DETAIL
The Local Government Act (1993) requires Councils to prepare and adopt a 4-year Delivery Program and an annual Operational Plan. Further regular reports are to be presented to Council identifying progress against the Delivery Program and the Operational Plan.
The Hurstville City Council 4-year Delivery Program 2015-2019 & Operational Plan 2015-16 was adopted on 3 June 2015 (CCL711-15). The Delivery Program & Operational Plan is designed to steer the work program over the next four years and to identify specific initiatives to be implemented. The Second Quarter Progress Report against the Delivery Program & Operational Plan is attached.
Council continues to remain financially sound and in 2014/2015 Council achieved a Net Operating Surplus of over $13.7 million and $1 million Surplus before Grants and Contributions provided for Capital Purposes.
Through Council’s prudent financial management Council is continuing to forecast surplus budgets for current and future years.
During this quarter, Council continued to progress well with its significant capital works program and is an effective and efficient local government authority delivering services and facilities for the whole community.
Some of the great work completed within the second quarter included the re-sheeting of more than eight roads, footpath repairs in all three wards, improvements to buildings and facilities, along with upgrades to parks, playgrounds and sporting fields.
Council also continued to make good progress with the multi-million dollar revitalisation project of Forest Road, Hurstville through the repaving of footpaths on both sides of the road, replanting of street trees and the upgrade of street furniture between the Hurstville Transport Interchange and Palm Court Car Park (both sides).
The new state-of-the-art Mortdale Community Centre continued to make steady progress this quarter. The $4.5 million dollar project will give the community a dynamic new place to meet and will also include a childcare facility managed by Jubilee Community Services. The official opening for the centre will be held on Saturday, 19 March 2016 from 11.00am.
Council during this quarter also held its annual Volunteers Day Reception which awarded more than 20 outstanding Hurstville volunteers, along with a Citizenship Ceremony welcoming more than 80 new citizens to our vibrant city.
On 18 December 2015, the NSW Premier, Mike Baird and Minster for Local Government, Paul Toole announced a proposed merger between Hurstville City Council and Kogarah City Council as part of the ‘Fit for the Future’ Local Government reform. The decision-making process and timeframes were widely covered by the media and publicised by the NSW Government. Detailed information is available on www.councilboundaryreview.nsw.gov.au.
|
Appendix View1 |
Q2 Progress Report 2015-16 |
Hurstville City Council – Council Meeting Wednesday, 2 March 2016
CCL066-16 December Quarterly Review - Delivery Program 2015-2019 and Operational Plan 2015-16
[Appendix 1] Q2 Progress Report 2015-16









































CCL067-16 Quarterly Financial Review - December 2015
|
Report Author/s |
Manager Finance, Mrs C Long |
||
|
File |
15/878 |
||
|
Previous Reports Referenced |
No |
||
|
Community Strategic Plan Pillar |
Civic Leadership |
||
|
Existing Policy? |
Yes |
New Policy Required? |
No |
|
Financial Implications |
Outside Budget |
||
|
Reason for Report |
For Approval |
||
|
Interested Parties |
N/A |
||
|
Company Extract included |
Not required |
||
EXECUTIVE SUMMARY
The review of Council’s second quarter financial performance against the 2015-16 Current Budget is referred to Council, and recommends approval of Budget variances in line with the revised Full Year Forecast.
|
THAT the report in relation to the December 2015 Quarterly Financial Review be received and noted.
THAT Council approves funding for projects as detailed in the report from CBD Masterplan Reserve ($59,837); Property Asset Reserve ($17,542); Building Replacement Reserve ($75,000); and Section 94 Contribution – Community Facilities ($497,048)
FURTHER THAT the recommended Budget changes as shown in the revised Full Year Forecast be approved. |
REPORT DETAIL
Clause 203 of the Local Government (General) Regulation 2005 requires that a quarterly budget review be considered by Council that shows current estimates for income and expenditure for the year, indicates whether Council’s financial position is satisfactory and makes recommendations for remedial action where needed.
Quarterly Budget Review Statements attached to this report provide a comprehensive high level review of Council’s financial position at 31 December 2015, in accordance with requirements developed by the Office of Local Government that will assist Councils in meeting their obligations as set out in legislation.
This quarterly review forecasts the Operating Result after Capital Grants and Contributions to improve by $724,000 to a surplus of $14.458 million. The Operating Result before Capital Amounts is expected to decline by $435,000 to a surplus of $5.722 million. This year’s Cash Budget has improved by $542,000 to a deficit of $2.127 million, with funds being allocated to Reserves for expenditure in future years.
Included in the variance table (see Appendix 1) are projects listed below which require funding from various Reserves:
· Civic Precinct project - $59,837 – CBD Masterplan Reserve
· Various Development sites - $17,542 – Property Asset Reserve
· Hurstville Aquatic Leisure Centre – Roof Renewal - $75,000 – Building Replacement Reserve
· Jubilee Park Community Centre - $497,048 – Section 94 Developer Contributions - Community Facilities.
The repealed Section 94 Plan No.4 Community Facilities and Services levies contributions for the provision of a multi-purpose community centre. To date, Council has allocated $292,902 of section 94 contributions from the repealed Section 94 Plan No.4 Community Services and Facilities to part fund the construction of the Jubilee Park Community Centre.
As at 31 December 2015 there was an unallocated balance of $2,256,810 in the repealed Section 94 Contributions Plan No. 4 – Community Services & Facilities for the multi-purpose community centre.
The estimated cost of constructing the Community Centre has increased due to the liquidation of the builder. This report seeks to allocate $497,048 of the repealed Section 94 Contributions Plan No. 4 – Community Services & Facilities funds.
The Section 94 Working Party considered the allocation of additional funds for the completion of the Jubilee Park Community Centre project on 16 February 2016. The Working Party noted that the project was consistent with the repealed Section 94 Plan No.4 and that there were sufficient unallocated funds for the project. The Working Party supported the allocation of additional funds for the completion of the project
It is also noted that during the quarter the following Council-approved supplementary votes have negatively impacted the bottom-line:
|
Expenditure from Working Funds |
$ |
|
Public Open Space – Hurstville CBD |
150,000 |
|
Floodlighting at Olds Park |
77,738 |
|
Architectural Consultancy Services for Penshurst Park Sporting Hub |
47,539 |
|
Rental of Office Space for Hurstville Chamber of Commerce |
25,500 |
|
Floodlighting at Riverwood Park |
22,000 |
|
Youth Sponsorship |
3,000 |
|
Cancellation of Fine - Property in Morts Road |
3,000 |
|
Financial Assistance - Hurstville Branch of Australian Red Cross |
1,500 |
|
Donation - Eora Elders Olympics |
500 |
|
Concessional Rental - Riverwood Community Centre |
450 |
|
331,227 |
The following table summarises the December Quarterly Review Full Year Forecast and compares it to the Current Forecast (which includes September Quarterly Review and resolutions of Council since 18 November 2015).
|
2015-16 Adopted Budget |
Parameter |
2015-16 Current Budget |
Dec 2015 Qtr Rev Forecast |
Variance |
|
|
|
|
|
|
|
70,114 |
Operating Income and Grants |
71,631 |
71,841 |
210 |
|
(69,297) |
Operating Expenses |
(70,840) |
(71,269) |
(428) |
|
166 |
Net Income from Sale of Assets |
5,366 |
5,150 |
(217) |
|
983 |
Surplus/(Deficit) Net Operating Result before Capital Amounts |
6,157 |
5,722 |
(435) |
|
4,818 |
Capital Grants and Contributions |
7,577 |
8,735 |
1,159 |
|
5,801 |
Surplus Net Operating Result after Capital Amounts |
13,734 |
14,458 |
724 |
|
(21,918) |
Capital Expenditure |
(22,736) |
(19,119) |
3,618 |
|
(1,000) |
Borrowing Repayments |
(1,000) |
(1,000) |
0 |
|
9,953 |
Add back - Depreciation (included in Operating Expenses above) |
9,909 |
9,991 |
83 |
|
(7,164) |
Annual Cash Generation / (Application) |
(94) |
4,330 |
4,424 |
|
4,398 |
Nett Movement from/(to) Reserves and Asset Written Down Value Adjustments |
(2,574) |
(6,457) |
(3,883) |
|
(2,767) |
Cash Budget Surplus / (Deficit) |
(2,668) |
(2,127) |
542 |
|
Appendix View1 |
December 2015 Quarter Financial Statements |
Hurstville City Council – Council Meeting Wednesday, 2 March 2016
CCL067-16 Quarterly Financial Review - December 2015
[Appendix 1] December 2015 Quarter Financial Statements










CCL068-16 Concessional Rental Policy - Mortdale Community Centre
|
Report Author/s |
Manager Library Museum and Entertainment, Ms R Schulz |
||
|
File |
16/348 |
||
|
Previous Reports Referenced |
No |
||
|
Community Strategic Plan Pillar |
Social and Cultural Development |
||
|
Existing Policy? |
Yes |
New Policy Required? |
No |
|
Financial Implications |
Within Budget |
||
|
Reason for Report |
For Approval |
||
|
Interested Parties |
|
||
|
Company Extract included |
No |
||
EXECUTIVE SUMMARY
Mortdale Community Centre opens to the public on 19 March 2016. Clients may book the Community Centre hall from 1 April 2016. This report clarifies the payment options available for hiring the new hall.
|
THAT hiring of the Mortdale Community Centre hall is charged at the full rates, as outlined in Hurstville City Council’s adopted 2015-16 Schedule of Fees and Charges.
THAT concessional rentals do not apply to the hiring of the Mortdale Community Centre hall. |
REPORT DETAIL
Mortdale Community Centre opens to the public on 19 March 2016. Clients may book the Community Centre hall from 1 April 2016. This report clarifies the payment options available for hiring the new hall.
The Concessional Rental Policy outlines the criteria applied to applications from non-profit and charitable organisations and government departments wishing to use Hurstville City Council facilities at a reduced cost. The Policy is reviewed annually and was approved by Council on 21 October 2015. To-date in 2015-2016, Hurstville City Council have subsidised community rental of Council facilities by $267,582.50.
Currently, the approved Concessional Rental Policy does not have a provision for the subsidised use of the new Mortdale Community Centre hall. If Council wishes to provide subsidised use of the Mortdale Community Centre hall, the Concessional Rental Policy should be updated to reflect this requirement of Council. However, Council staff recommend no concessional rentals should be offered for this new facility. Rather, Council staff recommend non-profits, charitable organisations and government departments are instead referred to existing Hurstville Entertainment Centre and Hurstville City Library Museum & Gallery facilities where utilisation steadily remains at less than 50%. There is significant times and spaces available within current facilities to accommodate subsidised use.
It is recommended that the newly developed Mortdale Community Centre hall is hired out at the full rate of
· Weekdays Monday-Friday - $40.00 per hour
· Weekends & public holidays - $50.00 per hour
A “market” pricing methodology was adopted in setting the above rates, as outlined in Council’s Community Strategic Plan. In other words, the rate was determined by examining alternative prices of surrounding service providers. Pricing does not recover the full cost of utilising the facility. These reasonable hourly rates provide customers with full use of the new hall, meeting room, audio-visual technology, data projector and kitchen facilities. Further, customers are not required to hire the hall for a set number of hours such as a minimum 3 hours as is standard in many community facilities. If available, a customer can make a one hour booking for Mortdale Community Centre.
Hiring of this facility at the hourly rates outlined above will assist in ensuring the new facility becomes financially sustainable and will help increase utilisation rates of Hurstville Council’s existing facilities.
|
Appendix View1 |
Concessional Rental Policy |
Hurstville City Council – Council Meeting Wednesday, 2 March 2016
CCL068-16 Concessional Rental Policy - Mortdale Community Centre
[Appendix 1] Concessional Rental Policy










CCL069-16 Donation Request - Charity Event at Grandviews Bowling Club
|
Report Author/s |
Governance Officer, Ms S Camilleri |
||
|
File |
16/97 |
||
|
Previous Reports Referenced |
No |
||
|
Community Strategic Plan Pillar |
Civic Leadership |
||
|
Existing Policy? |
No |
New Policy Required? |
No |
|
Financial Implications |
Within Budget |
||
|
Reason for Report |
For Consideration |
||
|
Interested Parties |
Grandviews Bowling Club St George Hospital Member for Oatley, Mr Mark Coure MP |
||
|
Company Extract included |
No |
||
EXECUTIVE SUMMARY
His Worship the Mayor, Councillor V Badalati has received a request from Mr Mark Coure MP Member for Oatley requesting Council to consider supporting a charity event ‘Ladies 2 Bowl Triples’ at the Grandviews (Women’s) Bowling Club on Monday 18 April 2016.
|
For Council’s consideration. |
REPORT DETAIL
His Worship the Mayor, Councillor V Badalati has received a request from Mr Mark Coure MP Member for Oatley requesting Council to consider supporting a charity event ‘Ladies 2 Bowl Triples’, being held at the Grandviews Bowling Club.
The charity event will be held on Monday, 18 April 2016 to support and raise funds for the Dialysis Unit at St George Hospital.
Mr Coure notes in his letter (attached):
…dialysis machines are lifesaving equipment essential in the treatment of kidney disease, and the cost per machine is around $5,000 to $6000… It would be much appreciated of you could consider making a donation to this important cause and assist those being treated for kidney disease.
Hurstville City Council has not previously received a request of this type from Mr Coure or the Grandviews Women’s Bowling Club, although it is noted that at the last meeting of Council a donation of $500 was made to a separate charity event being conducted under the auspices of the Grandviews Bowling Club. As the dialysis machines are proposed for the St George Hospital, there is a direct local community benefit. No further information is available about the event and it is not proposed that Councillors attend.
Should Council consider a donation to support the event, funds may be allocated from the Charitable and Community Events Budget. It is noted that at the time of writing the report, the remaining budget is $2000.
|
Appendix View1 |
Request for Donation - Grandviews Womens Bowling Club Charity Fundraiser |
Hurstville City Council – Council Meeting Wednesday, 2 March 2016
CCL069-16 Donation Request - Charity Event at Grandviews Bowling Club
[Appendix 1] Request for Donation - Grandviews Womens Bowling Club Charity Fundraiser
CCL070-16 Patronage of BEC Southern Sydney - 2015 - 2016
|
Report Author/s |
Governance Officer, Ms S Camilleri |
||
|
File |
16/97 |
||
|
Previous Reports Referenced |
No |
||
|
Community Strategic Plan Pillar |
Civic Leadership |
||
|
Existing Policy? |
No |
New Policy Required? |
No |
|
Financial Implications |
Within Budget |
||
|
Reason for Report |
For Consideration |
||
|
Interested Parties |
Business Enterprise Centre – Southern Sydney Ltd |
||
|
Company Extract included |
N/A |
||
EXECUTIVE SUMMARY
His Worship the Mayor, Councillor V Badalati has received on behalf of Hurstville City Council correspondence from Business Enterprise Centre – Southern Sydney Ltd (BECSS) requesting continued financial patronage support for the period 1 July 2015 to 30 June 2016.
|
For Council’s consideration. |
REPORT DETAIL
On behalf of Council, His Worship the Mayor, Councillor V Badalati has received a request from the Business Enterprise Centre – Southern Sydney Ltd for continued financial patronage for the period 1 July 2015 to 30 June 2016.
Jacqui Attard, Executive Officer of the BEC – Southern Sydney advises in the request (attached):
This year we received two awards recognising the high quality of the services we deliver to our region. BEC Australia awarded us the Best Metropolitan BEC in 2015 in Australia, and the NSW Small Business Commissioner awarded us the Commissioner’s Special Category award for 2014/2015.
BECSS also notes that a Business Advisor is permanently allocated to service the St George area, and that he works closely with Hurstville Council Officer, Craig Edmondson. The “2015 Highlights for Hurstville LGA” is also included in the BEC correspondence with a Snapshot of Activities Planned for 2016.
Should Council consider providing ongoing financial patronage support for 2015/16, the fee of $9900 (inclusive of GST) can be allocated from the Council Memberships budget. It is noted the fee amount is the same as last year.
|
Appendix View1 |
Request for Donation - Patron Support BEC Southern Sydney |
Hurstville City Council – Council Meeting Wednesday, 2 March 2016
CCL070-16 Patronage of BEC Southern Sydney - 2015 - 2016
[Appendix 1] Request for Donation - Patron Support BEC Southern Sydney




CCL071-16 Request to install a commemorative plaque in Oatley Park
|
Report Author/s |
Sport and Recreation Officer, Ms C Irwin |
||
|
File |
11/324 |
||
|
Previous Reports Referenced |
No |
||
|
Community Strategic Plan Pillar |
Social and Cultural Development |
||
|
Existing Policy? |
No |
New Policy Required? |
No |
|
Financial Implications |
Nil |
||
|
Reason for Report |
For Approval |
||
|
Interested Parties |
Ms A Turner |
||
|
Company Extract included |
Not required |
||
EXECUTIVE SUMMARY
This report is presented to Council seeking approval to place a small commemorative plaque on a rock in Oatley Park.
|
THAT Council grant permission for the placement of a commemorative plaque in memory of Mrs Helen Turner in Oatley Park. |
REPORT DETAIL
In 2007, Ann Turner wrote to Council requesting permission to place two commemorative plaques in Oatley Park in memory of her father and sister.
Approval was granted by the Sport and Recreation Manager at the time, with the plaques installed near Webster’s Lookout. Ann Turner’s mother has recently passed, and she has again requested for a commemorative plaque, to be placed next to her father’s. She was advised in 2007 that a spot would be reserved for her mother.
It is recommended that Council approve the placement of the commemorative plaque in Oatley Park next to the other family plaques.
Hurstville City Council – Council Meeting Wednesday, 2 March 2016
CCL072-16 Heritage Signage Scheme Policy
|
Report Author/s |
Manager Library Museum and Entertainment, Ms R Schulz |
||
|
File |
15/508 |
||
|
Previous Reports Referenced |
NM055-15 - Hurstville Council Heritage Signage - Council - 15 Apr 2015 7:00pm |
||
|
Community Strategic Plan Pillar |
Social and Cultural Development |
||
|
Existing Policy? |
No |
New Policy Required? |
Yes |
|
Financial Implications |
Within Budget |
||
|
Reason for Report |
For Approval |
||
|
Interested Parties |
|
||
|
Company Extract included |
Not required |
||
EXECUTIVE SUMMARY
In order to establish a fair and transparent system, a Heritage Signage Scheme Policy has been drafted to provide clear guidelines on the administration of applications, selection and installation of future heritage signage. This report is presented to Council to seek approval to place the Heritage Signage Scheme Policy on public exhibition for community feedback.
|
THAT the draft Heritage Signage Scheme Policy be placed on public exhibition for a period of twenty eight (28) days.
FURTHER THAT the submissions received from the public exhibition period be tabled to a future Council meeting. |
REPORT DETAIL
At the meeting of Council on 15 April 2015, Council resolved:
THAT Council investigate establishing a heritage signage scheme for the Hurstville Council area to acknowledge important historical sites and people within our community.
FURTHER THAT a report on options be provided to a future Council meeting.
Council is interested in investigating ways to acknowledge the history and heritage of our local community, particularly, important historical sites and events within our community that are currently not provided with appropriate signage. An example of the Blue Plaques scheme run by English Heritage throughout London was given as a model of what to strive for.
In order to establish a fair and transparent system, a Heritage Signage Scheme Policy has been drafted to provide clear guidelines on the administration of the application, selection and installation of future heritage signage. The proposed Heritage Signage Scheme Policy is attached to this report for consideration.
The administering of the Heritage Signage Scheme Policy will be overseen by the Heritage Signage Scheme Group. Application of this policy will bring consistency, accuracy and cohesion to the City’s heritage signage.
In the event this policy is approved, Council will fund up to three plaques per year; one each for Hurstville, Penshurst and Peakhurst wards. Authority would rest with the General Manager to approve the installation locations of heritage signage within the Hurstville Local Government Area in accordance with the Heritage Signage Scheme Policy. Additional plaques may be approved by Council for installation, funded from departmental budgets or appropriate grants monies received.
With Council approval, this policy would be placed on public exhibition for twenty-eight (28) days in order to seek community feedback.
All submissions would be tabled to a future Council meeting. Following Council’s approval of this proposed policy, the policy and online application form will be made public. A media release advertising the new Heritage Signage Scheme will also be released.
Background
This Heritage Signage Scheme Policy is informed by Hurstville City Council’s Community Strategic Plan 2021 and works toward the following objectives:
· Environmental sustainability pillar: 8.4 Scenic and cultural heritage sites – preserving scenic and cultural heritage sites
o B.4.2 Raise community awareness about the identification, use and preservation of heritage sites / items.
Research was conducted on the various types of heritage signage systems used, both in Australia and overseas. Policy’s consulted included:
· Commemorative plaques policy - NSW Government, Environment, Climate Change & Water, National Parks & Wildlife Services
· London Blue Plaque scheme – English Heritage
· Commemorative plaques and other markers – Rural City of Wangaratta
· Plaques policy – Wagga Wagga City Council
· Leichhardt Council seats, plaques, historical markers and commemorative plantings policy and procedures – Leichhardt Council
· Plaques and memorials policy – Greater Dandenong
· Plaques policy – City of Boroondara Council
· Plaques and memorials policy – City of Melbourne
· Memorials, plaques and naming of assets policy – Warringah Council
· Heritage recognition program policy and strategy – City of Port Phillip
Two previous versions of historic / heritage plaques are known to have been installed by Hurstville Historical Society and Hurstville City Council in the Hurstville Local Government Area. This policy does not seek to replace these signs, only create a consistent design and approach for new signage.
|
Appendix View1 |
Heritage Signage Scheme Policy draft |
Hurstville City Council – Council Meeting Wednesday, 2 March 2016
CCL072-16 Heritage Signage Scheme Policy
[Appendix 1] Heritage Signage Scheme Policy draft













CCL073-16 Tech Savvy Seniors Program Grant Funding
|
Report Author/s |
Manager Library Museum and Entertainment, Ms R Schulz |
||
|
File |
15/1378 |
||
|
Previous Reports Referenced |
No |
||
|
Community Strategic Plan Pillar |
Social and Cultural Development |
||
|
Existing Policy? |
Yes |
New Policy Required? |
No |
|
Financial Implications |
Within Budget |
||
|
Reason for Report |
For Approval |
||
|
Interested Parties |
The State Library of New South Wales Telstra |
||
|
Company Extract included |
No |
||
EXECUTIVE SUMMARY
The State Library of New South Wales, on behalf of the New South Wales Government and Telstra has approved a grant of $410.00 for Hurstville City Library’s participation in the Tech Savvy Seniors Program for NSW Public Libraries.
|
THAT Council accept the $410.00 grant funding for Hurstville City Library’s participation in the Tech Savvy Seniors Program for NSW Public Libraries from the State Library of New South Wales, on behalf of the New South Wales Government and Telstra.
FURTHER THAT the Acting General Manager be authorised to sign any documentation in relation to accepting the grant. |
REPORT DETAIL
Council has been advised that it has been successful in obtaining a $410.00 grant from the State Library of New South Wales, on behalf of the New South Wales Government and Telstra to facilitate a series of computer classes as part of the expanded Tech Savvy Seniors program.
On Monday 16 November 2015 the NSW Minister of Ageing the Hon. John Ajaka and the Telstra Executive Director Andrew Coull announced that the expanded program would include:
“… training in eight languages other than English from 15 to 33 libraries across the state”. The languages are Arabic Mandarin, Cantonese, Dari, Greek, Hindi, Italian, Vietnamese and English.
The State Library of New South Wales will organize trainers to conduct classes in languages other than English, and support material for English language classes.
Hurstville Library will facilitate four beginner classes each in Cantonese and Mandarin and one class in English. Topics to be covered will include:
· Introduction to computers
· Introduction to the Internet
· Introduction to email
· Introduction to iPads in English
The program will run from 31 March to 18 May with a presentation event to be held on 26 May 2016.
The grant, which does not need to be matched by Council, will be used to supplement Council’s operational budget to promote the program, cover printing costs for support material and to provide a trainer for the English language class.
Hurstville City Council – Council Meeting Wednesday, 2 March 2016
CCL074-16 Request to place Jumping Castle in Jubilee Park for the Opening of Mortdale Community Centre
|
Report Author/s |
Manager Library Museum and Entertainment, Ms R Schulz |
||
|
File |
16/348 |
||
|
Previous Reports Referenced |
No |
||
|
Community Strategic Plan Pillar |
Social and Cultural Development |
||
|
Existing Policy? |
No |
New Policy Required? |
No |
|
Financial Implications |
Within Budget |
||
|
Reason for Report |
For Approval |
||
|
Interested Parties |
Festival Amusements |
||
|
Company Extract included |
No |
||
EXECUTIVE SUMMARY
This report is presented to Council seeking permission to place a jumping castle at Jubilee Park for the opening of Mortdale Community Centre.
|
THAT permission is granted to place a jumping castle at Jubilee Park for the opening of Mortdale Community Centre.
FURTHER THAT Council reserves the right to withdraw this authority in the case of prolonged inclement weather. |
REPORT DETAIL
On Saturday 19 March 2016, Hurstville City Council will be celebrating the opening of Mortdale Community Centre.
An official opening will take place at 11:00am.
The community are invited to a family day of activities to be held between 10:30am and 3:00pm and will be supervised by Council staff. This will be a free event for the local community.
A jumping castle will be located on the grass adjacent to the Mortdale Community Centre building. This will be provided by “Festival Amusements”.
Public liability to the value of $20 million from the ride provider “Festival Amusements” has been submitted to Council.
Hurstville City Council – Council Meeting Wednesday, 2 March 2016
CCL075-16 Request to place Amusement Ride at 243a Forest Rd Hurstville for Council Youth Week Event
|
Report Author/s |
Sport and Recreation Officer, Ms C Irwin |
||
|
File |
15/1261 |
||
|
Previous Reports Referenced |
CCL988-15 - 2016 Youth Week Event - Council - 04 Nov 2015 7:00pm |
||
|
Community Strategic Plan Pillar |
Social and Cultural Development |
||
|
Existing Policy? |
No |
New Policy Required? |
No |
|
Financial Implications |
Nil |
||
|
Reason for Report |
For Approval |
||
|
Interested Parties |
Planet Entertainment Base Zero Franchising Pty Ltd |
||
|
Company Extract included |
No |
||
EXECUTIVE SUMMARY
This report is presented to Council, seeking approval to place amusement devices in the park adjacent to the Hurstville Station Ramp on Forest Road on Saturday 9 April 2016.
|
THAT details of the all amusement devices to be erected and evidence that the amusement devices are registered under the Work and Safety Regulation 2011 are provided.
FURTHER THAT a copy of the Amusement Operators contract of insurance/and or indemnity which indemnifies Council of any liability being in the amount of not less than $10millon be supplied to Council. |
REPORT DETAIL
Hurstville City Council will be holding a “Be Youth” Festival as part of National Youth Week on Saturday 9 April 2016 from 10:00am to 2:00pm.
The festival will be held in the grass reserve opposite the Hurstville Transport Interchange. Activities planned, include a mobile rock climbing wall and mechanical surfboard ride.
Permission for the amusement devices is sought provided the necessary insurances and registrations are provided to Council.
Hurstville City Council – Council Meeting Wednesday, 2 March 2016
CCL076-16 Review - Public Access to Information Policy
|
Report Author/s |
Manager Corporate Governance, Mrs K Garske |
||
|
File |
15/915 |
||
|
Previous Reports Referenced |
No |
||
|
Community Strategic Plan Pillar |
Civic Leadership |
||
|
Existing Policy? |
Yes |
New Policy Required? |
No |
|
Financial Implications |
Within Budget |
||
|
Reason for Report |
For Approval |
||
|
Interested Parties |
N/A |
||
|
Company Extract included |
Not required |
||
EXECUTIVE SUMMARY
Hurstville City Council first adopted the Public Access to Information Administration Policy in 2009 after the passing of the Government Information (Public Access) Act 2009. The policy has been internally reviewed on a number of occasions since that time, however a number of significant amendments are now required. The policy was deferred for consideration at the Council Meeting of 4 February 2016. The updated Policy is returned for Council’s approval.
|
THAT the Public Access to Information Administration Policy be adopted. |
REPORT DETAIL
At the Council Meeting of 4 February 2016, Council resolved to defer consideration of the Policy. The policy and accompanying report are now returned to Council for consideration.
Hurstville City Council first adopted the Public Access to Information Administration Policy in 2009 after the passing of the Government Information (Public Access) Act 2009. The policy has been internally reviewed on a number of occasions since that time.
2015 saw a sharp increase in the number of Access Applications (see below) and complexity of the applications. In response, the entire program was reviewed including the correspondence and a number of provisions in the policy.

As the policy was initially adopted by Council, the policy needs to be returned to Council to approve the proposed amendments. The amendments are noted in red on the attached Draft policy and significant amendments are summarised here:
|
1. |
References changed to reflect Information and Privacy Commission terms or internal changes |
· ‘Open Access’ is now known as “Mandarory Release” · ‘Records & Archives’ is now known as “Information Support” · ‘Formal Application’ is now known as “Access Application” · ‘Proactive Release’ is now known as “Authorised Release” |
|
2. |
Internal Residential Details |
Under the Government Information (Public Access) Regulation, internal residential details are exempted from Mandatory Release, however the policy has now been amended to allow immediate neighbours access to these details during the DA exhibition process and Councillors during the determination process. |
|
3. |
On-line form |
The availability of an on-line form has been noted. |
|
4. |
Staff Protections |
The provision under S739 of the Local Government Act for staff to request suppression of their residential details and the policy that staff not be individually identified where they have fulfilled their duties under the auspices of Council have been included. A recent example was where an individual seeks ‘who was responsible’ for a budget. The Budget is adopted by Council and as such it is not appropriate to ‘name’ an individual Manager (as the case may be). |
|
5. |
Data Requests |
Two additional provisions have been proposed: 1. Provision of Information to Agencies, in reflection of change to legislation; and 2. Provision of contact details for applicants in high density residential areas. |
|
6. |
Access to CCTV Footage |
An additional clause has been added to the Public Access to Information Policy to reflect the adoption of the CCTV Program Code of Practice (CCL857-15). |
|
7. |
Provision of Information to Agencies |
An additional clause has been added to specify the provision of information to other agencies (for example Police NSW or State Government departments). |
The Public Access to Information Administration Policy is now referred to Council for adoption.
|
Appendix View1 |
Draft Public Access to Information Administration Policy |
Hurstville City Council – Council Meeting Wednesday, 2 March 2016
CCL076-16 Review - Public Access to Information Policy
[Appendix 1] Draft Public Access to Information Administration Policy



















CCL077-16 Review - Privacy Management Plan
|
Report Author/s |
Manager Corporate Governance, Mrs K Garske |
||
|
File |
16/325 |
||
|
Previous Reports Referenced |
No |
||
|
Community Strategic Plan Pillar |
Civic Leadership |
||
|
Existing Policy? |
Yes |
New Policy Required? |
No |
|
Financial Implications |
Nil |
||
|
Reason for Report |
For Approval |
||
|
Interested Parties |
|
||
|
Company Extract included |
Not required |
||
EXECUTIVE SUMMARY
In 2013, Hurstville City Council amended the Privacy Management Plan to reflect the Revised Model Plan released by the Office of Local Government that same year. Following implementation of CCTV across the Local Government area, it is appropriate that the Privacy Management Plan be reviewed to incorporate the new medium.
|
THAT the Privacy Management Plan be adopted. |
REPORT DETAIL
In April 2013, Hurstville City Council adopted an amended Privacy Management Plan to reflect the Revised Model Plan released by the Office of Local Government that same year.
As an information medium, Closed Circuit Television has been managed under Council’s pre-existing policies including the Public Access to Information Policy and the CCTV Code of Practice. In August 2015 the Code of Practice was updated and subsequently adopted by Council (CCL857-15) following the expansion of the CCTV Network across the Local Government area.
The adoption of the CCTV Code of Practice was a catalyst for a review of related Policies as (while governing Council practice) they did not specifically address the management and handling of Closed Circuit TV footage as it relates to the community. The review of Council’s Privacy Management Plan extended to a critique of the whole Plan as it had not been reviewed since adoption.
The Privacy Management Plan attached has been amended to include specific notation on CCTV against a number of the Principles contained within the Plan. No other significant changes have been proposed. As the amendments are not substantial and the Plan continues to adhere to the Model Plan, the Privacy Management Plan is referred for adoption.
|
Appendix View1 |
Privacy Management Plan |
Hurstville City Council – Council Meeting Wednesday, 2 March 2016
CCL077-16 Review - Privacy Management Plan
[Appendix 1] Privacy Management Plan






















































CCL078-16 Section 430 Investigation
|
Report Author/s |
Corporate Lawyer, Ms J Ware |
||
|
File |
16/508 |
||
|
Previous Reports Referenced |
No |
||
|
Community Strategic Plan Pillar |
Civic Leadership |
||
|
Existing Policy? |
No |
New Policy Required? |
No |
|
Financial Implications |
Nil |
||
|
Reason for Report |
For Consideration |
||
|
Interested Parties |
Office of Local Government |
||
|
Company Extract included |
Not required |
||
EXECUTIVE SUMMARY
At the Council meeting on 17 February 2016, the final section 430 investigation report was tabled. The report provides 4 recommendations which are set out in this report.
|
For Council’s consideration. |
REPORT DETAIL
This report contains the recommendations of the results of an investigation under section 430 of the Local Government Act 1993 (LG Act) into Hurstville City Council. The report has been presented to the Minister for Local Government and has been copied to Council pursuant to s433(1) of the LG Act.
Terms of reference
On 29 May 2015 the Chief Executive of the OLG announced an investigation under s430 be undertaken into the Council. The Chief Executive appointed Internal Audit Bureau Services (IAB) to conduct the investigation.
The terms of reference for the investigation were to investigate and report on:
1. The governance of the Hurstville City Council including:
a. Its consideration at its ordinary meeting of 20 May 2015 of a staff report recommending possible enforcement action into allegations of breaches of the conditions of development consents, illegal demolition and dumping and/or removal of asbestos in relation to property owned by the Mayor, Clr Con Hindi, at 40 Crump Street, Mortdale and the circumstances giving rise to its decision in relation to that matter; and
b. Its suspension of the General Manager, Victor Lampe, at the same meeting, the circumstances giving rise to that decisions, and any subsequent action taken by the Council and councillors in relation to that decision; and
c. Its management of complaints about Mr Lampe; and
2. Such other matters as the investigator considers to be relevant.
On 29 May 2015 the Council’s Mayor and Acting General Manager were provided with formal notification of the investigation.
Recommendations
The report concludes that the recommendations from the investigation are as follows:
1. THAT Hurstville City Council be given three (3) months from the date the Council provides its response to this report, as required by section 434 of the Local Government Act 1993 to take appropriate steps to do such things arising from recommendations 3 and 4 contained in this report.
2. THAT the Council immediately revoke Mr Lampe’s suspension and arrange for his return to work as General Manager.
3. THAT the Council review its financial delegations and monitor its expenditure on legal advice.
4. FURTHER THAT all existing councillors undertake formal training regarding their legislative responsibilities, the code of conduct and its Procedures and the code of meeting practice.
Statutory requirements relating to the investigation report
Section 433 of the Act provides as follows:
(1) The Director-General must report to the Minister on the results of an investigation under this Division and must send a copy of the report to the council concerned.
(2) The report may comment on any matter that, in the Director-General’s opinion, warrants special mention and may contain such recommendations as the Director-General considers appropriate.
(3) A report furnished to the council under this section must be presented at the next meeting of the council after the report is received.
(4) Section 14B of the Royal Commissions Act 1923 applies in relation to any report that the Minister wishes to lay before both Houses of Parliament in the same way as it applies to a report made by a commission under the Act.
Clause 244 of the Regulation provides as follows:
When a report of the Director-General or a person to whom the Director-General’s functions under section 430 of the Act have been delegated or sub-delegated under section 745 of the Act has been presented to a meeting of a council in accordance with section 433 of the Act, the council must ensure that the report:
(a) Is laid on the table at that meeting, and
(b) Is subsequently available for the information of councillors and members of the public at all reasonable times.
A copy of the s430 report is annexed to this report.
|
Appendix View1 |
Hurstville Council - Final Report - Section 430 Investigation |
Hurstville City Council – Council Meeting Wednesday, 2 March 2016
CCL078-16 Section 430 Investigation
[Appendix 1] Hurstville Council - Final Report - Section 430 Investigation































































































Hurstville City Council – Council Meeting Wednesday, 2 March 2016
QN003-16 Costs of Investigations into Council
|
Report Author/s |
Councillor, J Mining |
||
|
File |
16/508 |
||
|
Previous Reports Referenced |
No |
||
|
Community Strategic Plan Pillar |
Civic Leadership |
||
|
Existing Policy? |
No |
New Policy Required? |
No |
COUNCILLOR QUESTION
Please provide responses to the following items:
· any costs incurred by Council for the section 430 investigation work carried out by the investigator from the Internal Audit Bureau Services
· any costs incurred by Council for the investigation work carried out by the investigator responsible for investigating the complaint made against Victor Lampe
· salary costs during the period Mr Lampe has been suspended on full pay (but not carrying out any duties as General Manager)
· additional salary costs in paying directors and any other senior staff to act up in higher duties as a result of Mr Lampe's suspension
· itemised list of all pieces of legal advice paid for by Council related to the section 430 investigation and the investigation of the complaint made against Victor Lampe (this includes any advice authorised directly by Council, the General Manager or other staff member as well as any unauthorised advice secured during this period)
· any other relevant costs incurred as a result of either the section 430 investigation or the investigation into the complaint against Mr Lampe, and
· a total cost incurred by Council for all of these matters.
These costs should be provided in as much detail as possible, with a clear indication given where future costs may be incurred.
COUNCILLOR BACKGROUND
The events of the past 12 months has come at a considerable cost to Council. As the final section 430 report has been released, the community deserves to know what financial costs have been incurred so far in this process.
OFFICER RESPONSE
Council is advised that final costs will be provided to Council in response to this question as soon as possible.
|
THAT the information be received and noted. |
Hurstville City Council – Council Meeting Wednesday, 2 March 2016
11. Committee of the Whole (Closed Council Meeting)
Council's Code of Meeting Practice allows members of the public present to indicate whether they wish to make representations to the meeting, before it is closed to the public, as to whether that part of the meeting dealing with any or all of the matters below should or should not be closed.
|
THAT in accordance with the provisions of Part 1 of Chapter 4 of the Local Government Act 1993, the following matters be considered in closed Council Meeting (Committee of the Whole) at which the press and public are excluded.
COW009-16 Compliance with Section 430 Final Report (16/508) (Report by Councillor, J Mining) THAT in accordance with the provisions of Part 1 of Chapter 4 of the Local Government Act 1993, the matters dealt with in this report be considered in closed Council Meeting (Committee of the Whole) at which the press and public are excluded. In accordance with Section 10A(2) (a) it is considered the matter deals with personnel matters concerning particular individuals (other than Councillors). THAT in accordance with Section 10D it is considered that if the matter were discussed in an open Council Meeting, it would on balance, be contrary to the public interest as it deals with personnel matters concerning particular individuals (other than Councillors).
COW010-16 Tender - Gannons Park Pedestrian and Cycle Path (15/526) (Report by Manager Contracts, Mrs S Geadah) THAT in accordance with the provisions of Part 1 of Chapter 4 of the Local Government Act 1993, the matters dealt with in this report be considered in closed Council Meeting (Committee of the Whole) at which the press and public are excluded. In accordance with Section 10A(2) (d(ii)) it is considered the matter commercial information of a confidential nature that would, if disclosed confer a commercial advantage on a competitor of the council. THAT in accordance with Section 10D it is considered that if the matter were discussed in an open Council Meeting, it would on balance, be contrary to the public interest as it commercial information of a confidential nature that would, if disclosed confer a commercial advantage on a competitor of the council.
COW011-16 Delivery of Central Plaza (15/965) (Report by Manager Property, Ms C Stuckey) THAT in accordance with the provisions of Part 1 of Chapter 4 of the Local Government Act 1993, the matters dealt with in this report be considered in closed Council Meeting (Committee of the Whole) at which the press and public are excluded. In accordance with Section 10A(2) (d(i)) it is considered the matter concerns commercial information of a confidential nature that would if disclosed prejudice the position of a person who supplied it. THAT in accordance with Section 10D it is considered that if the matter were discussed in an open Council Meeting, it would on balance, be contrary to the public interest as it concerns commercial information of a confidential nature that would if disclosed prejudice the position of a person who supplied it.
THAT in accordance with the provisions of Section 11(2) of the Act, the reports and correspondence relating to these matters be withheld from the press and public. FURTHER, THAT Council now resolves itself into a Committee of the Whole (Closed Council) and in accordance with Section 10A of the Local Government Act 1993, Council Staff (other than members of the Executive, the Manager Corporate Governance and others at the invitation of the Chairperson) and members of the press and the public be excluded from the Council Chamber during consideration of the items referred to Committee of the Whole.
|
Hurstville City Council – Council Meeting Wednesday, 2 March 2016
13. Consideration of Committee of the Whole Recommendations